The Project Gutenberg eBook of Survey of London, Volume 05 (of 14), the parish of St. Giles-in-the-Fields, part 2

This eBook is for the use of anyone anywhere in the United States and most other parts of the world at no cost and with almost no restrictions whatsoever. You may copy it, give it away or re-use it under the terms of the Project Gutenberg License included with this eBook or online at www.gutenberg.org. If you are not located in the United States, you will have to check the laws of the country where you are located before using this eBook.

Title: Survey of London, Volume 05 (of 14), the parish of St. Giles-in-the-Fields, part 2

Author: William Edward Riley

George Laurence Gomme


Release date: November 16, 2023 [eBook #72144]

Language: English

Original publication: London: London County Council, 1912

Other information and formats: www.gutenberg.org/ebooks/72144

Credits: Richard Tonsing, Bryan Ness, and the Online Distributed Proofreading Team at https://www.pgdp.net (This file was produced from images generously made available by The Internet Archive/Canadian Libraries)

*** START OF THE PROJECT GUTENBERG EBOOK SURVEY OF LONDON, VOLUME 05 (OF 14), THE PARISH OF ST. GILES-IN-THE-FIELDS, PART 2 ***

Transcriber’s Note:

New original cover art included with this eBook is granted to the public domain.

i

LONDON COUNTY COUNCIL
SURVEY OF LONDON
ISSUED BY THE JOINT PUBLISHING COMMITTEE REPRESENTING THE LONDON COUNTY COUNCIL AND THE COMMITTEE FOR THE SURVEY OF THE MEMORIALS OF GREATER LONDON
UNDER THE GENERAL EDITORSHIP OF
SIR LAURENCE GOMME (for the Council)
PHILIP NORMAN (for the Survey Committee)

 
VOLUME V.
THE PARISH OF ST. GILES-IN-THE-FIELDS
(Part II.)

PUBLISHED BY THE LONDON COUNTY COUNCIL, SPRING GARDENS, LONDON
1914

iiiTHE PARISH OF ST. GILES-IN-THE-FIELDS (PART II.), BEING THE FIFTH VOLUME OF THE SURVEY OF LONDON, WITH DRAWINGS, ILLUSTRATIONS AND ARCHITECTURAL DESCRIPTIONS, BY W. EDWARD RILEY, ARCHITECT TO THE COUNCIL. EDITED, WITH HISTORICAL NOTES, BY SIR LAURENCE GOMME, CLERK OF THE COUNCIL.

iv

JOINT PUBLISHING COMMITTEE REPRESENTING THE LONDON COUNTY COUNCIL AND THE COMMITTEE FOR THE SURVEY OF THE MEMORIALS OF GREATER LONDON.

Chairman.
E. L. MEINERTZHAGEN.
Members appointed by the Council.
GRANVILLE-SMITH, R. W.
JOHNSON, W. C.
MEINERTZHAGEN, E. L.
TAYLOR, ANDREW T.
Members appointed by the Survey Committee.
GODFREY, WALTER H.
LOVELL, PERCY.
NORMAN, PHILIP.
v

MEMBERS OF THE SURVEY COMMITTEE DURING THE PERIOD OF THE WORK.

The former Presidents of the Committee were

The late LORD LEIGHTON, P.R.A.
The late Rt. Hon. and Rt. Rev. Dr. CREIGHTON, LORD BISHOP OF LONDON.

President.

The Rt. Hon. EARL CURZON OF KEDLESTON, G.C.S.I., G.C.I.E., F.R.S.

Honorary Members and Subscribers.

The Rt. Hon. Lord Aberdare.
The Board of Agriculture.
C. E. Allen.
Mrs. J. W. Allen.
Sir Robert Allison.
The Society of Antiquaries.
William Sumner Appleton.
The Architectural Association.
The Society of Architects.
The Royal Institute of British Architects.
The Athenæum.
John Avery.
Samuel P. Avery.
E. Burrell Baggallay.
E. J. Barron.
B. T. Batsford.
Boylston A. Beal.
Henry Forbes Bigelow.
Mrs. Percy Bigland.
Arthur L. Bilham.
Harry W. Birks.
The Birmingham Central Library.
The Bishopsgate Institute.
John Briggs.
E. W. Brooks.
A. Herve Browning.
Alfred Burr.
Mrs. Cadic.
The Worshipful Company of Carpenters.
Miss A. G. E. Carthew.
W. J. Checkley.
Cyril S. Cobb.
E. C. Colquhoun.
The Columbia University Library.
The Constitutional Club.
William W. Cordingley.
The Rt. Hon. Lord Courtney of Penwith, P.C.
Walter Crane.
The Rt. Hon. the Earl Of Crawford, F.S.A.
The Croydon Public Library.
G. J. Crosbie Dawson.
George H. Duckworth.
The Board of Education.
The Rt. Hon. the Earl Ferrers.
Mrs. Charles Fewster.
Owen Fleming.
Mrs. Wickham Flower.
Miss Forbes.
Sir George Frampton, R.A., F.S.A.
Miss Agnes Garrett.
Sir Rickman Godlee.
Goldsmiths’ Library, University of London.
A. Gray, K.C.
Miss I. I. Greaves.
Maj.-Gen. Sir Coleridge Grove, K.C.B.
The Guildhall Library.
Richard Waldon Hale.
Edwin T. Hall, F.R.I.B.A.
Mrs. Henry Hankey.
Ambrose Heal.
David Hills.
S. J. G. Hoare.
R. R. Hodgson.
V. T. Hodgson.
J. J. Holdsworth.
Charles H. Hopwood, F.S.A.
E. J. Horniman.
Miss Huth.
Mrs. Alfred Huth.
Edward Huth.
Douglas Illingworth.
Mrs. Illingworth Illingworth.
Miss Edith F. Inderwick.
The Rt. Hon. the Viscount Iveagh, K.P., G.C.V.O., F.R.S.
Edward Tyrrell Jaques.
Gilbert Jenkins.
Philip M. Johnston, F.R.I.B.A., F.S.A.
Miss Caroline A. Jones.
C. H. F. Kindermann.
C. L. Kingsford.
Sir Hugh Lane.
Miss E. M. Lang.
G. C. Lawson.
Sir W. H. Lever, Bt., M.P.
H. W. Lewer.
Owen C. Little.
The London Library.
Dr. G. B. Longstaff.
Mary, Countess of Lovelace.
W. L. Lucas.
Justin Huntly Mccarthy.
William McGregor.
The Manchester Central Library.
viC. O. Masters.
Miss B. A. Meinertzhagen.
The Metropolitan Public Gardens Association.
G. Vaughan Morgan.
John Murray, F.R.I.B.A.
The New York Public Library.
Allan Nickinson.
F. H. Norman.
R. C. Norman.
Mrs. Robert Norman.
The Rev. J. P. Noyes.
Vere L. Oliver.
The Oxford and Cambridge Club.
F. W. Peters.
Mrs. W. Wilton Phipps.
F. W. Platt.
D’Arcy Power, F.R.C.S.
Sir E. J. Poynter, P.R.A., F.S.A.
F. W. Procter.
The Public Record Office.
Mrs. F. L. W. Richardson.
Colin E. Reader.
The Reform Club.
Sir Joseph Savory.
Sion College.
Mrs. Vernon Smith.
A. G. Snelgrove.
W. J. Songhurst.
H. C. Sotheran.
Walter L. Spiers.
F. B. Spooner.
The Rt. Hon. Lord Alexander Thynne.
A. G. Warren.
The Library of Congress, Washington.
Mrs. Westlake.
Mrs. Wharrie.
J. Barrington White.
Miss M. J. Wilde.
Dr. George C. Williamson.
Walter Withall.
John E. Yerbury.
Keith D. Young, F.R.I.B.A.

Active Members.

C. R. Ashbee.
Oswald Barron, F.S.A.
A. H. Blake.
W. W. Braines.
A. E. Bullock, A.R.I.B.A.
G. H. Chettle.
A. W. Clapham, F.S.A.
George Clinch, F.G.S., F.S.A., Scot.
A. O. Collard, F.R.I.B.A.
F. T. Dear.
William Doddington.
H. W. Fincham.
Matt. Garbutt.
Walter H. Godfrey.
Mrs. Ernest Godman.
T. Frank Green, A.R.I.B.A.
Edwin Gunn, A.R.I.B.A.
Osborn C. Hills, F.R.I.B.A.
E. W. Hudson.
T. Gordon Jackson, Licentiate R.I.B.A.
Max Judge.
P. K. Kipps, A.R.I.B.A.
Gilbert H. Lovegrove.
Ernest A. Mann, Licentiate R.I.B.A.
E. T. Marriott, M.A.
Cecil G. McDowell.
W. Monk, R.E.
Sydney Newcombe.
E. C. Nisbet.
Robert Pearsall.
A. Wyatt Papworth, A.R.I.B.A.
Francis W. Reader.
Ernest Railton.
John Ravenshaw.
Francis R. Taylor, Licentiate R.I.B.A.
George Trotman.
Miss E. M. B. Warren.
W. A. Webb, A.R.I.B.A.
A. P. Wire.
W. Wonnacott, A.R.I.B.A.
E. L. Wratten, A.R.I.B.A.
Edward Yates.
W. P. Young.
Philip Norman, F.S.A., LL.D., Editor of the Committee.
E. L. Meinertzhagen, J.P., Treasurer of the Committee.
Percy Lovell, B.A., A.R.I.B.A.,
Secretary of the Committee, 27, Abingdon Street, Westminster, S.W.
vii

CONTENTS.

  PAGE
GENERAL TITLE PAGE i
SPECIAL TITLE PAGE iii
MEMBERS OF THE JOINT PUBLISHING COMMITTEE iv
MEMBERS OF THE SURVEY COMMITTEE v
DESCRIPTION OF THE PLATES ix
PREFACE xv
THE SURVEY OF ST. GILES-IN-THE-FIELDS:—  
  Boundary of the Parish of St. Giles-in-the-Fields 1
  High Holborn, from the Parish Boundary to Little Turnstile 3
  Nos. 3 and 4, Gate Street 10
  High Holborn, between Little Turnstile and Kingsway 13
  No. 211, High Holborn 16
  Smart’s Buildings and Goldsmith Street 18
  Nos. 181 and 172, High Holborn 23
  Site of Rose Field (Macklin Street, Shelton Street, Newton Street (part) and Parker Street (part)) 27
  No. 18, Parker Street 33
  Great Queen Street (general) 34
  No. 2, Great Queen Street 38
  Nos. 26 to 28, Great Queen Street 40
  Nos. 55 and 56, Great Queen Street 42
  Freemasons’ Hall 59
  Markmasons’ Hall 84
  Great Queen Street Chapel 86
  Site of Weld House 93
  Nos. 6 and 7, Wild Court 98
  No. 16, Little Wild Street 99
  No. 1, Sardinia Street 100
  Site of Lennox House 101
  Nos. 24 and 32, Betterton Street 104
  No. 25, Endell Street 105
  North of Short’s Gardens 106
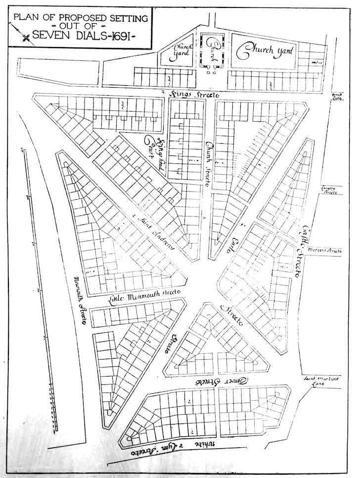
  Site of Marshland (Seven Dials) 112
  The Church of All Saints, West Street 115
  Site of the Hospital of St. Giles 117
  Church of St. Giles-in-the-Fields 127
  Nos. 14 to 16, Compton Street 141
  Nos. 4, 5, 6, 7, 9, 10 and 11, Denmark Street 142
viii  North of Denmark Place 144
  Site of The Rookery 145
  Nos. 100, 101 and 102, Great Russell Street 147
  Bedford Square (General) 150
  No. 1, Bedford Square 152
  Nos. 6 and 6A, Bedford Square 154
  No. 9, Bedford Square 157
  No. 10, Bedford Square 158
  No. 11, Bedford Square 161
  No. 13, Bedford Square 163
  No. 14, Bedford Square 164
  No. 15, Bedford Square 165
  No. 18, Bedford Square 166
  No. 23, Bedford Square 167
  No. 25, Bedford Square 168
  No. 28, Bedford Square 170
  No. 30, Bedford Square 171
  No. 31, Bedford Square 172
  No. 32, Bedford Square 174
  No. 40, Bedford Square 176
  No. 41, Bedford Square 177
  No. 44, Bedford Square 178
  No. 46, Bedford Square 179
  No. 47, Bedford Square 180
  No. 48, Bedford Square 181
  No. 50, Bedford Square 183
  No. 51, Bedford Square 184
  Nos. 68 and 84, Gower Street 185
  North and South Crescents and Alfred Place 186
  House in rear of No. 196, Tottenham Court Road 188
INDEX  
PLATES Nos. 1 to 107  
MAP OF THE PARISH  
ix

DESCRIPTION OF THE PLATES.

PLATE.    
1. Extract from Agas’s Civitas Londinum, showing the neighbourhood of St. Giles-in-the-Fields circ. 1560–70.
2. Purse Field circ. 1609, from a deed dated 1650 in the Public Record Office.  
3. Extract from Map by Hollar of the area now forming the West Central District of London, showing the neighbourhood of St. Giles-in-the-Fields circ. 1658.  
4. Extract from Map by Fairthorne and Newcourt showing the neighbourhood of St. Giles-in-the-Fields in 1658.  
5. Map of the Parish of St. Giles-in-the-Fields circ. 1720 from Strype’s edition of Stow.  
6. Plan of the Parishes of St. Giles-in-the-Fields and St. George Bloomsbury by Hewett, 1815.  
7. No. 3, Gate Street, Joinery Details on First Floor Measured Drawing.
8. No. 211, High Holborn, Shop Front Photograph.
9. No. 181, High Holborn, Shop Front Photograph.
10. No. 172, High Holborn, Shop Front Photograph.
11. No. 1, Sardinia Street Photograph.
  No. 18, Parker Street Photograph.
12. No. 2, Great Queen Street, Mahogany Staircase Measured Drawing.
13. No. 2, Great Queen Street, Details of Staircase Measured Drawing.
14. Nos. 27 and 28, Great Queen Street, Entrance Doorcases Measured Drawing.
15. Lead Rainwater Heads and Cisterns Measured Drawing.
  No. 16, Little Wild Street, Carved Deal Mantel Shelf Measured Drawing.
16. Nos. 55 and 56, Great Queen Street in 1846, from a watercolour by J. W. Archer, “House called Queen Anne’s Wardrobe,” preserved in the British Museum Photograph.
  “House of the Sardinia Ambassador, Lincoln’s Inn Fields,” from a watercolour (1858) by J. W. Archer, preserved in the British Museum Photograph.
17. Nos. 55 and 56, Great Queen Street, Ground, First and Second Floor Plans Measured Drawing.
18. Nos. 55 and 56, Great Queen Street, Elevation. Reproduced by kind permission of B. T. Batsford, Ltd., from Later Renaissance Architecture in England by John Belcher and Mervyn E. Macartney. Measured Drawing by James C. Cook.
19. Nos. 55 and 56, Great Queen Street (May 1906) Photograph.
20. No. 55, Great Queen Street, Staircase Photograph.
21. Nos. 55 and 56, Great Queen Street, Details of Staircases Measured Drawing.
22. Freemasons’ Hall, Elevation in 1779 Photograph.
  Freemasons’ Hall, Plan of Premises before 1779 Photograph.
    (Both are reproduced by kind permission of the Grand Lodge from engravings in their possession.)  
x23. Freemasons’ Hall in 1811 (Façade designed by W. Tyler in 1785), from an Engraving by S. Rawle after I. Nixon Photograph.
24. Freemasons’ Hall, Façade (designed by F. P. Cockerell, 1866) Photograph.
25. Freemasons’ Hall, Elevation of North end of Temple in 1775 (designed by Thos. Sandby), from an original drawing preserved in the British Museum Photograph.
26. Freemasons’ Hall, the Temple looking South Photograph.
27. Freemasons’ Hall, “View of the new Masonic Hall, looking South,” from an original pen sketch design by Sir J. Soane, 1828, preserved in the Soane Museum Photograph.
28. Freemasons’ Hall, Grand Staircase Photograph.
  Freemasons’ Hall, Vestibule to Temple Photograph.
29. Markmasons’ Hall, Chimneypiece in Boardroom Photograph.
30. Markmasons’ Hall, Ceiling in Boardroom Photograph.
31. Markmasons’ Hall, Ceiling in Grand Secretary’s Room Photograph.
32. Great Queen Street Chapel, Exterior Photograph.
33. Great Queen Street Chapel, Interior from the Gallery Photograph.
34. Little Wild Street, View looking North-east (1906) Photograph.
35. No. 24, Betterton Street, Entrance Doorcase Measured Drawing.
36. No. 32, Betterton Street, Entrance Doorcase Photograph.
37. “Queen Anne’s Bath,” No. 25, Endell Street, from a watercolour drawing by J. W. Archer (1844), preserved in the British Museum Photograph.
38. “The Bowl Brewery,” from a watercolour drawing by J. W. Archer (1846), preserved in the British Museum Photograph.
39. Plan of proposed setting out of Seven Dials, from a drawing on parchment preserved in the Holborn Public Library Drawing.
40. Seven Dials Column at Weybridge Photograph.
41. Little Earl Street looking East Photograph.
42. Nos. 14 to 16, New Compton Street, Shop Fronts Photographs.
43. Church of St. Giles-in-the-Fields, Ground Plan Measured Drawing.
44. Church of St. Giles-in-the-Fields, Plan of Ceiling Measured Drawing.
45. Church of St. Giles-in-the-Fields, West Front, reproduced by kind permission of H. Cecil Newman Measured Drawing by H. Cecil Newman.
46. Church of St. Giles-in-the-Fields, Cross Section, reproduced by kind permission of H. Cecil Newman Measured Drawing by H. Cecil Newman.
47. Church of St. Giles-in-the-Fields, Exterior from the North-west Photograph.
48. Church of St. Giles-in-the-Fields, Exterior from the North-east Photograph.
49. Church of St. Giles-in-the-Fields, Interior, looking East, 1753. From an engraving by A. Walker after J. Donowell Photograph.
50. Church of St. Giles-in-the-Fields, Interior, looking West Photograph.
xi51. Church of St. Giles-in-the-Fields: (a) Columns and Ceiling, (b) Altarpiece Photographs.
52. Church of St. Giles-in-the-Fields: (a) Carved Oak Frame with Picture of Moses, (b) Painted Glass Panel, probably from former Church Photographs.
53. Church of St. Giles-in-the-Fields, Lich Gate to Churchyard Measured Drawing.
54. Church of St. Giles-in-the-Fields, Oak Panel (“Resurrection”) in lich gate Photograph.
55. Church of St. Giles-in-the-Fields, Vestry Photograph.
56. No. 5, Denmark Street, Details of Staircase Measured Drawing.
57. No. 7, Denmark Street, Doorcase Measured Drawing.
58. No. 7, Denmark Street, Details of Staircase Measured Drawing.
59. Nos. 10 and 11, Denmark Street Photograph.
60. Denmark Passage, Blacksmith’s Forge Photograph.
61. Bedford Square, South Side Photograph.
62. No. 1, Bedford Square, Ground and First Floor Plans Measured Drawing.
63. No. 1, Bedford Square, Front View Photograph.
64. No. 1, Bedford Square, Entrance Doorway Measured Drawing.
65. No. 1, Bedford Square: Entrance Hall (a) looking South, (b) showing Staircase Photographs.
66. No. 1, Bedford Square, Ceiling in Entrance Hall Photograph.
67. No. 1, Bedford Square, Chimney Breast, Rear Room, Ground Floor Photograph.
68. No. 1, Bedford Square, Plaster Ceiling, with Painted Panels, Rear Room, First Floor Photograph.
69. No. 6, Bedford Square, Ground and First Floor Plans Measured Drawing.
70. No. 6, Bedford Square, Lantern over Staircase Photograph.
71. No. 6, Bedford Square, Chimneypiece, Front Room, First Floor Photograph.
72. No. 9, Bedford Square, Plaster Plaques: (a) On Chimney Breast, Front Room, Ground Floor; (b) On Chimney Breast, Rear Room, Ground Floor; (c) Over Door, Front Room, Ground Floor Photographs.
73. No. 9, Bedford Square, Plaster Ceiling, Front Room, First Floor Photograph.
74. No. 10, Bedford Square, Plaster Ceiling with Painted Panels, Front Room, First Floor Photograph.
75. No. 11, Bedford Square, Ground and First Floor Plans Measured Drawing.
76. No. 11, Bedford Square, Exterior Photograph.
77. No. 11, Bedford Square, Chimneypiece, Front Room, Ground Floor Photograph.
78. No. 13, Bedford Square, Plaster Ceiling with Painted Panels, Front Room, First Floor Photograph.
79. No. 14, Bedford Square, Ceiling, Front Room, First Floor Photograph.
80. No. 15, Bedford Square, Entrance Doorway Photograph.
81. No. 18, Bedford Square, Chimneypiece, Front Room, Ground Floor Photograph.
xii82. No. 23, Bedford Square, Doors and Doorcase, Front Room, Ground Floor Photograph.
83. No. 25, Bedford Square: (a) Chimney Breast, (b) Alcove, Front Room, Ground Floor Photographs.
84. No. 25, Bedford Square, Chimneypieces: (a) Front Room, First Floor; (b) Rear Room, First Floor Photographs.
85. No. 25, Bedford Square, Plaster Ceiling with Painted Panels, Rear Room, First Floor Photograph.
86. No. 28, Bedford Square: (a) Chimneypiece; (b) Detail of Central Panel; Front Room, Ground Floor Photographs.
87. No. 30, Bedford Square, Ceiling, Front Room, First Floor Photograph.
88. No. 31, Bedford Square, Ceiling, Rear Room, First Floor Photograph.
89. No. 32, Bedford Square, Front Elevation Measured Drawing.
90. No. 32, Bedford Square, Screen in Hall Photograph.
91. No. 32, Bedford Square: (a) Panel of Chimneypiece, Rear Room, First Floor; (b) Detail of Chimneypiece, Rear Room, Ground Floor Photographs.
92. No. 32, Bedford Square, Ceilings: (a) Rear Room, Ground Floor; (b) Rear Room, First Floor Photographs.
93. No. 40, Bedford Square, Plaster Plaque, Front Room, Ground Floor Photograph.
94. No. 40, Bedford Square, Plaster Ceiling with Painted Panels, Front Room, First Floor Photograph.
95. No. 41, Bedford Square, Chimneypieces: (a) Rear Room, First Floor; (b) Front Room, First Floor Photographs.
96. No. 44, Bedford Square, Ceiling, Front Room, First Floor Photograph.
97. Nos. 46–47, Bedford Square, Exterior Photograph.
98. No. 46, Bedford Square, Chimneypieces: (a) Front Room, Ground Floor; (b) Front Room, First Floor Photographs.
99. No. 47, Bedford Square, Entrance Doorcase Measured and Drawn by P. K. Kipps.
100. No. 47, Bedford Square: (a) Ceiling over Staircase; (b) Chimneypiece, Front Room, First Floor Photographs.
101. No. 47, Bedford Square, Ceiling, Front Room, First Floor Photograph.
102. No. 48, Bedford Square, Chimneypiece, Front Room, First Floor Photograph.
103. No. 48, Bedford Square, Ceiling, Front Room, First Floor Photograph.
104. No. 50, Bedford Square, Fanlight in Entrance Hall Photograph.
105. No. 51, Bedford Square, Ceiling, Front Room, First Floor Photograph.
106. (a) No. 68, Gower Street; (b) No. 84, Gower Street, Doorcases Photographs.
107. House in rear of No. 196, Tottenham Court Road: (a) Exterior; (b) Chimneypiece, Front Room, First Floor Photographs.
xiii

ILLUSTRATIONS IN THE TEXT.

  PAGE
1. Stone Boundary Tablet (1691) from No. 2, Sheffield Street 2
2. Rough Plan of High Holborn between the Turnstiles, circ. 1590 4
3. Stone Tablet (1671), formerly on No. 27, Goldsmith Street 21
4. Stone Tablet (1765), formerly on flank wall of No. 166, Drury Lane 31
5. Deal Stair Bracket to Outer String to No. 27, Great Queen Street 41
6. Signature of Wm. Newton 43
7. Nos. 55–58, Great Queen Street. Sketch by J. Nash (1840), reproduced from The Growth of the English House, by J. Alfred Gotch, by kind permission of B. T. Batsford, Ltd. 48
8. The Disastrous Fire at Freemasons’ Hall, Great Queen Street—the scene of the conflagration (1883), from a woodcut in the Illustrated London News 62
9. Freemasons’ Hall, Plan of Principal Floor before the alterations of 1899 64
10. Cast-iron Hob Grates from Nos. 6 and 7, Wild Court 99
11. Wooden Key at No. 56, Castle Street 114
12. All Saints’ Church, West Street, Exterior. From a watercolour drawing by T. G. Fraser, reproduced by kind permission of the Rev. C. W. M. Steffens 115
13. The Top Part of Wesley’s Pulpit 116
14. The Old Church of St. Giles-in-the-Fields as it appeared in the year 1718, from a lithograph of G. Scharf after John Hall 128
15. Recumbent Effigy of Lady Frances Kniveton 135
16. Tombstone of George Chapman, from a watercolour drawing by J. W. Archer (1844), preserved in the British Museum 136
17. Cast-iron Enlargement of Seal of the Hospital of St. Giles 139
18. Thanet House, Great Russell Street, from a lithograph by G. Scharf 148
19. No. 1, Bedford Square, Ornamental Plaster Frieze, Rear Room, First Floor 153
20. No. 6, Bedford Square, Iron Stair Balusters 154
21. No. 6, Bedford Square, Detail of Plaster Decoration to Staircase 155
22. No. 10, Bedford Square, Ground and First Floor Plans 158
23. No. 10, Bedford Square, Painted Panel in Ceiling, Rear Room, First Floor 159
24. No. 11, Bedford Square, Frieze and Cornice in Drawing Room 161
25. No. 25, Bedford Square, Ground and First Floor Plans 168
26. No. 32, Bedford Square, Wrought-iron Stair Balusters 174
27. No. 48, Bedford Square, Ground and First Floor Plans 181
28. No. 51, Bedford Square, Sculptured Panel on Chimneypiece in Entrance Hall 184

HERALDIC ILLUSTRATIONS.

1. DE BURGH Or, a cross Gules, in the dexter canton a lion rampant Sable.
2. DIGBY Azure, a fleur-de-lis Argent, with a molet for difference.
3. FAIRFAX Argent, three bars gemelles Gules, surmounted by a lion rampant Sable.
4. CAVENDISH Sable, three bucks’ heads caboched Argent.
xiv5. SPENCER Quarterly Argent and Gules, in the 2nd and 3rd quarters a fret Or, over all, on a bend Sable, three escallops of the 1st.
6. GREY Barry of six Argent and Azure.
7. BROWNE Sable, three lions passant in bend between two double cotisses Argent.
8. ELIZABETH, COUNTESS RIVERS. Argent, six lions rampant, three, two and one, Sable.
9. O’BRIEN Gules, three lions passant guardant in pale per pale Or and Argent.
10. FREDERICK NASSAU DE ZUYLESTEIN, EARL OF ROCHFORD. Quarterly, 1st, Azure semée of billets Or, a lion rampant of the 2nd for Nassau; 2nd, Or a lion rampant guardant Gules, ducally crowned Azure for Dietz; 3rd, Gules, a fesse Argent for Vianden; 4th, Gules, two lions passant guardant in pale Or for Catznellogen; over all, in an escutcheon Gules three zules Argent, two and one, for Zuylestein.
11. SHEFFIELD Argent, a chevron between three garbs Gules.
12. BURNET Argent, three holly leaves in chief Vert, and a hunting horn in base Sable, garnished and stringed Gules, with a molet Azure in the fess point for difference.
13. CONWAY Sable, on a bend cotised Argent, a rose between two amulets Gules.
14. FINCH Argent, a chevron between three griffins passant Sable.
15. NORTH Azure, a lion passant Or, between three fleurs-de-lis Argent.
16. ESMÉ STUART, SEIGNEUR D’AUBIGNY, DUKE OF LENNOX. Quarterly, 1st and 4th Azure, three fleurs-de-lis Or within a bordure Gules charged with seven buckles of the second, for Aubigny; 2nd and 3rd, Or, a fess chequy Azure and Argent within a bordure Gules engrailed for Stuart of Darnley; over all on an escutcheon Argent a saltire Gules between four roses of the same, for Lennox.
17. BROWNLOW Or, an escutcheon, with an orle of eight martlets Sable.
18. DUDLEY Or, a lion rampant Azure, double queued Vert.
19. BLOUNT Barry nebulée of six Or and Sable.
20. RUSSELL Argent, a lion rampant Gules, on a chief Sable three escallops of the first.
xv

PREFACE.

The present volume—the fifth in the Survey of London—completes the record of the Parish of St. Giles-in-the-Fields. As in the case of the other volumes issued, the important part of the book, from the survey point of view, is to be found in the photographs and drawings, to which the letterpress is strictly subservient, but which form only a portion of the actual collection in the hands of the Council. Nevertheless, considerable attention has been devoted to history, the more particularly because existing books on the parish, notably, Parton’s Hospital and Parish of St. Giles-in-the-Fields and Blott’s Blemundsbury, are incomplete, and in many cases actually misleading. An attempt has been made to retrace the history of each plot of land to the time before the erection of buildings, that is, practically to the reign of Elizabeth. No doubt, had time permitted, it would have been possible to do this adequately in many instances where the investigation has had to remain incomplete, though it is doubtful whether in all cases the necessary records are in existence.

The materials for the history have been gathered from diverse sources, and the lists of occupiers of the various houses dealt with have been obtained principally from the parish and sewer ratebooks, supplemented by the Hearth Tax Rolls and information given in deeds. The four Hearth Tax Rolls used were described in the previous volume[1] dealing with St. Giles. The sewer ratebooks have not proved of so great assistance in supplementing the parish books (which begin only in 1730) as was the case in the previous volume, since, with the important exception of those containing Lincoln’s Inn Fields and Great Queen Street, there are very few relating to this parish which date from the 17th century.

It is desired to take this opportunity of thanking those owners and occupiers of houses who have kindly granted permission to the Council to make surveys of the interior of their premises, and take photographs for reproduction in this volume. The thanks of the Council are especially due to His Grace the Duke of Bedford, K.G., for information most willingly imparted with reference to those premises which are in the Manor of Bloomsbury, and to the Holborn Metropolitan Borough Council for the facilities given to the Council’s officers for the examination of the parish ratebooks and other records.

I gladly repeat the acknowledgment, made in Vol. III. of this series, of the great assistance rendered in connection with the preparation of this volume by Mr. W. W. Braines, B.A. (Lond.), the officer in charge of the Records, Publications and Museums Branch of my department.

LAURENCE GOMME.
County Hall,
Spring Gardens, S.W.
13th March, 1914.
THE PARISH OF ST. GILES-IN-THE-FIELDS
PART II.
1

BOUNDARY OF THE PARISH OF ST. GILES-IN-THE-FIELDS.

The earliest mention of the parish boundary of St. Giles-in-the-Fields occurs in a decree of 1222, terminating the dispute between the Abbey of Westminster and the See of London respecting the ecclesiastical franchise of the conventual church of St. Peter. According to this the boundary of the Parish of St. Margaret, Westminster, began at the watercourse of Tyburn and stretched towards London as far as the garden of the Hospital of St. Giles, “thence as the way beyond the same garden extends as far as the boundaries dividing Marshland and the parish of St. Giles.”[2] This is pretty clear evidence that in those early days the southern portion of the western boundary of St. Giles passed along the thoroughfare bounding the Precinct and Marshland on the west, thus agreeing precisely with the limits at the present day.

Although, however, there does not seem to have been any change in that comparatively small part of the parish boundary, in many other respects the limits of the parish have undergone serious modification. The first considerable alteration took place in 1731, when the Parish of St. George, Bloomsbury, was formed out of the old parish, and made to include all that part which lay to the north of High Holborn and east of Dyot Street and of a line drawn northwards from the latter’s termination in Great Russell Street (see Plate 6). This northward line was afterwards slightly modified. Again, quite recently, the parish was further curtailed as a result of Orders made under the London Government Act, 1899. The south side of Lincoln’s Inn Fields, and the area lying between Wild Street and Drury Lane, were thereby taken from St. Giles, a give-and-take line was adopted between the west side of Lincoln’s Inn Fields and the junction of Kemble Street and Wild Street, and certain small additions to the parish were made at Francis Street on the north and Broker’s Alley on the south.

The stone tablet, illustrated on the next page, is a relic of the old boundary line of the parish. It was built into the wall of No. 2, Sheffield Street, which premises were demolished in 1903 in connection with the formation of Kingsway. The stone was preserved by the London County Council and has been lent to the London Museum.

2The boundary between the parishes of St. Giles-in-the-Fields and St. George, Bloomsbury, cuts through Bedford Square in such a way that although the greater part of the square is in the former, all the houses on the east side and a few on the south side are in the parish of St. George. As it was felt that there were advantages in dealing with the square as a whole, it was decided that, as had been done in the case of Lincoln’s Inn Fields,[3] the entire square should be treated in one volume.

3

XXII.—HIGH HOLBORN FROM THE PARISH BOUNDARY TO LITTLE TURNSTILE.

The whole of the space between the parish boundary and Great Turnstile was occupied by houses at least as early as, and probably long before, the reign of Henry VIII. In 1545, Edward Stockwood sold to Thomas Dyxson, 5 messuages and 5 gardens in the parishes of St. Andrew, Holborn, and St. Giles-in-the-Fields,[4] and when, in the following year, Dyxson transferred the property to Richard Clyff, the western and eastern boundaries are described[5] as the tenement of John Coke and the inn called The Antelope, respectively. In the course of the next century, the five houses seem to have been divided or rebuilt as seven houses, four of which were in St. Giles, the remaining three being in St. Andrew’s.[6]

Between the westernmost of these and Great Turnstile there were, in 1545, three houses in the possession of John Coke.[7] These had belonged to the Priory of St. John of Jerusalem before the dissolution of that monastery.[8]

Great Turnstile is mentioned as early as 1522, under the name “Turngatlane”[9]; it was also known as “Turnpiklane.”[10] It is quite certain that in 1545 no houses had been built along the sides of Great Turnstile, and none probably were erected there until many years later. The earliest records so far obtained of such houses on the eastern and western sides of the lane are dated respectively 1632 and 1630[11], and probably these dates are not far removed from the actual time of building.

Reference was made in a previous volume[12] to the ten houses belonging to the Priory of St. John of Jerusalem, which, in the reign of Henry VIII., occupied the frontage of High Holborn, between Great Turnstile and certain property belonging to the Hospital of St. Giles, and it was 4then suggested that their western limit practically corresponded with the boundary between Cup Field and Purse Field. Definite proof of this has not been obtained, but it will be shown that the St. John’s property must have extended to within a little of this, thus occupying the site of about thirty numbers. Obviously, the houses must have been very scattered. It is also possible that certain buildings were in existence further to the west, towards Little Turnstile, as early as the reign of Edward II.,[13] and certainly the whole of this part of the frontage to High Holborn was covered in the early part of Elizabeth’s reign.

Agas’s map (Plate 1) shows a single line of buildings extending between the two turnstiles, but this is not an adequate representation of the state of affairs in the closing years of the sixteenth century. In order to describe this, so far as the records which have come to light in the course of the investigation for this volume will allow, it will be necessary to go into some detail, but as the point has never before been dealt with, it has been thought desirable to do so. Although the results in some cases fall short of certainty, it is hoped that thereby an idea may be gained of the somewhat complex system of houses, gardens and orchards that existed between High Holborn and the site of Whetstone Park. The accompanying plan will render the description of the properties more easy to follow. It should be understood that the plan is quite a rough one, and intended merely to give a general idea of the situation about the year 1590. The discovery of further records would, no doubt, modify it in certain details.

HIGH HOLBORN, BETWEEN THE TURNSTILES, CIRC. 1590.

Where now is the entrance to Little Turnstile, there then existed an open ditch or sewer. In the Survey of Crown Lands[14] taken in 1650, reference is made to a certain property “scituate and adjoyninge to Lincolnes Inn Fields alias Pursefeild,” being 214 feet long from Purse Field south, to Mr. Lane’s 5houses on the north, and 22 feet wide, which ground was “heertofore a ditch or comon sewer and filled upp to bee part of the Pursefeild.” Lane’s houses were on the projecting north side of Little Turnstile, and the sewer lay 21 feet to the east of the present line of Gate Street.[15]

In 1560, Lord and Lady Mountjoy sold[16] to Thomas Doughty and Henry Heron “syxtene meses, mesuages or tenementes adioyninge nere together ... scytuate and being in Holborne,” called by the name of Purse Rents, together with six additional gardens. From the inquisition[17] held on the death of Doughty in 1568 it appears that he held eight of the houses and three of the gardens.

Eight years later (1576) Thomas Doughty, junior, sold[18] that part of the property to “Buckharte Cranighe,[19] doctor of physyke.” In the same year Queen Elizabeth granted[20] to John Farnham, one of her gentlemen pensioners, the whole of the combined Doughty and Heron property, increased on the Heron side by two houses, five cottages, three stables and an orchard, none of which are mentioned in the previous deeds. Farnham immediately sold the property afresh to Doughty[21] and Heron.[22] The latter in 1589 sold to [23]Rowland Watson and Thomas Owen, nine houses, which, by the names of the occupiers, can be identified as nine of the ten sold by Farnham, and which are stated to contain in length together on the street side 35½ yards. In 1669 the same property, then consisting of seven houses, was sold[24] by William Watson to Emmanuel College, Cambridge, and is obviously to be identified with the six houses in High Holborn leased by the college in 1800,[25] and described as Nos. 246 to 251, High Holborn. The length of the Holborn frontage of Nos. 246 to 251 accords well with the dimension required (35½ yards), and the identification of these houses with the property sold by Heron to Watson (B on accompanying plan) may be regarded as fairly certain.

In 1592 Heron sold a further portion of his property[26], the purchaser 6this time being Anne Carew.[27] This consisted of (i.) six messuages (C on plan) abutting north upon the lands and tenements of Master Watson (i.e. B), and south upon Heron’s garden; (ii.) a messuage in the occupation of Sir Thomas Gerrard,[28] abutting north on Heron’s garden and south on “the White Hart feilde”, (i.e., Purse Field, which was held with The White Hart); (iii.) the said garden and an orchard[29] lying together and containing three roods, the garden adjoining west on “the lands late Burcharde Crainck,” and the orchard towards the east, abutting on the messuage and garden of William Cook; and (iv.) the messuage and garden of Cook (H on plan) abutting south on Cup Field, on the north on a tenement of Mistress Buck, widow, and east on a garden late of Thomas Raynesford. In the light of (iii.) it is now possible to assign the Doughty property (afterwards Burrard Cranigh) to position A.

Plots A to F are thus roughly settled, but before leaving them it is necessary to trace further the history of F until its development by building. On the death of Anne Carew the property seems to have passed[30] to her son George, afterwards Baron Carew of Clopton and Earl of Totnes, and by him to have been bequeathed to Peter Apsley, grandson of his brother Peter. In 1640, John Apsley sold[31] to Daniel Thelwall and William Byerly, together with other adjacent property, a messuage with an orchard containing half an acre, “scituate over against the said messuage and extending from the way or path there to the feild side,” all formerly in the occupation of John Waldron. Of this William Whetstone held a lease, which he had obtained certainly before 1646[32], and in 1653 reference is made[33] to “all the newe buildings thereon erected.” It is most probable, therefore, that this was the scene of the building operations described in the Earl of Dorset’s report to the Privy Council on 11th December, 1636, when he complained that “one William Whetstone,” having lately erected five brick houses in 7Lincoln’s Inn Fields, without proper permission, had “for the better countenanceing of himselfe therein, and for the finishinge and mayntayneing the said buildings, counterfeited his Lopps hand, as also the hand of his Secre, frameing a false lycence,” etc. It having been decided that this was “a presumption of a high nature, and a fraud and offence not fitt to be passed by wthout exemplary punishment,” instructions were given for the demolition of the houses,[34] but it is not known whether this was actually done.

At any rate, Whetstone succeeded in stamping his name on the new thoroughfare which parted the property in High Holborn from that in the adjoining fields, though the western part was at first known as Phillips Rents. The Phillips in question was perhaps the John Phillips mentioned in a document[35] of 1672, as having lately been in occupation of a piece of land in the rear of Purse Rents, “being southward upon a way [i.e., Whetstone Park] leading from Partridge Alley towarde Great Queene Street.”

Notice must now be taken of another property of Heron, “parcell of the lands of the late dissolved Hospital of St. John of Jerusalem.” In 1586 he sold to John Buck[36] eight houses (seven with gardens attached) and one garden plot, the first house being described as “all that messuage or tenement with a garden and backsyde, now in the tenure, farme or occupacion of one Thomas Raynesford or his assignes.” The position of Raynesford’s messuage and garden is obviously J (see above) and as H is distinctly stated to be bounded on the north by a tenement of Mistress Buck,[37] the Buck property may be assigned to position G.

In October 1583, Heron had sold[38] to Anne Carew five houses with gardens, a garden with a little house, and three other gardens. The only information given as to the position of the property is that it was situated in St. Giles-in-the-Fields. It is, however, possible to locate it approximately. In 1634, Peter Apsley sold[39] to Sir John Banks, the attorney general, “all that messuage or tenement with appurtenances, scituate in High Holborne, in St. Giles, together with the court or yard lying on the south part of the said messuage, and the garden beyond the said court, extending to the feildes lying on the south of the said messuage, as the same is enclosed with a brick wall, and as the said premises were lately heretofore in the occupation of Sir John Cowper, Knt. and Bart. deceased, and formerly in the occupation of Sir Anthony Asheley, Knt. and Bart. deceased.” In 1661 Sir Ralph Banks sold[40] the house to William Goldsborough, and in 1716 Edward Goldsborough assigned[41] the remainder of a lease of 500 years 8granted in January, 1692, by Grace and Robert Goldsborough in respect of premises described as “all that messuage, tenement or inn, with appurtenances, scituate in High Holborne in St. Giles-in-the-Fields, known by the name of The George, together with a courtyard or backside lying on the south part thereof, and the peice of vacant ground or garden beyond the said court and belonging to the said messuage and extending to a certain street or place there called Whetstones Park, lying on the south side of the said messuage or inn.” There can be little doubt that the premises are identical with those described in the deed of 1634, and it may therefore be assumed that the Carew property included the site of The George, which a reference to Horwood’s Map of 1819 will show is now occupied by the eastern portion (No. 270) of the Inns of Court Hotel.

This identification is confirmed by the following. Sir Ralph Banks owned two other houses, one behind the other, adjoining Goldsborough’s house on the east, and these Goldsborough bought at the same time as he purchased his own house. In 1663, he sold them to Edmond Newcombe, and in the indenture[42] embodying the transaction they are described as being 40 feet broad and 160 feet long, and bounded on the east by “the house in which Firman now dwelleth.” In June, 1716, a mortgage was effected by Prescott Pennyston and Thomasin, his wife, of two messuages in High Holborn, adjoining the inn called The Unicorn. Thomasin was the daughter and heir of Elizabeth Hollinghurst, formerly Tompson, cousin and devisee of William Firmin. Now Unicorn Yard occupied a position corresponding approximately to the western half of the present No. 274 (the position is well shown on Horwood’s Map, though the numbering does not quite accord with that of the present day), and distant about 58 feet from No. 270. Assuming the two houses to be one behind the other, as was the case in Newcombe’s property, this leaves the 40 feet required for Newcombe’s house, and 18 feet for Firmin’s house, corresponding almost exactly with the old No. 274 shown by Horwood. The Carew property may therefore be assigned definitely to position K with a fixed eastern limit at No. 270. It has not proved possible to determine its frontage towards the west, and perhaps it did not extend as far as Raynesford’s house (J). It is, however, known that it included a tavern called The Three Feathers.[43] It seems a reasonable assumption that this was in the neighbourhood of Feathers Court, shown in Horwood’s Map as occupying much the same position as the present Holborn Place, but entering High Holborn somewhat further east. The Three Feathers would therefore correspond approximately to the present No. 263.

The adjoining properties (L and M) have already been referred to. The house (M) next to The Unicorn was in Elizabeth’s reign in the possession of John Miller, and in 1607 was described as “all that messuage, cottage, 9tenement or house with a forge,” in High Holborn, “reaching to a certeyne pasture adjoyninge to Lincolnes Inne on the south syde,” and bounded on the west by the house and land of John Thornton.[44] Beatrice Thornton, widow, is shown in the Subsidy Rolls as far back as 1588 as resident at or near this spot, and this circumstance is undoubtedly to be connected with the name of Thornton’s Alley, which was hereabouts.[45]

The premises (N), which in the early part of the seventeenth century comprised a single inn, The Unicorn, had in 1574 been purchased by Francis Johnson from John and Margaret Cowper, as three messuages and three gardens,[46] and are described in 1626[47] as having been “now longe since converted into one messuage or inn commonly called The Unicorne.” Apparently its use as an inn was of recent date, for in the description of (M), dated 1607, the eastern boundary of that property is said to be “a tenement in the occupation of John Larchin, baker,” and in 1629, when the premises had been re-divided into two, one is said to be[48] “now in the tenure of Mary Larchin, widdowe, and is now used by her as a common inne, and is called by the name or signe of The Unycorne.” The dimensions of the premises are given as 45 feet wide on the north, 40 feet on the south on Lincoln’s Inn Fields, and 156 feet long.

No records of the time of Elizabeth relating to property between The Unicorn and the house at the corner of Great Turnstile have, so far, been discovered. The latter (O), having a frontage to High Holborn of 39 feet, was certainly at the time in the possession of the same John Miller[49] who held the property (M).

10

XXIII-XXIV.—Nos. 3 and 4, GATE STREET.

Ground landlord.

The ground landlord of No. 3 is the London County Council.

General description and date of structure.

The area lying between Great Queen Street, Little Queen Street and Gate Street (the east to west portion of which street was formerly known as Princes Street) was originally a portion of Purse Field, the early history of which has already been detailed.[50]

On 27th May, 1639, William Newton sold to John Fortescue[51] “all that peece or parcell of ground, being part of Pursefeild and the pightells, designed for two messuages to be built thereon by the said John Fortescue, the foundations whereof be now laid.” The ground is described as measuring 50 feet 3 inches from north to south, and 127 feet from east to west. Between the ground and Princes Street (“a way leading upon a backgate of an Inn lately called The Falcon and Greyhound”) lay the houses (or their sites) of Lewis Richard and John Giffard, and a slip of ground afterwards bought by Arthur Newman, having widths of 25 feet, 25 feet and 8½ feet respectively[52]. From these measurements it can be shown that the ground sold to Fortescue was the site of what afterwards became Nos. 3 and 4, Gate Street. The indenture contained, in common with those relating to Richard’s and Giffard’s houses, a provision “that there doth and soe perpetually shall lye open from the front of the said messuage eastward, three score foote of assize, wherein there shall be noe building erected or builded by the said William Newton, his heirs ... or any other person or persons whatsoever, it being the principall motive of the said John Fortescue to purchase the estate and interest aforesaid, to have the said 60 foote in front to lye open for an open place from the front of the building, except 11 foote to be inclosed in before the house, and that there shal be noe buildinges erected at the south-east end of the said open place by the space of 30 foote, to take away the prospect of the greate fielde, otherwise than a fence wall, whether he, the said William Newton or his assignes, keepe the same in his or their owne hands, or doth or doe depart with it to any other.” It was also agreed “that there shall not at any tyme or tymes hereafter be erected or built any manner of building 11whatsoever” in the gardens of any of the four messuages[53] in question. These conditions, as will be seen, have been more than observed.

From the above it is clear that the foundations of the two houses had already been laid by 27th May, 1639, and the premises were accordingly probably completed by the end of the year. No exact date can be assigned to the rebuilding of the houses, but it seems probable that this took place about the middle of the 18th century. The carved mouldings of the joinery on the first floor of No. 3 are interesting, and details are given in Plate 7.

Condition of repair.

No. 4 was demolished about 1905. No. 3 has been much cut about, and is now used as a workshop.

Biographical notes.

The occupants of these two houses[54], up to the year 1800, so far as it has been possible to ascertain them, were as follows:—

No. 3.   No. 4.
1667. Richd. Sherbourne. 1659 until after 1675. Thomas Povey.
1675. Judge Twisden.
1683. Sir John Markham. 1683. “Jervas Perepont.”
Before 1708. Thomas Broomwhoerwood. 1708. John Partington.
1708–1732. Phineas Cheek. 1715. Mrs. Ann Partington.
1732–1735. J. Winstanley. 1723. William Thomson.
1735–1753. Phineas Cheek. From before 1730 until 1732. Mrs. Anne Thomson.
1755–1763. Wm. Mackworth Praed.
1763–1767. Dr. Jas. Walker.
1768–1772. William Hamilton. 1732–1736. Elizabeth Partington.
1773. Wm. Everard. 1736–1743. [55]Henry Perrin.
1774–1786. The Rev. Chas. Everard. 1744–1746. Thomas Smith.
1786–1792. The Rev. Chas. Booth. 1746–1748. R. Symonds.
1794–1800. Robert Kekewitch. 1749–1753. Joseph Martin.
    1753–1755. Thomas Western.
    1760–1794. Charles Catton.
    1795–1797. Messrs. Burton and Co.
    1798– Thomas Burton.

Sir Thomas Twisden, second son of Sir William Twisden, was born at East Peckham in 1602. In 1617 he was admitted to the Inner Temple, and called to the Bar in 1626. Although a staunch royalist, he prospered during the Commonwealth, and in 1653 was made serjeant at law. At the Restoration he was confirmed in this 12dignity, advanced to a puisne judgeship in the King’s Bench, and knighted. In 1664 he was created a baronet. He died in 1683.

Thomas Povey was the son of Justinian Povey, auditor of the exchequer and accountant general to Anne of Denmark. At the outbreak of the civil war he at first joined neither party, and published a treatise called The Moderator: expecting sudden Peace or certaine Ruine. In 1647, however, he entered the Long Parliament, and was subsequently appointed a member of the council for the colonies. At the Restoration he was taken into favour, and many lucrative appointments were bestowed on him. The dates of his birth and death are unknown. His residence in Gate Street, then known as Lincoln’s Inn Fields, seems to date from the latter part of 1658 or the very commencement of 1659. A letter from him is extant written from Lincoln’s Inn Fields, dated 9th February, 1658–9, while one dated 20th July, 1658 is written from “Graies Inn.”[56] Apparently he took the house on the occasion of his marriage, as in an undated letter, after mentioning certain family bereavements, he proceeds: “I was [thus] driven to meditat on a settlement of myself; and did therefore accept of such an oportunitie, as it pleased God about that time to offer mee, of adventuringe upon marriage, wch I have donn upon such grounds as you have all waies heretofore proposed to myself, my wife being a widdowe, about my own yeares, never having had a child; of a fortune capable of giving a reasonable assistance to mine, and of a humour privat and retired. Soe that I am now become a settled person in a house of my own in Lincolnes Inn Fields.”[57] His house was famous, and both Evelyn and Pepys have, in their diaries, left a description of it. The former thus records a visit paid by him on 1st July, 1664. “Went to see Mr. Povey’s elegant house in Lincoln’s Inn Fields, where the perspective in his court, painted by Streeter, is indeed excellent, with the vases in imitation of porphyry, and fountains; the inlaying of his closet; above all, his pretty cellar and ranging of his wine-bottles.” Pepys had been there a few weeks before, and under date of 29–30th May, 1664, writes: “Thence with Mr. Povy home to dinner; where extraordinary cheer. And after dinner up and down to see his house. And in a word, methinks, for his perspective upon his wall in his garden, and the springs rising up with the perspective in the little closet; his room floored above with woods of several colours, like but above the best cabinetwork I ever saw; his grotto and vault, with his bottles of wine, and a well therein to keep them cool; his furniture of all sorts; his bath at the top of his house, good pictures, and his manner of eating and drinking; do surpass all that ever I did see of one man in all my life.”

Charles Catton, the elder, was born in Norwich in 1728. He was apprenticed to a London coach painter, and attained eminence, not only in this branch of the profession, but as a painter of landscapes, cattle and subject pictures. He was appointed the king’s coach painter, and was one of the foundation members of the Royal Academy. He died in Judd Place, in 1798.

For a number of years (1776–1781) his son, Charles Catton, the younger, is shown in the Royal Academy Catalogues as residing at his father’s house in Gate Street. He was born in London in 1756, and acquired a certain reputation as a scene-painter and topographical draughtsman. He died in the United States in 1819.

In the Council’s collection are:—

Exterior of No. 3 and cross to the memory of Mr. Booker, 1837 (photograph).

[58]Joinery details on first floor of No. 3 (measured drawing).

The Ship Tavern, Gate Street—exterior, showing Little Turnstile (photograph).

Twyford Buildings—View of court in 1906 (photograph).

13

XXV.—HIGH HOLBORN, BETWEEN LITTLE TURNSTILE AND KINGSWAY.

In 1592 a Commission on Incroached Lands reported[59] the existence of certain property in St. Giles, held without any grant, state, or demise from the sovereign. On 29th August, 1609, James I. granted the whole of this to Robert Angell and John Walker. As the point is of importance, the description of the premises included in the grant is here given in some detail.[60]

“All that one messuage of ours with appurtenances in the tenure of Thomas Greene, and one cottage with appurtenances, with garden, in the tenure of Thomas Roberts, situated in the parish of St. Giles-in-the-Fields ... and all those four cottages with appurtenances lying and being on the south side of the public way leading from the said town called St. Giles-in-the-Fields towards Holborne ... and all those small cottages built within the small pightell called Pale Pingle, lying and being within the parish of St. Giles opposite the aforesaid cottages, namely, on the north side of the royal way between the town of St. Giles aforesaid ... and Holborne.”

In 1650 a survey[61] was made of certain property “late belonginge to Charles Stuart, late king of England,” and included therein were a number of premises, which extended along the south side of High Holborn for a distance of 234½ feet eastwards from Little Queen Street, and the easternmost house of which was The Falcon.

To the reversion in fee farm of this property a Mr. Gibbert laid claim, basing his pretensions on the identification of the property with certain of that included in the grant of James I. above referred to, and the surveyors reviewed at length his title, annexing a “plott of ye ground” (Plate 2). The conclusion to which they came was, that it was “clere and aparent” that Green’s messuage and Roberts’ cottage and garden, together with the four cottages opposite the Pale Pingle, were the tenements granted to Gibbert, and that these were “at the least 40tie pole” distant from the houses which he claimed. “Soe yt his clayme in those aforesaid houses is very unreasonable, false, imperfect and untrue. And wee, whose names are heerunto subscribed, shall (if Gibbert should bee so uncivell or shameles heereafter to lay clayme to them before yor honors) make it clerely appeare to the contrary if at any tyme required.”

In spite of this emphatic condemnation of the unfortunate Mr. Gibbert, there can be no doubt that the surveyors were wrong. They 14seem entirely to have overlooked the possibility that the houses of Green and Roberts were not adjacent to the four cottages opposite the Pale Pingle; in fact, a perusal of the royal grant is sufficient to make it reasonably certain that they were quite distinct. The matter is, however, capable of definite proof.

A fortnight after the grant by James I., Angell and Walker conveyed the whole of the property to Richard Reade and Henry Huddleston,[62] and they in turn, on 23rd November, 1610, sold it to John Lee.[63] In the indenture accompanying this sale the two first mentioned houses are described as “all that messuage or tenement with appurtenances, late in the tenure of one Thomas Greene ... now called the signe of The Falcon, also one messuage or tenement or cottage there late in the tenure of one Thomas Roberts.”

It is quite clear therefore that Gibbert was right in his contention, and that the premises extending from Little Queen Street up to and including The Falcon had had their origin in the house of Green and the cottage of Roberts, which had first been officially noticed in 1592. There is also evidence (see below) that the land included in the grant reached as far east as Little Turnstile.

With the above information it is possible to date the interesting plan (Plate 2) appended by the surveyors to their report. It will be apparent that this has almost exclusive reference to the property granted to Angell and Walker in 1609. Thus, there are shown the four cottages by the White Hart, opposite the Pale Pingle, the Pale Pingle itself, and the land extending from Little Turnstile to Little Queen Street, including Green’s premises, the only building which in the royal grant is dignified with the name of “house.” It is therefore suggested with confidence that the plan in question is a copy of the one appended to the grant of 1609. With this assumption the title “Queene streete,” given to the still unformed thoroughfare entering Purse Field is in entire accord.[64]

Immediately after or shortly before Lee’s purchase, additional buildings were erected, for on 11th December, 1610, he and Nicholas Hawley sold The Falcon to William Woodward,[65] “with all yards, wayes, waste groundes, stables and appurtenances,” excepting, however, from the sale “four little houses, cottages or tenements latelie builded on the west side of the Falcon yarde.” Moreover, in 1612–13, the same vendors sold to William Lane, junior, one messuage, two cottages, two gardens, and a rood of land with appurtenances in the parish of St. Giles.[66] As in 1661 the property immediately to the west of Little Turnstile is described 15as “now or late” in the possession of Mistress Lane,[67] it is practically certain that the land sold in 1612 was identical therewith, and Hollar’s plan of 1658 (Plate 3), which shows the area fully built on, indicates the development which had taken place in the course of the half century.

Building on the remaining portion of the land had also greatly increased.[68] The survey of 1650 contains a detailed description of the property, giving much interesting information as to the building materials, arrangement of the rooms, outhouses, etc. The following is a list of the premises. In most cases there were garrets in addition to the storeys mentioned.

The Falcon (2 storeys), and a house (3 storeys) in the rear. Frontage 15 feet. (Present No. 233.)

A house of three storeys. Frontage 33 feet. (Present No. 232 and site of New Turnstile.)

The King’s Head Inn (3 storeys), with an addition (2 storeys), a gateway, a smith’s shop with room, stables, sadler’s house, tenement of 2 storeys, shed and coachhouses, houses of office. Frontage 54 feet. (Present Nos. 229–231.)

Two small tenements lying in front of The King’s Head (3 storeys), a house (3 storeys), with small back addition. Frontage 19 feet.

A house (3 storeys), a garden with coach house and stable. Frontage 26 feet. (The site of these last two houses is now occupied by the Holborn Station of the Piccadilly tube railway.)

The Gate Tavern (3 storeys.) Special mention is made of the “very faire and spacious dyneinge room, 38 feet in length,” on the first floor. A bowling alley and gardens were in the rear. Frontage 38 feet. The site is occupied partly by the Holborn station and partly by Kingsway.

A house of 3 storeys, with a garden containing a small tenement of 2 storeys. Frontage 16 feet.

A similar house, with a garden containing a “small decayed tenement.” Frontage 16 feet.

A tenement of 2 storeys, with a shop on the ground floor, a back addition of 2 storeys. In the garden behind were two small tenements of 2 storeys. Frontage 17½ feet. The site of the three last mentioned houses is now covered by Kingsway.

It will be seen from the above that New Turnstile was not included in the original scheme for building. It is not shown in Morden and Lea’s Map of 1682, nor in the map accompanying Hatton’s New Guide to London of 1708, but appears in the sewer rate book for 1723.

16

XXVI.—No. 211, HIGH HOLBORN (Demolished).

General description and date of structure.

It is very difficult to say when the south side of High Holborn, between the sites of Kingsway and the Holborn Public Library, was first built upon. Perhaps, even in Elizabeth’s reign, there were some scattered buildings here, but certainly nothing like a continuous line of houses. There seem to have been no building operations on a large scale, until after the acquisition of the lease of Purse Field by Sir Charles Cornwallis, in 1613.[69] Cornwallis sub-leased certain portions of the Holborn frontage, extending south to the site of Parker Street, and on these portions houses had been erected before 1650. No records of the sub-leases have been found, but a part at least of the frontage to Holborn had been sub-leased before 1634. Two years previously Charles I. had confirmed a grant, made by his father to Trinity College, of six markets and twelve fairs for the building of their hall. The college sold to Henry Darell two markets and three fairs, and in August, 1634, the latter petitioned to be allowed to set these up in St. Giles on His Majesty’s inheritance.[70] This was granted on 15th December, 1634, a writ of Ad Quod Damnum issued, and on 10th March, 1634–5, an inquisition by a jury was held, from which it appears that the proposal was to hold the markets and fairs “in locis vocatis le pightells et Pursfeild.”[71] The project aroused keen opposition on the part of the Corporation of the City of London,[72] and in spite of its revival in 1637,[73] was eventually abandoned.

It is possible to identify the site of the proposed market, inasmuch as in 1650 the frontage to Holborn between Little Queen Street and Newton Street consisted of two “ranges” of buildings known as Shenton’s tenements and Dayrell’s buildings, and it is clear that the latter represent Henry Darell’s proposed market. Darell no doubt had already obtained his lease before applying for a grant for a market, but no houses would have been erected until after the failure of his scheme. It is known[74] that one of his plots were let on a building lease on 23rd November, 1639. The erection of buildings on this part of the Holborn frontage may therefore be assigned provisionally to the year 1640.

Shenton’s tenements consisted of six houses in High Holborn and five in Little Queen Street, extending 100 feet along the former and 115½ feet along the latter thoroughfare. Their site is therefore wholly covered by the Holborn Restaurant.

17The largest house, then in occupation of Mrs. Shenton herself, was the next but one to the corner, and is described in the survey of 1650 as “all that tenement built as aforesaid[75] ... consistinge of one kitchen, one hall, and one small larder, and adjoyninge one backside and one garden, with severall necessary houses therein built and standinge. And above stayres in the first story, one dyneinge roome with a balcony there, and one chamber and a closett there. And above stayres in the second story, two chambers with a closett there and two handsome garret roomes over the same.”

Dayrell’s buildings consisted of twelve houses in High Holborn, and five in Newton Street, and covered an area of 186 feet by 122 feet. They were, on the whole, much superior to Shenton’s tenements. The westernmost and largest house is described as “All yt spacious brick buildinge ... built with brick in a comely shape and very reguler, and consistinge of 5 stepps in ascent leadinge into an entry leadinge into a faire hall and parlour wth sellers underneath the same, divided very comodiously into a kitchen, a buttery and a larder. And above staires in the first story a very faire dyneinge roome well floored, seeled and lighted wth a belcony there on the streete side alsoe, wth said roome is very well adorned and set fourth wth a faire chimney peice and frames all of black marble, and on the same floore backwards one other faire chamber. And in the second story two faire chambers and a closett in one of them. And in the 3rd story two more faire chambers and a closett there, and over the same two faire garretes. Alsoe adjoyninge to the same one garden.”

The houses appear to have been of different sizes, for their rentals varied greatly, and this, combined with the fact that in subsequent rebuilding nine houses took the place of the original twelve in High Holborn, makes it impossible to identify the house which originally occupied the site of No. 211.

The house was perhaps rebuilt in the latter part of the 17th century.[76] A further rebuilding (perhaps the third) seems to have taken place in 1815, when the premises were re-leased by the Crown.[77]

Plate 8 shows an interesting shop front. The ornamental iron guards to the first floor windows are good specimens of wrought iron work.

The house was demolished in 1910.

In the Council’s collection is:—

[78]Shop front (photograph).

18

XXVII.—SMART’S BUILDINGS AND GOLDSMITH STREET.

At the time of the survey of 1650 Newton Street (i.e., the old Newton Street, north of the stream which crossed it where Macklin Street now joins, and separated it from Cross Lane), was fully built, and the remaining frontage of Purse Field to Holborn, between Newton Street and the site of the Holborn Public Library, was apparently occupied by nine houses, held by Thomas Farmer and Henry Alsopp, to whom Francis Cornwallis had assigned his lease so far as concerned that part of the field.

The yard, formerly Green Dragon Yard, at the side of the Holborn Public Library, marks the site of the ancient stream which formed the western boundary of Purse Field. The stream seems to have remained open in this part of its course until about 1650, as a deed dated 7th November in that year,[79] in view of the fact that Thomas Vaughan and his wife Elinor “are to be att greate cost and charges in the arching or otherwise covering over the sewer or wydraught under mencioned, by meanes whereof the inhabitants there adjacent shall not be annoyed as formerly they were thereby, as for divers other good considerations them hereunto moving,” provides that the said sewer “as the same is now severed, sett out and fenced, scituate ... on the backside of a messuage of the said Thomas Vaughan commonly called ... by the name or signe of The Greene Dragon” shall be demised to the Vaughans.

The land immediately to the west of the yard in question originally formed part of Rose Field, and was probably developed at the same time as the rest of that estate. In 1650, William Short, the owner of Rose Field, in conjunction with John De La Chambre, sold to Thomas Grover 4 messuages, 12 cottages, 12 gardens and one rood of land with appurtenances, in St. Giles.[80] The precise position of this property is not mentioned, but there does not seem to be much doubt that the premises are identical with, or a portion of, those which Grover sold to Edmond Medlicott in 1666,[81] and which consisted of 16 houses in Holborn, including the “messuage commonly known by the name or signe of The Harrow,” and also the “lane or alley called Wild boare Alley alias Harrow Alley, with all the severall messuages, tenements, edifices and void peice or plot of ground in the said alley.” The property is said to front upon Holborn on the north, and to have for its eastern boundary a way or passage leading from Holborn to the house and garden of Mr. Braithwait. The dimensions are given as: 19“In depth from north to south at the west end, one hundred fourscore and ten foote, and throughout the whole range and pile of buildings besides from north to south fower score and seven foote, and in breadth from east to west sixty and three foote.” The last figure is certainly wrong, for even if half of the sixteen houses in Holborn were lying behind the rest (as indeed was probably the case) this would only admit of an average frontage of 8 feet to a house. A probable emendation is “six score and three” which gives a 15 feet frontage to each house.

The land behind these premises, reached by the path along, and afterwards over, the stream, was leased by William Short in 1632 to Jeremiah Turpin for the remainder (20 years) of a term of 36 years,[82] and then consisted of garden ground upon which Turpin had recently built a house. It seems most probable that this[83] is the place referred to in the petition,[84] dated 17th June, 1630, of the inhabitants of High Holborn, calling attention to the fact that there was a dangerous and noisome passage between High Holborn and St. Giles Fields, by reason of a dead mud wall and certain old “housing,” which lately stood close to the same, where divers people had been murdered and robbed, and praying for leave for building to be erected thereon. In their report[85] on this petition, the Earls of Dorset and Carlisle refer to it as “concerning the building of Jeremy Turpin,” and recommend the granting of leave to build.

It may therefore be concluded that the house was built between 1630 and 1632. A full description[86] of the property as it was in 1640 is extant, and is interesting as giving an idea of the private gardens of that time. Reference is made, among other things, to the arbour formed of eight pine trees, the “sessamore” tree under the parlour window, 13 cherry trees against the brick wall on the east of the garden, 14 more round the grass plot, rows of gooseberry bushes, rose trees and “curran trees,” another arbour “set round about with sweete brier,” more cherry trees, pear, quince, plum and apple trees, a box plot planted with French and English flowers, six rosemary trees, one “apricock” tree and a mulberry tree.

The ground on which Smart’s Buildings and Goldsmith Street were erected at one time formed part of Bear Croft or Bear Close, so called, no doubt, because it was used as pasture land in connection with The Bear inn, on the south side of Broad Street, St. Giles.[87]

At about 1570 there were, immediately to the south of the White Hart property at the corner of Drury Lane, eight houses. The three most northerly abutted on the east upon “a close of grounde called the Bere 20Close, late belonging to Robert Wise, gentilman”[88]; while the five others, with the close itself (of 2½ acres) are described as “adjoynynge to the Quenes highe waye ... leadinge from Strande ... to thest end of the said towne of Saint Giles on the west parte, and abuttinge upon the close nowe our said soveraigne ladye the Quenes Majesties, called the Rose feilde, on thest and south partes, and abuttinge upon the messuage or tenemente nowe or late in the tenure of one William Braynsgrave,[89] and the tenement called The White Harte, late in the tenure ... of one Matthewe Bucke, and nowe in that of one Richarde Cockshoote, and the Quenes highe waye leadinge from Holborne towardes the est end of the said towne of Saint Gyles on the north part.”[90]

The boundary line between Bear Close and Rose Field is nowhere described. It is known, however,[91] that Rose Field reached as far north as the line bounding the rear of the buildings in Macklin Street, and there is reason to believe that this line marks the actual division between the two fields. As regards the eastern boundary a line starting from High Holborn between No. 191 and No. 192[92] and running along the western side of the southerly spur of Goldsmith Street, seems to fulfil all the conditions. It is not known what was the depth of the eight houses and gardens fringing Bear Close on the west, but allowing 60 feet, the area of Bear Close, defined as above, amounts to two acres. It is hardly possible, therefore, to limit its boundaries any further. It seems probable that the quadrangle shown in Agas’s map (Plate 1) at the north-east corner of Drury Lane was Bear Close, and it will be observed that, according to the map, the houses south of The White Hart stretched along the whole of the Drury Lane frontage of the close.

Bear Close formed a part of that portion of the property of the Hospital of St. Giles which, after the dissolution, came into the hands of Katherine Legh, afterwards Lady Mountjoy. With the five southernmost of the houses separating Bear Close from Drury Lane, and other property, it was purchased of the Mountjoys by George Harrison, from whom by various stages it came into the possession of James Mascall.[90] The latter died on 11th May, 1585,[93] leaving the whole of his property to his wife, Anne, who subsequently married John Vavasour. From her the whole of the property above mentioned[94] seems to have 21come into the hands of Olive Godman, younger daughter of James and Anne. A portion of this, including “all the ground or land lying on the backside of [certain] messuages towards the east, contayning two acres, now or late in the occupation of ... Thomas Burrage” was settled on her daughter, Frances, on the marriage of the latter with Francis Gerard in 1634.[95] There seems little doubt that the land in question was Bear Close.

It was apparently soon after this that the close was laid out for building, the planning taking the form of a cross, the long and cross beams being represented respectively by the present Goldsmith Street and Smart’s Buildings. The former street was, up to 1883, known as The Coal Yard, in consequence it is said, “of the place being used for the storage of fuel.”[96] The tale has a somewhat suspicious look. The fact, too, that “Mr. Francis Gerard,” the owner of Bear Close, and “Bassitt Cole, Esq.,” are found living in two adjoining houses in Drury Lane close by in 1646 rather suggests that “Cole Yard” is so called because of the name of its builder.[97]

The date at which Bear Close seems to have been built upon favours the above suggestion. The Hearth Tax Roll for 1666 gives 41 names which are apparently to be referred to Coal Yard, while Hollar’s Plan of 1658 shows the area by no means covered. The Subsidy Roll for 1646 gives only five names definitely in respect of “Cole Yard,” but there are 15 more which probably must be assigned thereto.

At some time before 1666 the eight houses fronting Drury Lane had given way to the present number of twelve. In the case of the four northernmost, this happened shortly after 1636, when a building lease of the sites of the houses was granted to Richard Brett.[98]

Built in the brick wall of an 18th-century tenement (No. 27, Goldsmith Street) was a stone tablet, dated 1671. The premises have lately been demolished, and at present the site is vacant.

Smart’s Buildings is a comparatively modern name for that part of Coal Yard which runs north into High Holborn. Hatton’s New View of London (1708) does not mention Smart’s Buildings, but refers to “Cole Yard” as “on the N.E. side of Drury Lane, near St. Giles’s, a passage into High Holbourn in 2 places”; Strype 22(1720) states that “the Coal Yard ... hath a turning passage into Holborn”; and Rocque’s Map of 1746 definitely names it “Cole Yard.”

In a deed of 1756[99] it is referred to as “the passage leading into the Coal Yard called Smart’s Buildings.” Which of the three Smarts, grandfather, father and son (William, Lewis and John), mentioned in the same deed, it was who gave his name to the street, there is nothing to show. No record of the purchase of the property by any person of the name has, so far, been discovered, but the deed of 1756 certainly suggests that the ownership of the houses on the eastern side of the passage originated with William, who is, moreover, described as “carpenter,”[100] and in that case would date from the beginning of the 18th century.

The Council’s collection contains:—

[101]No. 27, Goldsmith Street. Stone tablet in front wall (drawing).

Smart’s Buildings. General view of exterior (photograph).

23

XXVIII-XXIX. Nos. 181 and 172, HIGH HOLBORN (Demolished).

General description and date of structure.

The land at the eastern corner of Drury Lane and High Holborn may perhaps be, either wholly or in part, identified with certain land held of the Hospital of St. Giles by William Christmas in the reign of Henry III. “with the houses and appurtenances thereon, situate at the Cross by Aldewych.”[102] Aldewych was Drury Lane,[103] and the Cross by Aldewych would almost certainly be situated at the junction of the two roads. The identification of the western corner as the site of Christmas’s land seems to be excluded by the fact that this was occupied by property of John de Cruce,[104] who was certainly a contemporary of William Christmas.[105] It is possible that the land in question was situated on the north side of Broad Street, but as it is known that Christmas owned land on the south side of the way, some of which may even possibly be the actual land referred to, the identification suggested above seems reasonable. Whether in Christmas’s time there was at this spot an inn, the forerunner of the later White Hart, is unknown.[106] Blott’s suggestion that the sign of the White Hart was adopted in honour of Richard II., whose badge it was, even if correct, does not necessitate the assumption that no inn was there 24before that king’s reign (1377–1399). The sign might possibly have been changed in Richard’s honour.

The first mention of The White Hart does not, however, occur until a century and a half later. In 1537 Henry VIII. effected an exchange of property with the Master of Burton Lazars, as a result of which there passed into the royal hands “one messuage called The Whyte Harte, and eighteen acres of pasture [Purse Field] to the same messuage belonging.”[107] In 1524 “Katherine Smyth alias Katherine Clerke” was living in The White Hart.[108] She was apparently succeeded as tenant by William Hosyer,[109] but there is no evidence whether he actually resided in the inn.[110] In 1567 the occupant of the inn is said to be Matthew Buck, and in 1582 it was Richard Cockshott.[111] In 1623 Hugh Jones is mentioned as barber and victualler, at Holborn end, next Drury Lane.[112] The survey of Crown Lands taken in 1650 describes the premises as follows:—

“All that inn, messuage or tenement commonly called ... The White Harte scituate ... in St. Gyles in the feildes ... consistinge of one small hall, one parlour and one kitchen, one larder and a seller underneath the same, and above stayres in the same range, and over the gatehouse, 9 chambers. Alsoe over against the said halle and parlour is now settinge upp one bricke buildinge consistinge of 6 roomes, alsoe one stable strongly built with brick and fflemish walle, contayninge 44 feete in length and 37 feete in breadth, lofted over and covered with Dutch tyle; and two other stables next adjoyninge, built as aforesaid, and 2 tenements or dwelling houses over the same. Alsoe one large yard contayninge 110 feete in length and in breadth 46 feete. Now in the occupation of one Anthony Ives, and is worth per annum

£38.

“All yt tenement adjoyninge to ye north side of the abovesaid house, being a corner shopp, consisting of one seller and a faire shopp 25over the same; alsoe one kitchin, and above stayres two chambers. Nowe in the occupation of Richard Raynbowe, a grocer, and is worth per annum

£12.”

It would seem that at the time of the transfer of The White Hart to Henry VIII. there were no buildings to the east of the inn. The fact that no such premises are mentioned in connection with the exchange is not, indeed, conclusive, and it is more to the point to observe that no mention of the buildings is contained in any of the grants of the property, during the 16th century, which have been examined. Moreover, on 13th November, 1592, a certificate was returned by the Commission for Incroached Lands, etc.,[113] to the effect that four cottages, with appurtenances, on the south side of the highway leading from St. Giles towards Holborn, opposite certain small cottages built on the Pale Pingle,[114] were possessed without any grant, state or demise from the sovereign. Plate 2 shows the cottages in question, occupying the site of the buildings to the east of The White Hart.

It may be taken therefore that these four cottages were the earliest buildings on the site, and that they were erected probably not long before 1592, when their existence was first officially noticed.

By 1650 they had grown to a long range of buildings. In that year they were described as follows:—

“All that range of buildinge adjoyninge to thaforesaid inn called The White Hart, abuttinge on the high way on the north, with two tenements on the south side of The White Hart, lyenge uppon the way leadinge into Drury Lane, all which said buildings are now divided into xxj severall habitacions in the occupation of severall tenants, and are worth per annum £24.”

The whole property, including The White Hart, the courtyards and gardens, is said to “contayne in length from Drury Lane downe to the first [tenement] 96 feete, and in breadth 76 feete; the other length backward from the stables to the lower side of the garden 125 feete and 93 feete in breadth, bounded with the highway leadinge from St. Gyles into Holburne on the north and Drury Lane on the west.” The entire site therefore had a length of 221 feet, and a width of 76 feet along Drury Lane, increasing to 93 feet behind the inn. Allowing for the subsequent widening of High Holborn at this point, it is clear that the area is represented at the present day by the sites of the houses from the corner as far as and including No. 181, High Holborn, while the southern boundary runs to the north of Nos. 190–191, Drury Lane, then turns to the south a little beyond the eastern boundary of those premises, and thence runs in a slightly curved line as far as the eastern boundary of No. 181, High Holborn.[115]

26A reference to the map in Strype’s edition of Stow (Plate 5) will show that in the 18th century both High Holborn and Drury Lane were very narrow at this spot. Moreover, in course of time, the large courtyard of the inn became used as a public way, and grew crowded with small tenements. In 1807 the leases of the property expired, and an arrangement was come to between the Vestry of St. Giles and the Crown, by which the latter and its lessees gave up sufficient land to enable the frontage line both to High Holborn and Drury Lane to be amended, with the result that the west end of the former and the north end of the latter were widened by 15 feet and 7 feet respectively. On its part the Vestry consented to the stopping up of White Hart yard and the building thereon of the Crown lessees’ new premises.[116]

Two of the houses, Nos. 181 and 172, erected in accordance with the arrangement, are illustrated in this volume.

Plate 9 shows the distinctive early 19th-century shop front, which was attached to No. 181. The design embodied a large, slightly bowed window with segmental head, flanked by two doorways. The window was fitted with small panes of glass, having bars forming interlacing segmental panes above the transom. The doors were of quiet and refined design, with excellently treated side posts, having brackets, carved with acanthus ornament, supporting the entablature. The whole exhibits a distinctly Greek feeling.

Another interesting early 19th-century shop front existed at No. 172, and is illustrated on Plate 10. The door to the house and that to the shop adjoined one another in this case, and were slightly recessed. The rounded angles to the window added interest to the design. The general treatment, though simple, possessed much distinction.

Both houses have recently been demolished.

In the Council’s collection are:—

No. 181. General view of premises (photograph).

[117]No. 181. Shop front (photograph).

[117]No. 172. Shop front (photograph).

27

XXX.—SITE OF ROSE FIELD (MACKLIN STREET, SHELTON STREET, NEWTON STREET (PART), AND PARKER STREET (PART)).

Macklin Street (formerly Lewknor’s Lane), Shelton Street (formerly St. Thomas’s Street, afterwards King Street), the lower end of Newton Street (formerly much narrower and known as Cross Street) and the greater portion of Parker Street, have all been formed on the site of Rose Field, a pasture of a reputed area of six acres, attached to The Rose inn.

From particulars given in various deeds it is clear that the field’s western and eastern boundaries respectively were Drury Lane and the stream[118] dividing it from Purse Field, and that its southern boundary ran 50 feet to the south of Parker Street. As regards its northern boundary, however, there is some uncertainty. The facts, so far as they have been ascertained, are as follows.

The houses on the north side of Macklin Street were entirely in Rose Field, as also were three houses in Drury Lane, north of Macklin Street,[119] and the line bounding the rear of the Macklin Street property certainly coincides, at least for a portion of its length, with the boundary of that part of Rose Field leased to Thomas Burton.[120] It may therefore be regarded as certain that at least for a portion of its length this line represents the northern boundary of Rose Field. Probably this is true as regards its whole length as far as Goldsmith Street, which seems to be the point at which it turned northwards.[121]

The first reference to Rose Field (though not under that name) which has been found, occurs in the deed concerning the exchange which Henry VIII., in 1537, effected with the Hospital of Burton Lazars. According to this, part of the property transferred to the Crown consisted of “one messuage, called The Rose, and one pasture to the same messuage belonging.”

In the following year the king leased the inn and pasture to George 28Sutton and Ralph Martin.[122] In 1566 the property was leased to John Walgrave for 21 years as from Michaelmas, 1574; in 1580 to George Buck for 21 years, as from Michaelmas, 1595; and on 27th October, 1597, was, together with other property, granted by Elizabeth in perpetuity to Robert Bowes and Robert Milner, at a rent of £3 6s. 8d. Two days afterwards Milner sold it to James White, of London, silk weaver, and on 19th January, 1599–1600, the latter in turn parted with it to William Short.[123] Half a century later, William Short the younger took advantage of the sale of the Fee Farm Rents during the Commonwealth to redeem his rent for £29 12s. 6d.[124]

Before continuing the history of Rose Field, it may not be out of place to consider where The Rose inn, from which the field derived its name, was situated.

Parton[125] quotes a deed, dated 1667, referring to the sale by Edward Tooke to Luke Miller, of two tenements, situated in Lewknor’s Lane, “which said two tenements doe abutt on the tenement formerly known by the sign of The Rose, late in the tenure of Walter Gibbons,” and draws the inference that the inn was “on the south side of Holborn, not far eastward from The White Hart.” It is, however, doubtful if “the tenement formerly known by the sign of The Rose” was The Rose of Rose Field; for when, ten years previously, William Short had sold to Edward Tooke the first 21 houses on the north side of Lewknor’s Lane, which must have included the two tenements subsequently sold by Tooke to Miller, Walter Gibbons was in occupation of the twelfth house. It is therefore most probable that The Rose in question was a house in Lewknor’s Lane, and not The Rose of Rose Field at all.

As a matter of fact, the latter is almost certainly to be identified with the inn of that name situated on the north side of Broad Street. In 1670 this inn was in possession of Sarah Hooper, widow of William Hooper, and the latter’s son Benjamin, and is described in a deed[126], dated 2nd November in that year, as “all that messuage or tenement and brewhouse, with appurtenances, called The Rose, and all stables, maulting roomes, yardes, backsides, etc.” On 26th March, 1723–4, Benjamin Hooper granted[127] “all that messuage or tenement and brewhouse, with the appurtenances, called The Rose Brewhouse, scituate in St. Giles-in-the-Fields, now 29or late in the tenure of Samuel Hellier, Anthony Elmes, and Charles Hall, some or one of them, and all stables, malting houses, yards, backsides, ways, passages, etc.,” to his two daughters, Jane Edmonds and Sarah Mee. The sewer ratebook for 1718 shows “Mr. Anthony Elmes” at a house in Broad Street close to Bow Street (now Museum Street) corner,[128] and thus the site of The Rose can be roughly identified.[129]

The necessary connection between the Hoopers and William Short, who owned The Rose of Rose Field, seems to be supplied by an entry in the Feet of Fines, dated 1640, concerning a purchase from the latter by William Hooper of a messuage and one stable with appurtenances in St. Giles-in-the-Fields.[130]

To return now to the history of Rose Field. William Short does not appear to have taken any steps to develop the property for 15 years. On 28th July, 1615, however, he leased to Walter Burton the southern portion of the field.[131] From particulars obtained from a number of deeds it is known that the ground in question extended 50 feet on either side of Parker Street, i.e., from the southern boundary of the field as far north as the site of the garden afterwards in the occupation of John Fotherly.[132] Whether the lease actually included the site of the garden, it is not possible to say with certainty.

On 5th December, 1615, Short leased to Thomas Burton the portion to the north of the garden, “the said parcell ... being mencioned in the said indenture to abutt east on the lands of Sir Charles Cornwallis, Knt. [i.e., Purse Field], west upon Drury Lane aforesaid, north upon the common sewer[133] which then divided the same from other lands of the said William 30Short then also in the occupation of the said Thomas Burton,[134] and south upon the lands of the said William Short lately demised to the said Walter Burton; and therein mencioned to conteyne in breadth from north to south on the west end that did abutt on Drury Lane 233 feete, and at the east end thereof in breadth from north to south 80 feete, and in length from east to west, viz., from the Cornwallis lands on the east to Drury Lane on the west 719 feete.”[135]

The earliest mention of Lewknor’s Lane which has been discovered is in an entry in the Privy Council Register[136] for 27th January, 1633–4, dealing with the case of Richard Harris, the owner of four houses “in Lewkner’s Lane, backside of Drury Lane.” Harris explained that he obtained the houses by purchase, and that they had been built six years. This takes the date of at least some of the houses in the street back to 1627 or 1628, and the fact that the street is not mentioned in the Subsidy Roll for the latter year makes it probable that these four houses were among the first built.

The usual reason given for the name of the street (afterwards corrupted to Lutenor, Newtenor) is that it was formed on the site of the house and grounds of Sir Lewis Lewknor. It is known that Lewknor was living in Drury Lane in 1620 and 1623[137] and the position of his name in the Subsidy Roll for the latter year points to his house having been in about the position suggested.[138] There is no evidence, however, that the house was built before 1615, when the land was leased to Burton, and it does not seem likely, therefore, that it would be pulled down by 1628.

The name of the street was subsequently changed to Charles Street, and again altered to Macklin Street in 1878.

Shelton Street does not date back so far as the remaining streets formed on Rose Field. As late as 1665,[139] when Lewknor’s Lane and Parker’s Lane had long been laid out, the houses on the north side of the latter were 31described as reaching to the garden “now or late” in the occupation of John Fotherly. In a deed of 1650[140] the garden is said to be “now in the occupation of the Lady Vere,” and a short time before it had been in the tenure of Sir John Cotton.[141] The street was formed before 1682, it being shown in Morden and Lea’s Map of that date, and was at first known as St. Thomas’s Street. In 1765 the name was changed to King Street, probably out of compliment to Joseph King, who took a lease of a large portion of the property in the street about that date.[142] Formerly in the flank wall of No. 166, Drury Lane, was a stone tablet bearing the inscription “King Street. 1765.” In 1877 the street received the name of Shelton Street, and, with the carrying out of the Shelton Street housing scheme by the London County Council was almost entirely swept out of existence between 1889 and 1892.

The earliest reference to Parker Street (formerly Parker’s Lane) so far discovered, belongs to February,[143] 1620, when mention was made of “a way or passage of twenty feet broad, lately marked out by the said Walter Burton, leading from Drury Lane to and through the ground of the said Sir Charles Cornwallis, knight, towards Holborn.”[144] The “marking out” of Parker Street took place therefore between July, 1615, and February, 1620. There seems great probability that the street owed its name, as suggested by Parton,[145] to Philip Parker, who certainly had a share in building 32the houses there.[146] That he actually held ground in the neighbourhood of Parker Street is evident from the terms of Burton’s lease to Edlyn of 1620, when, in granting his own interest in the land on the south side of Parker Street for a space of 520 feet westwards from the Rose Field boundary, he adds: “and the said Thomas Burton grants to Edmund Edlyn all the interest, right, claim or demand which he hath or ought to have in and to that piece of ground holden by Philip Parker.” In the Subsidy Rolls for 1620–21 and 1618–9, Philip Parker is shown as residing in Drury Lane, perhaps the house (the third on the east side, north of Parker Street) where William Parker was living in 1646.[147]

The Council’s collection contains:—

[148] No. 166, Drury Lane. Stone tablet (drawing).

33

XXXI.—No. 18, PARKER STREET.

Ground Landlord.

Name unobtained.

General description and date of structure.

No. 18, Parker Street seems to have been rebuilt in 1774.[149]

Plate 11 shows a typical ground floor front of an 18th-century tenement in this parish. The window was probably provided with stout shuttering for protection.

Condition of repair.

The house is in fair repair.

The Council’s collection contains:—

[150]No. 18, Parker Street. Exterior of ground floor (photograph).

No. 46, Parker Street. Exterior view, brick and weather boarded structure (photograph).

No. 58, Parker Street. Exterior showing timber bay window (photograph).

34

XXXII.—GREAT QUEEN STREET (General.)

The eastern part of Great Queen Street was formed upon Purse Field, but the western and larger portion, together with Wild Street and Kemble Street, occupies the site of the field known in Elizabethan times as Aldwych Close. The boundaries of this close, which had a reputed area of eight acres, were in the year 1567 described[151] as “the close nowe the quenes majesties called Dalcona Close[152] on the easte parte, ... the lane leading frome the Strond towardes the towne of Saynt Gyles aforesaid of the west parte, ... the close of Sir Willm. Hollys and the gardyn belonginge to Drurye House of the southe parte, and the close nowe the Quenes Majesties called the Rosefelde on the north parte.” Of these boundaries the northern is represented by the line dividing the houses on the south side of Parker Street from those on the north side of Great Queen Street,[153] and the eastern by the line of the court between Nos. 6 and 7, Great Queen Street, continued to meet Sardinia Place,[154] while the southern corresponds with the old parish boundary.

Aldwych Close was included in that part of the property of the Hospital of St. Giles which eventually came into the hands of Lord Mountjoy, through his wife, Katherine, daughter of Sir Thomas Legh.[155] On 20th January, 1566–7, it was purchased of the Mountjoys by Richard Holford, who was at the time actually in occupation of the field.[151] Holford died on 12th January, 1569–70, leaving the property to his son Henry, then aged 20,[156] during whose ownership the field began to be cut up for building. In 1600 only two houses were in existence on the close.[157] At about this time Holford began to mark out the close and let portions on lease for building. There is no complete record of these leases, but the largest transaction 35of the kind was effected on 28th April, 1607, when Holford granted to Walter Burton, who has already been mentioned in connection with the development of Rose Field, a lease, for 51 years from the previous Christmas, of “that peece or parcell of grounde latlie taken out of the north side of the close of the said Henry Holford called Oldwych Close ... as the same ys severed and divided ffrom the residue of the same close with a pale latelie erected, and all that mesuage or tenemente latelie erected uppon a parte of the said peece or parcell off ground by one Henry Seagood, and nowe in the occupacion of the said Henry Seagood, and alsoe twoe other mesuages or teñts with the gardens, backsides, and garden plottes to the same adioyninge or belongeinge in the tenure or occupacion of Humfrey Grey or his assignees scituate on the west parte of Oldwych Close aforesaid, and lately alsoe enclosed out of the said close.... And alsoe all that other peece or parcell of ground which was then agreed and staked out to be enclosed of and from the west side of the said close ... next adioyninge unto Drewrie Lane.... By the name of three mesuages and three acres of pasture with the appurtenances.”[158]

The three messuages in question can easily be identified. Henry Seagood’s house occupied the site of Nos. 36–37, Great Queen Street,[159] and the houses of Humphrey Grey (which no doubt were the two houses in existence in 1600) are identified later[160] as The White Horse, in Drury Lane, opposite Long Acre, and another house (divided between 1635 and 1658 into two houses) adjoining it on the north. The “three acres of pasture” was the remaining portion of the triangular piece of ground now bounded by Drury Lane, Wild Street and Kemble Street.[161]

From the foregoing it will be evident that by the year 1607 there were the merest beginnings of building on the Drury Lane frontage of the close. The first two streets to be formed were those now known as Kemble Street and Great Queen Street, the former being probably an old public way leading across Aldwych Close and Purse Field to Holborn, the route of which was afterwards marked by the archway on the west side of Lincoln’s Inn Fields, and the latter being in its origin a royal private way through the fields,[162] used as the route to 36Theobalds, in Hertfordshire, James I.’s favourite residence. Kingsgate Street (formerly existing nearly opposite the northern termination of Kingsway), where there were two gates[163] into the fields on either side of Holborn (see Plate 2), and Theobald’s Road mark the continuation of the royal way. There was also at first probably a gate[164] at the street’s western entrance,[165] which was very narrow, and the first mention we have of the street seems to refer to this. In a petition to the Earl of Salisbury, undated, but evidently belonging to the period 1605–1612,[166] the “inhabitantes of the dwellinges at the newe gate neere Drewry Lane” state that they have petitioned the Queen (obviously Anne of Denmark, the consort of James I.) “to gyve a name unto that place,” and have been referred to him; they therefore request him to give it a name on her behalf.

It seems reasonable to conclude that it was as the result of this application that the name “Queen Street” (or “Queen’s Street”)[167] was given to the thoroughfare. Blott, indeed, states this as a fact, but no entry in confirmation has been found in the Domestic State Papers. Assuming, therefore, that the petition above mentioned had reference to this street, and having regard to the probability, amounting to practical certainty, that the plan of Purse Field reproduced in Plate 2 dates from 1609,[168] it follows that the title “Queen Street” must have been given during the period 1605–1609. The name “Great Queen Street” used 37to distinguish it from “Little Queen Street” does not seem to have been in common use until about 1670.[169]

The earliest buildings erected in Great Queen Street were, contrary to the usual statements made in the matter,[170] on the north side of the street. The dates at which this took place cannot, unfortunately, be determined with certainty. Clanricarde House was in existence in 1604.[171] Henry Seagood’s house (occupying the site of Nos. 36–37) was built before April, 1607.[172] The site of Nos. 38–45, which in 1597 contained only a forge, was built on by May, 1612.[173] The site of Nos. 7–13 was leased for building purposes to Thomas Burton on 7th May, 1611. These facts, fragmentary though they are, seem to point to the north side of the street, so far as it was situated in Aldwych Close, being built during the period 1603–1612.[174] In this connection it is interesting to note the statement made, on unknown authority, by Dobie,[175] that the house on the south side of the street in which Lord Herbert of Cherbury died[176] was “one of the fifteen built in the third year of James I. (1603).” The third year of James I. was actually 1605–6, but it is quite certain that no houses were built on the south side of Great Queen Street for over thirty years afterwards. The date seems, however, to fit in well with the facts concerning the north side of the street.

38

XXXIII.—No. 2, GREAT QUEEN STREET (Demolished).

General description and date of structure.

The eastern portion of Great Queen Street, comprising the sites of Nos. 1 to 6 on the north side, and of all the houses above No. 69 on the south side, was formed on Purse Field.

On 30th July, 1638, Newton leased to William Sandfield a portion of the ground, on which at some time subsequently, but before January, 1640, a house was built. On 29th March, 1642, the property is described[177] as a plot of ground having a breadth of 26 feet at the north end, and 25 feet at the south, and a length of 76 feet on the east side, and 81 feet on the west; “scituate at the east end of Queene Street, on the north side of it, between the highway there leading to the Kinges Gate on the east, a certen lane called Parker’s Lane on the north, and the King’s highway leading into Queene Street on the south.” This is easily identifiable with the site of No. 1, Great Queen Street, and other property in the rear.

On 14th January, 1639–40, Newton sold to Francis Thriscrosse[178] a plot of ground having a breadth of 23 feet 4 inches at the north end, and 22½ feet at the south, and a length of 81 feet on the east side and 86 feet on the west, “and abutteth east upon a peece of ground and the house thereon built let to William Sandfeild,” Parker’s Lane on the north, and the King’s highway on the south. On this plot a house had been erected, representing No. 2, Great Queen Street. Similarly it may be proved that the site of No. 3 had been built on by Richard Webb by August, 1639.[179] As regards Nos. 4 to 6, no sufficiently early deeds have come to light to enable the date of building to be ascertained, but it is probable that all were built about the same time.

It would seem that these six houses were superior to most of the others erected on the north side of the street. Such is certainly the impression derived from Hollar’s Plan of 1658 (Plate 3). Moreover, Bagford, after alluding to the stateliness and magnificence of the houses on the south side, goes on to say: “At ye other side of ye way, near Little Queen Street, they began after ye same manner with flower de lices on ye wall, but went no further.”[180]

The original buildings on the site of Nos. 1 and 2 were pulled down about 1735, for a deed dated 7th February in that year, referring to the 39site, describes it as “all that toft, peice or parcell of ground, scituate in Great Queen Street on the north side of the same street, and extending itself from Queen Street to Parker’s Lane, together with the old ruinous messuage or tenement and the coach house, stable, and other erections and buildings thereupon standing.”[181] Moreover in the sewer ratebook for 1734, there is a note against the house: “Pulled down and rebuilt.”

The second building on the site of No. 2 was demolished in connection with the formation of Kingsway. The front had little architectural merit, judging from a water colour drawing by T. H. Shepherd, dated 1851, now in the Crace Collection.[182]

The interior had a notable mahogany staircase (Plates 12 and 13) of six flights, the four lower ones having carved brackets, while the upper part had straight strings more simply treated.

The beautiful balustrade and decorative details were preserved by the London County Council when the house was pulled down, and have been lent to and exhibited at the London Museum.

Biographical notes.

The indications as to who exactly were the occupants of particular houses on the north side of Great Queen Street during the 17th century are not always very clear, and the following list of persons occupying No. 2 is perhaps occasionally during the period named open to suspicion:—

1646. Sir M. Lumley[183] (?)
Before 1664 to after 1675. Matthew Hewitt.
Before 1683 to 1700. Henry Moreland.
1700 to after 1720. Samuel Knapton.
1727. Susan Knapton.
1734–75. John Crofts.
1784– Poyser Roper.

Sir Martin Lumley, of Bardfield Magna, Essex, son of Sir Martin Lumley or Lomley, Lord Mayor of London (1623–4), was born about 1596. He was sheriff of Essex, 1639–40; and was M.P. for that county in the Long Parliament, from February 1641, until secluded in December, 1648. He was created a Baronet on 8th January, 1641, being knighted at Whitehall on the day following. He died about 1651.[184]

In the Council’s collection are:—

[185]Mahogany staircase, ground to second floor, and second to third floor (measured drawing).

[185]Mahogany staircase, do., do., details (measured drawing).

40

XXXIV.–XXXVI.—Nos. 26 to 28, GREAT QUEEN STREET.

Ground landlord.

The names of the ground landlords of Nos. 27 and 28 have not been obtained.

General description and date of structure.

The date of erection of the original houses on the sites of Nos. 26 to 35 is uncertain. The Subsidy Roll for 1628–9, however, among its few (12) entries relating to Queen Street, contains the names of three persons[186] who are known to have lived in this row, and that for 1620–21 contains one;[187] it is therefore fairly certain that the houses on the site of Nos. 26 to 35 were already in existence by the latter date.

The ground on which they stood had, it is known, been let on building lease for a term expiring at Christmas, 1657, and it seems more than likely that the lease in question was that granted to Walter Burton on 28th April, 1607. It will be noticed[188] that a part of that grant comprised a piece of ground taken out of the north side of the close, and Henry Seagood’s messuage erected on a part of that piece. Now Seagood’s house occupied the site of Nos. 36–37[189], and the piece of ground alluded to above certainly did not extend to the west of Seagood’s house, as that property (the site of Nos. 38 to 45) had already been disposed of by Holford. It seems, therefore, probable that it included the ground to the east of the house, thus taking in the site of Nos. 26 to 35.

The earliest description of the property which has been found is dated 30th May 1661,[190] where, evidently repeating the account given in the lease of 1636 (when it was let for 51 years as from 27th December, 411657) it is referred to as “all those severall messuages or tenements ... with their appurtenances, scituate, lying and being on the north side of ... Queene Street ... now or late in the several tenures of [here 13 names are given]; abutting upon a messuage or tenement now or late in the tenure ... of John Sparkes, his assigne or assignes, on the east, and on a messuage or tenement, now or late in the tenure of one Henry Seagood, his assigne or assignes, on the west part, and the said Queene Street on the south ...; all which said messuages ... conteyne in length from east to west 180 feet ... and in breadth from north to south 60 feet.” It is clear from the entries in the ratebooks that the original houses on the sites of Nos. 27 and 28 were pulled down between 1723 and 1734, a period which agrees perfectly with the evidence of the dates on the cisterns mentioned below.

The present houses have three floors in addition to a basement and an attic storey. The fronts are treated in brickwork. No. 27 contains an ornamental cast lead cistern (Plate 15) dated 1733, and in No. 26 is a cistern of somewhat similar design, bearing the initials B.B. and the date 1725. On the latter house is a cast lead rain-water head illustrated on Plate 15.

The only external features of interest are the two doorcases, side by side, which are of deal with Roman Doric pilasters, block entablatures and pediments. The doorways are recessed, and have elliptical arches, enclosing fanlights, as shown by the measured drawing (Plate 14).

The staircase of No. 27 has the original carved brackets. That of No. 28 is modern.

DEAL STAIR BRACKET TO OUTER STRING TO No. 27 GT. QUEEN ST.

Condition of repair.

No. 26 has been demolished. Nos. 27 and 28 are in good repair.

The Council’s collection contains:—

[191]Entrance doorcases to Nos. 27 and 28 (measured drawing).

Entrance doorcases to Nos. 27 and 28 (photograph).

[191]Ornamental cast lead cistern, No. 27 (measured drawing).

[191]Ornamental cast lead cistern, No. 26 (measured drawing).

[191]Carved deal stair bracket (measured drawing).

[191]Cast lead rain-water head, No. 26 (with others) (measured drawing).

42

XXXVII.—Nos. 55 and 56, GREAT QUEEN STREET.

Ground landlords.

The United Grand Lodge of Antient Free and Accepted Masons of England.

General description and date of structure.

The largest of the three sections into which Aldwych Close was divided, when roads were formed thereon, was that lying to the south of Great Queen Street, and east of Wild Street. In 1618[192] Henry Holford leased to John Ittery the southern portion of this section, and on 13th August, 1629, Richard Holford sold the remainder to Sir William Cawley and George Strode in trust for Sir Edward Stradling and Sir Kenelm Digby.[193] A wall was erected parallel to Great Queen Street, and distant from it 197 feet, dividing Stradling’s part from Digby’s. The later history of Stradling’s portion, lying to the south of the dividing wall, is dealt with later.[194] Here we are concerned with that in the ownership of Sir Kenelm Digby, forming the site of the houses and gardens on the south side of Great Queen Street as far as Aldwych Close extended. The ground in question (including that purchased by Sir Edward Stradling) is described on 13th August, 1629, as “late in the tenure of Richard Brett and John Parker,”[195] and a petition of the inhabitants of the district, dated[196] 1st September, 1629, states that Parker and Brett had “divers times attempted to build on a little close called Old Witch, which has always lain open, free to all persons to walk therein, and sweet and wholesome for the King and his servants to pass towards Theobalds.” It is further alleged that Parker and Brett had been imprisoned for these attempts, “but now they have pulled down the bridges and stiles, and carried great store of bricks thither, and give forth threatening speeches that they will go forward.” The petitioners asked that the proposed buildings might be stopped, and expressed their willingness to take a lease of the close and plant trees.

43Parker and Brett seem in this latest instance to have been merely acting for Sir Kenelm Digby, for the report[197] of the Commissioners for Buildings, made only nine days later, definitely mentions the latter as the person desirous of building. The Commissioners expressed themselves as adverse to Digby’s proposal, which for a time dropped.

On 27th March, 1630, both Digby and Stradling petitioned for a licence for each “to build a house with stables and coach houses in Old Witch Close.” The Attorney-General was instructed to draw the licence, but although Stradling in due course built his mansion[198], there is no evidence that Digby ever availed himself of the permission.

The ground seems to have been used as a garden[199] until 1635. On 13th April in that year Digby sold it to William Newton for building purposes. No licence to Newton to build can be traced, but on 7th May, 1636, one was granted to Sir Robert Dalyell,[200] who probably assigned it to Newton. From that document[201] it appears that the intention was to build “14 faire dwelling houses or tenementes to conteyne in front one with another neere 40 (fortie) feete a peice fitt for the habitacon of able men.” Permission to build that number of houses “to front only towardes Queene’s Streete” was granted, as well as “twelve coach howses and stables in some remote part of the said ground,” all to be built of brick or stone, “according to the true intent and meaning of our Proclamations in that behalfe published.”

Signature of William Newton.

Newton seems to have taken care that the houses erected on that part of Great Queen Street which was on the site of Purse Field should conform generally to the style of those built in accordance with the above-mentioned licence on the site of Aldwych Close[202]. The houses as a whole occupied 13 ground plots, having a total frontage of about 628 feet, and a depth of 200 feet. Their general character was the same throughout; the main cornices and front roofs were continuous, but the pilasters were so arranged as to indicate the separate buildings without the usual expedient 44of placing a pilaster partly on one plot and partly on another.[203] On the middle house was placed a statue of Charles I.’s Queen, Henrietta Maria. It has already been noticed[204] that Newton a few years later adorned the central house in Lincoln’s Inn Fields with a crowned female bust, and there can be no doubt that this was also in honour of the Queen.

Various statements have been made as to the designer of the houses on the south side of Great Queen Street. Horace Walpole, in his Anecdotes of Painting[205] writes as follows: “Vertue says that Mr. Mills, one of the four surveyors appointed after the fire of London, built the large houses in Queen Street, Lincoln’s Inn Fields, but this must be a mistake, as we have seen in the preceding volume that Gerbier, a contemporary, and rival, ascribed them to Webb.” It is known[206] that Peter Mills built the original houses on the site of Nos. 66 to 68, Great Queen Street, but there is no evidence that he had any hand in the erection of other houses on the south side of the street.

The reference concerning Gerbier [1591?–1667], to which Walpole alludes as occurring in his previous volume, seems to be the following: “He [Gerbier] ridicules the heads of lions, which are creeping through the pilasters on the houses in Great Queen Street built by Webb, the scholar of Inigo Jones.” If this ascription could be found in any of Gerbier’s works it would be very valuable evidence, but it has not been discovered, and the passage relating to the pilasters contains no mention of Webb.[207]

Bagford [1650–1716], writing somewhat later, says:[208] “He [Inigo Jones] built Queen Street, also designed at first for a square, and as reported at ye charge of ye Jesuits; in ye middle whereof was left a niche for ye statue of Henrietta Maria, and this was ye first uniform street and ye houses are stately and magnificent.... These buildings were ye designes of ye Ld. Arundell, who was ye first that introduced brick building into England (I mean for private houses).”

45That some architect was commissioned by Newton to design the façade, and possibly the principal internal features, is most probable; but the above evidence is unfortunately not sufficient to enable him to be identified.

Hollar’s careful engraving (Plate 3) shows the long straight roof of the road frontage, but the rear elevations show that the roofs were varied for individual houses and were treated with gables. Whoever was the designer of the façade to Great Queen Street, he was probably employed by Newton as architect for the houses built on the west side of Lincoln’s Inn Fields three years afterwards. These show a distinct advance in design, being treated as a single symmetrical composition, with a central feature composed of three houses of increased height, the side wings being of equal lengths.[209]

The beautiful drawings by J. W. Archer[210] reproduced on Plate 16 exemplify the similarity of the two designs to a very marked degree, the only important difference in detail being that in Great Queen Street the Corinthian order was employed, in Lincoln’s Inn Fields the Ionic.

A description of the exterior of the only remaining fragment of the Great Queen Street houses, Nos. 55 and 56, will suffice for the whole. The front is constructed mostly of brick, the ground storey having originally formed a simple base for the Corinthian order of pilasters. These embrace the height of the first and second stories, the bases and capitals being of stone, the ornament of the latter boldly carved, and the volutes and abacus spreading to an unusual extent. (Plates 18 and 19.)

The pilasters were ornamented, if, as seems probable, it is to these houses that Gerbier referred when, writing about 25 years after their erection, he criticised certain “incongruities” perpetrated by those pretending knowledge in ornaments “by placing between windows pilasters through whose bodies lions are represented to creep; as those in Queen Street without any necessity, or ground for the placing lions so ill.”[211] These lions were probably of stucco, and affixed to the pilasters in a position 46similar to that of the ornaments of the Tudor rose and fleur de lis on the houses in Lincoln’s Inn Fields, and those at the eastern end of the north side of Great Queen Street.[212] Walpole,[213] writing in 1763, continued the ridicule of these offending ornaments, but by 1783 they must have been removed, for the engraving by Bottomley of the Freemasons’ Tavern (Plate 22) does not show them, nor can they now be traced on the brickwork of the pilasters.

Between the first and second floor windows is introduced a slightly projecting ornamental device in brickwork, of somewhat Jacobean character, which on the façade of the houses in Lincoln’s Inn Fields was represented by a band, formerly seen at No. 2, Portsmouth Street. The same feature is also shown in the Wilton House picture of Lincoln’s Inn Fields.[214]

Above the capitals the entablature has been much restored, and its former beauty correspondingly diminished. The architrave appears to have been of wood, with three fascias (Plate 19), and crowning this is the bed mould of the cornice, which has large wooden modillions, shaped and enriched with acanthus leaves.

The modillions support a cyma and fascia with panelled soffit, the cyma forming the front of a leaden gutter.

Surmounting the cornice was the high pitched roof, shown by Hollar, with hipped dormer windows, of one and two lights alternating. Though none of them retain the whole of their original construction, the two on the right of the illustration may possibly be in their original form.

The present Nos. 55 and 56 represent one half of what must have been the largest of the houses.[215] This was the mansion of which one of the earliest occupiers was the Earl of St. Albans (Marquess of Clanricarde).

The house may be identified in two ways. (1) The frontages of the house of the Earl of St. Albans, and of the three houses to the east, are stated to be 88[216], 44, 44 and 88 feet respectively, and the last mentioned house is said to be bounded on the east by a gateway, which, from the description, was obviously Middle Yard. The western boundary of the four houses in question may thus be shown to correspond with the western side of New Yard, i.e., the western boundary of No. 55. (2) On 23rd January and 8th February, 1639–40, Newton sold certain plots of ground, containing frontages of 41 and 45½ feet, having a depth of 190 feet, and 47after 120 feet diminishing in width from 83 to 60 feet. These plots are stated to be bounded on the east by the dwelling house and garden of the Earl of St. Albans. From the shape of the property disclosed by the above figures, and the actual frontages given, there can be no doubt that the houses afterwards erected thereon occupied the sites of the present Nos. 51 to 54.[217] The house of the Earl of St. Albans was therefore No. 55 and upwards.

The house was already in existence in January, 1637–8,[218] and as the licence for building had only been obtained in May, 1636, the erection of the house may, with practical certainty, be assigned to the year 1637.

In the 1638 deed it is described as “all that one new erected double messuage or tenement with appurtenances, scituate in Queenes Streete ... contayninge in front towardes Queenes Streete aforesaid 88 feet ... and sydinge eastwards upon the house in the tenure of the Lord Leiger Embassador of Spayne, together with a gardyn plott lyinge on the back side of the said messuage and adjoyninge thereunto.”

The original mansion therefore occupied the site of the present Nos. 55 and 56, and adjoining property in New Yard, together with that of the western block of the present Freemasons’ Buildings.

The first division of the house took place in, or shortly after, 1684. In that year Lord Belasyse purchased the property, and at the date of his will, five years later, the house had for some time been in double occupation.

The division had, however, not been carried out in a very thorough fashion. In 1718 it was stated that “there are severall roomes, chambers and other apartments ... which interfere or mix within each other very inconvenient for separate familyes to inhabit therein severally and apart from each other.” In that year, therefore, an arrangement[219] was made whereby “the kitchen under a roome heretofore called ... Mr. Stonor’s dressing-roome,[220] the larder backwardes next the garden under part of a room ... called Mr. Stonor’s bedchamber ... which were then both used and enjoyed with the house in possession of ... Henry Browne ... were to be added to the inheritance of the house of the said Thos. Stonor in exchange” for “the cellar under the foreparlour next Queen Street, and the uppermost room or garrett over the said parlour, the lesser cellar adjoyning to that last before mentioned cellar and the room 48backwards next the garden up two pair of stairs over the back parlour, and upper with drawing roome,” structurally part of Browne’s house, but occupied as part of Stonor’s.

Other alterations took place in 1732–3, when the western half was divided, and probably portions of the present party wall, to the east of No. 56, date from this and the earlier period.

During the last century many further alterations and partial rebuildings were carried out. Shortly before 1816, the extensive grounds in the rear were utilised for buildings, for in a deed[221] of that year reference is made to “all those stables, coach houses and workshops and premises erected ... in New Yard ... and which before the erecting of the said ... stables, coach houses, shops and other premises, was a garden ground.”

Subsequently the external west wall was rebuilt, and the south-western premises, extending over the entrance to the yard (see Plate 17) were erected.

The eastern half of the original mansion seems to have been demolished between 1840 and 1846, for J. Nash, in a sketch made in the former year, gives the complete elevation, whereas Archer in 1846 (Plate 16) shows a commonplace building on the site of the eastern half.

Nos. 55–58, GREAT QUEEN STREET IN 1840.

Having regard to the many alterations which the premises have undergone, it is not surprising that very little of the first building is left. Of the original walls remaining, that to the street is the most important. Several of the chimney breasts, and parts of the walls to which they are attached, are also original work, but it is extremely doubtful if any of the external walls at the rear is coeval with the erection of the house. This will account for the fact that Evelyn’s “long gallery”[222] no longer exists.

49The notable feature of No. 55 internally is the staircase. Although the treads and risers are modern, the deal balustrading between the ground and first floors may date from the erection of the house in 1637, or from its re-occupation by the Digby family after the Restoration, i.e., before 1664 (see p. 52). The staircase extends from the ground to the first floor. It is constructed of straight strings, moulded and carved; the centre moulding has a band of laurel leaves and berries alternating with oak leaves, acorns and oak apples, while the upper member is enriched with acanthus. The three newels are square. The one at the ground floor level rests on the 19th-century floor, and has a simple capping of mouldings similar to those on the handrail. The newel at the half landing is of similar design to that below and receives the strings of both flights. The newel at the first floor level has a modern capping, but carries the original pendant below, the enrichment taking the form of the open flower of a waterlily. The balusters are turned as ornamental pillars, their capitals being floriated together with the vase-like swellings included in their bases. Two of the base members are also carved. The handrail of the lower flight is notched and fitted to the string of the upper, the mouldings continue along the string downwards to the newel, and a triangular panel fills the spandril space beneath instead of diminishing balusters.

The simple character of the elliptical archway at the end of the passage leading from the street to the staircase may be noted.

On the second floor of No. 56, is a deal balustrade (Plate 21), which doubtless formed part of the original staircase landing, but has now been adapted to protect an opening in the floor. The detail is very similar to that of the staircase formerly at No. 52, Lincoln’s Inn Fields,[223] which was erected shortly after this date.

The panelling of the room at the end of the ground floor passage is apparently contemporary with the erection of the house.

The present front room on the second floor was at first two separate apartments. Near the end of the 17th or early in the 18th century, a wide opening was formed in the partition, the original door and doorway, and part of the surrounding wall being, however, left. Probably at the same time, the little lobby and powder closet were formed. The latter has a small opening in its southern wall.

The small staircase in front of the opening leading to the attics appears to have been erected about 1732–3, as also the portion of the staircases leading from the second to the first floors, and a short length of balustrading (Plate 21) at the first floor level.

The front room on the ground floor was dismantled early in the 19th century and nothing of interest is left.

Condition of repair.

The premises are in good repair.

50

Biographical Notes.

The indenture[224] relating to the sale of the freehold by Newton on 26th October, 1639, to Sir Henry Compton, Sir Lewis Dive and Thos. Brewer, refers to the house as “late in the tenure of the Rt. Hon. Thomas, Lord Arundell, Baron of Warder, now deceased.”

Thomas Arundell, first Baron Arundell of Wardour, was born in 1560. He greatly distinguished himself in the wars against the Turks in Hungary, and for his valour, was, in 1590, created Count of the Holy Roman Empire. He was raised to the English peerage by James I. in 1605, and died in 1639.

In the sale mentioned above, Compton, Dive and Brewer were acting on behalf of the Marquess of Clanricarde, and the latter is referred to as actually in occupation of the house in January, 1639–40.[225]

De Burgh.

Ulick De Burgh, Marquess of Clanricarde, Earl of St. Albans, was born “in Clanricarde House, Great Queen Street, Lincoln’s Inn Fields, London”[226] in 1604. The exact position of this house is not known, but it must have been on the north side of the street, as the south was not built on for many years afterwards. From his father he inherited, together with the viscounty of Galway, vast estates and an enormous influence in the south of Ireland. He sat in the Short Parliament, and accompanied the King in his expedition against the Scots in 1640. His occupation of the house on the south side was brief, for in September, 1641, he disposed of the property to the Earl of Bristol.[227] In the summer of the latter year[228] he had taken up his residence in Ireland. During the troublous times that followed the outbreak of the Irish rebellion in that year, Clanricarde played a prominent part. Although many of his relatives joined the Irish Confederation, he alone among the Irish Roman Catholic nobility remained loyal to the king, kept Galway, of which he was governor, neutral, and made “his houses and towns a refuge, nay even a hospital, for the distressed English.”[229] When the Viceroy, Ormonde, quitted Ireland in 1650, Clanricarde was appointed his deputy, but his efforts against the parliamentary forces were rendered fruitless by the distrust with which he was regarded by many of the Irish royalists. In 1652 he received Charles’s permission to make the best terms possible with the parliamentarians, and articles were accordingly concluded, by virtue of which he was able in the same year to withdraw from Ireland. Though expressly excepted by statute from pardon for life and estate, he was enabled, by permits renewed from time to time, to retire for the remainder of his life to his seat at Summerhill, Kent, where he died in 1657. Though he was the object of bitter denunciation by the native Irish faction, he has earned the commendation of Hallam as being “perhaps the most unsullied character in the annals of Ireland.”[230]

John Digby, first Earl of Bristol, who followed Clanricarde in the occupation of the house in Great Queen Street, was the son of Sir George Digby, of Coleshill, Warwickshire, and was born in 1580. He gained the favour of James I. and was knighted in 1607. Four years later he was sent as ambassador to Madrid, and from that time until 1624 was frequently employed on diplomatic missions of first-rate importance. In 1618 he was raised to the peerage, and in 1622 was created Earl 51of Bristol. In the following year, while engaged at Madrid in connection with a project for the marriage of the Infanta Maria and Prince Charles, he managed to offend bitterly both the latter and Buckingham, who had come to Spain on a surprise visit. In 1624 he came home and found himself in disgrace. For the first few years of Charles’s reign, he continued to be an object of the king’s resentment and spent several months in the Tower. After 1628 he took no part in politics until the war against the Scots in 1639. He was the leader of the Great Council held at York in 1640. Though he came forward in the Long Parliament as a reformer of the government, yet when it became necessary to take up a definite side in the civil strife he threw in his lot with the king. He was with him at Oxford for some time after the battle of Edgehill, removing thence to Sherborne, and subsequently, in 1644, to Exeter. On the capitulation of that city to Fairfax in 1646, he was given a pass to go beyond the seas. He died in Paris in 1653, and by his will[231] bequeathed to his second son, John, his house in Queen Street. This house had formed his residence at the most from September, 1641, to some time before the battle of Edgehill in October, 1642. By the parliament he was regarded with peculiar abhorrence, due partly, no doubt, to the acts of his uncontrollable son, and in August, 1644, an ordinance was passed providing inter alia that “the house of John, Earl of Bristol ... in Queen Street ... with the gardens, stables, edifices and buildings thereunto belonging, with their appurtenances, heretofore the mansion house of the said Earl of Bristoll,” should be granted to Lady Brooke for her life, and after her decease to her youngest son, Fulke Greville.

Digby.

There is, however, no evidence that Lady Brooke[232] ever lived there, and the next record that has been found as to the occupation of Bristol House is contained in a deed[233] of 1654, by which Antony Wither purchased from the “Trustees for the Sale of Estates forfeited for Treason, all that messuage or tenement ... situate in the parish of St. Giles-in-the-Fields ... in a streete there called Queene Streete ... late in the tenure or occupation of Thomas, Lord Fayrfax, and now or late in the tenure ... of Sir William Paston, Knt., ... which said premises ... are mentioned to have bin late parcell of the possessions of John, Earle of Bristoll ... whose estate hath bin and is thereby declared and adjudged to be justly forfeited by him for his treason against the Parliament and people of England.”

Thomas Fairfax, third Baron Fairfax, was the son of Ferdinando, second Lord Fairfax, and was born at Denton, in Yorkshire, on 17th January, 1612. He served in the Low Countries under Sir Horace Vere, whose daughter he afterwards married. He held a command during the first Scotch war, and was knighted by the king in January, 1640. On the outbreak of the Civil War he took up arms on behalf of the Parliament and gained great distinction. In 1645, consequent upon the compulsory retirement of officers who were members of either house (his father among others), he was appointed to the chief command of the parliamentary forces. He arrived in London on 18th February, accompanied by his uncle, Sir William Constable,[234] 52and two or three officers, and took up his quarters at “the house in Queen Street, Lincoln’s Inn, which had been hired for the new general during his stay in London.”[235] During his absence in the field his house in Queen Street was occupied by his father, with whom he kept up a constant correspondence.[236] In June, 1645, Fairfax amply vindicated the Parliament’s choice by his annihilation of the royal army at Naseby, and on 12th November, 1646, having brought the first portion of the Civil War to a successful close, he returned to London to receive the thanks of Parliament and of the City. Accompanied by dense crowds, “he was conducted to his house in Queen Street, Lincoln’s Inn, amidst deafening cheers and the ringing of bells; and was received at the door by his wife and his father, the old lord, with his new bride.”[237] Two days later both houses of Parliament paid a congratulatory visit to Fairfax in his house in Queen Street. His father died in March, 1648. In the second portion of the Civil War, which began later on in the same year, Fairfax was at first principally occupied with the siege of Colchester, and his execution of Lucas and Lisle on the surrender of that town in July, 1648, though bitterly denounced, seems not to have been without justification. In the events which led up to the death of Charles in 1649 he seems to have been an unwilling instrument of the army. In 1650 he resigned the commandership-in-chief, to which he had again been elected, rather than take part in the attack on Scotland, and during the whole of the remaining period, until the death of Cromwell, he lived in retirement at Nun Appleton, in Yorkshire. He took a leading part in bringing about the Restoration, but after that was successfully accomplished he again retired to Nun Appleton, where he spent the rest of his days in religious exercises. He died on 16th October, 1665.

Fairfax.

As the house in Great Queen Street had been provided by Parliament for use as his official residence, his occupation of it probably ceased on his resignation in June, 1650.

Of Sir William Paston’s residence we have but little record. There is, however, a letter from him, headed “Queen Street,” and presumably written from this house, dated 30th January, 1650–51.[238] The deed mentioned above leaves it uncertain whether he was, in June, 1654, still in occupation of the house.[239] He had been high sheriff of Norfolk in 1636, was created a baronet in June, 1642, and died in February, 1663. He was the father of the first Earl of Yarmouth.

At the Restoration the house again came into the hands of the Digby family. In a deed of 6th January, 1663–4,[240] it is referred to as “now in the tenure of George, Earl of Bristol, or his assignes,” and in the Hearth Tax Rolls for 1665 and 1666, the Earl of Bristol is shown as in occupation of the house. This was George, the second Earl, who was born at Madrid, in October, 1612. When only twelve years old he appeared at the bar of the House of Commons on behalf of his father, who had been committed to the Tower, and his graceful person, gallant bearing, and eloquent speech made a great impression. He enjoyed a distinguished career at Oxford, and afterwards displayed some literary ability in the Letters between 53the Lord George Digby and Sir Kenelm Digby, Knt., concerning Religion, written in 1638–9. He entered Parliament in 1640, where, although at first hostile to the Court, he afterwards became one of its strongest adherents. He was responsible for the proposal for the prosecution of the five members, and even suggested that they should be followed into the City and taken by force. In February, 1642, he was impeached of high treason and fled to Holland, but soon returned. In September, 1643, he was appointed one of the secretaries of state, and as one of the king’s chief advisers did incalculable harm to the royal cause. In October, 1645, he was made lieutenant-general of the royal forces north of the Trent, and was defeated at Sherburn. The next few years he spent chiefly in Ireland, whence, on its surrender to the Parliament, he escaped to the Continent, gaining and losing favour in France, joining Prince Charles at Bruges and accompanying him to Spain. In 1657 he became a Roman Catholic. On the Restoration he returned to England. Being debarred from office on account of his religion, his energy found vent in an unreasoning hostility to Clarendon, in which he went so far that he provoked the keenest resentment on the part of the king, and had to remain in concealment for nearly two years. He died at Beaufort House, Chelsea,[241] in March, 1677, leaving behind him a reputation for brilliant but misdirected ability.

His residence in Great Queen Street seems to have terminated before 1671,[242] for under date of 26th May in that year, Evelyn records: “The Earl of Bristol’s house in Queen Street was taken for the Commissioners of Trade and Plantations, and furnished with rich hangings of the King’s. It consisted of seven rooms on a floor, with a long gallery, gardens, etc.... We then took our places at the Board in the Council Chamber, a very large roome furnished with atlasses, maps, charts, globes, etc.”[243] Evelyn had only recently (see Diary for 28th February) been appointed on the Council of Foreign Plantations,[244] and the above entry refers to the first occasion on which he attended as a member, and gives no clue as to the date on which the house had been taken for the use of either of the Commissions.[245] On 12th February, 1671–2, Evelyn records the determination of the Council to meet in future at Whitehall.[246]

54The Hearth Tax Rolls for 1673 and 1675 show the Earl of Devonshire as then in occupation of the house. He would, indeed, seem to have acquired most of the interests in the premises by or before July, 1667,[247] and it is quite possible that his residence extended on both sides of the short occupation by the Boards of Trade and Plantations.

Cavendish.

William Cavendish, third Earl of Devonshire, was born in 1617. He derived his education in part from his father’s old tutor, Thomas Hobbes, the philosopher, in whose company he travelled abroad from 1634 to 1637. At the beginning of the Civil War he embraced the royalist cause, and on being impeached by Parliament, refused to submit, and left the country. In 1645 he returned to England, and on payment of a large fine received a pardon for his former delinquency. During the remainder of the Commonwealth period he lived in retirement at Latimers, in Buckinghamshire, and even after the Restoration he resided mainly in the country. He was one of the original fellows of the Royal Society, and in 1669 was appointed a commissioner of trade.[248] He died in 1684 at Roehampton.

In June, 1674, the Earl of Devonshire had sold the remainder of the original 99 years’ lease of the house to the Earl of Sunderland,[249] who in the Jury Presentment Roll for 1683 is shown in occupation of the house. He parted with his interests in the property in April, 1684, and his occupation may therefore with reasonable certainty be assigned to the period 1674–84.[250]

Spencer.

Robert Spencer, second Earl of Sunderland, the only son of Henry Spencer, the first Earl, and “Sacharissa,” was born in 1640, and succeeded to the earldom only three years later. In 1665 he married Lady Anne Digby, younger daughter of the second Earl of Bristol. In preparation for his future political career, he now began paying court to the royal favourites, and in 1671 invited Mdlle. de Keroualle (afterwards Duchess of Portsmouth) “to his town house in Queen Street, and lost enormous sums to her at basset.”[251] This can hardly have been Bristol House, for the facts seem quite inconsistent with Sunderland’s residence there so early as 1671. More probably it was his mother’s house at the eastern end of Great Queen Street. From 1671 to 1678 he was employed on several diplomatic errands abroad. In 1679 he became secretary of state for the northern department, but in 1681 incurred the king’s displeasure, and consequently lost both his secretaryship and his seat on the Privy Council. Afterwards he regained his place by the influence of the Duchess of Portsmouth, and on the accession of James II. in 1685 he speedily ingratiated himself with the new king, who made him Lord President of the Council. While assiduously cultivating James’s favour, he was also receiving a substantial secret pension from Louis XIV. for the promotion of French interests, and through his wife’s lover, Henry Sidney, was furnishing William of Orange with particulars of the most secret transactions of the English Court. By degrees his position became more and more difficult and, although in 1687 he had embraced the Roman Catholic faith, not all 55his duplicity could prevent the growing dissatisfaction with which James regarded what he considered as his lukewarm service, and in 1688 he was dismissed and fled to Holland. Though excepted from the Act of Indemnity, he was in 1691 permitted to return to England. He declared himself again a Protestant, and his advice soon became indispensable to William. His influence gradually grew until in 1697 all the hatred and jealousy with which he was regarded came to a head, and he resigned in a panic. The rest of his life he passed in seclusion at Althorp, and he died in 1702. “With the possible exception of Northumberland in Edward VI.’s reign, it is doubtful whether English history has to show a more crafty and unprincipled intriguer.”[252]

In the course of 1684 all interests in the house in Great Queen Street were acquired[253] by John, Lord Belasyse,[254] and the premises were now divided into two, afterwards respectively Nos. 55–56, and Nos. 57–58. The later history of the latter will come naturally under the head of the Freemasons’ Hall, a part of which now occupies the site.

As regards Nos. 55–56, we learn that prior to 1689[255] this portion of the original mansion had been occupied by the Duke of Norfolk.

Henry Howard, seventh Duke of Norfolk, was born in January, 1655, and succeeded to the title in January, 1684. He was noted for his staunch Protestantism. He joined in the invitation to the Prince of Orange, and on the latter’s landing brought over the eastern counties to his interest. He died at Norfolk House, St. James’s Square, in 1701. His residence at Nos. 55–56, Great Queen Street must have fallen in the period 1684–1689.

Subsequently the house was occupied by Thomas Stonor, who had married the Hon. Isabella Belasyse, to whom her father, Lord Belasyse, had bequeathed this portion of the original house. Stonor is shown in occupation in 1698, 1700 and 1703. In 1718 the house was sold[256] to Sir Godfrey Kneller, then already in occupation of the premises.

Sir Godfrey Kneller (originally Gottfried Kniller) was born at Lübeck in 1646, son of a portrait painter. He was at first intended for the military profession, but his love for painting proved so strong that his father sent him to Amsterdam to study under Ferdinand Bol. In 1672 he went to Italy, and soon acquired a considerable reputation. Afterwards he visited Hamburg, and in 1675 came to England, where his work attracted the notice of the Duke of Monmouth, by whose influence he was in 1678 introduced to Charles II. He at once leaped into popularity, and after the death of Sir Peter Lely in 1680 reigned supreme in the domain of portrait painting. He acquired great wealth, and, though he lost heavily in the South Sea Bubble, he left a large fortune. His residence at Nos. 55–56, Great Queen Street seems to have commenced about 1703,[257] and here he lived until his death in 1723. By his 56will[258] he left to his wife, amongst other property, “all that my messuage or house, outhouses, stableyards and garden thereunto belonging in Great Queen Street ... in which I now dwell,” as well as the next door house (Nos. 57–58), which he had also purchased. He also mentions the “six pictures of mine and my wife’s relations painted by myself, and now in my great dining room in my said dwelling house in Great Queen Street, and also the three pictures put up for ornament over the doors in the said room.”

The well-known interchange of wit between Kneller and Dr. Radcliffe is by several authors[259] said to have taken place in Great Queen Street. Radcliffe, it appears, was Kneller’s next door neighbour, and there being great intimacy between them, Kneller allowed the former to have a door into his garden where he had a fine collection of flowers. On Radcliffe’s servants picking the flowers, Kneller sent word to the doctor that he would shut up the door. The latter replied that he might do anything with it but paint it; whereupon Kneller rejoined that he could take anything from the doctor but his physic. There is, however, no evidence that Radcliffe ever lived in Great Queen Street. He settled in Bow Street, Covent Garden in 1684[260]; he was still in Covent Garden in 1706 according to the Catalogue of the College of Physicians; and the issues of the Catalogue for 1707 onwards show him at Southampton Square. He died in 1714. Wheatley and Cunningham[261] appear to be right in assigning the incident to the time when Kneller was living in the Piazza, Covent Garden.

No records concerning the occupation of the house are available between 1723 and 1730. It would seem, however, that prior to the latter year, the Earl of Bellamont had been resident there,[262] for the entry in that year consists of the name “Lord Bellment,” erased, and followed by the name of Robert Holdmay. In 1732 the house is shown as empty, and on its re-occupation in the following year it was further divided, as at present, into the two houses Nos. 55 and 56. The names of the residents, as given on the ratebooks, from that time until 1800 are as follows:—

No. 55.   No. 56.
1733–42. Barth. Dandridge. 1733–37. Coston Aston.
1746–48. [263]Lady Dinely Goodyer. 1740–44. Madame Bowne.
1751–58. Chas. Hoare. 1744. [263]Chas. Leivez.
1758–61. Lord Halton. 1745. —— Pritchard.
1761–65. Chas. Hoare. 1746–50. Chas. Leivez.
1766. Widow Hoare. 1750–61. Ben Wilson.
1767–70. [264]Godfrey Kneller. 1761–68. Jno. Palmer.
1770–82. Coach Office. 1768–69. W. Brereton.
1782–90. Jas. McGee. 1770–74. Ed. Taylor.
1790–99. Jas. Wilson. 1775–78. Wm. Mattingnon.
1799– [264]J. Kneller. 1779. Miss Lavell.
57    1780–82. —— Bowen.
    1782–86. John Hoole.
    1786–88. Jas. Boswell.
    1788–89. Ed. Jones.
    1791– W. Chippendale.

Bartholomew Dandridge obtained a considerable practice in the reign of George II. as a painter of portraits; he also painted small conversation-pieces.[265]

Benjamin Wilson was born at Leeds in 1721. His father, Major Wilson, a wealthy clothier, lost his money while Benjamin was still a youth, and the latter came to London to earn a living. If his statements are true, the frugality which he exercised must have been extraordinary. At all events, he managed to save, and obtaining after a time a position with some little leisure, he resumed the artistic studies which he had been compelled to renounce. By degrees his perseverance and ability made him known, and from 1748 to 1750 he was in Ireland executing commissions for portraits. On his return he settled at No. 56, Great Queen Street. While here his reputation steadily increased, and 1761 he moved to Nos. 57–58, a larger house.[266] In 1771 he again removed, this time to Great Russell Street, Bloomsbury. In 1767 he was appointed painter to the Board of Ordnance. Wilson was also a student of chemistry, and had a reputation for his knowledge of electricity, receiving in 1760 the gold medal of the Royal Society for his electrical experiments. He died at his house in Great Russell Street[267] in 1788.

John Hoole, translator, was born in Moorfields in 1727, the son of a watchmaker and inventive mechanician. He obtained a position in the accomptant’s office of the East India Company, and rose to be successively auditor of Indian accompts and principal auditor. He resigned about the end of 1785. His residence in Great Queen Street seems to have commenced in 1782, and it lasted to April, 1786, when he retired to the parsonage at Abinger, Surrey. He died at Dorking in 1803. His chief works are the translations of Tasso and Ariosto. He also wrote the life of John Scott of Amwell, which, as it was published in 1785, was probably composed in the house in Great Queen Street, and three plays.

James Boswell, biographer, son of Alexander Boswell, Lord Auchinleck, was born in Edinburgh in 1740. In 1760 he first visited London, and in 1762, with much difficulty, prevailed upon his father to let him return there. On 7th May, 1763, he was introduced by Davies the actor to Dr. Johnson. From August, 1763, to February, 1766, he was on the Continent studying law at Utrecht, travelling in Italy, and consorting with Paoli in Corsica, and returned with his head full of the latter. The result was the publication in 1768 of An Account of Corsica; the Journal of a Tour to that Island. He now commenced work in earnest as an advocate at the Scottish bar, and for some years visited London but seldom. In November, 1769, he married his cousin, Margaret Montgomery. In 1773 he accompanied Johnson on the journey which is described in the Journal of a Tour in the Hebrides; the indiscretions of the narrative produced a rapid sale when it was printed some years afterwards. In June 1784, he met Johnson for the last time. In 1786 he was called to the English Bar, and moved to London. In a letter, dated May, 1786, to Mickle, the translator of the Lusiad, he writes[268] that he has the house of his friend Hoole (who, as has been seen above, left No. 56, Great Queen Street in April, 1786), and a later letter,[269] dated 9th February, 1788, to Bishop Percy, is headed “London, 58Great Queen Street, Lincoln’s Inn Fields.” In 1789 he removed to Queen Anne Street West, and subsequently to No. 122 (formerly 47), Great Portland Street, where he died in May, 1795. His fame rests upon his biography of Dr. Johnson, one of the greatest books ever written. There can be no doubt that a portion of the book was composed in No. 56, Great Queen Street. In 1905 the London County Council affixed to the house a tablet of blue encaustic ware, commemorative of Boswell’s residence.[270]

In Wheatley and Cunningham’s London, Past and Present[271] it is stated that after the occupation of Hoole (whose residence is wrongly identified with that of Worlidge, see p. 77) the house “was rented by Chippendale, the cabinet-maker, whose furniture has during the last few years been so eagerly sought after and imitated.” Inasmuch, however, as Chippendale died in 1779, and Hoole’s residence did not terminate until 1786, this is impossible. The statement probably originated in the fact that a person of the same name is shown in the ratebooks as an occupant of this house (see above). But it is William Chippendale, not Thomas; the period of his occupation is from 1791 onwards; and he was not a furniture maker, but an attorney.[272]

In the Council’s collection are:—

[273] Ground, first and second floor plans (measured drawing).

Attic floor plan (measured drawing).

Elevation of houses in Great Queen Street by Sir J. Soane, preserved in the Soane Museum (photograph).

[721] Sketch, by J. Nash in 1840 (print).

[721] “House called Queen Anne’s Wardrobe,” drawn by J. W. Archer, 1846 (photograph).

[721] “House of the Sardinia Ambassador,” drawn by J. W. Archer, 1858 (photograph).

Elevation measured by J. Cooke (print).

[721] The exterior, May, 1906 (photograph).

The exterior, June, 1906 (photograph).

Staircase in No. 55—

[721]Ground to first floor (photograph).

First floor level (photograph).

[721] Archway from passageway to staircase in No. 55.

[721] Staircases in Nos. 55 and 56, details (measured drawing).

59

XXXVIII.—FREEMASONS’ HALL.

Ground landlords.

The United Grand Lodge of Antient Free and Accepted Masons of England.

General description and date of structure.

The present Freemasons’ Hall and buildings connected therewith occupy the sites of two original houses and parts of two others. These were reckoning from west to east: (i.) the eastern half of Bristol House; (ii.) Rivers House; (iii.) the house on which the statue of the Queen was placed; (iv.) the western half of Conway House.

The origin of (i.) has already been described.[274] It was, in its turn, divided into two in 1812 or 1813,[275] and seems to have been demolished between 1840 and 1846.

(ii.) The house to the east of Bristol House is easily identifiable with that which is described in a deed[276] dated 31st July, 1641, as abutting on the west “upon another mesuage of the same building now in the occupacion of the Earle of St. Albans [i.e., Clanricarde].” The premises had a frontage of 44 feet upon Queen Street, and the ground extended southward 200 feet or “neere thereabout” to the garden of Humfrey Weld. The eastern boundary was “a new messuage where the statue of the Queenes Majestie is placed.” It is mentioned that the Countess Rivers then had tenure of the house, which had previously been in the occupation of “the ledger Embassador of the King of Spaine.” As the house is mentioned as being in existence and in fact occupied by the Spanish Ambassador on 22nd January, 1637–8,[277] its erection may be assigned with certainty to the year 1637.

The original house was pulled down in 1739, and on the site two houses were built fronting Great Queen Street, and a number of others on the ground behind.[278] In the centre of the Great Queen Street frontage was 60an archway leading to the premises in the rear, and known as Queen’s Court.[279] Whether this simply reproduced a feature of the old mansion (there were similar archways on the west side of Bristol House and the east side of Conway House), or whether it was consequent on the necessity for communication between the street and the new houses behind, is uncertain.

(iii.) It has been seen above that the next house eastwards was “a new messuage where the statue of the Queenes Majestie is placed.” This, therefore, is the house referred to in an indenture[280] of 20 May, 1674, as “fronting upon the streete called Queene Street, wherein is made a nichy or place for a statue to be placed in.” The property is said to contain 44 feet frontage, to extend southwards 200 feet, and to have belonged originally to Anthony Wither. It may thus be identified with the messuage and garden in St. Giles-in-the-Fields referred to as having been sold in 1637 by William Newton to Anthony Wyther,[281] so that in this case also 1637 was the date of erection. The statue of the Queen, which was gilt, was pulled down in 1651,[282] which accounts for the fact that the deed of 1674 could only record the existence of a niche, with no statue. At some time between 1702 and 1709 the premises were divided, not lengthwise but breadthwise, a passage being formed to lead from the street to that house which was in the rear. In 1774 the houses were purchased by the Grand Lodge of Free and Accepted Masons.

(iv.) The fourth house is mentioned in a deed[283] of 20th December, 1641, as “all that capitall messuage or tenement with one yard, one court and one garden plott, stable, coachhouses and outhouses, as they are now erected, built and inclosed with brick wall to the same belonging or therewithal now used or enjoyed, scituate and being in Queene Street ... now being in the tenure or occupation of Edward, Lord Viscount Conway and Killultagh which ... conteyneth in front towards Queene Street 88 feet ... and the said messuage, yard, court and garden plott doe extend from the said streete backward towards the south unto the garden of Humfrey Weld, Esq., 199 feet or thereabouts, scituate lying and being between the messuage, yard and garden plote of Anthony Wither, Esq., now in the tenure ... of the Lord Awbyney on the west, and the messuage of Peter Mills, bricklayer, 61now in the tenure of the Countess of Essex. And also all those greate gates and gateway[284] over which some part of Peter Mills messuage is erected, leading out of Queene Street into the courtyard and garden, with liberty of way by a dore made or to be made out of the south-east corner of the said garden in by and through a way and passage of 8 feet in breadth intended to be made by William Newton over the sewer ... and to lead into ... Princes Street.”

In 1696 the house was in a dangerous condition, and an Act of Parliament was obtained authorising its repair and letting on lease for 51 years[285]. The house was still in existence in May, 1743[286]. By November of the same year, however, it had been demolished, and on its site four houses, each 22 feet wide, had been erected, or were then in course of erection on the Great Queen Street frontage.

Having thus dealt with the history of the earlier buildings on the site, it remains to describe the various processes by which the existing premises came to be erected. We will therefore return to the purchase, in 1774, by the Grand Lodge of Free and Accepted Masons, of the house on which the statue of Queen Henrietta Maria had formerly stood.

This site is now occupied by the eastern half of the main block, including the Temple. The premises (as shown on the plan and elevation Plate 22) consisted of a house facing the street and a small house at the back adjoining the garden, which was probably used subsequently as a museum. The former was let on a short lease to a Mr. Brooks, paper stainer, and the latter became the original Freemasons’ Coffee House or Tavern, a portion being fitted up as offices (with Committee Room) for the use of the Grand Lodge. The front house was in design similar to Nos. 55 and 56, except that the elevation showed a parapet, added in 1779, and the front of the ground floor storey had also been considerably altered.

“Notwithstanding the large expenditure in repairs and alterations of the old premises ... it was found that, as the business increased, they were ill adapted for tavern purposes; the Grand Lodge therefore, on the advice of Thomas Sandby, Esq., R.A., Grand Architect, and William Tyler, Esq., P. G. Steward, another eminent architect, decided to demolish the old buildings and erect instead a large tavern connected with the Hall, with suitable accommodation for the Grand Secretary and the meetings of Lodges and other Societies. This was a serious undertaking in view of the fact that the Hall was not yet paid for and the amount received for its use was barely enough for working expenses—still it was, no doubt, the right thing to do, considering the great age of the structure.”[287]

62The Hall (or Temple) was built in 1775 by Thomas Sandby, and was opened on 23rd May, 1776. The tavern was built in 1786 by William Tyler, and a view of the front is preserved in the Grand Lodge Library (Plate 23).

THE DISASTROUS FIRE AT FREEMASONS’ HALL, GREAT QUEEN STREET—THE SCENE OF THE CONFLAGRATION

The Temple is the only remaining structure of this period. It is rectangular in shape, 78 feet long, 38 feet wide, and about 58 feet high. It was designed to represent the interior of a Roman Doric Temple. The side walls are enriched with pilasters, and the ends with attached columns. A gallery is placed over the vestibule at the entrance end. It is fitted with an ornamental balustrade stretching between the columns, which here rise clear and support the main entablature. Opposite is a small apse which contains a statue of the Duke of Sussex, executed by E. H. Bailey in 1839. In the original design a small gallery was placed in either angle of this end of the Temple, but these were not replaced after the fire of 1883. Illustrations of the Temple before and after the fire are preserved in the Grand Lodge Library. The ceiling is flat, with an enriched modelled ornament somewhat out of keeping with the rest of the design. It is connected with the cornice of the order by a deep cove pierced with semi-circular windows, but those originally existing on the east side have been lately filled in. The decorations are in excellent taste, and 63treated with soft colouring, the mouldings and enrichments being picked out in gold, the whole generally harmonising with the portraits and other paintings and panels on the walls.

The vestibule to the Temple (see Plate 28) is paved with mosaic brought by Mr. W. H. Mordsley from Jerusalem, and laid in position in 1873, the inscription on the floor being as follows:—

“THIS PAVEMENT FORMED OF ANTIQUE TESSERÆ COLLECTED AT JERUSALEM BY THE W. HENRY MORDSLEY, P.G.D., AND PRESENTED BY HIM TO THE GRAND LODGE WAS LAID IN THE FOURTH YEAR OF THE GRAND MASTERSHIP OF H.R.H. ALBERT EDWARD, PRINCE OF WALES, A.L., 5877.

F. P. COCKERELL, GD. SUPT. OF WORKS.”

In 1815 the two houses comprising the western half of Conway House were acquired by the aid of Sir John Soane. These were connected by openings, and used by the Grand Lodge. Shortly afterwards, Soane commenced the designing of additional premises at the rear of these two houses. In 1828 building operations were begun, and in the following year the works were completed. The Grand Lodge in 1832 thanked Sir John Soane for his completion of the work and for his donation of £500.[288]

Plate 27 is a reproduction of a pen and ink drawing in the Soane Museum, probably by Soane himself, showing his design for the new Hall of the Tavern. It is evidently the original sketch for the elaborate water colour drawing, in the Hogarth Room, executed by either J. M. Gandy, A.R.A., or C. J. Richardson. This hall did not long exist. In 1863 the two houses on the site of Rivers House were demolished, together with all the Tavern and Grand Lodge premises, excepting Sandby’s Temple, and preparations were made for the erection of a new building after designs by F. P. Cockerell, son of Professor C. R. Cockerell, R.A. The foundation stone was laid on 27th April, 1864, and the building was finished in 1866. The exterior is shown on Plate 24 and the principal features of the interior not already mentioned, are the staircase (Plate 28) and the first floor corridor.[289]

In 1899 a western wing on the site of the eastern half of Bristol House[290] was added, from the designs of Henry L. Florence, to provide more accommodation for the Grand Lodge, including a Library and Museum. The most recent alterations and additions to the Tavern were made in 1910, when these premises were named “The Connaught Rooms.” These works were carried out by Messrs. Brown and Barrow. Very little of Cockerell’s work in the Banqueting Hall has been retained.

64

FREEMASONS HALL GREAT QUEEN STREET W.C.
PLAN OF FIRST FLOOR
BEFORE THE ALTERATIONS IN 1899.

65

Condition of repair.

The premises are in excellent condition.

Biographical notes.

Bristol House, Eastern Half.

After the division of Bristol House into two about 1684, the first four occupants of the eastern half (Nos. 57–58) were[291] the Earl of Wiltshire, the Earl of Stamford, Henry, Viscount Montagu, and the Portuguese Envoy.

Charles Powlett, afterwards second Duke of Bolton, second and eldest surviving son of the first Duke, was born in 1661. During the lifetime of his father he was known as the Earl of Wiltshire. He accompanied the Prince of Orange on his expedition in 1688, having a few months previously gone over to Holland, and was one of the advanced guard who entered Exeter with him. He seems to have stood high in William’s favour. He succeeded his father in the dukedom in 1699, and was made Lord-Lieutenant of Ireland in 1717. He continued to occupy a fairly prominent place about the court until his death in 1722. His residence in Great Queen Street began in 1684, or a little later, and he was still in occupation of the house on 22nd April, 1689.[291]

Grey.

Thomas Grey, second Earl of Stamford, born in 1654, was the only son of Thomas Grey, Lord Grey of Groby. He succeeded his grandfather in the earldom in 1673. In 1681 he was arrested on a charge of complicity in the Rye House plot, and remained in the Tower until March, 1686. On the landing of the Prince of Orange he took up arms in his favour, and afterwards was appointed to numerous official positions, becoming Lord Lieutenant of Devonshire, Chancellor of the Duchy of Lancaster, and President of the Board of Trade and Foreign Plantations. On the accession of Anne, he was dismissed from all his offices, but afterwards regained his position at the head of the Board of Trade. He died in 1720. His residence in Great Queen Street must have terminated some time before 1703, at which date “Henry Browne” is shown in occupation.

Browne.

Henry Browne, fifth Viscount Montagu, was born some time before 1641.[292] He succeeded his brother Francis in the title in June, 1708. His residence at the house in Great Queen Street commenced some time, probably not long, before 1703,[293] and lasted at least until 1715,[294] possibly until his death, which occurred in 1717 at Epsom.[295] He was succeeded in the title by his son, Anthony, who three years later married Barbara Webb, to whose mother, Lady Barbara Webb, daughter of Lord Belasyse, the eastern half of Bristol House had come by way of bequest.

After the occupation by Lord Montagu the house was used as the residence of the Portuguese Envoy.[296] The earliest mention of him as occupying the house is dated 5th March, 1718–9. How long the Embassy was situated here is uncertain. 66The house is referred to in Sir Godfrey Kneller’s will,[297] dated 27th April, 1723, as “now in the possession of the Portugal Envoy.” In a codicil, dated 18th July, in the same year, it is described as “now or late in the occupation of the Portugal Envoy,” and Kneller states that the premises are much out of repair, and that he proposes to spend a sum of £200 in works. It would almost seem therefore that the envoy left the house between April and July, 1723, and some confirmation of this suggestion is found in the fact that in the Westminster sewer ratebook, dated 18th July, 1723, the name, not of the Portuguese Envoy, but of Sir Godfrey Kneller, the owner, appears for the house.

After the departure of the Portuguese Envoy, the house was used for the purposes of the Great Wardrobe.[298] The parish ratebooks from 1730 (the earliest extant) until 1748 show “Thos. Dummer, Esq.,” the deputy[299] of John, Duke of Montagu, keeper of the Great Wardrobe, as in occupation.

The occupants of Nos. 57–58 from the time of the Great Wardrobe were as follows:—

1750–60. John Jackson.
1761–71. Benjamin Wilson.
1771–72. —— Salvadore.
1772–76. John Henderson.
1777–82. Richard Brinsley Sheridan.
1782–90. A. and E. Boak.
1791– Boak and Banson.

For particulars as to Benjamin Wilson, see under Nos. 55–56, Great Queen Street (p. 57).

Richard Brinsley Sheridan, son of Thomas Sheridan, actor and “orthoepist,” was born in Dublin in 1751. When he was nineteen years of age, his father settled at Bath. In the winter of 1773, soon after his marriage with Miss Linley, the couple came to live in London,[300] and Sheridan essayed to earn his living by writing. In January, 1775, The Rivals appeared, and by the end of the year Sheridan had become a favourite with playgoers. Next year he became manager and part-proprietor of Drury Lane Theatre. In 1791–4 the theatre was pulled down and rebuilt, and the expenditure greatly exceeding the estimate, Sheridan undertook to pay the liabilities thus incurred. The destruction of the new theatre by fire, however, in 1809, involved him in financial troubles which continued until his death. As a dramatic writer he far excelled all his contemporaries. His chief plays were: The Rivals, St. Patrick’s Day, The Duenna, A Trip to Scarborough, The School for Scandal, The Critic, Pizarro. From 1780 he was no less prominent in political than in literary life. In September of that year he entered the House of Commons as member for Stafford, and soon became noted as an orator. For two periods of short duration in 1782–3 he was respectively under-secretary for foreign affairs and secretary to the Treasury, and in 1806–7 was treasurer to the Navy. Among his most noteworthy oratorical achievements must be placed his speeches in connection with the trial of Warren Hastings. His last speech in Parliament was made in June, 1812. Soon after 67his entry into Parliament he had become personally acquainted with the Prince of Wales, and ever after acted as his confidential adviser. Sheridan died in Savile Row in July, 1816, and was awarded a public funeral in Westminster Abbey.

His occupation of the house in Great Queen Street is shown by the parish ratebooks to have lasted from 1777 to 1782.[301] The former date is confirmed by a letter from W. Windham, dated 5th January, 1778, directed to “Ric. Brinsley Sheridan, Esq.,” at “Queen Street, Lincoln’s Inn Fields.”[302] It is said that on the day of Garrick’s funeral (1779), after the ceremony was over, Sheridan “spent the remainder of the day in silence, with a few select friends, at his residence in Great Queen Street.”[303]

Rivers House.

The first occupant of the house immediately to the east of Bristol House, occupying the site of what were afterwards Nos. 59 and 60, Great Queen Street, was the Spanish Ambassador, who has been shown above[304] to have been in residence on 22nd January, 1637–8. A reference to his occupation of the house occurs in the following: “May 10, 1638. The Spanish Ambassador, the Conde de Oniate, accompanied with an Irish gentleman of the order of Calatrava, in the Holy Week, came to Denmark House to do his devotions in the Queen’s Chapel there. He went off thence about 10 o’clock, a dozen torches carried before him by his servants, and some behind him. He and the Irish gentleman were in the front with their beads in their hands, which hung at a cross, some English also were among them; so that with their own company and many who followed after, they appeared a great troop. They walk from Denmark House down the Strand in great formality, turn into the Covent Garden, thence to Seignior Con’s house in Long Acre, so to his own house in Queen’s Street.”[305] Writing to Sir John Pennington from the Earl of Northumberland’s residence [i.e., probably next door] on 21st November, 1638, Thomas Smith says: “The Spanish Ambassador was robbed here last night of all his church plate. The thieves are not heard of.”[306]

In July, 1641, the Countess Rivers purchased the house, being already in occupation of the premises.[307] This was Elizabeth, eldest daughter and co-heir of Thomas Darcy, Baron Darcy of Chich, afterwards created Viscount Colchester and (on 4th November, 1626) Earl Rivers. She married, in 1602, Sir Thos. Savage, Bt., of Rock Savage, Chester, who was created Viscount Savage on the same day that his father-in-law was raised to the earldom. He died in 1635, and in April, 1641, about 68fifteen months after her father’s death, his widow was created Countess Rivers for life. She died in March, 1651.

Elizabeth, Countess Rivers.

The Subsidy Roll for 1646 contains among the few items relating to the south side of Great Queen Street, one, “The Lady Savige her house,” which undoubtedly refers to the Countess Rivers. That she was resident at the house that year appears from the fact that in April, 1646, she petitioned[308] the House of Lords, stating that her houses in Suffolk and Essex, with all her personal estate, had been utterly wasted and destroyed, so that if she and her family were forced to leave their present residence they must be exposed to a misery not to be expressed. She pointed out that both she and her servants had taken the negative oath, and therefore she prayed for a licence for herself and family to remain in her house in Queen Street.

On the Countess’s death the house presumably came into the possession of her son, the second Earl Rivers. John Savage, born before 1610, succeeded his father as Viscount Savage in 1635, and his maternal grandfather as Earl Rivers in 1640. He died in 1654, and was succeeded by his son Thomas, third Earl Rivers, born before 1626.[309] The third Earl’s residence at the house in Great Queen Street was divided into two periods, the house having apparently been let for some time circ. 1670–80. That the Savage family were in occupation in 1658 is clear from the terms of a letter[310] dated 24th September in that year from Sir William Persall:

“Our Queen Street news is ill; my Lady Rivers[311] is in a very ill condition of health.” The Hearth Tax Rolls for 1665 and 1666[312] give the name of the Earl in connection with the house, and to this period is apparently to be assigned the further letter[313] dated 3rd October, in an unknown year, by Sir William Persall, in the following terms: “Give me leave to render you the history of our Queen Street family, and the reason of the bill on the door which found at my coming up. They had intelligence that the constables were to come and present the names of all church absentees popishly affected;[314] so they consulted in my absence and resolved to set the bill on the door, and give it out my Lady Rivers was in the country, Sir Francis Petre[315] in common garden[316] out of the parish, Sir Will. Persall gone to live at his house in the country, none but servants left; when everyday half-a-dozen coaches come to visit us, and the baskets of meat as full as ever, and two or three brewers still carrying in ale and beer; and all for Tom Browne, who, poor man, is already half damn’d with telling of lies to all that come to inquire of us, as well friends as others. But they have given us in, as Tom Brown reported that we were all gone except my Lady Mary,[317] who is but fifteen, and so incapable to take the oath, and yet I hear they have taken our names again.”

In the Hearth Tax Roll for 1673 Col. Thos. Howard is shown as occupying the 69house. He was succeeded by “Lord Obryant” (Hearth Tax Roll for 1675). This is undoubtedly Lord O’Brien, afterwards the second Earl of Inchiquin.

O’Brien.

William O’Brien, son of Murrough O’Brien, sixth Baron and first Earl of Inchiquin, was born about 1638. He was brought up in London at the house of Sir Philip Perceval, and afterwards saw much military service with his father in France and Spain. In 1660 they were both captured by an Algerian corsair, and carried into Algiers, but were subsequently ransomed by the English Government. His residence in the house in Great Queen Street seems to have begun about November, 1673. Writing to Williamson on the 28th of that month,[318] he says: “I rejoice at nothing more in my remove to Queen Street than to be able to assure you that besides a hearty welcome, there is a couple of good rooms at your command.” Again, on 20th February, 1673–4,[319] he writes to Williamson with reference to the latter’s German voyage, adding that “your poor friends in Queen Street wish you really as well as any of those that contrive this voyage for you.” A few weeks afterwards he was appointed captain general of the forces in Africa and governor and vice-admiral of Tangier, a position which he held for six years. He succeeded his father in the title on 9th September, 1674. On the Revolution he supported William III. and in 1690 was appointed captain general and governor of Jamaica, where his troubles with the French and negroes, increased by his want of tact, undoubtedly shortened his life. He died in January, 1691–2.

The ratebook for 1683 shows the house again in the occupation of Earl Rivers. He died in 1694 at the house in Great Queen Street.[320]

The Jury Presentment Roll for 1698 shows “Lady Rivers” at the house, but whether this refers to the widow of the third Earl[321] or the second wife of the fourth Earl[322] is not known.

In the ratebook for 1700 no name appears against the house, but in those for 1703 and 1709 Earl Rivers is shown in occupation. Richard, the fourth Earl (“Tyburn Dick”) was handsome, brave, and a most notorious rake. As Lord Colchester (a title he obtained after his elder brother’s death), he had been the first nobleman to welcome the Prince of Orange on his landing. During William’s reign he saw a great deal of military service in Ireland and on the Continent. Being strongly recommended by Marlborough, he was in 1706 appointed to the command of a force originally intended for a descent on France, but afterwards diverted to Portugal. Rivers was, however, superseded within a few weeks after his landing and returned home. He owed much to Marlborough’s influence, but being unable, in 1709, to induce him to support his candidature for the position of constable of the Tower, he paid court to the other side, and the grant to him of the appointment on the recommendation of Harley was the first sign of the coming fall of the Whigs. High in favour, he was in 1710 sent on a delicate political mission to Hanover, and in 1711 was created master of the ordnance. He died in August, 1712, at his house at Ealing Grove.

In his will[323] he left to Mrs. Elizabeth Colleton alias Johnson,[324] “all my mansion house called Rivers House, scituate in Great Queen Street,” and in the ratebook for 1715 the occupant of the house is given as “Mrs. Eliz. Collington,” with a note “an ambassador’s house and gone away.”

70The next occupant of the house was apparently William, sixth Baron North.[325] He was son of Charles, fifth Baron North, who had on his marriage with Catherine, only daughter of William, Lord Grey of Wark, taken the title of Lord Grey. He succeeded to the titles in 1691. He served with Marlborough throughout the war of the Spanish Succession, at the end of which he held the rank of lieutenant-general. During the latter part of Anne’s reign his Jacobite sympathies became more and more pronounced. On the accession of the Hanoverian dynasty he therefore became an object of suspicion, and on 28th September, 1722, was committed to the Tower for complicity in Atterbury’s plot.[326] He escaped and was re-arrested, but subsequently was admitted to heavy bail. Shortly afterwards he left the country and never returned, dying at Madrid in October, 1734. His residence at Rivers House must have been short, commencing some time between 1715 and 1720, and terminating either at or before his committal to the Tower in 1722.

In the will of Richard, fourth Earl Rivers, there is mention of “Miss Bessy Savage,” to whom the Earl left £10,000 on condition that she married with the consent of Mrs. Colleton. “Bessy” was the Earl’s illegitimate daughter by the latter, and in August, 1714, when she was fifteen years old, she married “with consent of her mother”[327] the third Earl of Rochford. As Rivers House is found in her possession, she evidently obtained it, either by gift or bequest, from her mother, to whom Lord Rivers had left it.

Frederick Nassau de Zuylestein,
Earl of Rochford.

Frederick Nassau de Zuylestein, third Earl of Rochford, was born in 1683, and succeeded to the title in 1710. His occupation of Rivers House began some time before 1723, the ratebook for the latter date giving his name in connection with the house, which continued to be his town residence[328] until the end of his life. He died on 14th June, 1738, at his house in Great Queen Street,[327] and his wife, with but little delay, married again,[329] her second husband being the Rev. Philip Carter. Early in the following year Rivers House was sold[330] and demolished, two houses being erected on the frontage to Great Queen Street.

The names of the occupiers of these two houses (Nos. 59 and 60) up to 1800 were as follows:—

No. 59.   No. 60.
1743–46. Mrs. Clive. 1743–46. Matthew Hone.
1747. Cath. Clive. 1747–52. Edw. Borrett.
1748–53. Eliz. Hill. 1753. W. G. Freeman.
1754–57. —— Cheeke. 1754–60. Joseph Blisset.
711758. Mrs. Pont. 1760–74. John Twelves.
1758–62. Thos. Webb. 1775. John Cooper.
1763–68. Augustin Noverre. 1776–79. Thos. Cooper.
1768–79. Thos. Vaughan. 1780–81. —— Plowden.
1779–82. Miss Savill. 1781–84. —— Burnett.
1782–84. —— Hughes. 1784–95. Miss Ride.
1784–85. —— Garnault. 1795–99. Wm. Byrn.
1785–99. John Hughes. 1799– John Crace.
1799– —— Jackson.    

The Catherine Clive, who is shown by the ratebooks of 1743 to 1747 as the occupier of No. 59, Great Queen Street, is almost certainly the famous singer and actress usually known as Kitty Clive, but apart from Heckethorn’s statement,[331] for which no authority is quoted, that about the year 1733 she was probably living at No. 56, no evidence to confirm the fact of her residence in the street has been found. She was born in 1711, her father, William Raftor, being an Irish lawyer, who supported James II. at the battle of the Boyne, and afterwards settled in London. Kitty’s lack of refinement and even of the rudiments of education suggests that her training as a child was neglected, but the story that while engaged in cleaning the steps of a lodging-house she attracted the notice of some actors under whose auspices she was introduced to the stage is open to considerable doubt. Her marriage to George Clive, a barrister, was a mistake, and the parties agreed to separate. They were living together in 1734 when Fielding wrote of her in the preface to the Intriguing Chambermaid. “Great favourite as you ... are with your audience you would be much more so ... did they see you ... acting in real life the part of the best wife, the best daughter, the best sister, and the best friend.” She acted generally at Drury Lane, being almost entirely in Garrick’s company from 1746 until her retirement in 1769. Although she excelled in comedy and character parts of middle and low life, she occasionally essayed work of a higher character, as, for instance, when she sang the music of “Delilah” at the first production in 1742, of Handel’s Samson. On her retirement she withdrew to a house at Strawberry Hill, which Horace Walpole had given her some years before,[332] and here she died in 1785. Johnson had a high opinion of her acting, and his opinion of her as a woman is shown by his remarks to Boswell. “Clive, sir, is a good thing to sit by; she always understands what you say.... In the sprightliness of humour I have never seen her equalled.”[333]

Thomas Vaughan, nicknamed “Dapper” by Colman, was a mediocre dramatist of the latter part of the eighteenth and the beginning of the nineteenth centuries. One of his chief plays, The Hotel; or the Double Valet, has the preface dated: “Great Queen Street, 2nd December, 1776.” Vaughan is said to have been the original of Dangle in Sheridan’s Critic.

House adorned with the Queen’s statue.

It has been seen[334] that the house adjoining Rivers House on the east was built in 1637. Although not certain, it seems very probable that the first occupant was the Earl of Northumberland. It is known that Northumberland’s house adjoined Conway House,[335] the next in order to the east from that which is here in question, but there is no definite evidence as to whether it lay to the east or west of it. It 72would, however, seem that the house to the east was not built until 1640,[336] and as Northumberland was certainly in residence in Great Queen Street in 1638 it follows, if the assumption be correct, that his house adjoined Conway House on the west.

Algernon Percy, tenth Earl of Northumberland, was born in London in 1602, and succeeded to the title in November, 1632. He was much favoured by Charles I., who was most anxious to secure his support, and who, as the king himself afterwards declared, “courted him as his mistress.”[337] He received the Order of the Garter in 1635. In 1636, and again in 1637, he was appointed admiral of the fleet raised by means of ship money. In March, 1638, he was made Lord High Admiral of England; in July of the same year he was placed on the committee for Scottish affairs; and in the following March was appointed general of the forces south of the Trent and a member of the Council of Regency. He had taken up his residence in Great Queen Street some time before November, 1638, for, beginning in that month,[338] there are many letters extant, written by him or on his behalf, headed “Queen Street,” “Earl of Northumberland’s house in Queen Street,”[339] “My house in Queen Street.”[340] The last that has been discovered is dated 10th June, 1640.[341] In February of the latter year he was appointed general of the forces raised for the second Scottish War, but he fell ill in August and his place was taken by Strafford. Always dissatisfied with the king’s policy, Northumberland showed himself more and more in sympathy with Parliament as the conflict drew near, and his position secured to the parliamentary leaders the control of the navy, his dismissal by the king in June, 1642, coming too late. From this time until the king’s death, Northumberland conscientiously acted the role of peacemaker. He strongly opposed the king’s trial and after its tragic conclusion, held entirely aloof from public affairs. On the Restoration he was sworn a member of the privy council, and was appointed lord-lieutenant of Sussex and of Northumberland, but took no part in politics. He died in 1668.

Whichever of the houses on either side of Conway House formed the Earl’s residence, he had left it before the end of 1641, for according to a deed[342] of 20th December in that year, the house to the east of Conway House was then in the occupation of the Countess of Essex, while that on the west, with which we are here concerned, was occupied by the “Lord Awbyney.”

George Stuart, ninth seigneur D’Aubigny, was the fourth son of Esmé, third Duke of Lennox. He married Catherine Howard, eldest daughter of the second Earl of Suffolk.[343] On the outbreak of the Civil War he embraced the royal cause, and was slain at Edgehill in October, 1642.

The exact period of his residence in the house in Great Queen Street is uncertain. Assuming that the Earl of Northumberland was the previous occupant, D’Aubigny must have entered into occupation some time between May, 1640, and 73December, 1641. Some ground for assuming that he had at the latter date quite recently taken up his residence here may be found in the fact that in a deed dated 31st July, 1641,[344] relating to Rivers House, the premises mentioned as the eastern boundary are simply referred to as “a new messuage where the statue of the Queenes Majestie is placed,” without any occupant’s name being given. This detail is, on the contrary, given in the case of the western boundary of the property, and it seems likely that the omission in the former case is due to the fact that the house was then unoccupied. Too much weight, however, cannot be assigned to the argument.

The next mention of the house is in October 1645, when it was in the occupation of Colonel Popham.[345] From the following, dated 24th February, 1653, it would appear that either before 1645, or between then and 1653, Lord Montagu had acquired an interest in the house. “Upon hearing of Colonel Alexander Popham, a member of Parliament, concerning the house which he holds from ye Lord Mountague scituate.... It is ordered that ye said Colonel Popham doe pay ⅔ of the rent due for ye said house to ye use of ye Commonwealth which is sequestered for the recusancy of the said Lord Mountague.”[346] Afterwards Lord Montagu himself resided at the house, the Hearth Tax Rolls for 1665, 1666 and 1673 giving his name in respect of the premises.[347]

Francis Browne, third Viscount Montagu, the only son of Anthony Maria Montagu, the second Viscount, was born in 1610, and succeeded to the title in October, 1629. He died in November, 1682.[348] The Hearth Tax Roll for 1675 shows Lady Montagu[349] at the house.

The next occupant whose name is known was “Lord Dilleage,”[350] of whom nothing can be found.

In two much later documents[351] it is stated that before the division of the house into two it formed the residence of the Marquess of Normanby, and the Jury Presentment Roll for 1698 shows the Marquess in occupation of the house in that year. This was John Sheffield, son of Edmund Sheffield, second Earl of Mulgrave. He was born in 1648, and succeeded to the earldom ten years later. He saw both naval and military service during the reign of Charles II., and in 1680 commanded an expedition for the relief of Tangier. With James II. he was in high 74favour. At the Revolution he quietly submitted, but was for several years in opposition to the court party. In 1693–4 he showed signs of a desire to support the government, and in May, 1694, was encouraged in his attitude by being created Marquess of Normanby. Two years later, however, he resumed his policy of opposition. On the accession of Anne he was at once taken into favour and appointed Lord Privy Seal. In March, 1703, he was made Duke of Buckingham and Normanby, and later on was appointed one of the commissioners to arrange the treaty of union with Scotland. In 1710 he became Lord President of the Council. On the arrival of George I. he was removed from all his offices. He died in February, 1721, at Buckingham House, St. James’s Park.

Sheffield.

He was not only a munificent patron of literature, Dryden and Pope particularly being under obligations to him, but also himself an author. Chief among his writings were: Essay on Poetry, Essay on Satire, Account of the Revolution. Mention should also be made of his extraordinary revision of Julius Cæsar, which he broke up into two plays and rewrote, and into which he introduced love scenes.

The period of his residence at the house in Great Queen Street cannot be exactly determined. He was not there in 1683, but a letter from him (as Lord Mulgrave) to Dykevelt, headed “Queen Street,” dated, “March 8th,” and assigned to the year 1691,[352] affords some evidence towards limiting the date of the beginning of his occupation. His removal from the house seems to lie between 1698 and 1700, the ratebook for the latter year having no entry in respect of the house.

In 1702 the house was purchased of William Withers by Robert Lane and Jonathan Blackwell,[353] apparently on behalf of their brother, Ralph Lane, an eminent Turkey merchant. Lane divided the house, letting off the portion fronting the street, and reserving for his own use that in the rear. This he used as his own house[354] until his death in 1732. By his will,[355] dated 15th June, 1726, he left his “two messuages or tenements” in Great Queen Street to his wife Elizabeth for her widowhood, and the reversion to his brothers in trust for his daughters, the Lady Parker[356] and Byzantia.[357] A codicil of 6th July, 1728, however, revoked this and settled the property on his wife absolutely.

The widow is shown in the ratebooks as occupying the house from 1733 to 1753 inclusive. She died in March, 1754, leaving[358] her “two freehold messuages scituate in Great Queen Street ... one of them being in [her] own occupation, and the other adjoyning thereto, in the occupation of Mr. Hudson,” to her grandson, George Lane Parker, the younger son of her daughter and the Earl of Macclesfield.

In 1764 Parker sold[359] both of the houses to Philip Carteret Webb, who was already in occupation of the house in the rear, having, in fact, succeeded Mrs. Lane in the year in which she died.

Philip Carteret Webb was born about 1700. In 1724 he was admitted attorney-at-law, and soon acquired a great reputation for knowledge of records and of precedents of constitutional law. He was employed in connection with the prosecution of the prisoners taken in the rebellion of 1745, and in that of John Wilkes. For his share in the latter he incurred great obloquy, culminating in 1764 in a trial for perjury, in which, however, the jury returned a verdict of “Not guilty.” When in January, 751769, he was charged in the House of Commons with having used the public money to bribe witnesses against Wilkes, counsel pleaded on his behalf that he was now blind and of impaired intellect, and the motion against him was defeated. He died in the following year, leaving[360] all his property to his wife Rhoda.

Webb was a Fellow of the Society of Antiquaries and of the Royal Society. He had acquired large collections of MSS., coins and medals, marble busts and bronzes.

His widow married, in 1771, Edward Beavor, whose name is found in the ratebooks in connection with the house from that date until 1774. On 16th November, in the latter year, the two houses were sold[361] to Trustees for the Freemasons, who have ever since held the property.

It is now time to return and trace the history of the other of the two portions into which Lane had divided the house, viz., that part which fronted Great Queen Street.

Burnet.

The ratebook for 1709 gives “the Bishop of Salisbury” as the name of the occupant at that time. This must refer to the famous Gilbert Burnet, who held the see of Salisbury from 1689 until his death in 1715. He was born in Edinburgh on 18th September, 1643, and having, as a precocious boy, entered the Marischal College of Aberdeen at the age of ten, he became master of arts by the time he was fourteen. The next few years were devoted to the study of divinity and history and to travel. In 1665 he was appointed minister of Saltoun, but resigned in 1669, when he became professor of divinity at Glasgow University. He made several visits to London, and in 1674, having incurred the jealousy of Lauderdale, he resigned his professorship and settled in London. In 1675 he was made chaplain to the Rolls Chapel, the lectureship to St. Clement’s being added shortly afterwards. In 1676 he took a house in Lincoln’s Inn Fields, next door to Sir Thomas Littleton, and stayed there apparently for six years.[362] Littleton at some time between 1675 and 1683 occupied No. 52, Lincoln’s Inn Fields,[363] and though, in the absence of more definite information, it cannot be proved that this was the house he was occupying in 1676, it is extremely probable that this was the case. If so, Burnet’s house was No. 51, as it is known that Nos. 53–4, the house on the other side, was at the same time in the occupation of the Countess of Bath. After the Rye House plot in 1683 and the execution of his friend William, Lord Russell, Burnet withdrew to France, and on his return in 1684 was deprived of his positions. Upon the accession of James he again withdrew to the Continent, finally accepting an invitation from William and Mary to settle at the Hague, where he was instrumental in reconciling them.[364] He accompanied William to England, was responsible for the form in which William’s Declaration appeared in English,[365] and was rewarded for his services with the Bishopric of Salisbury. Notwithstanding a subsequent decrease in favour with William, he was offered in 1698 the position of governor to the young Duke of Gloucester, and accepted it on conditions which allowed him to attend to the affairs of his diocese.[366] The most lasting achievement of his later years was the provision for the augmentation 76of poor livings, generally known as Queen Anne’s Bounty, which became law in 1704. He died on 17th March, 1714–15, and was buried in St. James’, Clerkenwell, having resided at St. John’s Court in that parish for some years.[367] His chief characteristic was tolerance, which he continually urged, whether towards Scotch Presbyterians in his early days, to Roman Catholics at the time of the “popish plot” in 1678, or to non-jurors and Presbyterians in his own diocese. His chief literary works were:—History of the Reformation, published between 1679 and 1714; Exposition of the Thirty-nine Articles, published in 1699; and a History of My Own Time, which was published posthumously in 1723 and 1734.

The ratebooks for 1715 and 1720 show “Lady Anne Dashwood” at the house. Apparently this was Anne, daughter of John Smith, of Tudworth, Hants, widow of Sir Samuel Dashwood, Lord Mayor in 1702–3, who was knighted in July, 1684, and died in 1705.[368] She died on 16th June, 1721.[369]

In 1723 “Lord Bellomonte” was resident at the house. This was Richard Coote, fourth Earl Bellamont. He was born in 1683, and succeeded to the earldom in 1708. He was married twice, his second marriage (to Lady Oxenden) taking place in 1721 at St. Giles-in-the-Fields. On his death in 1766 the earldom became extinct.[370] Lord Bellamont seems to have removed to Nos. 55–56, Great Queen Street and to have left there in 1729 or 1730.[371]

From 1730 onwards, until the date of acquisition by the Freemasons, the occupants of the house were as follows:—

1730–33. Thos. Iley.
1737. Earl of Macclesfield.
1740–42. —— Vanblew.
1746. Geo. Hudson.
1747–64. Thos. Hudson.
1765–67. Thos. Worlidge.
1768–75. Jas. Ashley.

George Parker, second Earl of Macclesfield, was born in 1697. He married in 1722 Mary Lane,[372] and succeeded to the earldom in 1732, at which time he was resident in Soho Square.[373] He had a great taste for mathematics, in which he had been instructed by Abraham de Moivre and William Jones, and, aided by James Bradley, who afterwards, by his influence, became astronomer-royal, erected about 1739 an astronomical observatory at his residence at Shirburn Castle, Oxfordshire. From 1740 until near his death, he carried out a series of personal astronomical observations. Macclesfield was the principal author of the measure which brought about the change of style in 1752, and in consequence incurred great unpopularity among the ignorant, who imagined that they had been robbed of eleven days. In 1762 he was elected President of the Royal Society, a position which he held until his death in 1764.

Thomas Hudson was born in Devonshire in 1701. He became a pupil of Jonathan Richardson, the elder, portrait painter (with whose daughter he made a runaway match), and on setting up for himself in the same profession, soon attained to great eminence, though his prosperity faded with the rise of one of his pupils, Joshua 77Reynolds.[374] His residence in Great Queen Street began about 1746,[375] and continued until about 1764,[376] when he retired to Twickenham[377] where he died in January, 1779.

He was succeeded in his occupation of the house in Great Queen Street by Thomas Worlidge,[378] painter and etcher. Worlidge was born at Peterborough in 1700. He came to London about 1740, and settled in the neighbourhood of Covent Garden, where he remained for the rest of his life, residing at various times in The Piazza, Bedford Street, King Street, and, finally, Great Queen Street. He first made a name by his miniature portraits, but eventually concentrated his energies on etching in the style of Rembrandt. He died at Hammersmith in September, 1766. His name appears in the ratebook also for 1767, and this is explained by the fact that his widow “carried on the sale of his etchings at his house in Great Queen Street.”[379] Shortly afterwards Mrs. Worlidge married a wine and spirit merchant named Ashley,[379] who had been one of Worlidge’s intimate friends, and in accordance with this is the fact that in the ratebook for the following year (1768) “James Ashley” is shown at the house.

In 1774, the premises were occupied for a short time by Mary Robinson (née Darby), afterwards known as “Perdita,” who had just got married. Perdita’s own account of the matter is as follows: “On our return to London after ten days’ absence, a house was hired in Great Queen Street, Lincoln’s Inn Fields. It was a large, old-fashioned mansion, and stood on the spot where the Freemasons’ Tavern has since been erected. This house was the property of a lady, an acquaintance of my mother; the widow of Mr. Worlidge, an artist of considerable celebrity. It was handsomely furnished, and contained many valuable pictures by various masters. I resided with my mother; Mr. Robinson continued at the house of Mr. Vernon and Elderton in Southampton Buildings.”[380]

Mary, who was born at Bristol in 1758, had spent an unhappy childhood, and had now, when only sixteen, contracted a loveless marriage. At her husband’s request the nuptials were kept secret, but after four months her mother insisted on their being made public. After a visit to the west of England and stay of “many days” 78at Bristol, she removed from Great Queen Street to No. 13, Hatton Garden, a house which had been recently built.[381] Her remarkable beauty caused her to receive many attentions, and she was neglected by her husband. On his imprisonment for debt, however, after less than two years’ married life, she shared his confinement, and was for nearly ten months in the King’s Bench Prison. She then secured an engagement at Drury Lane, where she made her first appearance in December, 1776, as Juliet. Her stage career lasted until May, 1780. When taking the part of “Perdita” in a performance of the Winter’s Tale in December, 1778, she captivated the Prince of Wales (afterwards George IV.), and after a correspondence in which the writers signed themselves “Florizel” and “Perdita” she became his mistress for about two years. He then deserted her, dishonouring his bond for £20,000, payable on his coming of age. In 1783 she managed to obtain a pension of £500 a year. She never returned to the stage, but devoted herself to literature. In her own day she was called the English Sappho, but her reputation in this respect has not endured. She died, crippled and impoverished, at Englefield Cottage, Surrey, in 1800.

Conway House.

Conway.

The first occupant of the fourth house on the site of the Freemasons’ buildings seems to have been Lord Conway. A deed, dated 20th December, 1641,[382] mentions Edward, Lord Viscount Conway, as then in occupation, and no doubt the house is identical with that referred to as Lord Conway’s residence in Queen Street in a letter dated 31st March, 1639.[383]

Edward, second Viscount Conway and Killultagh, was born in 1594, and succeeded to the title in February, 1631.[384] Shortly afterwards he was living in Drury Lane.[385]

His residence in Great Queen Street dates from 1638 or the commencement of 1639, but he did not purchase the house until 17th July, 1645.[386]

Conway died at Lyons in 1655[387], and was succeeded by his son Edward, the third Viscount and first Earl of Conway, born about 1623. He held several important military appointments, and was for two years, 1681–3, secretary of state for the north department. He was the author of a work entitled Opuscula Philosophica. He was married three times, his first wife being Anne, the daughter of Sir Henry Finch. Lady Conway was a most accomplished woman, her chief study being metaphysical science, which she carried on with the utmost assiduity in spite of tormenting headaches which never left her. In later life she adopted the tenets of the Society of Friends. She died on 23rd February, 1679, while her husband was absent in Ireland, but in order that he might be enabled to see her features again, Van Helmont, her physician, preserved the body in spirits of wine and placed it in a coffin with a glass over the face. The burial finally took place on 17th April, 1679. She was the author of numerous works, but only one, a philosophical treatise, was printed, and that in a Latin translation published at Amsterdam in 1690. Conway was created an Earl in 1679 and died in August, 1683, leaving his estates to his cousin, Popham Seymour, who assumed the name of Conway.

Up to 1670 the Earl seems to have resided frequently in Great Queen Street. The Hearth Tax Rolls for 1665 and 1666 show him as occupier, though the former 79contains a note: “Note, Lord Wharton to pay,”[388] and several references to his residence there occur in the correspondence of the time. Thus on 18th March, 1664–5, he writes to Sir Edward Harley, “Direct to me at my house in Queen Street”;[389] in June [?], 1665, he informs Sir John Finch: “I am settled in my house in Queen Street”;[390] a letter to him describes how on the occasion of the Great Fire in 1666, “your servant in Queen Street put some of your best chairs and fine goods into your rich coach and sent for my horses to draw them to Kensington, where they now are”;[391] on 19th October, 1667, his mother writes to him at “Great Queen Street, London”;[392] in February, 1667–8, he tells Sir J. Finch that he hopes “you will ere long be merry in my house in Queen Street, which you are to look upon as your own”;[393] and on 4th March, 1668–9, Robert Bransby asks for payment of his bill of £200 “for goods delivered at your house in Queen Street.”[394] On 25th September, 1669, we learn that a new (or perhaps rather an additional) resident is expected, Edward Wayte mentioning in a letter that “the room your lordship wished to have new floored is going to be occupied by Lord Orrery’s[395] daughter, who is coming with her mother to England.”[396] The visit evidently took place, for on 4th November, 1669, Conway’s importunate creditor, Bransby, writes, in connection with the non-payment of his account, “I beg the delivery of divers goods in the house in Queen Street, which are being used by some of Lord Orrery’s family, and also of some green serge chairs lent, which are in your study”;[397] and again on 15th March, 1669–70: “there are some goods belonging to me in the house in Queen Street, which are in Lord Orrery’s wearing.”[398] Later in the same year the house seems to have been given up, as Bransby on 27th September in the course of another pitiful complaint says: “I hear that you have disposed of your house in Queen Street and sent the furniture to Ragley.”

The Hearth Tax Roll for 1673 shows the house in occupation of “Slingsby, Esq.,” who was probably the immediate successor of Conway.

In the absence of more definite information Slingsby cannot be identified. It is just possible that he was Henry Slingsby, the Master of the Mint, and friend of Evelyn.

In the Hearth Tax Roll for 1675 the house is shown as empty, and in the ratebook for 1683 the name of the occupier is given as: “Sir Fr. North, Knt., Lord Keeper of the Great Seal of England.” It is known (see below) that the offices of the Great Seal were situated in this street in 1677, and there can be no doubt that this was the house.

It would appear, therefore, that the premises were taken for the purpose of the offices of the Great Seal some time in the period 1675–77, and consequently during the time that the seal was in the custody of Finch.

Heneage Finch, first Earl of Nottingham, was born in 1621, the eldest son of Sir Heneage Finch, recorder of London and speaker in Charles I.’s first parliament. On leaving Christ Church he joined the Inner Temple, where he acquired a great 80reputation and an extensive practice. On the Restoration he became solicitor-general and was created a baronet. As the official representative of the court in the House of Commons, he seems to have given every satisfaction to the king, despite the fact that on at least one important point (the toleration of dissent) he opposed the royal desire. He was indeed in such favour that the king, with all the great officers of state, attended a banquet in his house at the Inner Temple in 1661. In 1670, he became attorney-general and counsellor to the queen. On the dismissal of Shaftesbury in 1673, he was made Lord Keeper of the Great Seal, and was raised to the peerage as Baron Finch of Daventry, and a year afterwards was appointed Lord Chancellor. During his term of office the well-known burglary took place at the house in Great Queen Street. Under date of 7th February, 1676–7, Anthony Wood writes: “About one or two in the morning the Lord Chancellor his mace was stolen out of his house in Queen Street. The seal lay under his pillow, so the thief missed it. The famous thief that did it was Thomas Sadler, soon after taken and hanged for it at Tyburn.”[399]

Finch.

As Lord Chancellor, Finch had the unpleasant task of explaining to the House of Commons how the royal pardon given to Danby in bar of the impeachment bore the great seal. He was created Earl of Nottingham in 1681 and died in December, 1682. “The fact that throughout an unceasing official career of more than twenty years, in a time of passion and intrigue, Finch was never once the subject of parliamentary attack, nor ever lost the royal confidence, is a remarkable testimony both to his probity and discretion.”[400] He was the Amri of Dryden’s Absalom and Achitophel.

North.

Francis North, first Baron Guilford, was the third son of Dudley, fourth Baron North, and was born in 1637. He entered the Middle Temple in 1655, and at once gave himself up to hard study. He was called to the Bar in 1661, and seems very early to have acquired practice. His first great case occurred in 1668, when he was called upon, in the attorney-general’s absence, to argue in the House of Lords for the King v. Holles and others. He at once sprang into favour and became king’s counsel. In 1671 he was made solicitor-general and received the honour of knighthood. In 1673, he succeeded Finch as attorney-general, and in 1675 was appointed chief justice of the common pleas. On the death of the Earl of Nottingham in 1682 he succeeded him as Lord Keeper, and from that day, his brother Roger says, “he never (as poor folks say), joyed after it, and he hath often vowed to me that he had not known a peaceful minute since he touched that cursed seal.”[401] In 1683 he was raised to the peerage as Baron Guilford. From this time his health began more and more to fail, and though he continued diligently to perform his duties, he was compelled 81in the summer of 1685 to retire to his seat at Wroxton, Oxfordshire, taking the seal with him and attended by the officers of the court. Here he died on 5th September, 1685, and the next day his brothers, accompanied by the officials, took the seal to Windsor, and delivered it up to the king, who at once entrusted it to Jeffreys.

George Jeffreys, first Baron Jeffreys of Wem, was born in 1648 at Acton in Denbighshire. He was ambitious to be a great lawyer, and after overcoming with difficulty his father’s objections, he was admitted to the Inner Temple in 1663. He was called to the Bar in 1668, and by his wit and convivial habits making friends of the attorneys practising at the Old Bailey and Hicks’s Hall, he soon gained a good practice. He was appointed common serjeant of the City of London in 1671. He now began to plead in Westminster Hall, and by somewhat doubtful means he obtained an introduction to the court. In 1677 he was made solicitor-general to the Duke of York, and was knighted, and in 1678 became Recorder of the City. Both as counsel and recorder he took a prominent part in the prosecutions arising from the Popish Plot, and as a reward for his services in this direction, and for initiating the movement of the “abhorrers” against the “petitioners,” who were voicing the popular demand for the summoning of parliament, he was appointed chief justice of Chester.

The City having complained to the House of Commons of the action of its recorder in obstructing the citizens in their attempts to have a parliament summoned, the House passed a resolution requesting the king to remove him from all public offices. The king took no such action, but Jeffreys submitted to a reprimand on his knees at the bar of the House, and resigned the recordership, eliciting the remark from Charles that he was “not parliament proof.”

In 1683, Jeffreys was promoted to be Lord Chief Justice, and was soon a member of the privy council. Shortly afterwards he tried Algernon Sidney for high treason, conducting the proceedings with manifest unfairness and convicting the prisoner on quite illegal grounds. On the accession of James II. in 1685, he was raised to the peerage, an honour never before conferred upon a chief justice during his tenure of office.

In July, after the battle of Sedgmoor, he was appointed president of the commission for the western circuit, and on 25th August he opened the commission at Winchester. This, the “bloody assizes,” was conducted with merciless severity, but the king was so satisfied that, on Jeffreys calling at Windsor on his return to London, he was given the custody of the great seal with the title of Lord Chancellor. During the next three years he vigorously supported the king in his claims to prerogative. He presided over the ecclesiastical commission, and over the proceedings against the Universities. Jeffreys thus became identified with the most tyrannical measures of James II., and therefore, when the king in December, 1688, fled from the country, he also endeavoured to escape. He disguised himself as a common sailor, but was recognised, and was only saved from lynching by a company of the train-bands. He was confined at his own request in the Tower, and here, his health having been seriously undermined by long continued disease and dissipation, he died in April, 1689. His name has become a by-word of infamy, although there can be little doubt that he was not entirely as black as he has been painted, and no impartial account can fail to insist on the traditional picture of him being modified in many respects. Nevertheless, when every allowance is made, the character of Jeffreys is one of the most hateful in English history.

On his accepting the Great Seal he also took over the house in Great Queen Street,[402] but about 1687 he removed to the new mansion, which he had had built in Westminster overlooking the park.[403]

82For the next few years the history of Conway House is a blank. In 1696 a private Act[404] was obtained, which, after reciting that there was a mansion house, with stables and outhouses, in Queen Street, St. Giles, forming portion of the estate belonging to the Marchioness of Normanby[405] (life tenant) and of the estate belonging to Popham Seymour alias Conway, and that the house was liable to fall down from want of repair, gave authority to arrange with a builder to effect the repairs and to let the house for 51 years at a proper rent.

The work was evidently carried out without delay, for the Jury Presentment Roll for 1698 has the entry “Dr. Chamberlain for the Land Credit Office,” but little luck seems to have attended the house during most of its remaining half-century of existence.

The sewer ratebooks for 1700 and 1703 make no mention of the house. Those for 1715, 1720 and 1723, and the parish ratebooks from their commencement in 1730 until 1734 mention it as “The Land Bank.” The first entry refers to it as “Empty many years,” and it was still empty in 1720. Certain deeds of later date[406] allude to the premises as a “large old house or building commonly called or known by the name of the Land Bank.”[407]

The Land Bank, as known to history, was an institution founded in 1696, for the purpose of raising a public loan of two millions on the basis of the estimated value of real property. Its promoter was Dr. Chamberlain, an accoucheur.[408] It is unnecessary to give here a full account of the scheme, but it may be regarded as certain that it would never have been supported in Parliament but for the satisfaction felt by many influential members in dealing a blow at the recently formed Bank of England.

The evidence given above is decisive as to some connection between the house and this scheme, but no reference to the former has been found amongst the literature on the Land Bank.[409] The fact that Dr. Chamberlain was in occupation of the premises in 1698, two years after the ignominious collapse of the scheme, shows that the Land Bank still pursued some kind of existence, and, indeed, there is other evidence that it was surviving in some form in January, 1698.[410]

The above evidence shows that for many years after Dr. Chamberlain’s tenancy the house lay empty, and not until 1735 is the name of an occupier given. This was Thomas Galloway, who stayed until 1739. After this, the house again remained empty, until in 1743 it was pulled down, and its frontage to Great Queen Street 83was occupied by four smaller houses. The residents in the two westernmost of these (the other two occupied the site of Markmasons’ Hall) were as follows:—

Eastern house.   Western house.
1746–47. Chas. Green. 1746–49. Jas. Lacey.
1748–51. —— Dickenson. 1750–61. Mrs. Eliz. Morris.
1751. Jas. Ord. 1761–63. J. Fanshawe.
1753–57. Mrs. Barbra Johnson. 1763–83. Eliz. Pollard.
1758. W. Westbrook Richardson. 1783–91. John Opie.
1759–75. John Johnson. 1791. — Leverton.
1776–83. J. Twiney. 1792– Mallard and Richold.
1783– Thos. Pope.    

John Opie, portrait and historic painter, was born in Cornwall in 1761. Instead of following his father’s trade as a carpenter, he took up painting and attracted the notice of Dr. Wolcot (Peter Pindar), who brought him after a while to Exeter, and in 1780 to London. Here Opie became known as the “Cornish wonder,” and, indeed, the fact that he, a carpenter’s son in a remote Cornish village, without any regular instruction or opportunity of studying the work of great painters, should at the age of nineteen have produced pictures which the most distinguished artists in the country admired and envied, justified the name. Wolcot’s introductions were the means of Opie securing many valuable commissions, and his popularity became enormous. During the spring of 1782, his lodgings in Orange Court, Castle Street, Leicester Square, were thronged with rank and fashion, and after he had moved to Great Queen Street in the following year, the street was at times blocked with the carriages of his sitters. His popularity, however, waned as suddenly as it had risen. This he had expected, and had striven, and continued to strive, to perfect himself in his art, and to supply the deficiencies in his education. In 1791, he moved from Great Queen Street to No. 8, Berners Street. In 1805 he was elected professor of painting to the Royal Academy, and the lectures which were delivered only a few weeks before his death form a contribution of permanent value to the literature of art criticism. He died in April, 1807, and was buried in St. Paul’s.

The Council’s collection contains:—

[411]Plan of premises before 1779 (photograph).

[411]Elevation of premises in 1779 (photograph).

[411]Exterior of the tavern in 1811 as designed by William Tyler in 1785 (photograph).

[411]The façade, designed by F. P. Cockerell (1866) (photograph).

[411]Elevation of the north end of the Temple, as designed by Thomas Sandby in 1775 (photograph).

[411]The disastrous fire at Freemasons’ Hall. The scene of the conflagration of 1883, from a woodcut (photograph).

[411]The Temple, looking south (photograph).

The Temple, looking north (photograph).

The chair of the Grand Master (photograph).

[411]View of the New Masonic Hall, looking south, pen sketch design by Sir J. Soane, (1828) (photograph).

Plan of the ground floor before the alterations of 1899 (measured drawing).

[411]Plan of the principal floor before the alterations of 1899 (drawing).

[411]Grand staircase (photograph).

First floor corridor (photograph).

[411]Vestibule to Temple, showing mosaic paving (photograph).

Interior of Banqueting Hall—Connaught Rooms looking north (photograph).

Three swords in museum (photograph).

84

XXXIX.—MARKMASONS’ HALL.

Ground landlords.

The United Grand Lodge of Antient Free and Accepted Masons of England.

General description and date of structure.

The origin of these premises, comprising the two easternmost of the four houses built in 1743 on the site of Conway House, has already been described.[412] In 1889 the houses, which had for many years been used for the purposes of Bacon’s Hotel, were occupied by the Grand Lodge of Mark Master Masons. The exterior and most of the interior has been rebuilt or modernised, with the exception of the two rooms on the first floor facing Great Queen Street, which appear to date from the rebuilding in 1743. The Board Room, to the east, has a fine carved deal mantelpiece and overmantel (Plate 29). The mantelpiece has a carved head, representing Bacchus in the frieze and scrolls at the sides. The overmantel takes the form of a picture with a carved frame and bold broken pediment over; the tympanum is filled with a finely carved basket containing flowers and fruit. The other feature of the room is a decorative ceiling (Plate 30), having a large central medallion representing children.

The Grand Secretary’s room has also a decorative plaster ceiling (Plate 31), with four oval medallions containing trees and flowers. The chimneypiece is a modern replica in wood and plaster of the one already mentioned.

Condition of repair.

The premises are in excellent repair.

Biographical notes.

The residents in the two easternmost of the four houses built on the site of Conway House in 1743 were as follows:—

Eastern house.   Western house.
1745–47. John Williams. 1745–51. John Moreton.
1748–51. Lily Aynscombe. 1753–58. Is. Hawkins Browne.
1753–56. Henry Shiffner. 1759–68. Mrs. Mary Clarke.
1758–87. Joseph Pickering. 1768–72. Ch. Raymond.
1787–91. —— Leverton. 1772–93. Joseph Hill.
1791–94. Wm. Hutchins. 1793–99. J. Bower.
1795. —— Savage. 1799– —— Baines.
1795– —— Dickenson.    

Henry Shiffner, on leaving the house in Great Queen Street, removed to No. 59, Lincoln’s Inn Fields, where he has left permanent traces of his occupation.[413]

The “Leverton” whose name appears in connection with the first and fourth (see p. 83) of the houses erected on the site of Conway House for the years 1787–91 85and 1791 respectively, was almost certainly Thomas Leverton, the architect. The Royal Academy Catalogues give the addresses of T. Leverton as follows: 1773–78, 1780–83 (Great Queen Street), 1784–5, 1787 (Charlotte Street, Bedford Square), 1794 (Great Queen Street), 1797 (Bedford Square). The Catalogue for 1792 shows “Leverton” (without initial) at 60, Great Queen Street. Unfortunately, his name does not appear in the Catalogues for the period 1787–91, and thus direct confirmation of his identity with the occupier of the houses in question is not possible. It may be added that there is no mention in the ratebook of any “Leverton” at No. 60 in 1792, and Leverton’s residences in Great Queen Street in the other years mentioned[414] would seem to have been in lodgings, as no trace of them can be discovered.

Isaac Hawkins Browne, poet, was born in 1705 at Burton-on-Trent, his father being vicar of the parish. Although called to the Bar he did not take up his profession in earnest. He was twice M.P. for the borough of Wenlock. His chief English works were a poem on Design and Beauty, and an ode entitled A Pipe of Tobacco, but his principal achievement was a Latin poem De Animi Immortalitate. He died in 1760. Mrs. Piozzi relates that Dr. Johnson said that Browne was “of all conversers ... the most delightful with whom I ever was in company; his talk was at once so elegant, so apparently artless, so pure, and so pleasing, it seemed a perpetual stream of sentiment, enlivened by gaiety, and sparkling with images.”[415] Johnson also used Browne as an illustration of the proposition that a man’s powers were not to be judged by his capacity for public speech: “Isaac Hawkins Browne, one of the first wits of this country, got into Parliament and never opened his mouth.”[416]

Browne’s son, also named Isaac Hawkins, must also have been a resident at the house in Great Queen Street, for he was only eight years old at the time of the removal of the family thither in 1753. He represented Bridgnorth in Parliament for twenty-eight years, and though no orator, when he spoke “his established reputation for superior knowledge and judgment secured to him that attention which might have been wanting to him on other accounts.”[417] He edited his father’s poems, and also wrote Essays, Religious and Moral, and Essays on Subjects of Important Inquiry in Metaphysics, Morals and Religion. He died in 1818.

In the Council’s collection are:—

[418]Ornamental plaster ceiling in Board Room on first floor (photograph).

[418]Carved deal chimneypiece in Board Room (photograph).

[418]Ornamental plaster ceiling in Grand Secretary’s Room, first floor (photograph).

86

XL.—GREAT QUEEN STREET CHAPEL (Demolished).

General description and date of structure.

Before its destruction in 1910 the Wesleyan Chapel in Great Queen Street occupied the greater portion of the sites of three houses with their gardens. These were Nos. 66 to 68, intervening between Conway House and the stream which divided Aldwych Close from Purse Field.

The land on which these three houses were erected was roughly the shape of a truncated right-angled triangle, the base of which was represented by Great Queen Street, the perpendicular by the line of Middle Yard, and the hypotenuse by the course of the stream. The land in question was leased[419] by Newton to Peter Mills[420], of Christchurch, London, bricklayer, and it would seem that at that date (15th September, 1639) no houses had been erected thereon.[421] The building was therefore carried out probably in 1640; at any rate No. 66 is known to have been occupied in December, 1641. No information can be gleaned from the ratebooks as to when the three houses were rebuilt, but at least one (No. 67) seems to have been still standing at about 1817, when an illustration of it was included in Parton’s Hospital and Parish of St. Giles-in-the-Fields.

The first reference that has been found to the building of a chapel of ease for the parish occurs in the Vestry Minutes under the year 1693:[422] “Ordered, to inquire of the gentry in Lincoln’s Inn Fields, which of them will take pews in case a chappell should be erected in the neighbourhood of Lincoln’s Inn Fields, and report to be made to the next Vestry.” It was, however, left to private enterprise to provide such a building.

In 1706 a Mr. Baguley took a house (apparently No. 67)[423], built a chapel in the rear, and seems even to have officiated therein, although not in Priest’s orders. Naturally enough, he soon got into trouble with the 87Rector of St. Giles, who, as Baguley affirmed,[424] induced the vendor of the house and land to break off his agreement with Baguley, and sell to “one Burges, a coachmaker.” According, however, to the ratebooks the house occupied by Burges was No. 68. Between 1720 and 1723 the assessment of No. 68 also dropped. Whether this implies an extension of the chapel over a portion of the ground in the rear of that house is uncertain, but it will be seen that when the chapel comes, as it were, into the light of day, at the beginning of the 19th century, it covers nearly the whole of the rear of both houses.

The whole of its early history, however, is shrouded in obscurity, and no reference to it or to the services held therein has been found between 1728[425] and its acquisition by the Rev. Thomas Francklyn. Even the date at which this occurred cannot be definitely stated. The chapel seems to have been in his hands in February, 1758, for on the 17th of that month he preached a sermon there, which he published in the same year.[426] In 1759 his name appears in the parish ratebook in connection with the chapel.[427] His residence at the house (No. 67) does not seem to have begun until 1761. On Francklyn’s death in 1784, his executors appear to have carried on the work of the chapel. On 19th July, 1798, Mrs. Francklyn’s executors sold to the Society formerly carrying on the West Street Chapel, Seven Dials, their leasehold interest in the two houses and the chapel for £3,507 10s.[428]

The chapel was at that time, says Blott,[429] a very homely structure; it was dark, and, lying below the level of the street, could not easily be kept clean, and the entrance to it was by a passage through a dwelling house. The surrounding houses overlooking it were at times a means of annoyance during service. Negotiations were therefore entered into with the owners of No. 66, and on 14th March, 1815, a purchase was effected of the whole of the back part of the premises, bounded by Middle Yard on the one side and the old chapel on the other, and having a length of 102½ feet and a breadth of 31 feet.[430] The new chapel was opened on 25th September, 1817.[431] 88Alterations were carried out in 1840, when an improved frontage and new portico were constructed.[432]

The elevation to Great Queen Street (Plate 32) was of brick faced with stucco, the lower part having a portico of four Greek Ionic columns the full width of the building, executed in Talacre stone from North Wales.[432] Above this, in the main wall of the chapel was a three light window with Corinthian columns and pilasters supporting an entablature, over which was a semi-circular pediment and tympanum. Crowning the whole was a bold modillion cornice.

The interior (Plate 33) had a horseshoe gallery supported by Ionic columns; above the back of the side galleries were other smaller galleries. Facing the entrance was an apse ornamented with Corinthian columns, pilasters and entablature carrying an elliptical arch. Covering the whole area was a flat ornamental ceiling.

There is preserved by the West London Mission a measured drawing of the elevation of the Chapel to Great Queen Street with the adjacent buildings by R. Payne, Architect, June 21 (18)56, and an internal view in perspective drawn with ink and coloured, probably executed by the same hand and about the same date. Both these drawings agree with the illustrations taken in 1906, and reproduced in Plates 32 and 33. The premises were demolished in 1910, and new buildings erected. The room over the portico was used at first as a day school room, but in 1860 the school was removed to new premises in the rear.

Biographical Notes.

No. 66.

The first occupant of No. 66, of whom any record has been found, was the Countess of Essex, who was there in December, 1641.[433] This was Elizabeth, the daughter of Sir William Paulet, who, in 1631, became the second wife of Robert Devereux, third Earl of Essex. The marriage turned out very unhappily, and eventually a separation took place. Subsequently she married Thomas Higgons (knighted after her death), who survived her. She died in 1656.[434]

The Subsidy Roll for 1646 contains the item: “The Lord Kensington in the Countes of Essex house.” This was presumably Robert Rich, son of Henry Rich, first Earl of Holland, the latter having been created Baron Kensington in 1623. The former in 1673 succeeded his cousin Charles, as fifth Earl of Warwick.

In 1665 and 1666 Magdalen Elliott is shown at the house, and in 1673 Lady Porter. The entries in the Hearth Tax Rolls, Jury Presentment Rolls and sewer ratebook from this time until 1700 vary between “Lady Porter,” “Lady Diana Portland,” and “Lady Ann Porter.” There can be no doubt that they all refer to the same individual, viz., Lady Diana Porter. She was a daughter of George Goring, Earl of Norwich, and married (1) Thomas Covert, of Slaugham, Essex, and (2) George Porter,[435] eldest son of Endymion Porter, royalist and patron of literature. George Porter served as lieutenant-general in the western royal army, under the command 89of his brother-in-law, Lord Goring. The latter described him as “the best company, but the worst officer that ever served the king.” Porter died in 1683.

The ratebook for 1703 contains the name “Ralph Lane” crossed out, and “Wortley” substituted. This seems to point to Lane having recently moved and “Wortley” taken his place. The “Ralph Lane” in question is no doubt the person of the same name, who had in the previous year purchased the house to the west of Conway House (see p. 74). His residence at No. 66 could not have lasted more than about two years. The “Wortley” of the 1703 ratebook is expanded in the records of 1709 and 1715 to “Wortley Montague, Esq.” and “Sidney Wortley als Montague, Esq.” This was Sidney, second son of Edward Montagu, first Earl of Sandwich, who married Anne, daughter and heir of Sir Francis Wortley, Bt., and assumed the surname of Wortley. His eldest son, Edward Wortley Montagu, married Lady Mary Pierrepont, the famous Lady Mary Wortley Montagu. Sidney Montagu died in 1727.

After Montagu’s residence the occupiers of No. 66 seem to have been as follows:—

Before 1720 until after 1723. Martin Wright.
Before 1730. Elizabeth Perry.
1730–42. William Aspin.
1743–45. Dr. John Taylor.
1746. —— Davis.
1747. Lilley Smith.
1748. “Augusti” Arne.
1749–51. Col. Guy Dickens.
1753–61. Elizabeth Falconer.
1761–62. —— Davis.
1762–63. The Rev. Mr. Francklin.
1763–64. Miss Faulkner.
1764–83. —— Davis.
1783–87. —— Saunders.
1789–94. Ric. Sadler.
1795– J. Savage.

“Augusti” Arne is almost certainly Thomas Augustine Arne, the celebrated composer. He was the son of Thomas Arne, an upholsterer, and was born in 1710. On leaving school he was placed in a lawyer’s office, but his love of music overcame all obstacles, and eventually his father was induced to allow him to cultivate his talent in this respect. His first work, a setting of Addison’s Rosamond, was produced at Lincoln’s Inn Fields Theatre in 1733. This proving successful, it was quickly followed by the Opera of Operas and Dido and Æneas. In 1738 he established his reputation by his music to Comus, and in 1740 he wrote the music to Thomson and Mallet’s Masque of Alfred, containing Rule Britannia. His later works included the songs Where the bee sucks, Under the greenwood tree, Blow, blow, thou winter wind, the oratorios Abel and Judith, and the opera Artaxerxes. In 1769 he set to music the ode by Garrick, performed at the Shakespeare jubilee at Stratford on Avon. He died in 1778.

No allusions have been found to his residence at No. 66, Great Queen Street. He is stated to have been living “next door to the Crown in Great Queen Street,” in 1744[436] but that must refer to a different house. The sewer ratebook for 1734 shows a “Mr. Arne” resident at No. 34, Great Queen Street, but there is no proof that this was the musician. His residence at No. 215, King’s Road, Chelsea, has already been mentioned.[437]

No. 67.

Early records of the residents at No. 67 are wanting. The first mention of the house occurs in the Hearth Tax Roll for 1665, which gives “Lady Thimbleby” as 90the occupier. This was Elizabeth, one of the six daughters of Sir Thomas Savage and Elizabeth, Countess Rivers (see p. 67). She married Sir John Thimbleby of Irnham, in Lincolnshire.[438] How long she had been at No. 67 in 1665 is unknown, but it is permissible to suggest that she was there while her mother was still living three doors away. It seems likely that during Lady Thimbleby’s stay here, her sister, Henrietta Maria, who had married Ralph Sheldon, of Beoley,[439] also came to live close by, for the Jury Presentment Roll for 1683 shows “Ralph Sheldon,” in occupation of No. 69. Another sister, Anne, who had married Robert Brudenell, afterwards second Earl of Cardigan, was also only a short distance away, on the south side of Lincoln’s Inn Fields.[440]

Lady Thimbleby’s residence lasted until between 1700 and 1703, and in the latter year the name of John Thimbleby appears in respect of the house. He had left before 1709, when the house is shown as empty. The occupiers after that date were as follows:—

1715. Mr. Vaune.
1720. Mr. Froude.[441]
Before 1723 until 1734. Mary Forrester.
1735–51. Adam Hallam.
1751–54. William Pritchard.
1755–61. Stephen Hunt.
1761–84. The Rev. Thomas Francklin.
1784–95. Mrs. Francklin.
1795–98. Francis Const.[442]
1798. —— Rowley.

Thomas Francklin, son of Richard Francklin, a bookseller of Covent Garden, was born in 1721. He was educated at Westminster School and Trinity College, Cambridge. For some time he found employment as usher in his old school, and in 1750 he became Greek professor at Cambridge, a position which he held until 1759, when he was presented to the vicarage of Ware. At the same time he was fulfilling other clerical duties in London. As early as 1749 he seems to have held a chapel in Bloomsbury, for in June of that year he performed the marriage ceremony for Garrick there.[443] By 1758 he had obtained the lectureship at St. Paul’s, Covent Garden, and was installed in the Great Queen Street Chapel. He was appointed King’s chaplain in 1767, and ten years later he vacated the living at Ware for the rectory of Brasted, in Kent. Through the influence of Dr. Johnson and Sir Joshua Reynolds, he was appointed chaplain to the Royal Academy, and on the death of Goldsmith in 1774 he obtained the professorship of ancient history. His literary output was considerable. 91In 1757 he brought out a periodical paper called The Centinel, which only lasted two years. He wrote four plays, the most important of which was The Earl of Warwick. His translations were numerous, those of Sophocles’ tragedies being long considered the best in the English language. After a laborious life he died in his house in Great Queen Street[444] in March, 1784. His widow died in 1796.[445]

No. 68.

In the case of No. 68 also, no records of the names of any occupiers exist before the Hearth Tax Roll for 1665. In that document the occupant’s name is given as “Sir Willm. Hartupp.” This seems to have been Sir William Hartopp, of Rotherby, son of Sir Thomas Hartopp, of Burton Lazars. Sir William married Agnes, daughter of Sir Martin Lister.[446]

The Hearth Tax Roll for 1666 shows the house “Empty,” and that for 1672, “Empty—Mr. Bradshaw owner.” It seems probable that between these dates occurred the joint occupancy of Lord Roos and Lady Chaworth, if indeed that can be referred to this house at all. An item in Lord Roos’s expenditure under date of 25th February, 1667–8, runs: “Paid Major Seales for Sir William Hartopp for one quarter’s rent for the house in Queen Street, beginning the 18th October, when his Lordship had the keyes, at 80li per annum, Lady Ch[aworth] is to pay the next quarter, 20li.”[447] That Sir William Hartopp’s house in 1667 was the same as that in 1665 is probable, but unfortunately cannot be considered certain. Assuming, however, that such is the case, Lord Roos’s occupation is seen to have commenced on 18th October, 1667.

John Manners, third son of the eighth Earl of Rutland, was born in 1638. On the death of his two elder brothers, he assumed, apparently without right,[448] the title of Lord Roos.[449] His first marriage, in 1658, to Lady Anne Pierrepoint, was unhappy, and he was divorced from her by Act of Parliament in 1670. In 1677 he was made Lord Lieutenant of Leicestershire. He succeeded to the earldom in 1679. At the coronation of James II. in 1685 he bore the Queen’s sceptre, but he does not seem to have been in favour and in 1687 was dismissed from his lord lieutenancy. He supported William at the Revolution, and was soon after restored to his office. In 1703 he was created Marquess of Granby and Duke of Rutland. He died in 1711.

His sister Grace married Patricius Chaworth, third Viscount Chaworth.[450] Apparently the expenses of the house in Great Queen Street were shared equally between her and her brother, for numerous items such as the following occur in the 92Accounts of Lord Roos’s Expenditure contained in the Duke of Rutland’s MSS.:—[451]

“1670. April 21. For the repaires of the parish church and maimed soldiers, etc., this Queene Street house is taxed 5s., whereof Lady Chaworth paying ½, his lordship ½, comes to 2s. 6d.”

“To the beadle for watching the Queene Street house ending the above said Christmasse [1671] 4s.; Lady Cha[worth] paying ½, his lordship other ½, comes to 2s.”

“July 3, 1669. The hire of paper windowes last year, 1668, to save the hangings in the dining roome and drawing roome, the ½ of cost, Lady Cha[worth] payes the other half, 5s.”

Some indication of the reason that influenced Lady Chaworth in setting up housekeeping with her brother may be afforded from a letter dated 25th June, 1670, from Lord Chaworth to his wife, at Lord Roos’s house in Great Queen Street, requesting her to return to him, and offering to receive her with respect and affection.[452]

In the Hearth Tax Roll for 1673, the house is shown as “Empty.” Two years later “The Lady Morpeth” is shown in occupation. This was Elizabeth, dowager lady Berkeley, wife of Edward Howard, Viscount Morpeth, afterwards second Earl of Carlisle. It was in this same year that her eldest son Charles, afterwards third earl, was born. Later occupants of the house were:—

1683. Sir Edward Mosen.
Before 1698 until after 1709. Mrs. Eleanor Complin.
Before 1715 until after 1720. Thomas Burges.
Before 1723 until 1732. Ashburnham Froude and Thomas Burges.[453]
1733. Ashburnhame Froud.
1733–1740. Madame Eaton.
1740–44. Madame Pain (Paign).
1746. —— Davis.
1747–51. Elizabeth Falconer.
1753–55. James Ward.
1755–57. G. Stewart.
1758–70. Thos. Brock (Brooke).
1770–74. Thos. Rudd.
1775–78. Ric. Rudd.
1779. —— Thomas.
1780–86. Mrs. Thomas.
1786– John Arthur.

In the Council’s collection are:—

[454]Exterior (photograph).

Side entrance in Middle Yard, erected 1859–60 (photograph).

Interior from the gallery (photograph).

Interior looking south (photograph).

Interior looking north (photograph).

Fanlight under stairs (photograph).

Staircase (photograph).

Lantern light over staircase (photograph).

Loculi in crypt (photograph).

Two silver chalices dated MDCIIIC, originally presented for use in West Street Chapel (photograph).

93

XLI.—SITE OF WELD HOUSE.

The history of that part of Aldwych Close lying within the angle formed by Great Queen Street and Wild Street has already been traced[455] up to the division of the greater portion of it between Sir Edward Stradling and Sir Kenelm Digby in 1629. Eleven years previously, Henry Holford had leased to John Ittery the extreme southern portion, reaching 100 feet northwards from Sardinia Street, and a trench had been dug separating Ittery’s portion from that lying to the north. On the transfer of the latter to Sir W. Calley and Geo. Strode in trust for Stradling and Digby, Ittery’s portion was included, and added to Stradling’s share. Stradling without delay began the erection on his portion of “a faire mansion house with stables and other outhouses.”[456] On 12th December, 1632, the ground, with the mansion, etc., was sold by Calley and Strode to Stradling, and was then described as extending south from the partition wall[457] between Digby’s and Stradling’s portions “together with that parte formerly demised to the said John Ittery, and then enclosed together with the same, at the end next Drewry Lane by a square lyne 300 foote, and at the other end next Lincolne’s Inne Feildes 296 foote.” By 1632 Stradling had also divided his portion into two by a brick wall, “beginninge at the west end towards Drewry Lane and extendinge itselfe eastwards towards Lincolne’s Inne Feildes 144 foote, and then towards the north in length 132 foote, and then again eastwards towards Lincolne’s Inne Feildes 132 foote, and standinge distant at the west end thereof from the fore-mentioned partition wall 157 foote, and at the other end next Lincolne’s Inne Feildes 31 foote.”[458]

On 20th December, 1632, Stradling sold that part lying to the north of this second partition wall, including the house, etc., to George Gage. The house had not yet been completed, but a provision was subsequently made that Strode was to finish, before Easter, 1634, “the dwelling house and buildings now erected or begun to be erected, within and without ... in all respects, fitt and necessary for one or more dwelling house or houses.”[459]

The date of completion of the house may therefore be ascribed with probability to the year 1634.

Gage used the house as his own residence, and while “lyeinge sicke in the said messuage of the sickness whereof he died” made his will on 14th August, 1638, bequeathing the premises,[460] together with other property, 94to William Darrell and William Bierly to sell for the payment of his debts. On 25th February, 1639–40, it was purchased by Humphrey Weld for £2,600.[461]

The portion of Stradling’s property which lay to the south of the second partition wall, and which extended to the southern limits of Aldwych Close, Stradling seems to have sold to Dr. Gifford for 500 years for £400 without right of redemption.[462] In 1649 Andrew Gifford sold the property for £650 to Weld, who assigned it to his mother, Dame Frances Weld, in trust. Three years later she re-assigned it to him.

Humphrey Weld thus became possessed of the whole of Aldwych Close lying to the east of Wild Street, and to the south of the gardens of the Great Queen Street houses, and he now began to develop the property by building. A reference to Hollar’s Plan of 1658 (Plate 3) shows that by that year the whole of the east side of Wild Street, south of Weld House, and all the north side of Sardinia Street had been covered with houses.[463] Weld himself stated about 1670, that he had by that time laid out £15,600 in building.[461]

The street which had at least since 1629,[464] and probably since 1618,[465] led from Great Queen Street to Kemble Street, then Princes Street, seems for some time to have been without a name. It is referred to in early deeds as “the back side of Drury Lane,” “a way leading from Princes Street to Queen Street on the back side of Drury Lane,” etc. In the Subsidy Rolls up to 1646 inclusive, it is merged in “Cockpit Side.” The earliest instance of the name Weld Street or Wild Street[466] so far discovered is in a deed of 24th April, 1658,[467] which refers to “the street now called Wild Street, but heretofore called a way or passage of 40 foote breadth leading from Queenes Street to Princes Streete.”

How far Weld House was identical with the mansion built by Stradling and Strode is uncertain. Blott, after mentioning the latter, says: “Adjoining it, on the south side, were the grounds and premises of Weld House, Drury Lane, occupied by Lady Frances Weld, widow. In 1657, 95Weld House and Stradling House underwent a complete transformation, the two houses were united together and became one building, having, besides extensive additions made to it, a chapel[468] built in the garden; the front arranged to face Aldwyche Close instead of Drury Lane, and an approach made to it called Weld Street. This extraordinary enlargement was not to make the building a residence suitable to the dignity of the Welds, but rather for State purposes, such as the accommodation of princes and ambassadors in London.”[469]

Blott gives no authority for his statements, one of which, relating to the formation of Weld Street, is demonstrably wrong. The statement that the “extraordinary enlargement” was carried out with a view to the reception of princes and ambassadors in the building is probably only an inference from the indisputable fact that ambassadors did afterwards reside in a portion of the house.[470] Nevertheless the view of the house given in Hollar’s Plan of 1658 (Plate 3) certainly does suggest the amalgamation of two distinct houses, and the Subsidy Roll for 1646 shows that at that date two large residences existed side by side,[471] although of course these may have been only portions of one very large house.

As early as 1664 the house (or houses) seems to have been split up among a number of occupants. The entries in the Hearth Tax Rolls for 1664–1674 in respect of this portion of the street (amending the wrong order of the first roll) are as follows. The numbers in brackets represent the number of hearths taxed.

1665. 1666.
  Sam Nelson (6) Samuel Nelson (6)
  Lord Baltimore (15) Cecill, Lord Baltimore (15)
  Lady Spencer (16) Lord Marquess of Winchester in 2 houses (30)[472]
96A. Gilbt. Crouch, Esq. (7) Widow Tattershall (6)
B. John Wolstenholm (14) John Wolstenholme, Esq. (14)
C. Humph. Wild, Esq. (14) E (20)
  The Portugall Embassador’s House.
D. Humph. Wild, Esq. (16) Humfrey Weild, Esq. (16)
E. Countess of Exeter (9) E (10)
F. Mary Sanders (9) Mrs. Mary Sanders (9)
G. John Worsley (3) John Worsley, Marcht of Intercost (6)
     
1673. 1675.
  Samuel Nelson (6) Samuel Nelson (6)
  Lord Baltimore (15) The Lady Baltimore (15)
  Marquess of Winchester (3) Marquess of Winchester (30)
A. Thomas Hawker[473] (7) Thomas Hawker (7)
B. Mary James (13) E (13)
C. The French Embassadour (20) Spanish Ambassador (20)
D. Humphrey Wild, Esq. (16) Humphrey Wild, Esq. (16)
E. Thomas Weedon, Esq. (5) Madd. James (5)
F. Mary Saunders (9) Mary Saunders (9)
  Mary Watson (1) Mrs. Watson (1)
G. John Worseley (6) John Worsley (6)

Of these neither (A)[473] nor (G)[474] formed part of Weld House, and (B) is doubtful. (C) and (F) however, certainly did, the former being the ambassadorial residence (see below) and the latter being mentioned in a deed of 1673, quoted by Parton[475], as “the wing of the said great house, late in Mary Saunders’s possession.” The house was therefore at this time in at least four distinct occupations.[476]

The two chief residences thus formed were evidently the house occupied by Weld himself and the ambassadorial house, immediately adjoining on the south. The former was the scene of a wild riot in 1671, when, Humphrey Weld having attempted to arrest the ringleaders in a tumult close by, the rabble, in a fury, attacked his house.[477]

97The Portuguese Ambassador seems to have taken up his residence at Weld House in 1659, for on 9th July in that year he (Francisco de Mello) wrote from “Wild Street” to William Lenthall, announcing the arrival of his credentials, and asking for an audience.[478] The extracts from the Hearth Tax Rolls given above show that he was still there in 1665, gone in 1666, that the French Ambassador was there in 1673,[479] and the Spanish Ambassador in 1675. Numerous references to the residence of the last mentioned occur.[480] On the flight of James II. in December, 1688, the mob sacked the ambassador’s house.

Shortly afterwards Weld House and the ground belonging to it were purchased by Isaac Foxcroft, who let out the property on building lease.[481] The house, or a portion of it, was however, still standing in 1694.[482]

In the Council’s Collection is:—

North-east side of Great Wild Street, in 1906, looking south-east (photograph).

98

XLII.–XLIII.—Nos. 6 and 7, WILD COURT.

The Society for the Improvement of the Condition of the Labouring Classes are the ground landlords of these houses.

The only objects of interest which the premises contain are four 18th-century hob grates, illustrated below.

The Council’s collection contains:—

[483]Four cast-iron hob grates (measured drawing).

99

XLIV.—No. 16, LITTLE WILD STREET (Demolished).

Little Wild Street was formed about 1690, for a deed,[484] dated 1st September in that year, refers to a “toft, peece or parcell of ground, being parcell of the garden late belonging to Weld House in or near Weld Streete ... abutting towards the south to a new streete or passage of thirty foote in breadth there made or intended to be made, to lead out of Weld Streete towards Duke Streete [Sardinia Street] and the arch in Great Lincolne’s Inn Fields.”

Plate 34 shows the south side of the street in 1906. The tenement houses were probably some of the original houses erected about 1690, and their effect is charming.

The name of the street was altered in 1905 to Keeley Street.

On Plate 15 is a drawing showing the frieze of an 18th-century deal mantelpiece now on loan at the London Museum.

The house has recently been demolished.

In the Council’s collection are:—

[485] Little Wild Street. View in 1906 looking north-east (photograph).

[485] No. 16, Little Wild Street. Frieze, etc., of carved deal mantelpiece (measured drawing).

Baptist Chapel, Little Wild Street. Exterior before demolition of adjoining stables (photograph).

Baptist Chapel, Little Wild Street. Exterior after demolition of stables (photograph).

Baptist Chapel, Little Wild Street. Interior (photograph).

100

XLV.—No. 1, SARDINIA STREET (Demolished).

The land lying to the south of Sardinia Street between Wild Street and Drury Lane, was leased by Henry Holford to John Ittery on 20th April, 1618, when it was described[486] as “one hundred foote of ground from the south side of the ... close, called Oldwich Close, as the same then was marked and measured out north and south in bredth, and extending in length downe to the ditch there towardes the east, which plott of ground was then to be forthwith inclosed by the said John Ittery from the residue of the close.” Before 1629, this ground had been “inclosed with a trench or ditch on the north side ... and on the west end ... with a mudd wall.” The southern and eastern boundaries were respectively the lands of the Earl of Clare and the common sewer. At the latter date what soon afterwards became known as Duke Street, and was subsequently called Sardinia Street, was described as “the pathway on the south side thereof, leading from Princes Streete towardes Holbourne, the said pathway conteyning in breadth 10 foote.” It may, therefore be taken for granted that no houses had at that time been built on the north side of Sardinia Street. In 1652 the land came into the hands of Humphrey Weld[487] who apparently developed the Duke Street frontage of his property at the same time as the Wild Street frontage. There is a record of one house in Duke Street built by Weld “to which hee added a yard or backside” and let on 5th October, 1661, on a 21 years’ lease.[488] Moreover, it will be noticed that Hollar’s Plan of 1658 (Plate 3) shows the Duke Street frontage fully built.

No. 1 was demolished in 1906, in connection with the formation of Kingsway and its subsidiary streets, when old Sardinia Street itself was abolished.

The ground floor treatment of the premises (Plate 11) was typical of the 18th-century tenement design. The windows were strongly shuttered to afford protection when required.

A boundary stone of the parish of St. Clement Danes and an iron tablet of that of St. Giles were attached to the premises, and appear in the view.

The Council’s collection contains:—

Sardinia Street—View looking west in 1906 (photograph).

[489]No. 1, Sardinia Street—ground floor (photograph).

Sardinia Place—View looking north from Sardinia Street (1906) (photograph).

Sardinia Place—View looking north from Little Wild Street (1906) (photograph).

101

XLVI.—SITE OF LENNOX HOUSE.

In 1590 William Short, the same who ten years later bought Rose Field, purchased of John Vavasour two messuages, two gardens and four acres of land, with appurtenances, in St. Giles.[490] The precise position of the property is not stated, but from evidence which will be referred to, it is known that it lay to the west of Drury Lane, and comprised The Greyhound inn in Broad Street, with land to the south lying on both sides of what is now Short’s Gardens.

Esmé Stuart, Seigneur D’Aubigny, Duke of
Lennox.

A portion of this property he leased,[491] in 1623–4, to Esmé Stuart, Earl of March (afterwards Duke of Lennox), for a term of 51 years as from Michaelmas, 1617. It is possible to ascertain within a little the boundaries of this part of the Short estate. In a deed[492] dated 10th January, 1614–5, relating to Elm Field, the land lying between Castle Street and Long Acre, the northern boundary is stated to be “certain closes called by the name of Marshlands alias Marshlins, and a garden sometime in the tenure of William Short or his assignes”; and in a later deed,[493] dated 2nd February, 1632–3, relating to a portion of the same field, the northern boundary, said to be 249 feet distant from Long Acre, is referred to as “a way or back lane of 20 feet adjoining the garden wall of the Right Honble. the Duchess of Lenox.”

The distance of the “back lane” from Long Acre corresponds exactly with that of the present Castle Street, and it is therefore clear that this was the southern boundary. The property afterwards came into the possession of the Brownlow family, and an examination of the leases which were granted in the early part of the 18th century, shows that it reached as far as Drury Lane on the east and Short’s gardens on the north. On the west it stretched as far as Marshland.[494]

Whether the house leased to the Earl of March was one of the two (the other being The Greyhound) purchased by Short in 1590, or a house quite recently built, there is no evidence to show.

The Earl, in February, 1623–4, succeeded to the dukedom of Lennox, and on 30th July of the same year he died. His widow[495] continued to reside at the house. Letters from her, headed “Drury Lane,” and 102dating from 1625 to 1629, are extant,[496] and she also, in 1628, joined with other “inhabitants adjoining the house of the Countess of Castlehaven, in Drury Lane,” in a petition to the Privy Council.[497] There is, therefore, ample evidence that she actually resided at the house.

In 1632 she married James Hamilton, second Earl of Abercorn, and died on 17th September, 1637, leaving to her husband, in trust for their son James, “all that my capitall house, scituate in Drury Lane.”[498]

The Earl sold the remainder of the lease[499] to the Duchess’s cousin, Adrian Scroope, who apparently let the house, as the Subsidy Roll for 1646 shows the “Earl of Downe” as occupying the premises.[500] In 1647 Sir Gervase Scroope, Adrian’s son, sold the lease to Sir John Brownlow,[499] who certainly acquired the freehold also, though no record of the transaction has come to light. Finding the house too large[501] Sir John divided it in two, and in 1662 Lady Allington[502] was paying a rent of £50 for the smaller of the two residences.[499] Sir John died in November, 1679. By his will[503] (signed 10th April, 1673) he left to his wife all the plate, jewels, etc. “which shall be in her closett within or neare our bedd chamber at London in my house at Drury Lane ... and the household stuffe in the said house, except all that shall then be in my chamber where the most part of my bookes and boxes of my evidences are usually kept, and except all those in the same house that shall then be in the chamber where I use to dresse myselfe, both which chambers have lights towardes the garden.” He also left to his wife “that part of my house in Drury Lane which is now in my own possession for her life if she continue my widowe,” together with “that house or part of my house wherein the Lady Allington did heretofore live, ... by which houses I meane yards, gardens and all grounds therewith used”; and moreover the furniture “of two roomes in my house in Drury Lane where I use to dresse myself, and where my evidences and bookes are usually kept.”

Brownlow.

The estate afterwards came into the hands of Sir John Brownlow, son of his nephew, Sir Richard Brownlow, who at once took steps to develop 103the property, letting plots on building lease for a term of years expiring in 1728. Except in one case, information is not to hand as to the date on which these leases were granted, but in that instance it is stated to be 21st May, 1682,[504] a date which may be regarded as approximately that of the beginning of the development of the interior part of the estate by building,[505] though at least a part of the frontages to Drury Lane and Castle Street had been built on before 1658 (see Plate 3).

At the same time (circ. 1682) apparently Lennox House was, either wholly or in part, demolished. A deed of 1722[506] relates to the assignment of two leases of a parcel of ground “lately belonging to the capital messuage or tenement of Sir John Brownlow then in part demolished, scituate in Drury Lane, in St. Giles, sometime called Lenox House.” The description is obviously borrowed from the original leases, since reference is also made to “a new street there then to be built, intended to be called Belton Street,” which street was certainly in existence in 1683.[507] What is apparently Lennox House is shown in Morden and Lea’s Map of 1682 as occupying a position in the central portion of the estate, with a wide approach from Drury Lane, and this is to a certain extent confirmed by the tradition that the first Lying-In Hospital in Brownlow Street (occupying the site of the present No. 30) was a portion of the original building. It is remarkable, however, that no hint of a house in this position is given either in Hollar’s Plan of 1658 (Plate 3) or in Faithorne’s Map of the same date (Plate 4).

The name of Brownlow Street was in 1877 altered to Betterton Street.

104

XLVII.–XLVIII.—Nos. 24 and 32, BETTERTON STREET.

General description and date of structure.

No. 24, Betterton Street, dating from the 18th century, must at one time have been a fine residence, but there is now nothing in it to record. The doorcase is illustrated on Plate 35.

No. 32 also dates from the 18th century. Attached to these premises is a boldly recessed carved wooden doorcase of interesting design, illustrated on Plate 36. The interior of the house contains a wood and compo chimney piece of some interest in the front room of the ground floor, and one of white marble, relieved with a little carving and red stone inlay, in the corresponding room on the floor above.

Condition of repair.

The houses are in fair repair.

Biographical notes.

The sewer ratebook for 1718 shows “John Bannister” in occupation of No. 32. This was probably John Bannister, the younger, “who came from an old St. Giles’s family, his father having been a musician, composer and violinist, and his grandfather one of the parish waits. He himself was in the royal band during the reigns of Charles II., James II., William and Mary, and Anne, and played first violin at Drury Lane theatre, when Italian operas were first introduced into England.”[508]

In the Council’s collection are:—

No. 24, Betterton Street—General exterior (photograph).

[509]No. 24, Betterton Street—Entrance doorway (measured drawing).

[509]No. 32, Betterton Street—Entrance doorway (photograph).

No. 32, Betterton Street—Marble chimneypiece, front room, first floor (photograph).

105

XLIX.—No. 25, ENDELL STREET.

Ground landlords.

The Trustees of the late John King, Esq.

General description and date of structure.

Plots of land on both sides of Belton Street were leased for building by Sir John Brownlow, apparently in 1682,[510] and a stone tablet[511] gave the date of the street’s formation as 1683. The name obviously refers to the seat of the Brownlow family at Belton in Lincolnshire.

About 1846 the street was widened on the eastern side and renamed Endell Street, after the Rev. James Endell Tyler, then Rector of St. Giles.

At the expiration of the original leases in 1728, Peter Walter purchased portions of the Brownlow property, including a house in Belton Street “in the occupation of Daniel Holme,[512] surgeon, and used by him as a bagnio.”[513] Holme’s Bagnio was, it appears, the fourth house (inclusive) from the corner of Castle Street, and is therefore to be identified with the present No. 25, Endell Street.

At the rear of these premises is an apartment, about 16 feet by 9 feet, which is known as “Queen Anne’s Bath.” It has a coved ceiling surmounted by a small lantern, and on each side bull’s eye windows are constructed in the coved part of the ceiling. The roof is covered with tiles. The form of the chamber can be seen by Plate 37, which is taken from a watercolour drawing made by J. W. Archer in 1844. There are some blue and white tiles still affixed to the walls, but there is insufficient evidence to enable a definite date to be given to these. The level of the top of the steps is about 10 feet below the present street pavement. The floor of the bath is said to be about 18 feet below that level, but it cannot be seen as the bath is filled with soil and rubbish to an estimated depth of about 8 feet. The structure is dilapidated and floored over at about 18 inches below pavement level, and is now used as an iron merchant’s store.

Tradition asserts that the bath was frequented by Queen Anne,[514] a statement that it is not possible to confirm. The apartment is, however, very possibly a relic of the old “bagnio.”

The Council’s collection contains:—

[515]No. 25, Endell Street—Queen Anne’s Bath (photograph).

No. 41, Endell Street—Exterior (photograph).

106

L.—NORTH OF SHORT’S GARDENS.

The land to the north-east of Short’s Gardens seems also to have formed part of that acquired by William Short in 1590, for certain premises which can be identified as occupying a site to the rear of the centre of the frontage to Drury Lane between Short’s Gardens and Broad Street, are stated to be bounded on the south by ground of Robert Clifton, “which ground was heretofore the inheritance of William Short, deceased.”[516] The fact that the property in Crown Court sold by Thomas Short in 1679[517] was also bounded on the south by land “late in the possession of Robert Clifton” shows that the Short property originally extended further westwards. It stretched, in fact, as far as the eastern boundary of Marshland.[518]

The Subsidy Roll for 1646 gives three names between that of the Earl of Downe, probably representing Lennox House, and Paviors Alley, afterwards Ashlin Place. The first is that of “Mr. Edw. Smyth,” who was taxed 6s. 8d. for land, and 8s. for goods, and was evidently a person of much more substance than his two neighbours, who figure each at 2s. for land only. Mr. Smith had caused much concern by his building. As early as June, 1618, the Privy Council wrote[519] to the justices pointing out that “there is a faire building now goeing up in Drury Lane, wch is by credible information erected upon a new foundacion,” that the “said building is under his Maties eye as he passeth that way, and is observed as a speciall marke of contempt amongst all the rest,” and asking for particulars as to the date of the foundation, etc. As a result it was found that Smith’s new building, which had been assigned him by William Short,[520] was contrary to the proclamation as going beyond the old foundations, and converting a stable into a dwelling house,[521] and order was accordingly given for the demolition of that part,[522] but Smith seems to have made a successful protest. Eighteen years elapsed, and Smith was again in trouble. On 20th June, 1636, the Earl of Dorset reported to the Privy Council that “one Smith hath lately erected an house in or neare Drury Lane suddenly and for the most part by stealth in the night, not onely contrary to His Maties proclamation, but after he was commanded by his Lopp to forbeare to proceed in the building thereof.” Smith was 107thereupon committed to prison until the house should be wholly demolished.[523]

The north-eastern angle of land formed by Drury Lane and Broad Street, like the land on the opposite side of the way, is one of the very few sites which can be identified with certainty in the book of grants to the Hospital of St. Giles. In some unknown year, but apparently in the reign of Henry III., John de Cruce demised to Hugh, the smith, “all that his land situate at the angle or corner formed by the meeting of the two streets, whereof the one comes from St. Giles and is called St. Giles Street, and the other goes towards the Thames by the forge of the said Hugh, and is called Aldewych. And which land begins on the east part of the said corner, and stretches westwards towards the Hospital of St. Giles; and again beginning at the said corner or forge, and facing the spring,[524] extends southwards towards the Thames, in a line with the street called Aldewych, by the garden of Roger, the son of Alan.”[525] Before Elizabethan times the forge had disappeared, and the site in question was occupied by The Bear inn, and property connected therewith.

In 1567 George Harrison purchased[526] from Lord and Lady Mountjoy, inter alia, the messuage called The Bear, two messuages lying between The Bear on the east and the tenement of Godfrey Matthew (i.e., The Swan) on the west, and all other houses, etc., lying between Godfrey Matthew’s tenement on the west and the Queen’s highway from the Strand to St. Giles on the east. Harrison sold the property in 1568 to John Walgrave who in the following year parted with it to Johanna Wise, who subsequently married James Briscowe, and in 1582[527] the property, including brewing vessels and other implements belonging to the inn and the brewhouse, was acquired by James Mascall, brewer, who was then actually in occupation of The Bear. The property continued in the Mascall family, and in 1634, according to a deed[528] relating to the marriage portion of Frances Godman, daughter of Olive Godman (née Mascall) it included (i.) a messuage sometime in the tenure of John Vavasour and then of Matthew Quire, (ii.) the messuage, inn or tenement commonly called The Black Bear, sometime in the tenure of Richard Robins and then of Matthew Quire, 108(iii.) ten messuages in Black Bear Yard, (iv.) a number of other messuages,[529] and (v.) two gardens to the rear of Black Bear Yard, one of them formerly in the tenure of John Vavasour, and the other occupied with the inn. Vavasour’s house, it is known, occupied the site of Ragged Staff Court,[530] which was situated about 60 feet northwards from Paviors Alley,[531] and as no mention of it occurs in the sale to Mascall, it may be taken for granted that it was built either by the latter within the course of the next three years,[532] or by John Vavasour, who married Mascall’s widow. The first building on that spot therefore was erected some time between 1582 and 1608.[533]

To the west of The Bear property was The Swan. In 1566 Lord and Lady Mountjoy sold to Thomas Allen[534] all that messuage or tenement “sometyme called ... The Swanne,” in the tenure of Geoffrey Matthew, abutting to the east on The Bear, west on the tenement of Robert Bromeley, “sometyme called The Grayhounde,” south-west on Matthew’s stables, south on the Greyhound Close, and north on the Queen’s highway. It has unfortunately not proved possible to trace the later history of The Swan, but there can be no doubt that the property is identical with that sold in 1723 by William Gyles to Peniston Lamb and Thos. Hanson,[535] and which consisted of three houses in the main street with the alley behind, formerly called Cock alley and then Gyles’ Court, and is described as having a frontage to the street of 44½ feet and a depth of 114 feet, and bounded on the south by the brewhouse late Mr. Theedham’s,[536] on the east partly by messuages and lands in the occupation of Theedham, and on the west by messuages and lands “heretofore of one Short” (i.e., The Greyhound).

A comparison between the names of the occupiers of the three houses as given in the deed of 1723, and the entries in various issues of the sewer ratebook, shows that the houses in question corresponded with the present Nos. 59 to 61 (formerly 56 to 58).

There does not seem any reason to doubt the identity of The Swan of the time of Elizabeth with Le Swan on le Hop,[537] demised by the 109Hospital of St. Giles to John de Polton in 1360–61. It was then described as standing south on land of the said Hospital and north on the king’s highway. This description certainly does not warrant the statement of Parton that the inn must “have been situate somewhat eastward from Drury Lane end, and on the south side of Holborn.”[538]

Immediately to the west of The Swan came The Greyhound. Unfortunately no description of the inn or the property connected with it has come down from Elizabethan times. In 1679, however, Thomas Short, son and heir of Dudley Short, sold the whole to John Pery, and the indenture[539] embodying the transaction gave a description of the property as it then existed. It included two houses in the main thoroughfare, both extending southward to Greyhound Court and one of them being “commonly called ... or knowne by the name or signe of The Crowne.” It would seem therefore that The Greyhound had by now been renamed The Crown, although the court still retained the old name. By 1704 the court had also been renamed Crown Court.[540] Included in the sale was a quantity of land in the rear, with buildings, garden ground and other ground, including the house in Greyhound Court where Thomas Short had himself lived. The details given, though full, are not sufficient to enable a plan to be drawn of the property. It certainly included the eastern portion of the site of St. Giles’s Workhouse,[541] and did not extend as far south as Short’s Gardens, as it is said to be bounded in that direction by a “peice of ground commonly called the mulberry garden, late in the possession of Robert Clifton.”

To the west of The Greyhound, were a number of houses, which in 1567 were sold[542] by Lord and Lady Mountjoy to Henry Ampthill.[543] They are described as in eleven occupations, adjoining The Greyhound on the east, the highway on the north, and a close (probably Greyhound Close) on the south. The western boundary, unfortunately, is not given. The property was subsequently split up, about half coming into the hands of a family named Hawkins,[544] and this in 1726 certainly included property on either side 110of Lamb Alley,[545] probably as far as the site of the present No. 45, Broad Street. How much further the Ampthill property extended is not known.

In 1631 Ann Barber, widow, and her son Thomas, sold[546] to Henry Lambe a tenement and two acres of land, the said two acres being garden ground and adjoining on the west “a parcell of ground called Masslings,” on the south “a parcell of ground in the occupation of one Master Smith,” on the east a “parcell of ground in the occupation of Mistris Margarett Hamlyn,” and on the north certain tenements and garden plots in the occupation of Robert Johnson and others. In 1654 John Lambe sold the property to Henry Stratton, who in the following year parted with it to Thomas Blythe.[547] In the indenture accompanying the latter sale, the two acres are stated to be “a garden or ground late in the occupation of Samuel Bennet,” and the remainder of the property is described as 10 messuages late in the tenure of Edmund Lawrence, 4 small messuages also late in Lawrence’s occupation, a chamber commonly called the Gate House, a messuage called The Bowl, and a messuage called The Black Lamb. The property had formerly belonged to William Barber,[548] Ann’s husband. There is nothing to show how he became possessed of it, but it is possible that the property is identical with the “one messuage, one garden and two acres of land with appurtenances” sold by John Vavasour in 1590 to Thomas Young.[549]

The eastern limits of the property above described may be fixed within a little, as it is known that a portion of it was utilised in the 18th century for the building of the original workhouse, and is described in a deed quoted by Parton[550] as bounded on the east by the backs of houses in Crown Court. It may be regarded therefore as including the site of the central portion of the present workhouse. The “parcel of ground in the occupation of one Master Smith” described as the southern boundary, and referred to in a deed of 1680[551] as the garden and grounds of William Short, is obviously the strip of ground on the north side of Short’s Gardens, leased by Short to Edward Smith.[552] The western boundary, “Masslings,” has been strangely misconstrued. Parton read it as “Noselings,”[553] which he 111regarded as a corruption of “Newlands,”[554] and located the ground on the east side of Neal Street. Blott copied the error and, in a highly imaginative paragraph, connected it with Noseley, in Leicestershire.[555] As a matter of fact, there is not the slightest doubt that “Masslings”[556] is “Marshlands,” between which the form “Marshlins” appearing in a deed of 1615[557] is evidently a connecting link.

The boundary between Marshland and The Bowl property is shown on Plate 39.

By 1680[558] a considerable portion of The Bowl property had been built on and Bowl Yard had been formed. In the first instance, the latter led by a narrow passage into Short’s Gardens, but afterwards the entrance was widened, and the southern part of the thoroughfare was named New Belton Street, Belton Street proper being distinguished as Old Belton Street. About 1846 both were widened on the east side to form Endell Street, and the still remaining portion of Bowl Yard at the northern end was swept away. Bowl Yard obviously derived its name from The Bowl inn, which, together with The Black Lamb, is mentioned in the deed of 1655, above referred to. The sign had no doubt reference to the custom mentioned by Stow[559] that criminals on their way to execution at Tyburn were, at St. Giles’s Hospital, presented with a great bowl of ale “thereof to drinke at theyr pleasure, as to be theyr last refreshing in this life.” The inn itself probably fronted Broad Street, and the brewhouse attached to it was situated behind, on the west side of Bowl Yard.

Plate 38 shows the west front of The Bowl Brewery in 1846, and the houses at the northern end of Belton Street.

In the Council’s collection are:—

[560] The Bowl Brewery in 1846 (photograph).

Nos. 7 and 9, Broad Street. Exterior (photograph).

112

LI.—SITE OF MARSHLAND (SEVEN DIALS.)

Included in the property transferred to Henry VIII. in 1537 was “one close called Marshland.”[561] In 1594, Queen Elizabeth farmed the close to Thomas Stydolph, his wife, and his son, Francis, for the life of the longest liver, and in 1598 she farmed it for the sixty years following the death of the longest lived of the three to Nicholas Morgan and Thomas Horne. The latter immediately conveyed their interest to James White, and subsequently it came into the hands of Sir Francis Stydolph, who thus held a lease for the length of his own life and for sixty years afterwards. In 1650, while he was still in possession of the close, it was surveyed by Commissioners appointed by Parliament[562]. In their report, the close is described as “all yt peice or parcell of pasture ground comonly called ... Marsh close alias Marshland ... on the north side of Longe Acre,[563] and ... betwene a way leadinge from Drury Lane to St. Martin’s Lane on the north;[564] and a way leadinge from St. Gyles to Knightsbridge, and a way leadinge from Hogg Lane into St. Martin’s Lane on the west;[565] and Bennet’s Garden[566] and Sir John Bromley[567] and Mr. Short on the east.” These boundaries are in accord with the plan showing the design for laying out (Plate 39), and with Faithorne’s Map of 1658 (Plate 4). The extension of Marshland to the east of Neal Street (formerly King Street) has never been noticed, but the fact is quite clear. One proof will suffice. On 23rd September, 1728, James Joye sold to trustees of the charity schools of St. Giles, Cripplegate, property specified as “part of the Marshlands in St. Giles-in-the-Fields,”[568] and situated on the east side of King Street. Part of the property has since been thrown into the public way, but part can still be identified as No. 82, Neal Street,[569] on the east side.

In 1650 the buildings on the Close were:—

(i.) The Cock and Pye inn, a brick building of two storeys and a garret, standing on ground 117 feet from north to south, with a breadth of 48 feet at the north end. This is probably the building shown on Hollar’s Plan of 1658 (Plate 3), at the southern angle of the close. From it the close was sometimes known as Cock and Pye Fields.

(ii.) A house with wheelwright’s shop and shed attached, covering with yards, gardens, etc., 3 roods.

113(iii.) A shed of timber and Flemish wall, with tiled roof, containing two small dwelling rooms, occupying, with a garden, half an acre.

(iv.) A piece of ground, half an acre in extent, “late converted into a garden, beinge very well planted wth rootes.”

(v.) Three tenements of timber and Flemish wall, with thatched roof, on the north side of what was afterwards Castle Street, occupying, with gardens, etc., half an acre.

(vi.) “All that conduit scituate and adjoyninge to the aforesaid 3 tenements, and standeth on the southest corner of the aforesaid Marsh Close, consistinge of one roome heirtofore used to convey water to the Excheqr. Office, but of late not used.”

Sir Francis Stydolph died on 12th March, 1655–6, and his successor, Sir Richard, at once entered on the remaining 60 years’ term and in 1672 obtained an extension of this for 15 years.[570] Morden and Lea’s Map of 1682 shows that by that date a considerable amount of building had taken place on the close, though the details are not clear.[571] This is probably to be connected with the lease which James Kendricke obtained for 31 years as from Michaelmas, 1660.[572] In 1693 Thomas Neale, “intending to improve the said premisses by building”[573], obtained a lease of the close until 10th March, 1731–2, undertaking to build within two years sufficient houses to form ground rents amounting to £1,200, the ground rents to be calculated at from 5s. to 8s. a foot frontage, except in the case of houses fronting King Street (now Neal Street), Monmouth Street (now Shaftesbury Avenue), St. Andrew Street and Earl Street, where the amount was to be from 8s. to 12s. a foot. Building operations were apparently started immediately,[574] but do not seem to have been completed until well into the 18th century.[575]

Neale’s plan was one which excited considerable notice at the time, the streets all radiating from a common centre. Evelyn records in his Diary under date of 5th October, 1694: “I went to see the building neere St. Giles’s, where 7 streets make a star from a Doric pillar plac’d in the middle of a circular area.” From the fact that on the summit of the column were dials, each facing one of the streets, the district obtained the name of Seven Dials. The top part of the pillar, however, has only six faces, a fact which has worried antiquaries. In explanation Mr. W. A. 114Taylor, the Holborn Librarian, has pointed out[576] that the plan (Plate 39) now at the Holborn Public Library, of the proposed laying out shows only six streets, Little White Lion Street not being provided for.[577]

The pillar was taken down in July, 1773, on the supposition that a considerable sum of money was lodged at the base. “But the search was ineffectual, and the pillar was removed to Sayes Court, Addlestone, with a view to its erection in the park. This, however, was not done, and it lay there neglected until the death of Frederica, Duchess of York, in 1820, when the inhabitants of Weybridge, desiring to commemorate her thirty years’ residence at Oatlands and her active benevolence to the poor of the neighbourhood, bethought them of the prostrate column, purchased it, placed a coronet instead of the dials on the summit, and a suitable inscription on the base, and erected it, August, 1822, on the green. The stone on which were the dials, not being required, was utilised as the horseblock at a neighbouring inn, but has been removed and now reposes on the edge of the green, opposite the column.”[578] Plate 40 shows the column as at present.

Little of architectural interest now remains in the district of Seven Dials. Plate 41 is a view of Little Earl Street at the present day. Suspended from No. 56, Castle Street is a wooden key used as a street sign and trade mark, probably dating from the reign of George III., at which time the predecessors of the present firm carried on a locksmith’s business at the premises. The exterior retains an 18th-century appearance, and a small Georgian coat of arms remains over the doorway. The interior has been many times reconstructed, and does not now contain anything of architectural interest.

In the Council’s collection are:—

No. 54, Neal Street. Exterior (photograph).

No. 54, Neal Street. Detail of staircase (measured drawing).

Nos. 54, 56 and 58, Castle Street. Exterior (photograph).

[579]No. 56, Castle Street. Street sign (photograph).

No. 50, Castle Street. Exterior (photograph).

Nos. 1–6, Little White Lion Street. General view (photograph).

No. 10, Lumber Court. Exterior of ground floor (photograph).

[579]Little Earl Street. General view looking east (photograph).

Little Earl Street. General view and No. 15 (photograph).

No. 15, Little Earl Street. Exterior (photograph).

Nos. 12–16, Great White Lion Street. General view of exteriors (photograph).

115

LII.—THE CHURCH OF ALL SAINTS, WEST STREET.

Wesley’s Chapel, West S<sup>t</sup>., Seven Dials

General description and date of structure.

On 20th February, 1699–1700, John Ardowin obtained a lease of a plot of Marshland, 73 feet long, by 46 feet deep, abutting south on West Street and north on Tower Street, “as the same was laid out and designed for a chapel.”[580] The chapel in question, which was for the use of the little colony of Huguenots lately settled in the district, was duly built, and received the title of “La Pyramide de la Tremblade.” The following inscription, however, which occurs on two chalices in the possession of the West London Mission, shows that the congregation had for more than two years had a temporary place of worship on this spot. “Hi duo Calices dono dati sunt ab Honesto Viro Petro Fenowillet die octavo Julii MDCIIIC in usum Congregationis Gallicae quae habetur in via vulgo dicta West Street de Parochia S. Ægidii. Si vero dissolvitur Congregatio in usum Pauperum venundabuntur.” In 1742 the congregation removed elsewhere, and in the following year John Wesley took a seven years’ lease of the building, holding his first service there on Trinity Sunday, 1743. His house, which stood immediately to the west of the chapel, was demolished in 1902. The lease of the chapel was renewed from time to time until Wesley’s death in 1791, after which the premises 116were used for various religious purposes until 1888, when they were purchased for the use of the Seven Dials Mission.[581]

The exterior is of stock brick with large semi-circular headed windows, as shown on the previous page.

The interior has three large galleries supported on panelled square wood pillars. The ceiling and roof are carried by Ionic columns. Over the bay of the nave next to the chancel is a large square lantern with flat ceiling; in each side of the lantern are three light windows.

The chancel is the full width of the nave between the galleries. The end wall had a window, known in Wesley’s time as the “Nicodemus Window.” It connected with Wesley’s house, and by its means many of his secret admirers could take part in the service without being observed by the congregation. It was filled in after Wesley’s death and was not found again until 1901, when the wall was pulled down and rebuilt. Vestries with rooms over now occupy the sides of the chancel, but formerly these were a portion of the church.

The top part of the pulpit, formerly a “three decker,” occupied by Wesley, is still in use as the reading desk. The present pulpit, of 18th-century oak, was a gift from the church of St. George, Bloomsbury, and the white marble font, dated 1810, came from the parish church of St. Giles.

In the Council’s collection are:—

[582]Church of All Saints, West Street. Exterior in 1901 (photograph).

General view of interior (photograph).

[582]Top part of Wesley’s pulpit (photograph).

117

LIII.—SITE OF THE HOSPITAL OF ST. GILES.

The Hospital of St. Giles-in-the-Fields was founded by Maud,[583] Henry I.’s Queen, probably in 1117 or 1118.[584] Stow[585] giving, on unknown authority, the date as “about the yeare 1117,” and the Cottonian MS. Nero C.V.[586] placing the event in 1118. The number of lepers to be maintained in the Hospital was stated, in the course of the suit between the Abbot of St. Mary Graces and the Master of Burton Lazars in the fourth year of Henry IV.’s reign, to be fourteen,[587] and this is to a certain extent confirmed by a petition[588] from the brethren of the Hospital, dating from the end of Edward I.’s reign, which gives the number as “xiij,” apparently a clerical error. On the other hand, the jury who were sworn to give evidence at the above-mentioned suit, declared that from time immemorial it had not been the custom to maintain fourteen, but that sometimes there had been only three, four or five.

Maud had assigned 60s. rent, issuing from Queenhithe, for the support of the lepers, and had afterwards granted the ward of the Hospital to the citizens of London,[589] who appointed two persons to supervise the Hospital. Certain of the citizens had given rents, etc., amounting to upwards of £80 a year towards the maintenance of lepers of the City and suburbs,[590] and an arrangement come to[591] in the reign of Edward III. between the City and the Warden of the Hospital provided that, apparently in accordance with the ancient custom, the whole of the fourteen lepers should be taken from the City and suburbs and presented by the Mayor and Commonalty, or that if there were not so many within those limits, the County of Middlesex should be included, and that in the event of further 118gifts to the Hospital by good men of the City, the number of lepers should be increased in proportion. It will be seen, therefore, that the Hospital of St. Giles was, in early times, a peculiarly London institution, and very closely connected with the governing body of the City.

On 4th April, 1299,[592] it was granted to the Hospital of Burton Lazars in Leicestershire. It thus became a cell to that house, and a member of the order of St. Lazarus of Jerusalem. Except for a short intermission, it remained under the control of the house of Burton Lazars until the dissolution in 1539, but it must long before have ceased to serve its original purpose. Its constitution during the later period of its existence is obscure, but the place of the lepers was probably taken by infirm persons, when leprosy became extinct. The hospital appears to have been governed by a Warden, who was subordinate to the Master of Burton Lazars.

The Precinct of the Hospital probably included the whole of the island site now bounded by High Street, Charing Cross Road[593] and Shaftesbury Avenue; it was entered by a Gatehouse in High Street. The Hospital church is sufficiently represented by the present parish church, while the other buildings of the hospital included the Master’s House (subsequently called the Mansion House) to the west of the church, and the Spittle Houses, which probably stood in the High Street to the east of the church. There is no evidence of the internal arrangement of these buildings, with the exception of the church, which survived till 1623, and will be described below.

The Gatehouse.

The position of The Gatehouse may be roughly gathered from a deed of 1618[594], which refers to “all that old decayed building or house commonly called the Gatehouse, adjoyning next unto one small old tenement or building set and being att or neare unto or uppon the north-west corner of the brickwall inclosing the north and west parte of the churchyard.”

Mansion House and Adjacent Buildings.

A few years after the dissolution in 1539, the property of the Hospital was divided between Lord Lisle and Katherine Legh[595], when there fell to the share of the former the mansion place or capital house of the Hospital; a messuage, part of the Hospital, with orchards and gardens, in the tenure of 119Doctor Borde; and a messuage, part of the Hospital, with orchard and garden, in the tenure of Master Densyle, formerly of Master Wynter. Lisle transferred the property to Sir Wymonde Carew, who at his death was found to be seized of and in “the capital mansion of the Hospital of St. Giles-in-the-Fields and of and in certain parcels of land with appurtenances in the parish of St. Giles-in-the-Fields.”[596] Thomas Carew, his son, seems to have disposed of the whole of the property, and in 1563 the above-mentioned, described as four messuages, were in the possession of Francis Downes.

On 10th April, 1566, Robert and Edward Downes sold[597] to John Graunge “all those messuages, tenements, houses, edyfices, barns, stables, gardens, orchards, meadows, etc., with the appurtenances, now or late in the several occupations of the Right Hon. Sir Willyam Herbert, knyght, now Erell of Pembroke, —— Byrcke, Esq., Johan Wyse, wydowe, Anthony Vuidele, Thomas More, Henrye Hye, and —— Troughton, —— Wylson, lyng and being in St. Gyles in the Fieldes.”

There are no records by which the history of these several houses may be traced, but at the beginning of the 17th century the property, having then passed into the hands of Robert Lloyd[598] (Floyd, or Flood), seems chiefly to have comprised five large houses.[599]

On 19th March, 1617–8, Robert Lloyd[600] sold to Isaac Bringhurst the reversion of a house, formerly in the occupation of Jas. Bristowe and then in that of Thomas Whitesaunder, situated “nere unto the west end of the ... parish church” and to the south of Sir Edward Cope’s residence, having an enclosure on its east side 45 feet wide by 17½ and 18 feet, and gardens and ground on the west side, extending 288½ feet to Hog Lane. Assuming a depth of from 30 to 40 feet for the house itself, it will be seen that the premises stretched between the church and Hog Lane for a distance of about 340 feet, and after making due allowance for the fact that Hog Lane was much narrower than Charing Cross Road, its modern representative, it will be apparent that the only possible course taken by the above mentioned property was along the line of Little Denmark Street, formerly Lloyd’s Court. Unfortunately the history of the house in question cannot be definitely traced after 1629[601], but if the site suggested above is correct, the premises subsequently came into the possession of Elizabeth Saywell (née Lloyd) who, by will dated 5th January, 1712–3, gave all her real estate 120in St. Giles, after several estates for life, to Benjamin Carter for his life, and devised a fourth part of her estate to trustees for charitable purposes. Benjamin Carter on 12th March, 1727, accordingly granted to trustees all that old capital messuage or tenement wherein Mrs. Saywell had resided, “which said capital messuage had been pulled down and several messuages, houses or tenements, had been erected on the ground whereon the said capital messuage stood situated in a certain place, commonly called Lloyd’s Court.”[602]

Immediately to the north of the last mentioned house was the mansion of Sir Edward Cope, described in 1612[603] as “with twoe litle gardens before on the north side thereof impalled, and a large garden with a pumpe and a banquetting house on the south side of the same tenement, walled about with bricke, and a stable and the stable yard adjoyning to the same garden.”

If the site ascribed to the previous house is correct, Sir Edward Cope’s mansion must have been identical with that shown in the map in Strype’s edition of Stow (Plate 5) as “Ld. Wharton’s,” situated between the houses on the north side of Lloyd’s Court and on the south side of Denmark Street. In 1652, the house was in the tenure of John Barkstead or his assigns.[604] Philip, 4th Lord Wharton, was resident in St. Giles in 1677,[605] probably at this house, and the “garden of Lord Wharton” is in 1687 mentioned[606] as the southern boundary of premises in Denmark Street. It seems a reasonable suggestion that this house was originally the capitalis mansio, or master’s house.

The same deed of 1612 mentions(i) a house in the tenure of Tristram Gibbs, with a stable towards the street on the north side, and a large garden on the south, “walled on the east side and toward a lane of the south side,” abutting west on the garden of Frances Varney’s house; and (ii) a house “now or latelie in the tenure of Alice, the Lady Dudley,” with a paved court on the north side before the door, a stable on the north side towards the street, another paved court backwards towards the south, walled with brick, and a large walled garden on the south side.

The position of Tristram Gibbs’s house can be roughly identified by the fact that a parcel of ground abutting north on Denmark Street and south on Lord Wharton’s garden and ground is stated[607] to have been formerly “part of the garden belonging to the messuage in tenure of Tristram Gibbs, Esq.” The house was therefore to the north of Lord Wharton’s house, and its site probably extended over part of Denmark Street.

121The position of Lady Dudley’s house may be roughly ascertained from the particulars given in the deed of 1618,[608] which mentions the Gatehouse. Therein reference is made to the site of a certain house formerly adjoining the north part of the Gatehouse, “conteyninge in length from the north part to the south part, viz., from the end or corner of a certain stone wall, being the wall of the house or stable there of the Lady Dudley unto the south-east corner post or utmost lymittes of the said Gatehouse 39½ feet, and in breadth att the north end, viz., from the uttermost side of the said stone wall att the south east corner thereof to a certen little shed or building there called a coach house of the said Lady Dudley, 19 feet; and in length from south to north, viz., from the uttermost lymittes or south-west corner post of the said Gatehouse to a certen old foundacion of a wall lying neare unto the south side of the said coache house 28 feet, and in breadth from east to west att the south end and so throughe all the full length of the said 28 feet of the said soile or ground 28½ feet.” The above is not as clear as it might be, but it certainly shows that Lady Dudley’s stable was to the north of the Gatehouse, which, as has been shown, was near the north-west angle of the churchyard. Lady Dudley’s house, therefore, probably occupied a site to the north of Denmark Street.

The most northerly of the five large houses existing here at the beginning of the 17th century was the White House. This was, in 1618, when it was sold by Robert Lloyd to Isaac Bringhurst,[609] in the occupation of Edmund Verney, and was then described as “all that one messuage or tenement, with appurtenances, commonly known by the name of the White House, and one yard, one garden and one long walke, and one stable with a hay lofte over the same.” In 1631 it was purchased by Lady Dudley,[610] who three years later transferred[611] it to trustees to be used for the purposes of a parsonage. At the time a lease of the premises for three lives was held by Edward Smith, and this was not determined until 1681, when the house had become “very ruinous and scarcely habitable.”[612] The Rector at once entered into an agreement with John Boswell, a hatmaker of St. Dunstan’s West, for rebuilding, and it was arranged that the houses to be erected on the site should be built “with all materials and scantlings conformable to the third rate buildings prescribed by the Act of Parliament for rebuilding the City of London.” The result was presumably Dudley Court, now Denmark Place.

The Spittle Houses.

Among the properties which fell to the portion of Katherine Legh, after the dissolution of the Hospital were “all those messuages, houses 122and buyldinges, landes and tenements callyd the Spyttell howses, with all the orchards and gardens thereunto adjoyning.” The only property situated within the Precinct that can be traced as belonging to Katherine, consists of (i.) four houses and gardens, immediately to the east of the churchyard[613] and, between these and what is now Shaftesbury Avenue, (ii.) a house, garden and orchard.[614] The westernmost house of (i.) was probably The Angel, which is definitely mentioned as having been transferred to Katherine, but the remaining houses, etc., almost certainly were the Spittle houses, with their orchards and gardens. They are shown distinctly on Agas’s Map (Plate 1).

Pasture Ground.

The whole of the remainder of the Precinct to the south of the Hospital was, in the days of Elizabeth, pasture ground, and is probably to be identified with the close lying within the Precinct, commonly called the Pale Close, which is stated[615] to have formed part of the property transferred to Lord Lisle. The first specific mention of the ground occurs in 1564, when the jurors holding the Inquisitionem Post Mortem on Francis Downes found[616] that he was seized, inter alia, of and in four messuages and four acres of pasture in the parish of St. Giles-in-the-Fields. Downes, it is stated, purchased the property from Thomas Carew, son and heir of Sir Wymonde Carew, to whom it had been sold by Lord Lisle.

The four acres subsequently passed to John Graunge, in 1566, whose son sold them in 1611 to Robert Lloyd (otherwise called Floyd or Flood). On the latter’s death in 1617, he was found to be seized of and in a house with a garden on the east side, a barn and garden on the south of the house, and a stable and two closes of pasture, containing four acres, adjoining the barn and garden.[617] The next reference to the ground is in 1622, when it is referred to[618] as “two closes, formerly pasture, late converted into gardens and purchased ... by Abraham Speckard and Dorothy his wife.” It next passed to Sir Richard Stydolph, for Charles Tryon, his grandson, refers in his will,[619] signed 2nd November, 1705, to “a piece or parcell of ground containing about four acres lying in the parish of St. Giles-in-the-Fields ... near the church ... on which said ground 123are now standing ... severall houses and other buildings held by severall leases thereof granted by Sir Richard Stydolphe ... all or most whereof will in few years expire.” With this fact is undoubtedly to be connected the licence granted in July, 1671, to Sir Richard Stydolph to continue building at the back of St. Giles’s church. The licence[620] sets forth that Stydolph had let ground “on the backside of St. Giles’ Church in the way to Pickadilly to severall poore men who build hansome and uniforme houses, some whereof were quite covered and the fundacions of the rest laid,” before the proclamation prohibiting building on new foundations had been issued. In due course, “Christopher Wren, Esq.,” viewed the place and made a report, approving generally of the scheme and suggesting that it might “tend in some measure to cure the noisomnesse of that part,” provided that the building was carried out in accordance with a settled design. On this condition the necessary permission was given, and it was provided that two copies of the “designe, mapp or charte” should be made, neither of which, unfortunately, is available at the present day. Stidwell Street preserved for some time, in garbled form, the name of the owner of these lands.

The Manor and Possessions of St. Giles’ Hospital.

Up to within a few years of its dissolution, the Hospital of St. Giles, or rather that of Burton Lazars, in whose custody it was, owned the greater portion of the present Parish of St. Giles, together with large estates in other parishes.

On 2nd June, 1536, however, Henry VIII. effected an exchange[621] with the Master of Burton Lazars, whereby the latter received certain property in Leicestershire and transferred to the King the undermentioned:—

Manors of Feltham and Heston.

Messuages, etc., in Feltham and Heston.

2 acres of meadow in the Fields of St. Martins.

25 acres of pasture lying in the village of St. Giles.[622]

5 acres of pasture near Colman’s Hedge.[622]

5 acres of pasture in Colmanhedge Field.[622]

A close called Conduit Close, of five acres.

A close called Marshland.

A messuage called The White Hart, and 18 acres of pasture thereto belonging.

A messuage called The Rose, and a pasture thereto belonging.

A messuage called The Vine.

124

Dudley.

Reserved were the church and rectory of Feltham, and all glebes, tithes, etc., belonging thereto.

Of the lands and houses above-mentioned, only the last four were in the parish of St. Giles, and three of them have already been dealt with. The Vine was on the north side of High Holborn, and its site, with that of the close behind, is now marked by Grape Street, formerly Vine Street.

Very shortly afterwards, Sir Thomas Legh, the notorious visitor of the monasteries, made a determined effort to gain possession of the Hospital of Burton Lazars,[623] and obtained from Thomas Radclyff, then master, the next advowson of the Hospital for his life. This was confirmed in March, 1536–7, by Letters Patent.[624] In 1539 the Hospital was dissolved, and its possessions reverted to the Crown. Legh, however, for several years continued to hold the property, and enjoy the profits, spiritual and temporal, until on 6th May, 1544, the King granted to Sir John Dudley, Viscount Lisle, the Hospital with all its possessions in Leicestershire, St. Giles-in-the-Fields, and elsewhere. Very naturally, this resulted in “contencion, varyence and stryfe” being “reysed, stirred and dependyng betweene the said Viscount Lisle ... and the said Sir Thomas Legh ... of for and aboute the right, tytle, interest, occupation and possession of the seyd late Hospytall,” and the Lord Chancellor, Lord Wriothesley, was appointed arbitrator to settle the matter.

In the course of the same year (1544) Wriothesley gave his award, dividing the property between the two claimants, but as the arrangement was never completed it is not necessary to give details here.[625]

It appears that when the award in question was being obtained, Lord Lisle was absent from the country, “beinge occupied in the parties beyond the see in and aboute the Kynges Majesties affaires concernynge his warres,” and on his return refused to carry out the decree, claiming that “the veray trewe and hoole tytle of the seyde Viscounte of and in the premysses” had not been disclosed. On 24th November, 1545, Sir Thomas Legh died,[626] leaving as his sole heir a daughter, Katherine, aged five years. His widow, Joan, pressed for the execution of the award, and eventually on 8th March, 1545–6, a further decree[627] was made modifying the former. In accordance therewith an indenture[628] was on 24th March drawn up between Lord Lisle and Dame Joan Legh, providing for the transfer to the latter during her life, with remainder to Katherine, of the undermentioned property.

125“All those messuages, houses, and buyldinges, landes and tenements callyd the Spyttell howses, with all the orchards, gardens thereunto adjoyning.”

A close called St. Giles’ Wood.[629]

The Chequer.[630]

4 cottages in the occupation of John Baron.

11 cottages in the occupation of William Wilkinson.

The Maidenhead,[703] with a garden.

The Bear and 2 cottages adjoining.

Bear Close and Aldwych Close.

The George.[703]

A “mese” in the occupation of John Smith.

The Angel.

6 cottages in the occupation of William Hosyer.

The King’s Head.[703]

2 cottages near The Greyhound.

Rents from The Crown and a brewhouse.

The tithe of two fields[631] in Bloomsbury.

13 cottages in St. Andrew’s, Holborn.

The Round Rents[632] and other tenements and cottages in St. Andrew’s, Holborn.

Lands in Essex, Sussex, Northampton, York, Northumberland and Norfolk.

Rents from a large number of properties in the City of London, St. Clement Danes, etc.

In Lord Lisle’s hands remained:—

“The capitall house of the seyd late Hospitall of Seynte Gyles in the feldes and all the stables, barnes, orchards and gardeyns thereunto adjoyninge.”

Two “meses” parcels of the same site, with orchards and gardens, etc., late in the tenure of Dr. Borde and Master Densyll.

A close of 16 acres lying before the Great Gate, in the occupation of Master Magnus.

A close lying within the precinct, commonly called the Pale Close.

A close of 20 acres called The Newlands.[633]

A piece of ground called The Lane.[633]

Certain lands in Norfolk.

Lisle retained the property only for a few months, selling it in the same year[634] (1546) to John Wymond Carew, (afterwards Sir Wymond). Sir Wymond died on 23rd August, 1549, when he was found[635] to be seized of “and in the capital mansion of the Hospital of St. Giles-in-the-Fields and of and in certain parcels of land with appurtenances in the parish of St. Giles-in-the-Fields ... in his demesne as of fee.”

In December, 1561, his widow, Dame Martha Carew, gave up, in return for an annuity, to his son Thomas “all those lands, tenements, rents, hereditaments, etc., lieing and being in St. Gyles and Maribone, nere London, late belonging to Burton 126Lazar, which she holds by way of jointure”;[636] and Thomas sold them to Francis Downes. On the latter’s death in 1564 they were particularised[637] as four messuages, and four acres of pasture in St. Giles, and 20 acres of pasture in St. Marylebone.

Blount.

Although the manor of St. Giles is not mentioned, it must have been included in the portion assigned to Katherine Legh, for it is found afterwards in her possession. Sir Thomas’s widow died on 5th January, 1555–6[638] (having previously remarried[639]), leaving Katherine in her sixteenth year. Such a desirable prize was not likely to remain long in the matrimonial market, and a husband was soon found in the person of Sir James Blount, Lord Mountjoy. Blount’s life seems to have been one of continual financial worry, and his mortgages and recognisances figure very prominently in the Close Rolls of the period.[640]

The date of his marriage with Katherine Legh is not known precisely, but it was certainly within 13 months of the death of her mother.[641] By degrees the greater portion of Lady Katherine’s inheritance was converted into ready money, and among other transactions, the manor of St. Giles was on 18th July, 1565, mortgaged to Robert Browne, citizen and goldsmith of London, and Thomas his son.[642] The mortgage was never redeemed,[643] and on 20th June, 1579, Thomas Browne parted with the manor to Thos. Harris, who in turn sold it on 12th February, 1582–3, to John Blomeson. Blomeson retained it for nine years, and on 3rd May, 1592, sold it to “Walter Cope, of the Strand, Esq.,”[644] afterwards Sir Walter Cope.[645] On his death in 1614, the manor came into the possession of his daughter and sole heiress, Isabella, who married Sir Henry Rich, and on 2nd April, 1616, it was sold to Philip Gifford and Thos. Risley, in trust for Henry, third Earl of Southampton.[646]

Russell.

On the death of the fourth earl in 1668, it became the property of his daughter, Lady Rachel Russell, from whom it descended to the Dukes of Bedford, who now hold it.

127

LIV.—THE CHURCH OF ST. GILES-IN-THE-FIELDS.

First Church.

In a book,[647] now in the possession of the Holborn Metropolitan Borough Council, containing a number of extracts apparently copied from an earlier volume, is the copy of a document dated 26th January, 1630–31, in which it is stated that Queen Maud, about the year 1110, here built a church “pulchram satis et magnificam,” and called it by the name of St. Giles-in-the-Fields. It is possible that the statement is merely based on the fact of the foundation of the hospital, including the church, at about that date.

Although there is no record of any presentation to the living before the Hospital was suppressed in 1539, the fact that the parish of St. Giles was in existence at least as early as 1222[648] necessitates the assumption that the church was partially used for parochial purposes. After the suppression of the Hospital the whole fabric became parochial.

The earliest institution that has been found to[649] this church is dated 20th April, 1547, and was at the presentation of Sir Wymond Carew. On the next occasion (1571) the privilege was exercised by Queen Elizabeth, and since that time the patronage has always been in the hands of the Crown.

Very little information remains as to the architectural character of the church (whether the original structure or not) at the time of the dissolution.[650]

Besides the high altar there must have been an altar to the patron saint, St. Giles. There is also evidence of the existence of a chapel of St. Michael, for in the 46th year of Henry III. Robert of Portpool bequeathed certain rents to provide for the maintenance of a chaplain “to celebrate perpetually divine service in the chapel of St. Michael, within the hospital church of S. Giles.”[651]

According to an order of the Vestry of 8th August, 1623, there then existed a nave and a chancel, both with pillars, clerestory walls over, and aisles on either side.

The Vestry minutes of 21st April, 1617, record the erection of a steeple with a peal of bells, but from the fact that “casting the bells” is mentioned as well as the buying of new bells, and from the reference to it in the following year (9th September, 1618) as “the new steeple,” it seems probable that something of the kind had existed before. Parton[652] 128says that there was in early times a small round bell tower, with a conical top, at the western end of the church, but his authority for the statement is very doubtful.

The size of the church, measured within the walls, was 153 feet by 65 feet.[653]

Second Church.

The church was, in the early years of the 17th century, in danger of falling, as indeed some of it did, causing a void at the upper end of the chancel “which was stored with Lumber, as the Boards of Coffins and Deadmen’s Bones.” A screen was erected at the expense of Lady Dudley “to hide it from the beholders’ eyes, which could not but be troubled at it.”[654] A further collapse caused the parishioners to decide to erect a new church. This was begun in 1623 and finished in 1631. The cost of building amounted to £2,068, all of which, with the exception of £252 borrowed, was obtained from voluntary offerings. The largest contributor was Lady Dudley, who gave £250, and, in addition, paid for the paving of the church and chancel. A small sketch of the church is given by Hollar in his plan of 1658 (Plate 3), and a lithograph (here reproduced) by G. Scharf is in Parton’s Hospital and Parish of St. Giles-in-the-Fields.

Del<sup>t</sup>. John Hall Med Templ Lond Marti 17 1718.      G Scharf Lithog The Old Church of S<sup>t</sup>. Giles in the Fields as it Appeared in the Year 1718

129Hatton[655] gives the length as 123 feet and the breadth 57 feet. The church and steeple appear to have been built of rubbed brick[656], surmounted with battlements, and coped with stone.[656] A western gallery was erected in 1671, and others to the north and south in 1676–7.

The chancel had a large east window, and one on either side. The nave had a window over the chancel arch, and a large one at the west end.

There were north and south aisles, which must have been of considerable height to admit of the galleries which were subsequently added. They appear to have been of three bays,[657] with two windows in each. All the windows, except the westernmost one in the north aisle, were glazed with coloured and painted glass. There were three doors to the church, one beneath the west window and others under the third window from the east of the north aisle and the westernmost window of the south aisle.

No window is mentioned by Strype at the west end of the north aisle, so that it is probable that the tower was attached to the church in this situation. This had battlements and was provided with a vane.

The interior was well furnished and provided with numerous ornaments, many of which were the gift of Lady Dudley.[658] Chief among the latter must be mentioned an elaborate screen of carved oak placed where one had formerly stood in the old church. This, as stated in a petition to Parliament in 1640,[659] was “in the figure of a beautifull gate, in which is carved two large pillars, and three large statues: on the one side is Paul, with his sword; on the other Barnabas, with his book; and over them Peter with his keyes. They are all set above with winged cherubims, and beneath supported by lions.”

The church had a pair of organs with case richly gilded, and the organ loft was painted with a representation of the Twelve Apostles.

Very costly and handsome rails were provided to guard the altar. This balustrade extended the full width of the chancel, and stood 7 or 8 feet east of the screen at the top of three steps.

130The altar stood close up to the east wall, with a desk raised upon it in various degrees of advancement.

The upper end of the church was paved with marble, and six bells were provided in the steeple.

In 1640 the reformers were very bitterly incensed against the rector with regard to the fittings in the church, and a petition was presented to Parliament enumerating the various articles which were considered superstitious and idolatrous. The result of this action was that most of the ornaments were sold in 1643, while Lady Dudley was still alive.

After the Restoration the church was repaired and decorated, and a striking clock and dials added to the tower.

In 1716 the church had a very valuable addition made to its plate in the form of an engraved gold communion cup, weighing 45 ozs., which had been purchased pursuant to the will of Thomas Woodville, a parishioner who died at sea. This valuable chalice, together with the rest of the sacramental and other plate, was stolen from the vestry room in 1804.

The church was obviously not well constructed, for by 1715 it was reported to be in a ruinous condition. Under a moderate computation it appeared that it would cost £3,000 to put it in order. The ground outside being above the floor of the church, caused the air to be damp and unwholesome, and proved inconvenient in other ways. In these circumstances it was thought better to recommend a complete reconstruction of the church.

The parishioners accordingly petitioned that the church should be included in the 50 new churches to be built in the cities of London and Westminster and the suburbs, and the necessary authority for this was eventually obtained in 1718.[660] Nothing, however, was done until 1729, when an arrangement was come to whereby the Parish of St. Giles agreed to make provision for the stipend of the rector of the new parish of St. George, Bloomsbury, on condition that the Commissioners acting under the Act of Queen Anne should pay a sum not exceeding £8,000 for the rebuilding of St. Giles Church. The arrangement was sanctioned by an Act of Parliament of the same year.[661] By 1731, Henry Flitcroft had prepared plans and entered into an agreement to begin pulling down by 31st August of that year, and to have the new church completely finished on or before 25th December, 1733. For this work the architect was to receive £7,030, but in fact the contract was exceeded by over £1,000, Flitcroft’s receipt being for £8,436 19s. 6d.[662]

Third Church.

The interior dimensions of the church are as follows: length from the west wall to the east wall of the chancel, 102 feet; length from 131the west wall of the nave to the east wall of the nave, 74 feet; depth of the chancel, 8 feet; width of the nave and aisles, 57 feet 6 inches.

The plan is a nave of five bays with side aisles (Plate 43), over which are galleries, these being connected by a western one in the last bay of the nave. A shallow sanctuary is placed at the eastern end, and at the west is the steeple and a vestibule containing the entrances and the staircases to the galleries and tower.

The general treatment of the exterior of the church (Plates 45 and 47) is plain in character, but of pleasing effect. The walling is faced with Portland stone rusticated (chamfered at the joints) to a projecting band marking the gallery level. Above, the walling is of plain ashlaring with rusticated quoins. The gallery windows have semi-circular heads with keystones, moulded architraves and plain impost blocks. The whole is surmounted by a bold modillion cornice, with blocking course above.

Emphasis is given to the sanctuary by a pediment and by a large semi-circular-headed window with panels on either side forming a decorative composition.

The western end has a similar pediment with the tower rising above. The central entrance doorway lacks emphasis and the importance which its position seems to require, and is almost the same in design as those to the vestibules facing north and south, which are relatively unimportant. On the main frieze below the cornice is the inscription—H. Flitcroft, Architectus.

Rising immediately behind the western pediment is the steeple of about 150 feet in height.

Flitcroft’s able design was evidently influenced by that of Gibbs for the neighbouring church of St. Martin-in-the-Fields, but it lacks the vigorous character of that noble structure. The banding to the obelisk above the belfry tends to make this feature appear somewhat overheavy in comparison with the graceful lantern beneath. The change from square to octagon at the clock face level is cleverly managed, and will bear comparison with the same feature at St. Martin’s Church.

The following extract from A Critical Review of the Public Buildings, Statues and Ornaments in and About London and Westminster made by Ralph in 1734, is of interest, as it gives an opinion upon the architecture of this church shortly after its erection:—

“The new church of St. Giles’s is one of the most simple and elegant of the modern structures: it is rais’d at very little expence, has very few ornaments, and little beside the propriety of its parts, and the harmony of the whole, to excite attention, and challenge applause: yet still it pleases, and justly too; the east end is both plain and majestick, and there is nothing in the west to object to but the smallness of the doors, and the poverty of appearance that must necessarily follow. The steeple is light, airy and genteel, argues a good deal of genius in the architect, and looks very well 132both in comparison with the body of the church, and when ’tis consider’d as a building by itself, in a distant prospect.”

Ralph disliked the position of the church, and would have altered its direction, making what is the east end the main front, and placing it in such a manner as to have ended the vista of Broad Street.

The interior (Plate 49) is much finer than the exterior would suggest, and is an excellent example of a well thought-out design. Square panelled piers rising to the underside of the galleries support Ionic columns with block entablatures, all of Portland stone (Plate 46). These carry the roof and ceiling. The ceiling of the nave is barrel-vaulted in form, panelled and divided into bays by mouldings. The ceilings of the aisle-galleries (Plates 44 and 51) take the form of a species of groined vaults intersecting the barrel ceiling of the nave. The whole is covered by a roof of one span.

The treatment of the galleries is more than usually satisfactory, for the fronts, instead of being housed into the columns—giving the suggestion of a necessary after addition—rest comfortably upon the piers supporting the columns, and, if taken away, would mar the proportion of the columns to their pedestals.

The shallow sanctuary is almost the full width of the nave. It is ceiled with an ornamental panelled barrel vault following that of the nave, and the eastern wall is filled by an architectural composition harmonising with the general treatment of the nave.

On the frieze of the altar piece (Plate 51) is carved a cherub’s head, and above is a scrolled pediment having in the centre a pelican feeding her young in the nest.

The lower panels on either side of the altar and of the sanctuary, are four in number, and enclosed in carved wood frames. Two contain pictures; that of Moses to the left (Plate 52) and of Aaron to the right of the altar.

The pulpit is of carved oak with inlay panels. The ironwork to the choir balustrade is of wrought work, and the old iron bound chest in the north-west vestibule is of interest.

The organ (Plate 50) is of considerable interest, and Mr. George E. Dunn, the organist, has been good enough to supply the following information. The instrument was built by the celebrated Bernard Schmidt (known as Father Smith) for the second church in 1671, when he was 41 years old. He was known chiefly for the perfection of his diapason stops—the true organ tone—and those in this organ are among his best specimens. When the church was rebuilt by Flitcroft he evidently did not desire to interfere with the organ, and adopted the unusual expedient of erecting the tower of the new church partially round the organ; consequently the back and part of two sides are covered by the walling of the tower. Father Smith’s original specification remained until 1856, when many of the stops had become decayed after 180 years’ use. Dr. G. C. Verrinder, the organist at that time, had it restored and enlarged by Messrs. Gray and Davidson, and further repairs and alterations were made in 1884 133by the same firm, under the instructions of the late Dr. W. Little, the organist at that date. In 1889–1900 further alterations were made by Messrs. Henry Jones and Sons, in collaboration with the present organist. But through all the decay and changes the organ has undergone Father Smith’s original diapasons in the front organ remain and are still perfect. The blowing is done by hand, but the well-balanced lever renders this comparatively easy, while, despite the retention of the old tracker action, the instrument is quite free from the “rattling” so often found in these old actions. In front are carved the royal arms of George I.

All the glass to the windows, except a small panel (Plate 52) in the west window of the south vestibule, is modern. This fragment, which is probably from the earlier church, represents St. Giles’s tame hind struck by the arrow.

The majority of the monuments in the church belong to the 19th century. Those of earlier date are as follows:—

On the north-east wall of the nave is a tablet of white marble, on a black marble slab, with the following inscription:

H. S. E.
GULIELMUS WATSON EQUES
SOCIETATIS REGALIS APUD LONDINUM,
ET COLLEGII REGALIS MEDICORUM SOCIUS,
REGALI ETIAM ACADEMIÆ MADRITENSI ADSCRIPTUS,
IN UNIVERSITATIBUS HALÆ ET VIRTEMBERGIÆ
MEDICINÆ DOCTOR
HONORIS ERGO ELECTUS
VIR SUI TEMPORIS
SCIENTIÆ INDAGATOR STUDIOSISSIMUS:
ARTIS MEDICÆ ET BOTANICÆ, NECNON PHILOSOPHIÆ NATURALIS,
PRÆCIPUE QUOD AD VIM ELECTRICAM ATTINET
INTER PRIMOS PERITUS.
OBIIT DIE MAII 10. A.D. 1787. ÆTAT. SUÆ 72.
HOC MARMOR NEC SUPERBUM,
NEC QUIDQUAM HABENS ORNATUS:
PRAETER IPSUM EJUS NOMEN,
FILIO PIENTISSIMO LEGANTE,
TESTAMENTI CURATORES
PONI JUSSERUNT.

Above, surmounted by a crest, is placed a coat of arms: (Argent) on a chevron engrailed (Azure) between three martlets (Sable) as many crescents (of the first).

On the wall of the north aisle is a white marble tablet to the memory of John Barnfather, who died on 17th September, 1793, in the 75th year of his age. A tribute is paid to his strictness and impartiality in the execution of his duties as a justice of the peace, and to his “mildness of Temper and benignity of mind” in private life. The tablet is 134surmounted by a mourning female figure, and fixed on an oval slab of black marble.

A little to the west along the aisle is a tablet of black marble, with white marble cornice and base, bearing an inscription to the memory of other members of the same family, viz., Robert Barnfather, who died on 23rd October, 1741, aged 54, and his wife Mary, who died on 6th December, 1754, aged 67. A long account of the latter’s many good qualities is contributed by “their most Affectionate Son.”

Still further westward is a tablet with the following inscription:—

NEAR UNTO THIS PLACE LYETH THE BODY OF
ANDREW MARVELL ESQUIRE, A MAN SO ENDOWED BY NATURE
SO IMPROVED BY EDUCATION, STUDY & TRAVELL, SO CONSUMMATED
BY PRACTICE & EXPERIENCE: THAT JOINING THE MOST PECULIAR GRACES
OF WIT & LEARNING WITH A SINGULAR PENETRATION & STRENGTH OF
JUDGMENT, & EXERCISING ALL THESE IN THE WHOLE COURSE OF HIS LIFE
WITH AN UNALTERABLE STEADINESS IN THE WAYS OF VIRTUE, HE BECAME
THE ORNAMENT & EXAMPLE OF HIS AGE; BELOVED BY GOOD MEN, FEAR’D
BY BAD, ADMIR’D BY ALL, THO IMITATED ALASS! BY FEW, & SCARCE FULLY
PARALLELLED BY ANY. BUT A TOMB STONE CAN NEITHER CONTAIN HIS CHARACTER,
NOR IS MARBLE NECESSARY TO TRANSMIT IT TO POSTERITY, IT WILL BE ALWAYS
LEGIBLE IN HIS INIMITABLE WRITINGS. HE SERVED THE TOWN OF KINGSTON
UPON HULL, ABOVE 20 YEARS SUCCESSIVELY IN PARLIAMENT, & THAT WITH SUCH
WISDOM, DEXTERITY, INTEGRITY & COURAGE AS BECOMES A TRUE PATRIOT
HE DYED THE 16. AUGUST 1678 IN THE 58TH. YEAR OF HIS AGE.
SACRED
TO THE MEMORY OF ANDREW MARVELL ESQR. AS A STRENUOUS ASSERTER OF
THE CONSTITUTIONS, LAWS & LIBERTIES OF ENGLAND,
AND OUT OF FAMILY AFFECTION & ADMIRATION OF
THE UNCORRUPT PROBITY OF HIS LIFE & MANNERS
ROBERT NETTLETON OF LONDON MERCHANT HIS GRAND NEPHEW
HATH CAUSED THIS SMALL MEMORIAL OF HIM
TO BE ERECTED IN THE YEAR 1764.

Further is a tablet of white marble, in the form of an ornamental cartouche, recording the death of John Hawford and Elizabeth his wife, and their two sons John and William. All four deaths occurred between December, 1712, and July, 1715.

Next is a tablet to the memory of Thomas Edwards, who died on 9th July, 1781, in the 71st year of his age. The tablet is of white marble, surmounted by a black cinerary urn, on an oval slab of painted marble. The inscription records his various bequests for the use of the poor of the parish, and explains that the monument was erected by his widow not only as a tribute of gratitude and affection, but with a view to inciting others “whom God has blessed with Abilities and Success” to follow his example. Her own death, on 23rd November, 1818, is also mentioned.

135Still in the north aisle, but near the entrance, is a tomb bearing a white marble recumbent effigy of Lady Frances Kniveton, resting on a black marble slab above a stone base. This is one of the two memorials preserved from the second church. The inscription, contained on a white marble tablet, reads as follows:—

In Memory of the Right Honble. Lady Frances Kniveton, (Wife of Sr. Gilbert Kniveton,/of Bradley, in the County of Derby Bart.) lyeth buried in the Chancel of this Church./She was one of the 5 Daughters & Co-heirs of the Rt. Honble. Sr. Robert Dudley Kt. Duke of the/Empire; by the Lady Alice his Wife & Dutchess. which Robert. was Son of the Rt. Honble./Robert Dudley, late Earle of Leicester. & his Dutchess was Daughter of Sr. Tho: Leigh,/and Aunt to the Rt. Honble. Thos. late Lord Leigh of Stoneleigh, in the County of Warwick./And the said Honour & Title of Dutchess Dudley, was by Letters Patents of his late Majesty,/of glorious Memory, King Charles ye 1st allowed; & since graciously confirmed to her, by his/now Majesty King Charles ye 2d and She lived & died worthy of that Honour.

Since the rebuilding of this Church this Monument was resett up by the/Honble. Charles Leigh of Leighton, in Bedfordshire: 1738.

At the west end of the north aisle is the stone monument, originally in the churchyard, of George Chapman, the poet, said to have been 136designed and given by Inigo Jones. The stone on which the inscription is cut was inserted in 1827.

On the west wall of the nave is an oval tablet of white marble, recording the gift by the Hon. Robert Bertie, son of the 1st Earl of Lindsey, of fifty pounds, the interest of which was to be utilised in the distribution of bread and money to the poor of the parish.

On a pillar on the north side of the nave is the other memorial which was originally in the second church. This is to the memory of Sir Roger L’Estrange.

In the centre of a cartouche under a coat of arms: (Gules) two lioncels passant guardant (Argent), is the inscription:

In the Middle Isle near
this Place lyeth the Body of
SR ROGER L’ESTRANGE
Knt.
Born ye 17th of Decr. 1616
Dyed ye 11th of Decr. 1704

On a pillar on the south side of the nave is an oval tablet of white marble, mounted on a black marble slab, and bearing an inscription to the memory of the Rev. Richard Southgate, rector of Warsop, sub-librarian of the British Museum, and Curate of St. Giles-in-the-Fields, who died on 21st January, 1795.

Reader
If thou canst = excell him:
It will be well,
If thou canst equal him.

In the south porch are three tablets. The first, which is of marble, and was formerly affixed to a monument which stood on the north side of the chancel in the second church[663], reads as follows:—

This Monument was Erected in the Year of Our Lord 1736. by the Pious Direction of the Honourable/Dame BARBARA WEBB wife of Sr. JOHN WEBB of Canford Magna in the County of Dorset Bart. and the Honourable/CATHERINE TALBOT wife of the Honourable JOHN TALBOT of 137Longford in the County of Salop Esq. Surviveing/Daughters and Coheirs of the Right Honourable JOHN Lord BELASYSE Second Son of THOMAS Lord Viscount/FAUCONBERG, in memory of their most dear Father his wives and Children./

Who for his Loyalty Prudence and Courage was promoted to Several Commands of great Trust by their/Majesty’s King Charles the First and Second (Viz.) Having raised Six Regiments of Horse and Foot in the late Civil Wars/He commanded a Tertia in his Majesty’s Armies att the Battles of Edge Hill, Newbury, and Knaseby, ye Seiges of Reading/and Bristol. Afterwards being made Governour of York and Commander in Chief of all his Majesty’s Forces in/Yorkshire, He fought the Battle of Selby with the Lord Fairfax, then being Lieutenant General of ye Countys of Lincoln,/Nottingham, Darby, and Rutland, and Governour of Newark. He Valiantly defended that Garrison against the English/and Scotch Armies, till his Majesty Came in Person to the Scotch Quarters and Commanded the surrender of it./At which time he also had the honour of being General of the Kings Horse Guards. in all which Services dureing/the Wars and other Atchievements, he deported himself with eminent Courage & Conduct & received many wounds/Sustained Three Imprisonments in the Tower of London, and after the Happy Restauration of King CHARLES the second/He was made Lord Lieutenant of the East Rideing of the County of York, Governour of Hull, General of His Majesty’s/Forces in Africa, Governour of Tangier, Captain of his Majesty’s Guards of Gentlemen Pensioners, & First Lord/Commissioner of the Treasury to King JAMES the Second. He dyed the 10TH day of September 1689. whose remaines/are deposited in this Vault./

He married to his first wife JANE daughter and Sole Heiress of Sr. ROBERT BOTELER of Woodhall in the/County of Hertford, Knt. by whom he had Sr. HENRY BELASYSE Knt. of the most Honourable Order of the Bath/interr’d in this Vault, MARY Viscountess DUNBAR, and FRANCES both Deceased.

He married to his second Wife ANN Daughter and Coheir to Sr. ROBERT CRANE of Chilton in ye County/of Suffolk Bart. who also lyes interr’d here.

He married to his third Wife the Right Honourable the Lady ANN POWLET Second Daughter of the/Right Noble JOHN Marquiss of Winchester, sister to CHARLES late Duke of Bolton, and is here interr’d, the/Issue by that Marriage as above.

The two remaining memorials in the south porch consist of inscribed marble tablets containing a record (1) of the gift of Richard Holford, who left the sum of £29 a year, issuing out of three houses in the parish, to be distributed quarterly amongst the “most aged & necessitated poore people of the said parish”; and (2) of the gift of John Pearson (died 1707), who bequeathed the sum of £50 a year for 99 years, one half to be 138utilised for the apprenticeship of boys “Sons of poor decay’d Houskeepers,” and the other half to go to “the 20 Women in the Almeshouses at ye end of Monmouth Street.

In the north porch is an inscribed marble tablet recording the provision made by Sir William Cony for the interest on £50 to be utilised in the distribution of bread to the poor, “that is to say twelve penyworth every Sunday in every yeare and eight holy dayes in the same yeare.”

Of the tombs in the churchyard only a few bear inscriptions which can be dated before 1800.

A stone, now placed against the east wall of the churchyard, records the birth and death of several persons named Hammond, including George Hammond, died 13th September, 1789; George Aust. Hammond, born 6th May, 1761, died 8th November, 179–; Mrs. P. Hammond, died 11th June, 1798; and John Hammond (inscription mutilated).

A stone, now placed against the west wall of the churchyard, records the death of William Harding on 23rd January, 1749, aged 76; and of his wife, Margaret, on 29th October, 1754, aged 82. On the same stone have been cut the later names (19th century) of persons named Orme.

By the side of the path running past the east end of the church is the tomb of Richard Pendrell “Preserver and Conductor to his sacred Majesty King Charles the Second ... after his escape from Worcester Fight.” The visible tomb is not the original one, the raising of the churchyard in the early part of the 19th century[664] having made it necessary for a new monument to be erected. This stands upon the black marble top of the older one.

On the plinth at the west end of the church is a stone recording the death of William Collins on 14th April, 1785, at the age of 27 years.

A lich gate (Plate 53) is placed at the western side of the churchyard, opposite the entrance to the church. It is of stone, in the Roman Doric order, and bears the following inscription on the east side of the tympanum: “This gate formerly stood in High Street, A.D. 1800—John, Lord Bishop of Chichester, D.D., Rector—W. L. Davies, William Leverton—Churchwardens—was built in this place A.D. 1865. Anthony W. Thorold, M.A., Rector. J. F. Corben, Thomas Willson—Churchwardens.”

The west side of the tympanum contains a carved oak lunette representing the Resurrection (Plate 54). Other representations of the same subject are to be seen at St. Mary-at-Hill, in the north-west vestibule (stone); St. Stephen, Coleman Street, in the vestry (wood), a replica of which is over the doorway to the churchyard from the street; St. Andrew, Holborn, in the north wall facing Holborn (stone); and St. Nicholas, Deptford, on the east wall of the south aisle (oak, now in a glass case).

The carving is probably the work of a wood-carver, named Love. In 1686, directions were given by the vestry to erect “a substantial gate out of the wall of the churchyard near the round house.” The 139gateway, which was of brick, was completed in 1687. It cost, with the necessary alterations to the churchyard, £185 14s. 6d., Love’s bill being £27.[665] In 1800, according to the inscription, it was rebuilt, this time in stone, and remained on the north side of the churchyard until 1865. The main entrance to the church is still from a gate in the iron railings, at about the same spot.

To the south-west of the church, and now connected by a corridor, are the church rooms which form the vestry. The larger room (Plate 55) is panelled in deal with a wood cornice. Over the chimneypiece is a list of rectors of the parish from 1547, and portraits of rectors hang on the walls. There is a fine large oak table, dating from 1701, and on the walls is a cast iron enlargement facsimile of the old seal of St. Giles’ Hospital.

The Rectors of the Parish up to the year 1800, according to Hennessy,[666] were as follows:—

Date of Appointment.
William Rowlandson, pr. 1547, April 20.
Galfridus Evans, cl. 1571, Nov. 8.
William Steward, cl. 1579, Aug. 3.
Nathaniel Baxter, A.M. 1590, Aug. 15.
Thomas Salisbury, A.B. 1591, Dec. 24.
John Clarke, A.M. 1592, Sept. 16.
Roger Maynwaring, A.M. 1616, June 3.
Wm. Heywood, S.T.B. 1635–6, Jan. 8 (ejected 1636).
Gilbert Dillingham (died Dec., 1635).
Brian Walton, A.M. 1635–6, Jan. 15.
Wm. Heywood, S.T.B. 1660 restored.
Robert Boreman, S.T.P. 1663, Nov. 18.
John Sharp, A.M. 1675–6, Jan. 3.
John Scott, S.T.B. 1691, Aug. 7.
William Haley, cl. 1695, April 4.
William Baker, S.T.P. 1715, Nov. 10.
Henry Gally, D.D. 1732, Dec. 9.
John Smyth, A.M. 1769, Sept. 21.
John Buckner, LL.B. 1788, May 22.
John Buckner, LL.D. 1798, Sept. 17.
140

In the Council’s collection are:—

[667]Old Church of St. Giles in 1718 (print).

[667]Plan of Church at ground level (measured drawing).

[667]Plan of Church at gallery level, looking up (measured drawing).

[667]West front (measured drawing).

[667]West front, cross section (measured drawing).

[667]The exterior from the north-west (photograph).

[667]The exterior from the north-east (photograph).

The exterior from the south-east (photograph).

[667]Sectional view of the interior looking east (photograph).

General view of the interior from the west gallery (photograph).

[667]General view looking west (photograph).

[667]The columns and ceiling from the gallery (photograph).

The upper part of the chancel from the gallery (photograph).

[667]The altar and altar piece (photograph).

[667]Picture of Moses and carved frame, left-hand side of altar (photograph).

Wrought iron chancel railing (photograph).

[667]Recumbent effigy of Lady Frances Kniveton (photograph).

[667]Painted glass panel in window over south-west staircase (photograph).

Iron bound chest in north porch (photograph).

Plan of Vestry (measured drawing).

[667]General view of Vestry (photograph).

[667]Cast iron enlargement of Seal (photograph).

[667]Monument to Chapman drawn by J. W. Archer, 1844 (preserved in the British Museum) (photograph).

[667]The Lich Gate (measured drawing).

The Lich Gate (photograph).

[667]Oak panel in the tympanum of the Lich Gate (photograph).

Old Prints, etc.

The christening of Joey. View of old church of St. Giles-in-the-Fields. Heal Collection, Holborn Public Library, No. 320 (engraving).

The outside north-west view of St. Giles’ Church in the Fields, built 1733. H. Flitcroft, Architect. D. F. Donnowell, Del. A. Walker, Sculp. 16 × 12½, 1753. (British Museum Crace Collection, Port. 28, No. 118) (engraving).

North-west view of St. Giles’s Church, in the style of T. H. Shepherd, ink and watercolour, 25½ × 21½. Preserved in the Church Vestry.

“The old entrance gateway to St. Giles’s Church Yard with the bas-relief of the Resurrection, 1687.” (A water colour drawing by T. H. Shepherd, 1851. 7 × 10. British Museum Crace Collection. Portfolio 28, No. 122.)

“The new entrance gateway to St. Giles’s Church Yard, introducing the old bas-relief. W. Leverton, Architect.” (A watercolour drawing by T. H. Shepherd, 1851. 7 in. × 6½ in. British Museum Crace Collection. Portfolio 28, No. 123.)

141

LV.–LVII.—Nos. 14 to 16, NEW COMPTON STREET.

Ground Landlord.

— Brinckman, Esq.

General description and date of structure.

The laying out of Stidwell Street on the pasture ground formerly appertaining to the Hospital has already been referred to.[668]

In 1775–6, concurrently with the rebuilding of a great many of the houses, the name of the street was changed to New Compton Street, and the thoroughfare was at the same time extended over what had formerly been known as Kendricke’s Yard.

In common with many other houses, Nos. 14 to 16, New Compton Street seem, from the evidence of the rate books, to have been rebuilt in 1776, and it is not possible to equate them with any premises existing before that date.

Plate 42 shows three interesting 18th-century shop fronts. Nos. 14 and 15 have unfortunately lost the original bow glazing, the outline of which is indicated by the fascias. No. 16 still retains its original square bay windows.

Condition of repair.

The premises are in fair repair.

The Council’s collection contains:—

[669]Nos. 14 to 16, New Compton Street. Shop fronts (photograph).

No. 6, New Compton Street. Shop front (photograph).

142

LXVIII.–LXIV.—Nos. 4, 5, 6, 7, 9, 10 and 11, DENMARK STREET.

Ground landlords.

The ground landlord of No. 5 is Archibald Lawrence Langman, Esq.; of No. 6, Messrs. E. E. Belfour and C. H. Turner; of No. 7, the Combined Estates Company; and of No. 11, the Rev. R. N. Buckmaster.

General description and date of structure.

From the description which has been given of the sites of the buildings appurtenant to the Hospital, it would seem that Denmark Street occupies the site of one or perhaps two of those immediately north of the Master’s house. The street appears to have been formed a little before the year 1687. It is not shown in Morden and Lea’s Map of 1682, but is referred to in a deed of the former year[670] as containing plots unbuilt on. Its name was apparently given in honour of Prince George of Denmark, who had in 1683 married the Princess (afterwards Queen) Anne.

Nos. 4, 5, 6, 7, 9 and 10, Denmark Street seem all to be the original houses erected towards the end of the 17th century, but have been considerably altered both externally and internally.

No. 4 retains its original deal doorcase with carved consoles; it has a lion’s head in the centre over the doorway. The staircase has a continuous newel with winders housed into it.

No. 5 still has its original deal staircase with panelled walls, close strings and twisted balusters, a detail of which is given on Plate 56.

No. 6 is somewhat similar.

No. 7 has a doorcase somewhat similar to that of No. 4, but with a pediment (Plate 57). The interior is of interest, as the original staircase remains (Plate 58). It has close moulded strings, square newels and turned and twisted balusters.

No. 9 has the original staircase with turned and twisted balusters.

No. 10 has a somewhat similar staircase, but the doorcase shown on Plate 59 is an 18th-century addition.

No. 11 has been demolished. It was an 18th-century building. The stone doorhead is shown on Plate 59.

Hidden behind the rear of No. 27, Denmark Street is the old-fashioned smithy shown on Plate 60. It is not a little surprising to discover an example of such manual labour surrounded by firms using modern mechanical labour-saving devices.

Biographical notes.

Dr. John Purcell, a prominent London physician, who published A Treatise on Vapours or Hysteric Fits and A Treatise of the Cholick was living at No. 10 in 1730. He died in the same year.

143The “Rev. Mr. Majendie,” afterwards “Rev. Dr. Majendie,” is shown by the ratebooks as occupying No. 10 from 1758 to 1771. He was probably John James Majendie, son of the Bishop of Chester and Bangor. He was the author of several religious works in English and French, and in 1774 became Canon of Windsor. He died in 1783.

In the Council’s collection are:—

Denmark Street. View of south side from the east (photograph).

[671]No. 5, Denmark Street. Details of staircase (measured drawing).

No. 7, Denmark Street. Entrance doorway (photograph).

[671]No. 7, Denmark Street. Entrance doorway (measured drawing).

[671]No. 7, Denmark Street. Details of staircase (measured drawing).

[671]Nos. 10 and 11 Denmark Street. Doorcases (photograph).

[671]Blacksmith’s forge (photograph).

144

LXV.—NORTH OF DENMARK PLACE.

To the north of Denmark Place the frontage to High Street seems to have been fully built on before 1658 (Plate 3). Originally the garden of the Hospital extended as far as here, for the limits of the parish of St. Margaret, Westminster, are described in 1222, as stretching along what is now Oxford Street as far as the Hospital garden.[672] In somewhat later times the principal feature of this triangular plot was The Crown inn and brewhouse, which is referred to as early as 1452[673] as “a brewhouse called The Crowne” with six cottages adjoining. It will be seen, therefore, that even at that date there were a number of buildings on this plot. Included in the portion of the Hospital’s property which fell to the share of Katherine Legh were “one close rent xijs and iiijd by the yere there goinge oute of a mese called The Crowne, and one chieff rente of vis by yere goyng oute of a brew house there, nowe so late in the tenure or occupacion of one Richard Lightfoot.” When next heard of The Crown brewhouse, with a close of 3 acres[674] and an orchard and garden adjoining, belonged to John Vavasour, whose son Nicholas in 1615 sold it to William Bowes.[675]

At a spot immediately opposite The Crown at one time stood the pound, and according to Maitland[676], this was also the situation of the gallows, between the date of their removal from the Elms in Smithfield about the year 1413, and their further subsequent removal to Tyburn. It does not appear, however, that Maitland had any authority for the statement as to the removal of the gallows from Smithfield. As regards the further removal to Tyburn, if it ever took place it must have been before the year 1478, when it is quite certain that the gallows were already in the position occupied by them for centuries to come, viz., opposite the southern end of Edgware Road. There is, indeed, a very considerable probability that this was the case even in Edward I.’s reign,[677] and it seems improbable that a permanent gallows ever stood in St. Giles at all.[678]

The pound was originally[679] in High Street, St. Giles, just to the west of where Endell Street now issues, and was removed thence in 1656 to the junction of High Street, Oxford Street and Tottenham Court Road.[680]

145

LXVI.—SITE OF “THE ROOKERY” (BAINBRIDGE STREET, LAWRENCE STREET, MAYNARD STREET, ARTHUR STREET and BUCKNALL STREET).

Included in that part of the Hospital property which fell to Lord Lisle’s share was “one close lyinge before the greate gate there conteyninge by estimacion 16 acres, with appurtenances, nowe or late in the occupacion of Maister Magnus.”[681] From this description Parton had some justification in assuming that the ground covered the site of Baynbridge Street, Arthur Street, etc. If this is correct, however, the close must have been split up by the early part of Elizabeth’s reign, and that part which covered the sites of the streets in question was, in 1583, in the possession of George Harrison. On his death in that year it was found[682] that he was seized inter alia of “a close ... called Le Church Close in the parish of St. Giles, containing by estimation five acres of pasture.” He also owned 13 messuages with gardens on the north side of High Street, stretching westward from The Maidenhead,[683] which he had purchased from Lord Mountjoy,[684] but no record has been found which might enable the previous owners of Church Close to be traced. In 1632 John Barbor alias Grigge bought[685] a number of the houses, together with “all that close of meadow or pasture ... called ... Church Close alias Williamsfeild ... conteyning 5 acres,” and in 1649 the property was further transferred to Henry Bainbridge.[686]

Hollar’s Plan of 1658 (Plate 3) shows the commencement of building on this area, and Parton[687] notes that Bainbridge Street and Buckridge Street were built on before 1672. These two streets, with Maynard Place and Dyott Street, obviously took their names from the persons mentioned in a fine of 1676,[688] from which it seems probable that Maynard, Buckridge and Dyott were the married names of Bainbridge’s three daughters. Church Lane and Church Street had obvious reference to Church Close. 146The locality subsequently became one of the most disreputable districts in London,[689] a state of things which was finally put an end to by driving New Oxford Street[690] through the midst. At the same time several of the old streets were abolished, and some of those which remained had their names altered.

Prints, Water Colour Drawings, Etc.:—

In the collection of water colour drawings by J. W. Archer, preserved at the British Museum are three of The Rookery, representing:

Entrance from High Street.

Part of The Rookery in 1844.

A cellar in The Rookery.

In the Heal Collection, preserved in the Holborn Public Library, are a series of views illustrating The Rookery.

147

LXVII.—Nos. 100, 101 and 102, GREAT RUSSELL STREET.

Ground landlord.

His Grace the Duke of Bedford, K.G.

General description and date of structure.

Northward from the site of The Rookery extends the manor of Bloomsbury, a full account of which is reserved for the volume dealing with the parish of St. George, Bloomsbury.

A plan of part of the manor in 1664–5, preserved in the British Museum and reproduced in Clinch’s Bloomsbury and St. Giles, shows that the western end of Great Russell Street and the whole of Bedford Square[691] occupy the sites of two fields called Cowles Field and Cowles Pasture.

In Morden and Lea’s map of 1682, the only buildings shown on the site of these fields are a few at the southern end of Tottenham Court Road. Great Russell Street had, however, already been formed,[692] and houses were in existence on the south side.

Nos. 100 to 102 formed originally one house, which in 1785–6 was in the occupation of John Sheldon. It would therefore seem that this was the house referred to by Elmes, who stated[693] that Sir Christopher Wren designed a fine mansion in this street which was afterwards occupied by his son, and “more recently by the celebrated surgeon and anatomist, Mr. Shelden.”

The records of His Grace the Duke of Bedford, however, lend no countenance whatever to the suggestion that Wren’s son occupied the house, and indeed show Stephen Wren as residing in a house, afterwards known as No. 32, on the south side of the street, in 1751, when he wrote the letters “headed Great Russell Street,” on which Elmes apparently relied in making his statement. As regards the ascription of the design of the house to Sir Christopher Wren, the Bedford Estate records afford no direct evidence.

There is, however, no doubt that these premises were originally “Thanet House,” the Earl of Thanet having taken a lease of the house for a term of 62 years from Michaelmas, 1693. It would seem, indeed, that the Earl was actually in occupation some years previously, if this was the mansion referred to in the statement that the Earl’s eldest son was born “at Thanet House in Great Russell Street, on April 29th, 1686.”[694]

After 1787 it was divided into two houses, and is thus shown in the illustration included in Parton’s Hospital and Parish of St. Giles, a reproduction of which is given on the next page. A further division took place about 1820.

148Writing in 1823, Elmes says:[695] “Sir Christopher’s noble front, with its majestic cantaliver cornice, has now been taken down by a speculative builder, and common Act of Parliament fronts run up.” The present elevation corresponds to this description, and the interiors of the houses are without any noteworthy features. It is interesting to note that the “speculative builder” is shown by the Bedford Estate records to have been Thomas Cubitt.

G. Scharf. Lithog.

Thanet House. Great Russell Street.

Condition of repair.

The premises are in good repair.

Biographical notes.

Thomas Tufton, 6th Earl of Thanet, was born in 1644, and died in 1729.[696] Parton[697] mentions that the autograph of the Earl, as a vestryman of St. Giles, occurs in the parish books between the years 1684 and 1690. The death of his eldest son at “Thanet House in Great Russell Street,” in 1686 has already been referred to.

When the Bloomsbury Rentals of His Grace the Duke of Bedford begin in 1729 they show Sir Thomas Coke, Lord Lovel, in occupation of the house. Sir Thomas Coke was a son of Edward Coke of Holkham. In 1718 he married Lady Margaret Tufton, daughter and co-heir of the 6th Earl of Thanet. In 1728 he was raised to the peerage as Baron Lovel, of Minster Lovel, and in 1744 was created Viscount Coke, of Holkham, and Earl of Leicester. He died in 1759.

In 1755, on the expiration of the Earl of Thanet’s lease, he had obtained a reversionary lease of Thanet House, and the Countess of Leicester is shown by the parish ratebooks in occupation for 1759–60.

149For the years 1760–62 the same books give the name of “John Bristow” in connection with the premises.

In 1765, until his death in 1767, the Marquess of Tavistock was in occupation. This was Francis, son of John, fourth Duke of Bedford, by his second wife, Gertrude, eldest daughter of John, first Earl Gower.

In 1768 Lady Tavistock was still residing at the house, and in 1770 Richard Heron was the occupier.

In 1771 the house was taken by Lord Apsley, afterwards Earl Bathurst. Henry Bathurst, second Earl Bathurst, was born in 1714. He was called to the Bar in 1736, and became King’s counsel ten years after. From 1735 to 1754 he represented Cirencester in Parliament, and his attachment to the party of the Prince of Wales secured for him the offices of solicitor-general and attorney-general to the Prince. In 1754 he was appointed judge of the common pleas. In 1770 the great seal was entrusted to three commissioners, of whom Bathurst was one, and in the following year, to every one’s surprise, he was created Lord Chancellor and raised to the peerage as Baron Apsley. In 1775 he succeeded his father in the earldom. He resigned the seal in 1778, but from 1779 to 1782 was again a member of the ministry as lord president of the Council. He died at Oakley Grove near Cirencester in 1794. “By a universal consensus of opinion Earl Bathurst is pronounced to have been the least efficient lord chancellor of the last century.”[698] His residence at Thanet House lasted until 1778.

In the following year the Bloomsbury Rentals show that the Hon. Topham Beauclerk was in occupation. Topham Beauclerk, born in 1739, was the only son of Lord Sydney Beauclerk. A man of wide reading and sprightly conversation, he owes his fame principally to his great friendship with Dr. Johnson, and the space which he occupies in the latter’s great biography. He married Lady Diana Spencer, eldest daughter of the second Duke of Marlborough, formerly wife of Lord Bolingbroke. Lady Diana was an amateur artist, whose abilities excited the enthusiasm of Horace Walpole. Beauclerk died at Thanet House on 11th March, 1780, and his library of 30,000 volumes, housed in a building “that reaches half way to Highgate,”[699] was sold by auction in the following year. Lady Diana survived him for many years, dying in 1808.

In 1905 His Grace the Duke of Bedford affixed at Nos. 101 and 102, Great Russell Street, a bronze tablet commemorative of the residence of Topham and Lady Diana Beauclerk.

In 1781 William Murray, first Earl of Mansfield took up his residence at the house. Particulars of his life have already been given in the previous volume of this series dealing with St. Giles-in-the-Fields.[700] His occupation of Thanet House dates from the destruction of his mansion in Bloomsbury Square by the Gordon Rioters in 1780. At Michaelmas, 1785, he removed to Nos. 57–58, Lincoln’s Inn Fields.

The next occupant was John Sheldon, a distinguished anatomist, whose residence here was apparently confined to the period 1786–7. He was born in London in 1752. In due course he was apprenticed to Henry Watson and studied anatomy at the latter’s private museum in Tottenham Court Road. From 1777 to 1786[701] he maintained a private theatre at No. 70, Great Queen Street, where he taught and carried on research work. He died in 1808.

After 1787 the house was divided into two, the residents at which, up to 1800, were Harvey Christian Combe and Charles Steers.

In the Council’s collection are:—

No. 19, Great Russell Street—View of front (photograph).

[702]“Thanet House,” Great Russell Street—Lithograph by G. Scharf (print).

150

LVIII.—BEDFORD SQUARE (General).

During the period including the latter half of the 17th and the early years of the 19th century, several large estates were laid out in the western district of London. The planning of these generally included several squares, each provided with a central garden for the use only of the residents living in the surrounding houses.

When the 112 acres composing the Duke of Bedford’s Bloomsbury estate were developed, over 20 acres were laid out as gardens for the use of the occupiers of the houses overlooking them.[703] This estate, with its wide streets and spacious squares, is an excellent example of early town planning, and affords an illustration of the advantages gained by the community when a large area such as this is dealt with on generous lines by the owner.

Bedford Square is about 520 feet long and 320 feet wide between the houses, and the oval and beautifully wooded garden (Plate 61) measures 375 feet on the major and 255 feet on the minor axis.

The general architectural scheme of the square is interesting. Each side is separately treated as an entire block of buildings, having a central feature and wings. The central feature of each side is carried out in stucco, having pilasters and pediments in the Ionic order, those to the north and south having five pilasters (Plate 97), and those to the east and west, four (Plate 89). The western house being smaller, however, has not the additional walling extending beyond the pilasters.

The houses at the ends of each block have balustrades above the main cornice, and, generally, the windows are ornamented with iron balconies at the first floor level.

The round-headed entrance doorways, other than those to the central houses, are rusticated in Coade’s artificial stone,[704] and enclose a variety of fanlights, of which a typical example is shown in No. 15 (Plate 80).

No drawing has been found showing the design for the laying out of Bedford Square, which was carried out between the years 1775 and 1780. The plots were leased by the Duke to various building owners. One plot was taken by Thomas Leverton, architect, and 24 by Robert Crews and William Scott, builders.[703]

These builders acquired many more plots on the estate, and it may be supposed that, as they at times worked in partnership, the whole of the buildings in the square and the houses in several of the adjoining streets were erected by them, partly as a speculation and partly as builders for other lessees.

151There is much to support the view that Thomas Leverton was the author of the general scheme and the designer of the houses. He took up a building lease of No. 13 in 1775, practically at the beginning of building operations. He was a well-known architect, who adopted the style of the period as represented by Henry Holland and the Brothers Adam.[705] His work shows well-balanced composition and refinement of detail. He employed, moreover, many of the designers who worked for the Brothers Adam, such as Bonomi, the clever draughtsman and architect, Angelica Kauffmann and Antonio Zucchi, the Italian artist. It is also said that he employed Flaxman to execute carving, and skilled Italian workmen to carry out his beautiful designs for plaster work on ceilings, several of which are illustrated in this volume.

An example of his work has already been described in the previous volume dealing with this parish,[706] namely at No. 65, Lincoln’s Inn Fields, erected in 1772. It will be seen, by examining plates Nos. 86 and 97 in that volume, that these designs show a similar architectural expression to the houses of this square, and the internal decoration (especially of his own house, and of No. 44) follows the general character of that in Lincoln’s Inn Fields.

With regard to the suggestion[707] that the Brothers Adam were the designers of Bedford Square, it may be said that the only drawings found appertaining to the square by these celebrated architects are preserved in the Soane Museum, and represent two ceilings designed for Stainsforth, Esq., dated 1779. Geo. Stainsforth took up his residence at No. 8, Bedford Square in that year,[708] but the house had already been in existence for some time, as it is referred to as the northern boundary of No. 7, on 20th November, 1777.[709] There is no evidence that designs for the ceilings referred to were actually carried out, as the present ceilings of the house are plain.

In the Council’s collection are:—

Bedford Square—

General view looking north-east (photograph).

[710]General view looking south-east (photograph).

General view of north side (photograph).

152

LXIX.—No. 1, BEDFORD SQUARE.[711]

Ground landlord and lessee.

Ground landlord, The Crown; lessee, Weedon Grossmith, Esq.

General description and date of structure.

This house fills a gap between the premises in Bloomsbury Street (formerly Charlotte Street) and those forming the eastern block of the square. It is distinctive in its elevation (Plate 63), and has marked characteristics of a Leverton design. The well-proportioned entrance, though finished in plaster work, is highly ornamented, the detail being unusually refined (Plate 64). The introduction of an ornamental panel above the main cornice of the building gives a graceful balance to the composition. In passing, it may be noticed that the cornice of No. 2, although not in alignment with that of this house, is of the same section.

The entrance doorway affords direct access to a hall of uncommonly beautiful design, extending the full width of the house, and divided by piers into three bays (Plate 62). The central bay has two recesses, and is ceiled with a decorative plaster oval dome resting on pendentives and segmental arches (Plate 66). The right-hand bay has semi-circular ends (Plate 65) flanked by niches, and there is also a niche in the centre of the side wall, over which is placed a circular plaque. The bay to the left contains the staircase (Plate 65). This also has semi-circular ends. The stone steps have shaped soffits, the balustrades being of bronze, of graceful curvature and tasteful design. The principal rooms have fine decorative detail to the doors and windows, and rounded internal angles are given to the walls. The dining room contains a carved wood mantelpiece (Plate 67) and “Empire” grate; the chimney breast above being ornamented with an oval plaque surrounded with floral festoons. The lowest member of the cornice should be noticed, as it is similar to that in the dining room of No. 13, Leverton’s own house, and is composed of diminutive Greek Doric pillars suspended by their capitals, a somewhat unusual form of decoration suggestive of tassels.

The first floor has two rooms, that in the front containing a white marble chimneypiece. The rear room is the studio. The chimneypiece is of white marble, very delicately carved with a fine pier glass over. Great care has been taken with the ornamental plaster frieze (illustrated on the next page) and ceiling (Plate 68), both of which are of exceptional merit. The painted panels are said[712] to be by Antonio Zucchi. It is difficult to dissociate his work from that of Angelica Kauffmann, whom he afterwards (1781) married, but on close examination it will be noticed that the panels 153reputed to be by the latter in No. 25[713] (Plate 85) are somewhat different in arrangement and composition.

The studio cornice and ceiling have been repeated in No. 10, even to the paintings, a fact which points to one controlling influence in the decorative treatment of these houses.

Condition of repair.

The premises are in good repair.

Biographical notes.

According to the ratebooks the first occupier of No. 1 was Sir Lionel Lyde, who took up his residence here in 1781. In 1791 he was succeeded by Geo. Gosling, who remained until after the close of the century.

In the Council’s collection are:—

[714]Ground and first floor plans (measured drawing).

[714]Front view (photograph).

[714]Entrance porch (measured drawing).

[714]Entrance hall, view looking south (photograph).

[714]Entrance hall, view looking north, showing staircase (photograph).

[714]Centre portion of ornamental ceiling in entrance hall (photograph).

[714]Chimney breast in rear room on ground floor (photograph).

General view of rear room on first floor (photograph).

Chimneypiece in rear room on first floor (photograph).

[714]Ornamental plaster frieze in rear room on first floor (photograph).

[714]Ornamental plaster ceiling with painted panels in rear room on first floor (photograph).

154

LXX.—Nos. 6 and 6a, BEDFORD SQUARE.[715]

Ground landlord and lessees.

Ground landlord, The Crown; lessees, William Harris, Esq. (No. 6), Walter F. Trow, Esq. (No. 6A).

General description and date of structure.

This house was not in existence on 20th November, 1777, as the lease of No. 7, Bedford Square, granted on that date,[716] mentions as the southern boundary “ground contracted to be built upon.” It first appears in the parish ratebooks in 1781.

IRON STAIR BALUSTERS

The house is centrally placed on the east side, and is the largest in the square (Plate 69). It is now in two occupations, each being given a separate entrance. The hall has been divided and a few of the earlier openings closed, but otherwise the premises are, on the whole, as originally erected.

An important feature is the hall containing a staircase to the first floor, constructed of stone, with a balustrade of wrought iron formed with pairs of simple bars alternating with an ornamental baluster. There is an enriched cornice and ceiling below the first floor landing and this level is marked on the wall of the hall by a beautiful band of ornament (illustrated on the next page). The side walls above this level are enriched with plaster mouldings. The end walls are semi-circular in plan. The ceiling at the second floor level is an exceptionally good example of design in plaster (Plate 70), composed of two decorated and fluted semi-domes over the end walls, supporting pendentives which carry a circular cornice, from which springs a domical lantern. The front room on the ground floor has a white marble inlay chimneypiece. The front room on the first floor to the south has a much damaged painted ceiling, and a fine marble chimneypiece (Plate 71) with Ionic columns and sculptured panel in the frieze.

155The long room to the front on the same floor in No. 6A has a segmental ceiling similar to that in No. 10 (Plate 74), but is not decorated. There are two ornamental plaques in the frieze of the end walls, and the eastern back room on the second floor contains a white marble chimneypiece with sculptured figure and festoons.

Condition of repair.

The premises are in good repair.

Biographical notes.

The ratebooks show that the first occupant of the house was Lord Loughborough, whose residence here began in 1781 and lasted until 1798. Particulars of the life of Alexander Wedderburn, Baron Loughborough, afterwards Earl of Rosslyn, have already been given in the previous volume dealing with the Parish of St. Giles-in-the-Fields.[717]

In 1798 Loughborough was succeeded in the occupation of the house by Lord Eldon.

John Scott, first Earl of Eldon, was born at Newcastle-upon-Tyne in 1751. The son of a coal-factor, he was at first intended for that business, but through the influence of his brother William (afterwards Lord Stowell), he went to Oxford in 1766, with a view to taking orders. After his marriage in 1772, he gave up the church and turned to the law. He became a student at Middle Temple in January, 1773, and was called to the Bar in 1776. In 1783 he became King’s counsel and was returned to Parliament as member for the close borough of Weobley, Herefordshire. In Parliament he gave general support to Pitt and in 1788 was appointed solicitor-general, and was knighted. He succeeded in 1793 to the attorney-generalship, in which he conducted the vigorous prosecutions against British sympathisers with French Republicanism, and became 156for the time the best hated man in England. In 1799 he became Lord Chief Justice of the Court of Common Pleas, and on the formation of Addington’s ministry in 1801, he was appointed Lord Chancellor. Lord Eldon continued in office as Chancellor under Pitt (1804–1806), and on the formation of the Portland administration in 1807, resumed the Great Seal, which he retained for twenty years. His influence in the Cabinet was supreme, and he was, in all but name, prime minister of England. His one aim in politics was to keep in office and maintain things as he found them. In 1821, Lord Eldon was created Viscount Encombe and Earl of Eldon. He died in London on 13th January, 1838.

In the Council’s collection are:—

[718]Ground and first floor plans (measured drawing).

Staircase in No. 6 (photograph).

[718]Stair balusters (measured drawing).

Ornamental ceiling of landing and lantern light over staircase (photograph).

[718]Lantern over staircase (photograph).

Panel on wall of staircase (photograph).

[718]Detail of plaster decoration of staircase (photograph).

Marble chimneypiece in front room on ground floor (photograph).

General view of rear room on ground floor (photograph).

[718]Marble chimneypiece in front room on first floor (photograph).

Marble chimneypiece in rear room on second floor (photograph).

General view of front room on first floor (No. 6A) (photograph).

No. 8, Bedford Square—

Inner doorway and fanlight (photograph).

Lantern over staircase (photograph).

157

LXXI.—No. 9, BEDFORD SQUARE.[719]

Ground landlord and lessee.

Ground landlord, The Crown; lessees, executors to the late Mrs. Edward Clarke.

General description and date of structure.

On 20th November, 1777, a lease[720] was granted, as from Michaelmas, 1775, of “all that parcel of ground, with the messuage thereon erected on the east side of Bedford Square ... being the second house southward from the opening opposite Bedford Street [Bayley Street].” The house was obviously No. 9, which first appears in the parish ratebooks for the year 1779.

The ground floor front room has a white marble chimneypiece inlaid with coloured marble, over which, on the chimney breast, is an oval plaque with a figure subject (Plate 72) and ornamental plaster decorations.

There are two other plaques (Plate 72) of the same shape, one over the door of this room and the other on the chimney breast in the rear room.

Another piece of figure work is placed over the door to the front room on the first floor, representing Anacreon and Eros.

The two rooms on the first floor have finely ornamented ceilings, that in the front room being illustrated in Plate 73. The chimneypieces are chiefly of white marble, the one in the front room having Ionic capitals and coloured marble shafts, while that in the rear room is inlaid with coloured marble, and has a sculptured panel in the frieze.

Condition of repair.

The premises are in good repair.

Biographical notes.

The ratebooks show that Jas. Langston lived at No. 9 from 1779 to 1797, and Mrs. Langston is shown in occupation of the house during the remainder of the century.

In the Council’s collection are:—

[721]Chimneypiece in front room on ground floor (plaque and frieze reproduced) (photograph).

[721]Plaque over door and frieze in front room on ground floor (photograph).

[721]Plaque on chimney-breast and frieze in rear room on ground floor (photograph).

Alto relievo over entrance to drawing room (photograph).

Marble chimneypiece in rear room on first floor (photograph).

[721]Ornamental plaster ceiling in front room on first floor (photograph).

Ornamental plaster ceiling in rear room on first floor (photograph).

158

LXXII.—No. 10, BEDFORD SQUARE.[722]

Ground landlord and lessee.

Ground landlord, The Crown; lessees, The Virol Research Laboratories, Ltd.

General description and date of structure:—

No. 10 was not built by 20th November, 1777, for a lease[723] of No. 9, granted on that date, refers to the northern boundary as “ground contracted to be built upon.” It does not find a place in the parish ratebooks until 1781.

This house is the northernmost of the eastern block. The plan has been considerably altered, especially on the ground floor.

GROUND FLOOR PLAN FIRST FLOOR PLAN

The alterations made on that floor include the removal of the partition at the rear of the front room, the formation of a passage to the modern premises at the rear, the closing of the windows in the rear wall, 159the shifting of the fireplace from the flank to the rear wall, and the construction of a large bay window in its place. On the first floor a portion of the external wall has been removed, and a small addition constructed for use as offices.

Fortunately the beautiful ceilings on this floor have been preserved. That to the front room is segmental in shape and ornamented with plaster decorations and three painted circular panels (Plate 74). The frieze and ceiling of the rear room are similar to those of No. 1, Bedford Square,[724] even to the painted panels. The paintings are well preserved. The central panel, reproduced below, should be compared with that illustrated in Plate 68.

Condition of repair.

The premises are in good repair.

Biographical notes.

The names of the occupants of the house during the latter part of the 18th century are given by the ratebooks as follows:—

1781–83. —— Lande.
1783–89. —— Lyde.
1789–90. Chas. Shaw Lefevre.
1790–97. John Lefevre.
1797–98. Chas. Lefevre.
1798– Henry Davison.

160The “Chas. Shaw Lefevre” and “Chas. Lefevre” shown in the parish ratebooks as occupying the house in 1789–90 and 1797–98[725] respectively was Charles Shaw, a barrister, who, on his marriage with Helena, only daughter of John Lefevre (possibly the occupier in 1790–96), assumed the additional name of Lefevre. His eldest son, Charles, afterwards Viscount Eversley, was born in 1794, and, therefore, while the family was not resident here; but the birth of his second son, John George (afterwards Sir John George Shaw-Lefevre) took place at this house on 24th January, 1797.[726] John George had a distinguished career as a public official. He had a passion for acquiring languages, and mastered fourteen. He died in 1879.

In the Council’s collection are:—

[727]Ground and first floor plans (measured drawing).

[727]General view of front room on first floor showing paintings on ceiling (photograph).

[726]Ornamental plaster ceiling with painted panels in rear room on first floor (central panel reproduced) (photograph).

161

LXXIII.—No. 11, BEDFORD SQUARE.[728]

Ground landlord and lessee.

Ground landlord, The Crown; lessee, George Frederick Hatfield, Esq.

General description and date of structure.

This house (Plate 76) is situated at the south-eastern end of Gower Street, with its entrance in Montague Place. It has no connection with the Bedford Square blocks. The boundary between the parishes of St. Giles-in-the-Fields and St. George, Bloomsbury, passes through the house, and is indicated by two tablets fixed to the flank wall.

The house has an interesting plan (Plate 75). The small hall is entered through a semi-octagonal bay, and beyond is the staircase lighted by a lantern. To the left is the original dining room with a cleverly screened serving door at the head of the basement stairs. The white marble and inlay chimneypiece in this room is a fine specimen of carving (Plate 77).

The room to the right is now used as the dining room. It has been considerably altered in appearance by a modern partition, but its original form can be seen by the plan. The eastern side is circular, and has a casement window affording access to a verandah, which is screened by the two small rooms on either side. A curious feature to note is that the northern room impinges upon the first house in Gower Street.

The drawing room on the first floor has a sculptured white marble chimneypiece, and an enriched frieze and cornice (illustrated below).

Condition of repair.

The premises are in good repair.

162

Biographical notes.

The ratebooks show that the occupants of this house before 1800 were as follows:—

1782–84. Dr. Tye.
1784–86. Hon. John Cavendish.
1786– Hon. Henry Cavendish.

Henry Cavendish was the elder son of Lord Charles Cavendish, brother of the third Duke of Devonshire, and was born in 1731. His only interest in life seems to have been in natural philosophy, and his manners were characterised by extraordinary reticence and timidity. His scientific discoveries were remarkable, and his work was not only exceedingly wide in scope, but marked by extreme accuracy. In 1766 he began a brilliant series of communications to the Royal Society on the chemistry of gases, containing amongst others his discoveries of the compound nature of water and the composition of nitric acid. He apparently anticipated Black in the discovery of latent heat and specific heat; and he will ever be known to fame as the first man to determine accurately the density of the earth. He died on 10th March, 1810. Most of his time seems to have been spent at his residence near Clapham Common, No. 11, Bedford Square serving as a town house. In 1904, the Duke of Bedford affixed on the latter house a bronze tablet commemorative of Cavendish’s residence.

In the Council’s collection are:—

[729]Ground and first floor plans (measured drawing).

[729]Exterior (photograph).

General view of staircase from entrance hall (photograph).

[729]Marble chimneypiece in front room on ground floor (photograph).

Rear room on ground floor (photograph).

Marble chimneypiece in drawing room on first floor (photograph).

[729]Detail of frieze and cornice in drawing room on first floor (photograph).

163

LXXIV.—No. 13, BEDFORD SQUARE.

Ground landlord and lessee.

Ground landlord, His Grace the Duke of Bedford, K.G.; lessee, Halsey Ricardo, Esq., F.R.I.B.A.

General description and date of structure.

Thomas Leverton, the architect, took the building lease of these premises in 1775,[730] and subsequently resided here. The house, however, is not mentioned in the parish ratebooks until 1781. It has been much altered by the original staircase having been removed, and a wooden one substituted, enabling some small rooms to be formed at the front and rear.

The front room on the ground floor has a white marble chimneypiece with Ionic columns, having Siena marble shafts. The frieze is omitted in this case with good effect. The cornice of the room is similar to that of the ground floor back room of No. 1, being decorated with diminutive Greek Doric columns, suspended by their capitals, as in No. 1.

The first floor front room has a white marble chimneypiece of 19th-century design, but the ornamental plaster ceiling (Plate 78) is original. It has painted panels after the manner of Antonio Zucchi or Angelica Kauffmann, and is probably by the latter artist.

Condition of repair.

The premises are in good repair.

Biographical notes.

The occupants of this house during the end of the 18th century were, according to the ratebooks, as follows:—

1781. Jas. Richardson.
1782–83. Richard Walker.
1784–91. Marchant Tubb.
1791–95. Mrs. Royal.
1796– Thos. Leverton.

Thomas Leverton, son of Lancelot Leverton, a builder, was born in 1743 at Woodford. He became an architect and gradually acquired an extensive practice. His share in the design of houses in Bedford Square has already been noticed.[731]

Before settling at No. 13, Bedford Square, his chief residences seem to have been in Great Queen Street and Charlotte Street.[732] He died at the house in Bedford Square in 1824.

In the Council’s collection are:—

Marble chimneypiece in front room on ground floor (photograph).

[733]Ornamental plaster ceiling with painted panels in front room on first floor (photograph).

164

LXXV.—No. 14, BEDFORD SQUARE.

Ground landlord and lessee.

Ground landlord, His Grace the Duke of Bedford, K.G.; lessee, Arthur Rhuvon Guest, Esq.

General description and date of structure.

The front room on the first floor has a well designed plaster ceiling (Plate 79), the wall frieze being enriched with griffins, of a slightly different type to those in No. 11. The chimneypiece is of white marble with a central decorative panel.

The rear room on the same floor has also an ornamental plaster ceiling of very simple design, and the white marble chimneypiece is inlaid with Siena marble.

Condition of repair.

The premises are in good repair.

Biographical notes.

According to the ratebooks the first occupant of the house was Thos. Hibbart, who resided there during 1780 and 1781. He was followed by Jas. Bailey from 1782 to 1793, and from the latter year, Sir Alexander Monro was in occupation.

In the Council’s collection are the following:—

[734]Ornamental plaster ceiling in front room on first floor (photograph).

Marble chimneypiece in front room on first floor (photograph).

Ornamental plaster ceiling in rear room on first floor (photograph).

165

LXXVI.—No. 15, BEDFORD SQUARE.

Ground landlord and lessee.

Ground landlord, His Grace the Duke of Bedford, K.G.; lessees, the Associated Board of the Royal Academy of Music and the Royal College of Music for Local Examinations in Music.

General description and date of structure.

The front doorway (Plate 80), with its decorative leadwork fanlight, is a typical example of the majority in the square.

The first floor front room has an ornamental plaster ceiling, somewhat similar to others already noticed. There is an interesting plaster cornice in the rear room of the same floor, and a carved marble chimney piece on the second floor.

Condition of repair.

The premises are in good repair.

Biographical notes.

The occupants of this house, according to the ratebooks, were as follows:—

1780–81. —— Pole.
1784–90. John Cologan.
1790–94. Jno. Stephenson.
1794–95. Mrs. Stephenson.
1795–98. Robt. Tubbs.
1798– Jas. Williams.

In the Council’s collection are:—

[735]Entrance doorway (photograph).

Ornamental plaster ceiling in front room on first floor (photograph).

Marble chimneypiece in front room on second floor (photograph).

166

LXXVII.—No. 18, BEDFORD SQUARE.

Ground landlord and lessee.

Ground landlord, His Grace the Duke of Bedford, K.G.; lessee, Herbert Sefton-Jones, Esq.

General description and date of structure.

This house forms the eastern half of the central feature on the north side of the square. Its interior has been considerably altered, but the original carved white marble chimneypiece shown on Plate 81 still remains.

The motif of the central panel is similar to that at No. 11, but is not quite so gracefully expressed. The shelf appears to be a modern substitute, and out of harmony with the requirements of the design.

Condition of repair.

The premises are in good repair.

Biographical notes.

The earliest occupier of this house was, according to the ratebooks, the Rev. Frederick Hamilton, who resided there from 1784 to 1786. In the latter year he was succeeded by Thos. Hankey, who remained at the house until after the close of the century.

In the Council’s collection is:—

[736]Marble chimneypiece in front room on ground floor (photograph).

167

LXXVIII.—No. 23, BEDFORD SQUARE.

Ground landlord.

His Grace the Duke of Bedford, K.G.

General description and date of structure.

This house was not in existence on 20th November, 1777,[737] and the first mention of it in the parish ratebooks occurs in 1781. Few of the decorations in the house are original, the two principal exceptions being the plaster ceiling of the front room on the first floor, and a fine doorcase and pair of doors (Plate 82), connecting that room with the one in the rear.

Condition of repair.

The premises are in good repair.

Biographical notes.

In 1781 “Jas. Bailey” is shown as the occupier of the house. For the next few years no name is given, but in 1785 that of Thomas Burn appears and continues for the remainder of the century.

In the Council’s collection are:—

[738]No. 23, Bedford Square. Doors and doorcase in front room on ground floor (photograph).

No. 24, Bedford Square. Entrance doorway (photograph).

168

LXXIX.—No. 25, BEDFORD SQUARE.

Ground landlord and lessee.

Ground landlord, His Grace the Duke of Bedford, K.G.; lessee, the Rev. Lewis Gilbertson, M.A., F.S.A.

General description and date of structure.

On 20th November, 1777, a lease[739] was granted of a plot of ground with three messuages thereon, on the north side of Bedford Square, being the eleventh, twelfth and thirteenth houses eastward from Tottenham Court Road, abutting east upon ground to be built upon, west upon a messuage in Bedford Street (now Bayley Street), and north upon ground belonging to the City of London. The dimensions of the plot are said to be: 99¼ feet on the south, 73 feet on the east, 67½ feet on the west, and 98½ feet on the north, thus corresponding to the sites of Nos. 24 to 27 (four houses) at the present day.

GROUND FLOOR PLAN FIRST FLOOR PLAN

No. 25 is the westernmost house of the northern block included in the design for the square, the two houses adjoining to the west 169being in harmony with the remaining premises in Bayley Street. The house is of special interest.

The vestibule is divided from the hall by a screen similar in architectural character to the front doorcase, and still retains the original fanlight. The staircase is of stone with a wrought-iron balustrade and mahogany handrail. Beneath the first floor landing is a moulded plaster frieze.

The ground floor front room has a fine carved wooden chimneypiece with jasper lining (Plate 83). On the chimney breast above is a circular plaque enclosing figure ornament and other decorative plaster work. The side of the room facing the window is treated as a segmental alcove, shown on the above plan, with coved ceiling as shown on Plate 83.

The front room on the first floor has carved joinery to the doors and windows, and the white and coloured marble chimneypiece (Plate 84) is a good example of the period. The ceiling of this room has a decorative plaster design with four oval figure plaques.

The rear room on this floor has also good joinery, and a white marble chimneypiece (Plate 84) with painted panels. The decorative plaster ceiling (Plate 85) is ornamented with painted panels which, according to the Rev. Lewis Gilbertson, the occupier, are the work of Angelica Kauffmann.

Condition of repair.

The premises are in good repair.

Biographical notes.

The first occupant of the house was John Boddington, whose residence there apparently lasted from 1780 to 1786, when he was succeeded by Cuthbert Fisher, who stayed until 1799. In the latter year Mrs. Bootle took the house.

The Council’s collection contains:—

[740]Ground and first floor plans (measured drawing).

[740]Chimney breast in front room on ground floor (photograph).

[740]Alcove in front room on ground floor (photograph).

General view of front room on first floor (photograph).

Ornamental plaster ceiling in front room on first floor (photograph).

[740]Marble chimneypiece in front room on first floor (photograph).

[740]Marble chimneypiece in rear room on first floor (photograph).

Detail of doorcase in rear room on first floor (photograph).

[740]Ornamental plaster ceiling with painted panels in rear room on first floor (photograph).

170

LXXX.—No. 28, BEDFORD SQUARE.

Ground landlord and lessee.

Ground landlord, His Grace the Duke of Bedford, K.G.; lessees, the Society of Architects.

General description and date of structure.

On 1st November, 1776, a lease was granted[741] of a messuage at the west end of Bedford Square, “on the south side of a new street called Bedford Street” (now Bayley Street), having a frontage to the square of 28¾ feet, and a depth of about 143 feet. The premises referred to are obviously No. 28, the northernmost house of the west block. The house has been greatly altered, and partly rebuilt. It retains in the ground floor front room the original white marble chimneypiece shown on Plate 86, with a sculptured panel in the frieze, which is also shown to a larger scale.

The front room on the first floor contains a decorative plaster ceiling, and a carved wood and composition chimneypiece, which, though in keeping with the style of the room, is probably not contemporary with the erection of the house.

Condition of repair.

The premises are in good repair.

Biographical notes.

The house first appears in the ratebook for 1779. Geo. Drake was then the occupier and he continued to reside there until after 1800.

The Council’s collection contains:—

[742]Marble chimneypiece in front room on ground floor (photograph).

[742]Detail of central panel of marble chimneypiece in front room on ground floor (photograph).

Wood chimneypiece in front room on first floor (photograph).

171

LXXXI.—No. 30, BEDFORD SQUARE.

Ground landlord and lessee.

Ground landlord, His Grace the Duke of Bedford, K.G.; lessee, the Russian Consulate-General.

General description and date of structure.

On 1st November, 1776, a lease was granted[743] as from Michaelmas, 1775, of “all that parcel of ground, with a messuage thereon, on the west side of Bedford Square, being the third house southward from Bedford Street,” now Bayley Street.

The front room on the ground floor has a chimneypiece of white and coloured marble. The frieze is fluted, and contains sculptured figures.

The front room on the first floor has its walls treated as large panels, and over the two doors are decorative paintings. The chimney piece is of white marble, and the flutings of the pilasters are inlaid with coloured marble. The ornamental plaster ceiling (Plate 87) is of very delicate design. The figures in the oval medallion are modelled on classical lines, and in their delicacy are suggestive of cameos.

Condition of repair.

The premises are in good repair.

Biographical notes.

The occupiers of this house, according to the ratebooks, were:—

1778–79. Jas. Lee.
1779–93. Robt. Cooper Lee.
1793– Wm. Tatnell.

The Council’s collection contains:—

Marble chimneypiece in front room on ground floor (photograph).

[744]Ornamental plaster ceiling in front room on first floor (photograph).

172

LXXXII.—No. 31, BEDFORD SQUARE.

Ground landlord and lessee.

Ground landlord, His Grace the Duke of Bedford; lessee, Mrs. Whitehead.

General description and date of structure.

On 1st November, 1776, a lease[745] was also granted of the fourth house from Bedford Street, on the west side of the square. This was evidently No. 31.

The screen between the vestibule and hall has an ornamental fanlight; the stone stairs have wrought-iron scroll balusters and the wood work generally has enriched mouldings.

The front room on the ground floor contains a white marble chimneypiece, with Ionic pilasters, and is inlaid with coloured marble.

The rear room on the same floor has a wood and composition ornamental chimneypiece, with coupled columns at the sides, and a decorative panel in the frieze.

The ceiling of the front room on the first floor is a remarkable example of ornamental plaster work. Another of the same design is in No. 47, and is illustrated on Plate 101.

The rear room on the same floor has a white marble chimneypiece, with green marble inlay, and a well designed plaster ceiling with four square panels containing oval plaques forming part of the design (Plate 88). Another of almost similar pattern is in No. 41, Bedford Square.

Condition of repair.

The premises are in good repair.

Biographical notes.

The ratebooks give the following names in connection with the house:—

1778–79. —— Scott.
1779–82. The “Hon. Baron Perryn.”
1783–89. Sir Samuel Hanney.
1789–94. Silvester Douglas.
1794–98. Geo. L. Newnham.
1798– Jno. Godfrey.

Sir Richard Perryn, born in 1723, was the son of a merchant of Flint. After an education at Ruthin grammar school and Queen’s College, Oxford, he took up the profession of the law, and was called to the Bar in 1747. In 1770 he became vice-chamberlain of Chester, King’s counsel, and a bencher of the Inner Temple. In 1776 he was appointed baron of the exchequer and was knighted. He retired from the Bench in 1799, and died in 1803. After leaving Bedford Square he resided at 173No. 59, Lincoln’s Inn Fields, at which house he is shown by the ratebooks for the years 1784 to 1791.[746]

Sylvester Douglas, Baron Glenbervie, son of John Douglas of Fechil, Aberdeenshire, was born in 1743. He was educated at the Universities of Aberdeen and Leyden, and at first proposed to adopt a medical career, but subsequently took up the legal profession, being called to the Bar in 1776. In 1793 he was appointed King’s counsel, but shortly afterwards relinquished his legal career and devoted himself to politics, a decision probably influenced by the fact that he had in 1789 married the daughter of Lord North, afterwards second Earl of Guildford. In 1794 he became Secretary to the Lord-Lieutenant of Ireland and was elected a member of the Irish Parliament. In the same year, he was sworn a member of the English privy council, and in 1795 he relinquished his secretarial position and was returned to the English Parliament as member for Fowey. He afterwards represented Midhurst and Plympton Earls. For some time he had a seat on the board of control, and was from 1797 to 1800 a lord of the Treasury, a position which he resigned on being appointed Governor of the Cape of Good Hope, though he never took up the appointment. In the same year (1800) he was created Baron Glenbervie of Kincardine in the peerage of Ireland. In 1801 he became joint paymaster-general and subsequently held the positions of vice-president of the Board of Trade, and surveyor-general of woods and forests, with which latter office, that of surveyor-general of the land revenue was afterwards united. He died at Cheltenham in 1823.

In the Council’s collection are:—

Marble chimneypiece in front room on first floor (photograph).

Ornamental plaster ceiling in front room on first floor (photograph).

[747]Ornamental plaster ceiling in rear room on first floor (photograph).

174

LXXXIII.—No. 32, BEDFORD SQUARE.

Ground landlord and lessee.

Ground landlord, His Grace the Duke of Bedford, K.G.; lessee, Henry Alexander McPherson, Esq.

General description and date of structure.

On 1st November, 1776, a lease[748] was also granted of the fifth house southward from Bedford Street, on the west side of the square, that is No. 32.

This house, which is in the centre of the west block, has a front (Plate 89) of less width than that of the corresponding house on the opposite side (Nos. 6 and 6A).

The entrance doorway is placed at the side, and enriched with Greek Doric attached columns.

The vestibule is divided from the hall by a screen with a semi-circular fanlight, and beyond this is another separating the staircase (Plate 90). The latter has two detached Ionic columns, each with a block architrave and frieze, and a cornice spanning across to the wall. The semi-circular arch above has the spandrils ornamented on both faces with decorative plaster designs, that facing the entrance being the more interesting.

The staircase is of stone with spandril treads, having moulded soffits. The handrail is of mahogany, and the balustrading of plain wrought iron bars, excepting that at the ends and the middle of each flight are ornamental balusters of scroll design giving interest to the treatment.

WROUGHT IRON STAIR BALUSTERS

The front room on the ground floor has an ornamental plaster ceiling of a more severe type than is met with generally in the houses of this square.

The back room on the same floor has also a good decorative plaster ceiling (Plate 92), and a white marble chimney piece with buff mottled marble lining and panelled pilasters (Plate 91).

175The front room on the first floor has a chimneypiece of white marble, and the ceiling an ornamental centre and border.

The rear room contains a white marble chimneypiece with a sculptured central panel representing Britannia and Commerce. The ceiling is elaborately treated in ornamental plaster work (Plate 92).

Condition of repair.

The premises are in good repair.

Biographical notes.

The occupants of this house, according to the ratebooks, were:

1780–92. Sir John Skinner.
1792–95. Jas. Jackson.
1796–99. Mrs. Jackson.
1799– Mr. Justice Le Blanc.

Sir Simon Le Blanc was born about 1748, and was called to the Bar in 1773. In course of time he acquired considerable practice, and in 1787 was called to the degree of serjeant-at-law. In 1799 he was appointed puisne judge of the King’s bench, and was knighted. He had a great reputation as a lawyer, and was regarded as an exceptionally able judge. He died in his house in Bedford Square in 1816[749].

The Council’s collection contains:—

No. 32, Bedford Square.

[750]Front elevation (measured drawing).

Internal screen in hall (photograph).

Ornamental plaster ceiling over staircase (photograph).

[750]Detail of wrought iron balustrade to staircase (measured drawing).

Ornamental plaster ceiling in front room on ground floor (photograph).

[750]Detail of chimneypiece in rear room on ground floor (photograph).

[750]Ornamental plaster ceiling in rear room on ground floor (photograph).

Ornamental plaster ceiling in front room on first floor (photograph).

[750]Ornamental plaster ceiling in rear room on first floor (photograph).

Detail of frieze and cornice in rear room on first floor (photograph).

[750]Detail of marble chimneypiece in rear room on first floor (photograph).

No. 34, Bedford Square.

Plaster panel “Summer and Winter” in rear room on first floor (photograph).

No. 35, Bedford Square.

Ground and first floor plans (measured drawing).

Ornamental plaster ceiling in front room on first floor (photograph).

No. 38, Bedford Square.

Ground and first floor plans (measured drawing).

Wood and decorative chimneypiece (photograph).

176

LXXXIV.—No. 40, BEDFORD SQUARE.

Ground landlord and lessee.

Ground landlord, His Grace the Duke of Bedford, K.G.; lessee, Mrs. Monico.

General description and date of structure.

On 20th November, 1777, a lease[751] was granted of a parcel of ground, and a messuage thereon on the south side of Bedford Square, and the east side of Caroline Street, “being a corner house.” This was obviously No. 40, the house at the western end of the south block.

The front room on the ground floor contains a white marble chimneypiece of simple design, with inlay panels of Siena marble. Above is a fine oval plaque (Plate 93), containing figures. The frieze and cornice to the room appear to be part of the original work.

The front room on the first floor has a plaster ceiling (Plate 94) of simple and delicate design with circular painted panels in the style of Antonio Zucchi, or Angelica Kauffmann.

Condition of repair.

The premises are in good repair.

Biographical notes.

The earliest occupant of the house seems to have been William Dickey who, according to the ratebooks, resided there from 1782 to 1791. From 1792 until after the close of the century, Thomas Green was the occupier.

In the Council’s collection are:—

[752]Chimney-breast in front room on ground floor (plaster plaque illustrated) (photograph).

[752]Ornamental plaster ceiling with painted panels in front room on first floor (photograph).

177

LXXXV.—No. 41, BEDFORD SQUARE.

Ground landlord and lessee.

Ground Landlord, His Grace the Duke of Bedford, K.G.; lessee, Anthony Hope Hawkins, Esq.

General description and date of structure.

On 20th November, 1777, a lease[753] was granted of the thirteenth house from Charlotte Street, on the south side of Bedford Square. This is now No. 41, Bedford Square.

The premises have been considerably modernized, but four chimneypieces remain, that in the front room on the ground floor being Greek in character, with panelled pilasters and acanthus capitals. The one in the rear room on the same floor is treated with three-quarter Ionic columns carrying the cornice directly over, to which a shelf of later date has been added.

On the first floor, the chimneypiece in the front room (Plate 95) has coupled and bracketed pilasters and sculptured frieze. That in the rear room (Plate 95) is inlaid with mottled green marble. It retains the original cast-iron grate. The ornamental plaster ceiling in this room has four oval plaques in square panels. According to Mr. Anthony Hope Hawkins, the present occupier, it is composed partly of old portions of a ceiling formerly in No. 30 or No. 31, Bedford Square, the remaining part being a copy of a ceiling still existing in one of these houses. The ceiling appears to be a replica of that in the rear room of No. 31 (Plate 88), with the exception that it is of less width, and consequently the central design, instead of being circular, is compressed into an oval form.

Condition of repair.

The premises are in good repair.

Biographical notes.

According to the ratebooks, Robert Peers took the house in 1782 and remained there until after the close of the century.

The Council’s collection contains:—

Detail of marble chimneypiece in front room on ground floor (photograph).

Detail of marble chimneypiece in rear room on ground floor (photograph).

[754]Marble chimneypiece in front room on first floor (photograph).

Ornamental plaster ceiling in rear room on first floor (photograph).

[754]Marble chimneypiece in rear room on first floor (photograph).

178

LXXXVI.—No. 44, BEDFORD SQUARE.

Ground landlord and lessee.

Ground landlord, His Grace the Duke of Bedford, K.G.; lessee, Philip Morrell, Esq., M.P.

General description and date of structure.

On 20th November, 1777, a lease[755] was granted of the tenth house westward from Charlotte Street, on the south side of Bedford Square. This was No. 44, Bedford Square.

The front room on the first floor has a ceiling of good design (Plate 96), and in the room behind the staircase is a small white marble chimneypiece, carved in low relief, and decorated with inlay of Siena marble.

Condition of repair.

The premises are in good repair.

Biographical notes.

The occupiers of this house, according to the ratebooks, were as follows:—

1782–84. Thos. Hibbert.
1784–94. T. S. Jackson.
1794– Henry Gregg.

The Council’s collection contains:—

[756]Ornamental plaster ceiling in front room on first floor (photograph).

179

LXXXVII.—No. 46, BEDFORD SQUARE.

Ground landlord and lessee.

Ground landlord, His Grace the Duke of Bedford, K.G.; lessees, Messrs. Royds, Rawstorne and Co.

General description and date of structure.

The lease[757] granted on 20th November, 1777, of No. 45, Bedford Square, refers to that house’s eastern boundary as “a messuage lately erected.”

No. 46 forms the western half of the central feature on the southern side of the square. It will be noticed in the photograph (Plate 97) that an unusual expedient has been adopted by introducing a central pilaster.

The staircase is of stone, with wrought-iron balustrade of coupled plain bars, alternating with balusters of scroll work. The handrail is of mahogany, and the lighting is obtained by an oval-shaped lantern.

The principal doors are of mahogany, with finely marked panels, and the metal fittings are silver plated.

There are three carved white marble chimneypieces. In the case of that in the front room on the ground floor (Plate 98), coloured marble is introduced as a Greek fret in the frieze, and as plain strips at the sides, and the central panel is carved to represent a Cupid sleeping. That in the front room on the first floor (Plate 98) has two three-quarter columns with coloured marble shafts supporting Ionic capitals. The frieze is finely carved, the central panel representing three Cupids at play. The chimneypiece in the rear room on the same floor has also good carving in low relief with a central panel.

Condition of repair.

The premises are in good repair.

Biographical notes.

The following are the names of the occupiers of the house during the 18th century, according to the ratebooks:—

1782–90. Samuel Castell.
1790–96. Andrew Reid.
1796– Jas. Bailie.

The Council’s collection contains:—

[758]Exterior, with that of No. 47 (photograph).

[758]Marble chimneypiece in front room on ground floor (photograph).

[758]Marble chimneypiece in front room on first floor (photograph).

Marble chimneypiece in back room on first floor (photograph).

180

LXXXVIII.—No. 47, BEDFORD SQUARE.

Ground landlord and lessee.

Ground landlord, His Grace the Duke of Bedford, K.G.; lessee, Frederick W. Lanchester, Esq.

General description and date of structure.

On 20th November, 1777, a lease[759] was granted of the seventh house westward from Charlotte Street, on the south side of Bedford Square. This was No. 47, Bedford Square.

In plan and arrangement this house is similar to No. 46. The doorway is well shown on Plate 99. A photograph of the ceiling above the staircase is given on Plate 100. The front room on the first floor contains a remarkable ceiling, a portion of which is shown on Plate 101. Another of similar design is in the front room of No. 31. The carved wood chimneypiece (Plate 100) in the same room has a central panel representing a sacrifice (bull before an altar).

Condition of repair.

The premises are in good repair.

Biographical notes.

The occupants of this house are given by the ratebooks as follows:—

1782–89. John Raymond.
1789–99. John Raymond Barker.
1799– Peter Pole.

The Council’s collection contains:—

[760]Entrance doorway (measured drawing).

[760]Ornamental plaster ceiling and lantern light over staircase (photograph).

[760]Carved wood chimneypiece in front room on first floor (photograph).

[760]Ornamental plaster ceiling in front room on first floor (photograph).

181

LXXXIX.—No. 48, BEDFORD SQUARE.

Ground landlord.

His Grace the Duke of Bedford, K.G.

General description and date of structure.

On 16th January, 1777, a lease[761] was granted of the sixth house westward from Charlotte Street, on the south side of the square. This was No. 48.

GROUND FLOOR PLAN FIRST FLOOR PLAN.

There were formerly four fine marble chimneypieces in this house. Unfortunately burglars have destroyed three of these by breaking away all the sculptured portions, and have mutilated the fourth by the removal of its central panel. This last is situated in the front room on the first floor, 182and is shown on Plate 102. It is of large size, and has three-quarter attached Ionic columns, mottled buff coloured marble surrounds, and inlaid flutings in the frieze, and when complete it would appear to have been an excellent example of the period.

The ceiling in the same room (Plate 103) is in ornamental plaster work, with small plaques.

Condition of repair.

The premises are in good repair.

Biographical notes.

The occupiers of this house, according to the ratebooks, were:—

1782–83. —— Bevan.
1784–89. Samuel Gaussen.
1789– Robt. Parnther.

The Council’s collection contains:—

[762]Ground and first floor plans (measured drawing).

[762]Marble chimneypiece in front room on first floor (photograph).

[762]Ornamental plaster ceiling in front room on first floor (photograph).

183

XC.—No. 50, BEDFORD SQUARE.

Ground landlord.

His Grace the Duke of Bedford, K.G.

General description and date of structure.

On 16th January, 1777, a lease[763] was granted of the fourth house westward from Charlotte Street, on the south side of the square. This was No. 50.

The premises are a good example of the general planning of houses on this side of the square. The fanlight (Plate 104) to the screen between the vestibule and hall is characteristic of others in this district. The staircase is of stone with mahogany handrail and wrought-iron balustrade of coupled bars, alternating with one of scroll design, as has been described in other cases. The end of the staircase is semi-circular in plan. The ceiling is of ornamental plaster work, pierced by a large oval lantern. The front room on the first floor has a good decorative ceiling.

The rear room on the same floor has an ornamental ceiling with designs in the angles of the central portion, representing drama, painting, music, and agriculture.

Condition of repair.

The premises are in good repair.

Biographical notes.

The first occupier of the house, according to the ratebooks, was “Mr. Serjt. Glynn,” who was resident here in 1778. John Glynn was born in Cornwall in 1722. He entered the legal profession and was called to the Bar in 1748. In 1763 he was created serjeant-at-law, and the following year Recorder of Exeter. He enjoyed a great reputation for legal knowledge, which he placed, in many cases gratuitously, at the disposal of the adherents of Wilkes, in the legal proceedings connected with the latter’s agitation. In 1768, and again in 1774, he was elected as one of the representatives of Middlesex in Parliament. In 1772 he was elected Recorder of the City of London. He died in 1779.

In 1779 William Lushington was at No. 50, Bedford Square, and remained until 1781, when he was succeeded by John Hunter, whose tenancy lasted over the end of the century.

The Council’s collection contains:—

Ground and first floor plans (measured drawing).

[764]Fanlight in entrance hall (photograph).

Ornamental plaster ceiling in front room on first floor (photograph).

Ornamental plaster ceiling in rear room on first floor (photograph).

184

XCI.—No. 51, BEDFORD SQUARE.[765]

Ground landlord and lessee.

Ground landlord, His Grace the Duke of Bedford, K.G.; lessee, the French Consulate-General.

General description and date of structure.

On 16th January, 1777, a lease[766] was granted of the third house westward from Charlotte Street, thus corresponding to No. 51.

In the vestibule of this house is fitted a small chimneypiece with a sculptured marble panel.

The staircase is similar to that of No. 50, and the friezes beneath the ceilings have moulded plaster designs.

The front room on the ground floor has a white marble chimneypiece with Ionic pilasters, the rear room on the same floor having one of simpler design in the same material. The chimneypiece of the front room on the first floor is also simply treated in white marble, with three-quarter Ionic columns. The ceiling (Plate 105) is decorated in moulded plaster work of good design.

The rear room on the same floor has a white marble and green inlay chimneypiece and a decorative plaster ceiling.

Condition of repair.

The premises are in good repair.

Biographical notes.

In 1778 John Boldero was in occupation of the premises. His name appears in the ratebooks until 1791, when it is replaced by that of Mrs. Boldero.

The Council’s collection contains:—

[767]Sculptured panel of chimneypiece in entrance hall (photograph).

[767]Ornamental plaster ceiling in front room on first floor (photograph).

185

XCII.–XCIII.—Nos. 68 and 84, GOWER STREET.

Ground landlord and lessees.

Ground landlord, His Grace the Duke of Bedford, K.G. The lessee of No. 68 is Miss Janet McKerrow.

General description and date of structure.

Gower Street was formed at the same time as Bedford Square, and many of the houses on the west side as well as some on the east still present their original fronts.

No. 68, Gower Street, is provided with a bold and simple wood door case (Plate 106) of excellent proportions, with Roman unfluted Doric columns and ornamental fanlight. It is a very good example of late 18th-century design.

The door case (Plate 106) to No. 84, Gower Street, was of simple and tasteful design, well adapted for its purpose, and typical of many others in the neighbourhood.

Condition of repair.

No. 68, Gower Street, is in good repair.

No. 84 was demolished in 1907.

Biographical notes.

The occupants of these two houses during the 18th century were, according to the ratebooks:

No. 68.   No. 84.
1787–93. Thos. Gatteker. 1789–1800. Sir John Scott.
1794–97. T. C. Porter.    
1797– Mrs. Peters.    

In the Council’s collection are:—

No. 46, Gower Street. Doorcase (photograph).

No. 63, Gower Street. Exterior (photograph).

[768]No. 68, Gower Street. Doorcase (photograph).

[768]No. 84, Gower Street. Doorcase (photograph).

186

XCIV.—NORTH and SOUTH CRESCENTS and ALFRED PLACE (Demolished).

The sites of North and South Crescents and Alfred Place, together with the corresponding portion of the east side of Tottenham Court Road, belong to the City of London Corporation, and form a part of the property of which some of the proceeds are by the Act 4 and 5 William IV., cap. 35 (private), devoted to the upkeep of the City of London School.

For many years before the passing of the Act an annual sum of £19 10s. had been paid by the Corporation, out of the rents of certain lands usually called the estates of John Carpenter, towards the education and clothing of four boys. These estates were popularly identified with certain properties in Thames Street, Bridge Street, Westcheap and Houndsditch, and the North and South Crescents area in St. Giles-in-the-Fields. Unfortunately, no direct connection can be traced between the last mentioned property and John Carpenter, who died about 1441.

It seems probable, however, that this part of the City estates had a different origin.

In 1567 Lord and Lady Mountjoy sold to Sir Nicholas Bacon the tithes of two closes in Bloomsbury, known as the Great Close of Bloomsbury, containing 45 acres, and Wilkinson’s Close, containing 4 acres, together with a third close, having an area of 5 acres, and being then or lately in the tenure of John Hunt.[769] The tithes are mentioned in the account of the division of the property of St. Giles’s Hospital[770] as falling to the share of Katherine Legh (afterwards Lady Mountjoy), but no reference occurs to the third close, which nevertheless was most probably obtained at the same time. In 1574 an exchange of land was effected between Sir Nicholas Bacon and Sir Rowland Hayward and other City dignitaries, whereby the latter acquired the five-acre close in question.[771] The deed relating to the exchange does not appear to have been enrolled, and consequently no particulars are available as to the property which was transferred to Sir Nicholas Bacon.

The earliest record in the possession of the Corporation relating to the estate in St. Giles is contained in a rental of 1667,[772] “The Rentall of the Lands and Tenements, sometimes of Mr. John Carpenter, sometimes Town Clarke of the Citty of London,” and is as follows: “Margaret the Relict and Executrix of Richard Reede, late Margaret Pennell, for a Close with the appurtenances cont. by estimacon five acres, more or lease, and being in the Parish of St. Giles-in-the-Fields to him demised for 61 187years from Lady-day, 1652, at £4.” Two other properties included in the rental are described as having been taken by the Corporation in exchange from Sir Nicholas Bacon, but it is unfortunate that no such statement is made with regard to the 5–acre close, as such would have prevented any doubt as to its identification. Nevertheless, scarcely any doubt is possible. The rental of 1667 shows that the John Carpenter estate included property acquired by way of exchange from Bacon, and the presumption of the identity of the 5–acre close contained in that exchange with the 5–acre close leased to Richard Reede in 1652 is practically overwhelming. Moreover, it is difficult to see with what other land the close could possibly be identified. It is quite certain that it was not in that part of the parish of St. Giles which lay to the south of Bloomsbury Manor, for there was in that direction no 5–acre field, of which the history, as detailed in this volume, does not preclude the possibility of its being identified with the close in question. It is moreover fairly obvious that the close could not have been actually included in the Manor of Bloomsbury, since it was in the hands of Mountjoy.

We are thus almost bound to identify the latter with the North and South Crescents estate, which, with one exception (Cantelowe Close), is the only St. Giles property in the neighbourhood not in the manor of Bloomsbury.

It may, therefore, be assumed that the connection of the land with the Carpenter Estate only dates from 1574, and that it was obtained by the trustees of that estate in exchange for other property.

The land remained unbuilt on until the estate was laid out early in the 19th century. Although the houses were of no architectural merit, the plan is by no means uninteresting. It consists of Alfred Place running parallel with Tottenham Court Road, with a connecting cross road at either end, crescents being formed in these opposite the north and south ends of Alfred Place.

It is probable that George Dance, the younger, who was City Architect at the time, modified his idea for the improvement of the Port of London in the preparation of this design.[773] The former scheme is embodied in a coloured engraving[774] by William Daniell, published in 1802.[775]

All the houses have recently been demolished.

In the Council’s collection are:—

North Crescent—General view (photograph).

South Crescent—General view (photograph).

188

XCV.—HOUSE IN REAR OF No. 196, TOTTENHAM COURT ROAD.

The land immediately to the north of the City estate was formerly a field known as Cantelowe Close. In an inquisition held on 20th May, 1639,[776] it was found that John, Earl of Clare,[777] had died in possession of, inter alia, a parcel of land in the parish of St. Giles, called “Cantlowe Close,” containing seven acres.[778] The land seems to have continued in the Holles family until the death of John Holles, Duke of Newcastle, in 1711, and then to have passed with most of the latter’s possessions to his nephew, Thomas Pelham-Holles, afterwards (1715) Duke of Newcastle, for the plan of the new road from Paddington to Islington which appeared in the London Magazine for 1756 marked the field to the north of “The City Lands” as the “Duke of Newcastle’s.” In 1772 the Duke of Newcastle sold to the Duchess of Bedford and others, trustees for the late Duke, “all that close or parcell of ground, scituate in the parish of St. Pancras,[779] commonly called ... Cantelowe Close, containing nine acres and a half or thereabouts.”[780]

In 1776 the trustees granted to William Mace, carpenter, a lease for 78 years of a portion of the ground “in consideration of the great expense he hath been at in erecting a farmhouse on part of a field known as Cantelowe Close, and that he, the said William Mace, shall build proper and convenient sheds and other outhouses for the accommodation of 40 cows at the least.”[781] It is therefore clear that the house was built in or shortly before 1776.

It stood about 150 feet east of Tottenham Court Road. The exterior (Plate 107) was of stock brickwork, with red brick window heads. The entrance doorcase was of wood, and above were two tablets showing that formerly the parish boundary between St. Giles and St. Pancras passed through the house.

The interior had a decorated wood and composition chimneypiece (Plate 107) in the north front room on the first floor.

The premises were demolished in 1914.

The Council’s collection contains:—

[782]East front (photograph).

[782]Chimneypiece in front room on first floor (photograph).

189

INDEX OF NAMES AND TITLES.

PRINTED FOR THE LONDON COUNTY
COUNCIL BY ODHAMS LIMITED,
LONG ACRE, W.C. MDCCCCXIV.
Sold by Messrs. P. S. King and Son,
2 and 4, Great Smith Street, Westminster, S.W.
Publication No. 1663. Price £1 1s.
PLATE 1

NEIGHBOURHOOD OF ST. GILES-IN-THE-FIELDS, circ. 1560–1570 (AGAS)

PLATE 2

PURSE FIELD, circ. 1609

PLATE 3

NEIGHBOURHOOD OF ST. GILES-IN-THE-FIELDS, circ. 1658 (HOLLAR)

[Click image for larger version.]

PLATE 4

NEIGHBOURHOOD OF ST. GILES-IN-THE-FIELDS, 1658. (FAITHORNE AND NEWCOURT)

[Click image for larger version.]

PLATE 5

ST. GILES-IN-THE-FIELDS, circ. 1720 (STRYPE)

[Click image for larger version.]

PLATE 6
_A Plan of the Parish of S<sup>t</sup>. Giles and S<sup>t</sup>. George’s Bloomsbury by Hewett._

[Click image for larger version.]

PLATE 7
N<sup>O</sup>. 3 GATE STREET. JOINERY DETAILS ON FIRST FLOOR.
PLATE 8

No. 211, HIGH HOLBORN, SHOP FRONT

PLATE 9

No. 181, HIGH HOLBORN, SHOP FRONT

PLATE 10

No. 172, HIGH HOLBORN, SHOP FRONT

PLATE 11

No. 1, SARDINIA STREET

No. 18, PARKER STREET

PLATE 12

No. 2 GREAT QUEEN STREET. MAHOGANY STAIRCASE.

GENERAL BALUSTRADING.
(FROM SECOND TO THIRD FLOOR).

PLATE 13
MAHOGANY STAIRCASE N<sup>O</sup>. 2 G<sup>T</sup>. QUEEN STREET W.C.
PLATE 14
ENTRANCE DOORCASES. N<sup>OS</sup>. 27 and 28 GREAT QUEEN STREET
PLATE 15
LEAD RAINWATER HEADS AND CISTERNS. CARVED DEAL MANTEL SHELF, N<sup>O</sup>. 16 LITTLE WILD STREET.
PLATE 16

Nos. 55 and 56, GREAT QUEEN STREET IN 1846

HOUSE OF THE SARDINIA AMBASSADOR, LINCOLN’S INN FIELDS

PLATE 17
N<sup>os</sup>. 55–56 GREAT QUEEN STREET.
PLATE 18

Nos. 55 & 56, GREAT QUEEN STREET, ELEVATION.

PLATE 19

Nos. 55–56, GREAT QUEEN STREET, (MAY, 1906)

PLATE 20

No. 55, GREAT QUEEN STREET, STAIRCASE

PLATE 21
N<sup>os</sup>. 55–56 GREAT QUEEN STREET. DETAILS OF DEAL STAIRCASE.
PLATE 22

ELEVATION IN 1779

FREEMASONS’ HALL, PLAN OF PREMISES BEFORE 1779

PLATE 23

FREEMASONS’ HALL IN 1811

PLATE 24

FREEMASONS’ HALL, FAÇADE

PLATE 25

FREEMASONS’ HALL, ELEVATION OF NORTH END OF TEMPLE IN 1775

PLATE 26

FREEMASONS’ HALL, THE TEMPLE, LOOKING SOUTH

PLATE 27

FREEMASONS’ HALL, SIR J. SOANE’S DESIGN FOR NEW MASONIC HALL (1828)

PLATE 28

FREEMASONS’ HALL. GRAND STAIRCASE

VESTIBULE TO TEMPLE SHOWING MOSAIC PAVING

PLATE 29

MARKMASONS’ HALL, CHIMNEYPIECE IN BOARD ROOM

PLATE 30

MARKMASONS’ HALL, CEILING IN BOARD ROOM

PLATE 31

MARKMASONS’ HALL, CEILING IN GRAND SECRETARY’S ROOM

PLATE 32

GREAT QUEEN STREET CHAPEL

PLATE 33

GREAT QUEEN STREET CHAPEL, INTERIOR

PLATE 34

LITTLE WILD STREET, VIEW LOOKING NORTH-EAST (1906)

PLATE 35
DEAL DOORCASE. N<sup>o</sup>. 24 BETTERTON ST.
PLATE 36

No. 32, BETTERTON STREET, ENTRANCE DOORCASE

PLATE 37

“QUEEN ANNE’S BATH,” No. 25, ENDELL STREET

PLATE 38

THE BOWL BREWERY IN 1846

PLATE 39
PLAN OF PROPOSED SETTING OUT OF SEVEN DIALS 1691
PLATE 40

SEVEN DIALS COLUMN AT WEYBRIDGE

PLATE 41

LITTLE EARL STREET, LOOKING EAST

PLATE 42

Nos. 14 to 16, NEW COMPTON STREET, SHOP FRONTS

PLATE 43
PARISH CHURCH OF S<sup>T</sup>. GILES-IN-THE-FIELDS. GROUND PLAN
PLATE 44
PARISH CHURCH OF S<sup>T</sup>. GILES-IN-THE-FIELDS. PLAN OF CEILING
PLATE 45

St. GILES-IN-THE-FIELDS. WEST FRONT.

PLATE 46

St. GILES-IN-THE-FIELDS. CROSS SECTION.

PLATE 47

ST. GILES-IN-THE-FIELDS CHURCH FROM THE NORTH-WEST

PLATE 48

ST. GILES-IN-THE-FIELDS CHURCH FROM THE NORTH-EAST

PLATE 49

ST. GILES-IN-THE-FIELDS CHURCH, INTERIOR, LOOKING EAST, 1753

PLATE 50

ST. GILES-IN-THE-FIELDS CHURCH, INTERIOR, LOOKING WEST

PLATE 51

ST. GILES-IN-THE-FIELDS CHURCH, COLUMNS AND CEILING

ALTARPIECE

PLATE 52

ST. GILES-IN-THE-FIELDS CHURCH, OAK FRAME WITH PICTURE

PAINTED GLASS PANEL, PROBABLY FROM FORMER CHURCH

PLATE 53
LICH GATE TO CHURCHYARD S<sup>t</sup>. GILES-IN-THE-FIELDS.
PLATE 54

ST. GILES-IN-THE-FIELDS CHURCH, OAK PANEL IN LICH GATE

PLATE 55

ST. GILES-IN-THE-FIELDS CHURCH, VESTRY

PLATE 56
N<sup>O</sup>. 5 DENMARK STREET. DETAILS OF STAIRCASE.
PLATE 57
DEAL DOORCASE N<sup>O</sup>. 7 DENMARK ST.
PLATE 58
N<sup>O</sup>. 7 DENMARK STREET. DETAILS OF DEAL STAIRCASE.
PLATE 59

Nos. 10 and 11, DENMARK STREET

PLATE 60

DENMARK PASSAGE, BLACKSMITH’S FORGE

PLATE 61

BEDFORD SQUARE, SOUTH SIDE

PLATE 62

No. 1 BEDFORD SQUARE.

GROUND FLOOR PLAN.

FIRST FLOOR PLAN.

PLATE 63

No. 1, BEDFORD SQUARE, FRONT VIEW

PLATE 64
ENTRANCE DOORWAY TO N<sup>O</sup>. 1 BEDFORD SQUARE.
PLATE 65

ENTRANCE HALL, LOOKING SOUTH

ENTRANCE HALL, SHOWING STAIRCASE, No. 1, BEDFORD SQUARE

PLATE 66

No. 1, BEDFORD SQUARE, CEILING IN ENTRANCE HALL

PLATE 67

No. 1, BEDFORD SQUARE, CHIMNEY BREAST, REAR ROOM, GROUND FLOOR

PLATE 68

No. 1, BEDFORD SQUARE, CEILING, REAR ROOM, FIRST FLOOR

PLATE 69

No. 6, BEDFORD SQUARE

PLATE 70

No. 6, BEDFORD SQUARE, LANTERN OVER STAIRCASE

PLATE 71

No. 6, BEDFORD SQUARE, CHIMNEYPIECE, FRONT ROOM, FIRST FLOOR

PLATE 72

ON CHIMNEY BREAST, FRONT ROOM, GROUND FLOOR

ON CHIMNEY BREAST, REAR ROOM, GROUND FLOOR

No. 9, BEDFORD SQUARE, PLASTER PLAQUES OVER DOOR, FRONT ROOM, GROUND FLOOR

PLATE 73

No. 9, BEDFORD SQUARE, CEILING, FRONT ROOM, FIRST FLOOR

PLATE 74

No. 10, BEDFORD SQUARE, CEILING, FRONT ROOM, FIRST FLOOR

PLATE 75
N<sup>o</sup>. 11 BEDFORD SQUARE.
PLATE 76

No. 11, BEDFORD SQUARE, EXTERIOR

PLATE 77

No. 11, BEDFORD SQUARE, CHIMNEYPIECE, FRONT ROOM, GROUND FLOOR

PLATE 78

No. 13, BEDFORD SQUARE, CEILING, FRONT ROOM, FIRST FLOOR

PLATE 79

No. 14, BEDFORD SQUARE, CEILING, FRONT ROOM, FIRST FLOOR

PLATE 80

No. 15, BEDFORD SQUARE, ENTRANCE DOORWAY

PLATE 81

No. 8, BEDFORD SQUARE, CHIMNEYPIECE, FRONT ROOM, GROUND FLOOR

PLATE 82

No. 23, BEDFORD SQUARE, DOORS AND DOORCASE, FRONT ROOM, GROUND FLOOR

PLATE 83

CHIMNEY BREAST

ALCOVE
No. 25, BEDFORD SQUARE, FRONT ROOM, GROUND FLOOR

PLATE 84

CHIMNEYPIECE, FRONT ROOM, FIRST FLOOR

CHIMNEYPIECE, REAR ROOM, FIRST FLOOR,
No. 25, BEDFORD SQUARE

PLATE 85

No. 25, BEDFORD SQUARE, CEILING, REAR ROOM, FIRST FLOOR

PLATE 86

DETAIL OF CENTRAL PANEL

No. 28, BEDFORD SQUARE, CHIMNEYPIECE, FRONT ROOM, GROUND FLOOR

PLATE 87

No. 30, BEDFORD SQUARE, CEILING, FRONT ROOM, FIRST FLOOR

PLATE 88

No. 31, BEDFORD SQUARE, CEILING, REAR ROOM, FIRST FLOOR

PLATE 89
N<sup>o</sup>. 32 BEDFORD SQUARE.
PLATE 90

No. 32, BEDFORD SQUARE, SCREEN IN HALL

PLATE 91

PANEL OF CHIMNEYPIECE, REAR ROOM, FIRST FLOOR

DETAIL OF CHIMNEYPIECE, REAR ROOM, GROUND FLOOR
No. 32, BEDFORD SQUARE.

PLATE 92

CEILING, REAR ROOM, GROUND FLOOR

PLATE 92

CEILING, REAR ROOM, FIRST FLOOR
No. 32, BEDFORD SQUARE.

PLATE 93

No. 40, BEDFORD SQUARE, PLASTER PLAQUE, FRONT ROOM, GROUND FLOOR

PLATE 94

No. 40, BEDFORD SQUARE, CEILING, FRONT ROOM, FIRST FLOOR

PLATE 95

CHIMNEYPIECE, REAR ROOM, FIRST FLOOR

CHIMNEYPIECE, FRONT ROOM, FIRST FLOOR No. 41, BEDFORD SQUARE

PLATE 96

No. 44, BEDFORD SQUARE, CEILING, FRONT ROOM, FIRST FLOOR

PLATE 97

Nos. 46–47, BEDFORD SQUARE, EXTERIOR

PLATE 98

CHIMNEYPIECE, FRONT ROOM, GROUND FLOOR
No. 46, BEDFORD SQUARE

CHIMNEYPIECE, FRONT ROOM, FIRST FLOOR

PLATE 99

No. 47 BEDFORD SQUARE.

PLATE 100

CEILING OVER STAIRCASE

CHIMNEYPIECE, FRONT ROOM, FIRST FLOOR
No. 47, BEDFORD SQUARE

PLATE 101

No. 47, BEDFORD SQUARE, CEILING, FRONT ROOM, FIRST FLOOR

PLATE 102

No. 48, BEDFORD SQUARE, CHIMNEYPIECE, FRONT ROOM, FIRST FLOOR

PLATE 103

No. 48, BEDFORD SQUARE, CEILING, FRONT ROOM, FIRST FLOOR

PLATE 104

No. 50, BEDFORD SQUARE, FANLIGHT IN ENTRANCE HALL

PLATE 105

No. 51, BEDFORD SQUARE, CEILING, FRONT ROOM, FIRST FLOOR

PLATE 106

No. 68, GOWER STREET, DOORCASE

No. 84, GOWER STREET, DOORCASE

PLATE 107

CHIMNEYPIECE, FRONT ROOM, FIRST FLOOR HOUSE IN REAR OF No. 196, TOTTENHAM COURT ROAD

EXTERIOR

[Click image for larger version.]


1. Survey of London, Vol. III., p. xviii.

2. “Exinde secundum quod via extra idem gardinum protenditur usque ad metas dividentes Mersland et parochiam S. Ægidii.

3. Survey of London, Vol. III. (St. Giles-in-the-Fields, Part I.), p. xvi.

4. Middlesex Feet of Fines, 37 Henry VIII., Mich.

5. British Museum Addl. MS., Charters, 15636.

6. Namely, reckoning west to east: (i.) Star; (ii.) unnamed house of John Bishop; (iii.) Sun and Dolphin; (iv.) Gridiron (easternmost house in St. Giles); (v.) Eagle and Child; (vi.) Cock and Coffin; (vii.) unnamed house in occupation of Thos. Fisher. (Close Rolls, (a) 1652, Alexander Goddard, etc., and Philip Cotham; (b) 1652, Alexander Goddard, etc., and Jonathan Read; (c) 13 Chas. II., Samuel Bishopp and William Rymes).

7. Sale by Robert Harris to John Coke (Land Revenue Enrolments and Grants, vol. 311, p. 204.)

8. Survey of London, Vol. III. (St. Giles-in-the-Fields, Part I.), p. 3.

9. British Museum MS. Claudius E VI, 218b–219.

10. Grant to Thos. Ellys, 22 Henry VIII (Land Revenue Miscellaneous Books, No. 62); grant to Thomas Bochier (Patent Roll, 36 Henry VIII. (745)).

11. Lease of 21st July, 8 Chas. I., by Henry Hurlestone to John Allen and Thomas Clements (Chancery Proceedings, Bridges 5–105,—Suit of John King); Close Roll, 6 Chas. I. (2853)—Indenture between Wm. Newton and Anthony Bailey and John Johnson.

12. Survey of London, Vol. III. (St. Giles-in-the-Fields, Part I.), pp. 3–4.

13. Certain properties, some of which include houses, are mentioned as extending from Holborn on the north to Fickett’s Field on the south, but some, at least, of these may have been to the west of Little Turnstile. The records in question, when dateable, may be referred to the time of Henry III. or Edward I.

14. Parliamentary Survey (Augmentation Office), No. 25.

15. It was afterwards occupied by Chamberlain’s Stable (Survey of Crown Lands) and this formed the eastern boundary of a piece of ground, 21 feet in width “abutting upon the footeway leading from Master Newman’s building [west portion of north side of Lincoln’s Inn Fields] to the Little Turnstile on the west,” purchased by John Weston [Whetstone] from Edmond Gregory in 1661, (Close Roll, 13 Chas. II. (4087).)

16. Close Roll, 2 Elizabeth (566).

17. Inquisitiones Post Mortem, II. Series, Vol. 149 (74).

18. Close Roll, 18 Elizabeth (990).

19. Burrard Cranigh, M.D., by his will proved 21st November, 1578, left his lands, etc., in Holborn to be sold to pay his debts and legacies (Somerset House Wills, Langley, 41).

20. Patent Roll, 20th July, 18 Elizabeth (1144).

21. Close Roll, 18 Elizabeth (990).

22. Close Roll, 18 Elizabeth (994).

23. Close Roll, 31 Elizabeth (1318).

24. Close Roll, 21 Charles II. (4270).

25. Blott’s Blemundsbury, p. 201.

26. Close Roll, 33 Elizabeth (1375).

27. Daughter of Sir Nicolas Harvey, and widow of George Carew, dean of Windsor, who died in June, 1583, and was buried in the church of St. Giles-in-the-Fields (Dictionary of National Biography).

28. No doubt the same afterwards occupied by Sir William and Lady Segar, and Lord Bothwell (see plan of 1658 in Black Books of Lincoln’s Inn, Vol, II.) The easternmost portion of the northern boundary of Purse Field is described as “the late garden wall of Sir William Seager, Knt.” in the grant of the field to Newton in 1638 (Patent Roll, 13 Charles I. (2775)), and as “the garden of Bothwell House” in the sale of that part of the field in 1653 (Close Roll, 1653 (3715))—(Indenture between Humfrey Newton and Arthur Newman).

29. It is no doubt this intermixture of gardens and houses that caused the peculiar shape of Partridge Alley, seen on the map accompanying Strype’s edition of Stow (Plate 5), and better still on Hollar’s Plan of 1658 (Plate 3).

30. It is strange, however, that her will (Somerset House Wills, Hayes, 61) bequeathing her property to her son, Sir George Carew, only mentions “all such leases as are in my possession, as inter alia Savoy, St. Giles.”

31. Close Roll, 16 Charles I. (3228).

32. Chancery Proceedings, Bridges XX, 45. Suit of Henry Harwell.

33. Chancery Decree Roll, 1922. Suit of William Duckett and Hugh Speaks against Henry Harwell, George Smithson, Daniel Thelwall and William Byerly.

34. Privy Council Register, Vol. 47, p. 24.

35. Chancery Proceedings, Bridges, 447–82. Suit of Peter Broome and Thos. Barker.

36. Close Roll, 28 Elizabeth (1263).

37. On 13th June, 1592, administration of probate was granted to John Buck’s widow, Margaret Buck. He had, therefore, died quite a short time previously (Arch. London Probate Acts, II., 88).

38. Close Roll, 25 Elizabeth (1155).

39. Close Roll, 10 Charles I. (3018).

40. Close Roll, 13 Charles II. (4086).

41. Middlesex Registry Memorials, 1716, III., 63.

42. Close Roll, 15 Charles II. (4143).

43. John Apsley sold the inn in 1639 to Daniel Thelwall, William Bierley and Sir Chas. Dallison. See Close Roll, 22 Charles I. (3343)—Indenture between Dallison, Thelwall, Bierley, and George Smithson and George Gentleman.

44. Close Roll, 5 James I. (1910). Indenture between Gregory Miller and Geo. Flower.

45. Parton (Hospital and Parish of St. Giles-in-the-Fields, p. 354) records the fact of the residence of Sir Anthony Ashley and Sir John Cowper (see above) in Thornton’s Alley.

46. Middlesex Feet of Fines, 16 Elizabeth, Easter.

47. Close Roll, 2 Charles I. (2677). Indenture between Frederick Johnson and Mary Worliche and Francis Cole.

48. Close Roll, 5 Charles I. (2800). Indenture between Francis Cole and Robert Offley.

49. See warrant given in Indenture of 9th April, 1630, between Wm. and Joan Newton and Anthony Bailey and John Johnson. (Close Roll, 6 Charles I. (2853). Newton, the designer of Lincoln’s Inn Fields, had married the daughter and heir of Gregory Miller, son of John.)

50. Survey of London, Vol. III. (St. Giles-in-the-Fields, Part I.) pp. 5–6.

51. Close Roll, 15 Chas. I. (3193).

52. Close Rolls, 20th July, 1639, between William Newton and Lewis Richard (15 Chas. I. (3191)); 15th March, 1638–9, between Wm. Newton and John Giffard (15 Chas. I. (3188)); 1st October, 1657, between Humfrey Newton and Arthur Newman (1657 (3945)).

53. The houses to the south of Fortescue’s premises seem to have been built originally as three houses. The southern boundary of Fortescue’s houses is said to be “a greate house lately built by the said William Newton.” This, according to the Hearth Tax Rolls, was the Earl of Northampton’s mansion. Then came “a faire messuage or howse of one Master Crewe,” and to the south of this, at the corner of Great Queen Street, and having a width from north to south of 42 feet, was in 1648 a plot of ground on which “Henry Massingberd intends to erect a house.” (Close Roll, 24 Chas. I. (3411.) Indenture between Humfrey Newton and Henry Massingberd.) If, however, only one house was built on this plot, it was divided quite early, as the premises already appear in two occupations in the Hearth Tax Roll for 1666.

54. One of the two houses was in 1643 in the tenure of Sir John Thimbleby (Close Roll, 18 Chas. I. (3295)—Indenture between John Fortescue and John Pynchon and Wm. Barnard).

55. Moved to No. 1, Lincoln’s Fields, in 1743 (Survey of London, Vol. III., p. 24.)

56. British Museum Additional MS., 11,411, ff. 70 and 77.

57. Ibid., f. 17b.

58. Reproduced here.

59. See Land Revenue Enrolments, Book IV., No. 52, p. 120.

60. Patent Roll, 7 Jas. I. (1802) (Translated from the Latin).

61. Parliamentary Survey (Augmentation Office), No. 25. Middlesex—tenements in St. Giles-in-the-Fields and High Holborn.

62. Close Roll, 7 Jas. I. (1971).

63. Close Roll, 8 Jas. I. (2032).

64. See p. 36.

65. Close Roll, 9 Jas. I. (2083).

66. Middlesex Feet of Fines, 10 Jas. I., Easter.

67. Close Roll, 13 Chas. II. (4084). Indenture between Thos. Newton and Geo. Goodman and Arthur Newman. William Lane, by his will dated 15th February, 1653–4, left nine messuages in Holborn to his grandson, who enjoyed two-thirds leaving one-third to his grandmother Elinor. The premises were rebuilt about 1698–1701. (Chancery Proceedings, Bridges, 328–31. Suit of Roger Reading, 3rd February, 1703–4.)

68. In 1618 William Taylor was reported to the Privy Council for building a house “in Fawlcon yard in the upper end of Holborne where none was before.” (Privy Council Register, No. 29, 493).

69. Survey of London, Vol. III. (St. Giles-in-the-Fields, Part I.), p. 7.

70. Privy Council Register, Vol. 47, p. 410.

71. Inquisitio Ad Quod Damnum—Brevia Regia, Petty Bag Office, No. 17.

72. Petition of the Lord Mayor, etc., dated 10th April, 1635. (Calendar of State Papers, Domestic, 1635–6, p. 17).

73. Privy Council Register, Vol. 47, p. 370.

74. Close Roll, 16 Chas. I. (3232)—Indenture between Henry Darrell and Mary Blague.

75. I.e., “very well with brick and covered with tyle.”

76. In the case of Shenton’s tenements, built probably at about the same time, it is known that rebuilding was carried out before October, 1682. (Chancery Proceedings, Bridges, 271–13. Suit of Elizabeth Stratton).

77. 3rd Report of H.M. Commissioners of Woods and Forests (1819), App. 2, pp. 38–9.

78. Reproduced here.

79. Close Roll, 1650 (3510)—Indenture between William Short, Gregory Short and William and Magdalen Curtis and Thomas and Elinor Vaughan.

80. Middlesex Feet of Fines, 1650, Easter.

81. Close Roll, 18 Chas. II. (4195).

82. Exchequer Pleas 582 (2)—Suit of William Bell (Easter term, 18 Chas. I.) against Sir Samuel Somaster.

83. Blott’s suggestion (Blemundsbury, pp. 201–2) that the place referred to was Little Turnstile, has nothing to recommend it.

84. Calendar State Papers, Domestic, 1629–31, p. 284.

85. Ibid., pp. 321–2.

86. Exchequer Pleas 582 (2), cited above.

87. See p. 107.

88. Close Roll, 9 Eliz. (742)—Indenture, dated 1st February, 1566–7, between Lord and Lady Mountjoy and Edward Kingston.

89. The southernmost of the three northerly houses mentioned above.

90. Close Roll, 24 Eliz. (1129)—Indenture, dated 30th July, 1582, between Jas. Briscowe, etc., and Jas. Mascall.

91. See p. 27.

92. It will be remembered that the houses, including, and for a little distance west of, No. 198, High Holborn (the Public Library), are on the site of Rose Field (see p. 18).

93. Inquisitiones Post Mortem, Middx., Series II., vol. 208.

94. Together with a moiety of the three northernmost of the 8 houses and of other property on the north side of High Holborn, acquired by Mascall of Edward Kingston.

95. Close Roll, 11 Chas. I. (3057)—Indenture between Thos. Godman and Olive his wife and Francis Gerard and Frances his wife.

96. Blott’s Blemundsbury, p. 381.

97. As showing the connection between the Gerard and Cole families attention may be drawn to the fact that Philip Gerard, successor of Francis Gerard in Drury Lane, and probably his son, was associated with Salomon Cole in a deed relating to property at King’s Gate. (Close Roll, 1658—Indenture between Sir Thos. Fisher, Gerard and Cole and John Plumer).

98. Close Roll, 1655 (3857)—Indenture between Chas. Lovell, etc., and Philip Wetherell.

99. Middlesex Registry Memorials, 1756, II., 325–6—Indenture between John Smart and John Higgs.

100. Middlesex Registry Memorials, 1717, II., 272.

101. Reproduced here.

102. Parton’s Hospital and Parish of St. Giles-in-the-Fields, p. 71.

103. From deeds quoted by Parton (Hospital and Parish of St. Giles) it is evident that in the 13th century Drury Lane was known as “Aldewych” or “Via de Aldewych.” The name “Drury Lane,” given later, was no doubt due to the existence of Drury House near the Strand end of the road. How late “Via de Aldewych” was used there is nothing to show. In certain deeds of the 17th century (e.g., Close Roll, 24 November, 8 Charles I.—Indenture between Francis, Lord Russell, and Earl of Bedford and John, Earl of Bristol, etc.) the road is called “Drury Lane alias Fortescue Lane.” It is just possible that the latter name is to be connected with Sir John Fortescue, who held the Elm Field (i.e., the land between Castle Street and Long Acre) in the reign of Henry VI. (Close Roll, 30 Henry VI. (302)—Grant by John Crouton and Wm. Horn to John and Katherine Nayler); in fact there is reason for thinking that the “viam regiam ducentem ... a villa Sci. Egidii versus Bosomysynne modo Johis. Fortescue militis” mentioned in the same deed is actually Drury Lane. The road seems also to have gone by the name of St. Giles’s Lane in the early part of the 17th century. (See p. 35n.)

104. See p. 107.

105. They appear together as witnesses in many deeds. Two deeds bearing the name of William Christmas as witness can be dated with certainty 1257–8 and 1276.

106. Blott’s statement that here “stood the mansion house of the Christmasse family, with its pasture land and orchard bordering the King’s Highway, Oldborne, the domain reaching to Ficquet Fields,” goes beyond the evidence, and his imaginative history, based on an identification of “John of Good Memory,” late chaplain of St. Giles, mentioned in Henry II.’s Charter (not the original foundation charter, as Blott says), with a John Christmas = John de Cruce the elder = John de Fonte the elder (all equally hypothetical persons) is absolutely unjustifiable (Blemundsbury, pp. 333–4).

107. Augmentation Office, Deeds of purchase and exchange, E. 19.

108. The premises, together with a cottage and Purse Field with the pightells, were farmed to her on 6 June, 1524, by the Master of Burton Lazars, and it is stated that she was then living there. (Patent Roll, 7 Elizabeth, pt. 3, Grant to Thos. Jordayne.)

109. “Et de liijs iiijd de Willelmo Hosyer pro redditu cujusdam messuagii vocati le White Harte in Hamelett Sci Egidii et xviij acr’ pasture ac unius parvi clausi vocati Pale Close.” (Ministers’ Accounts, 2101, Henry VIII.)

110. Uncertainty on this point and on the date of the period of his tenancy unfortunately stands in the way of accepting the following note as a contribution to the history of The White Hart. “Will. Hosyer, of St. Giles-in-the-Fields, London—Licence (he having had his house burnt down 9th Oct. last [1539] and lost all his goods therein to the value of £200) to collect alms in England and Wales for his relief.” (Patent Roll, 32 Henry VIII. pt. 4.)

111. Close Roll, 9 Eliz. (733)—Indenture between Lord Mountjoy and Geo. Harrison; and Close Roll, 24 Eliz. (1129)—Indenture between Jas. Briscowe, etc., and Jas. Mascall. Cockshott was apparently there in 1579, for the piece of ground or garden plot which 12 years before had been used as “a greate garden belonginge to ... the White Harte,” (Close Roll, 9 Eliz. (742)—Indenture between Lord Mountjoy and Edward Kyngston) was in that year described as “then or late in the tenure of Richard Cockeshute.” (Close Roll, 21 Eliz. (1058)—Indenture between Ed. Kyngston and James Mascall.)

112. Parton, Hospital and Parish of St. Giles-in-the-Fields, pp. 131–2.

113. See Land Revenue Enrolments, Book IV., No. 52, p. 120.

114. Situated on the north side of High Holborn, just to the west of the present junction with New Oxford Street.

115. It will be seen that the present Ye Olde White Hart, No. 191, Drury Lane, is not on the site either of the old White Hart, or even of the land formerly belonging to it.

116. Parton, Hospital and Parish of St. Giles, p. 238.

117. Reproduced here.

118. The course of this stream as shown in the map accompanying Volume III. of the Survey of London requires a slight modification, as deeds, which have since come to light, show that to the south of High Holborn it followed exactly the winding red line indicating the course of the later sewer, and not the straight line there suggested.

119. Close Roll, 1657 (3940).—Indenture between William Short and Edward Tooke.

120. Thomas Burton’s land, which included the site of all the houses in Drury Lane mentioned in the above deed, had a width along that street of 233 feet. These houses reached as far south as the house belonging to Mr. Fotherley, on whose garden St. Thomas’s Street was subsequently formed. (Parton, Hospital and Parish of St. Giles-in-the-Fields, p. 275.) The distance between the boundary line and the northern side of Shelton Street, the modern representative of St. Thomas’s Street, is 243 feet, thus allowing a 10 feet extension of the garden northwards beyond the street.

121. See p. 20.

122. The occupier of The Rose at this time was Richard Taylor. See Petition of Geo. Sutton complaining of a confederacy between Taylor and “one Thomas Barnett, brewer,” to whom Taylor had let the premises after Sutton had given him lawful warning to avoid. (Augmentation Proceedings, 22–25.) The property is described as “one tenement called The Roose, lieing and being within the said parish of Saint Gyles in the feldes, with one barne and syxe acres of land, with appurtenances to the same.”

123. Close Roll, 42 Elizabeth (1666).

124. Augmentation Office, Miscellaneous Books, 140, p. 56.

125. Hospital and Parish of St. Giles-in-the-Fields, p. 239.

126. Close Roll, 22 Chas. II. (4290).—Indenture between Sarah Hooper, etc., and Anthony Hannott.

127. Middlesex Registry Memorials, 1723, III., 289, 390.

128. The entries in the ratebook, from the corner of Duke Street (now represented by the first courtyard to the east of Grape Street) to the corner of Bow Street, are as follows:—Jonathan Dodswell, 2 houses (£20); Samuel Chandler (£20); Nathaniel Chandler (£25); John Lacost (£25); Mr. Anthony Elmes (£70); Thomas Gwilliam (£20); Alexander Masters (£16); John Pettit (£10).

129. This rough identification is confirmed by the fact that The Rose can be shown by comparison of particulars given in various deeds to have been the 8th house westward from the Pale Pingle, the westernmost limit of which seems to have been opposite the centre of the frontage of the White Hart property. (See Plate 2).

130. Middlesex Feet of Fines, 16 Chas. I., Trin. Of course, in the absence of more definite details, there is nothing to prove that this refers to The Rose.

131. Close Roll, 1650 (3542).—Indenture between William Short and Thos. Walker, Peter Mills and Richd. Horseman.

132. See p. 31.

133. “July 8, 1640. Warrant to the Petty Constables of the parishes of St. Giles-in-the-Fields and St. Clement’s Danes to give notice to the persons whose names are underwritten to appear ... before Sir John Hippisley and Sir Henry Spiller to show cause why they neglect and refuse to cleanse and repair their parts of a common sewer near Lewknor’s lane, St. Giles-in-the-Fields, which has become a public nuisance.” (Calendar of State Papers, Domestic, 1640, p. 459). This sewer, which ran about 74 feet north of Lewknor’s lane (Parton’s Hospital and Parish of St. Giles, p. 101), seems to have originally, as an open ditch, formed the boundary between Rose Field and Bear Close.

134. Either this means that Short had purchased a portion of Bear Close, or, more probably, it refers to that portion of Rose Field which bounded Bear Close on the east. This had before 1650 been sold to Thomas Grover. (Close Roll, 1654 (3813).—Indenture between William Short and Wm. Atkinson.)

135. Close Roll, 1657 (3940)—Indenture between William Short and Edward Tooke.

136. Privy Council Register, vol. 258, 46.

137. See letters from him addressed to (a) the Earl of Pembroke, 22nd November, 1620; (b) Secretary Conway, 23rd November, 1623 (Calendar of State Papers, Domestic, 1619–23, p. 194, and 1623–5, p. 117).

138. It need hardly be said that Blott’s (Blemundsbury, pp. 357–362) identification of Lewknor’s house with “Cornwallis House, Drury Lane,” the residence of Sir William Cornwallis, “adjoining the grounds of the White Hart Inn ... at the Holborn end of Drury Lane” is a pure fiction. There is no evidence that Sir William Cornwallis ever lived in Drury Lane. His statement that “it is a long task to trace how the Christmasse estate passed into the Cornwallis family, who appears to have been the immediate successors to the great inheritance in Drury Lane,” is delightful, seeing that “the Christmasse estate” was situated at White Hart corner, and the Cornwallis “inheritance,” which, by the way, was acquired only in 1613, some years after Sir William Cornwallis’s death, consisted of Purse Field, which nowhere reached within 500 feet of Drury Lane.

139. Coram Rege Roll, Easter term, 17 Chas. II., No. 469.

140. Close Roll, 1650 (3542).—Indenture between William Short and Thomas Walker, Peter Mills and Richard Horseman.

141. This is stated in the deed (20 June, 1652) relating to the sale of the property by George Evelyn (who had married Sir John Cotton’s widow) to John Fotherley (Common Pleas, Recovery Roll, 1652, Trin., 278), and Cotton’s name is given in respect of the house in the Subsidy Roll of 1646.

142. See, e.g.—Indenture between Henry Fotherley Whitfield and Joseph King (Middlesex Registry Memorials, 1766, I., 379) concerning a parcel of ground in “St. Thomas’s Street, now intended to be called King Street.”

143. Lease dated 23rd February, 1619–20, by Thomas Burton to Edmund Edlyn, quoted in Blott’s Blemundsbury, pp. 358–9. It should be explained that Walter Burton had sublet to Thomas Burton a portion of the ground leased to him by William Short.

144. It should be noticed that the eastern portion of Parker Street (beyond the alley lying to the east of the Kingsway Theatre) is on the site of Purse Field, not of Rose Field.

145. Hospital and Parish of St. Giles, p. 358.

146. “Philip Parcar, for 5 houses built neare Drury Lane in Parcar’s Lane, to the Star Chamber.” (Privy Council Register (1633–4), vol. 258, No. 46).

147. Philip Parker is seen in a different role in the following: “Recognisances ... for the appearance of ... William Hartoppe ... to answer ... for refusinge to ayde Phillip Parker to search for a seminary priest in the house of John Clarke, of St. Gyles in the Feildes” (11th April, 1626) (Middlesex Sessions Rolls, III., p. 160).

148. Reproduced here.

149. A change of tenancy in 1775 is accompanied by an increase in the rateable value from £8 to £18.

150. Reproduced here.

151. Close Roll, 9 Elizabeth (748)—Indenture, dated 20th January, 1566–7, between Lord and Lady Mountjoy and Richard Holford.

152. From other documents it is quite obvious that this must be another name for Purse Field, but the name has not been met with elsewhere.

153. The deeds show that all the western portion of Parker Street, both south and north sides, was in Rose Field, and all the western part of Great Queen Street was in Aldwych Close.

154. This was the line of the sewer, or open stream, which formed the western boundary of Purse Field. In later deeds relating to the central portion of Aldwych Close, the latter is described as extending to the common sewer on the east side towards Lincoln’s Inn. (See e.g. Recovery Roll, 1633, 9 Chas. I., Easter (201).)

155. See p. 124.

156. Inquisitiones Post Mortem (Middlesex), 18 Eliz., vol. 174 (32).

157. I.e., according to a deed referred to in the inquisition on Henry Holford (16th June, 1624) (Ibid., 22 Jas. I., vol. 428 (87)). There was also, however, or there had been three years before, “a little howse, forge or shedd” on what was afterwards the north-west corner of Great Queen Street (Close Roll, 40 Eliz. (1597)—Demise by Henry Holford to Henry Foster, Margaret Foster and Henry Warner).

158. Recited in lease of 30th April, 1607, by Walter Burton to Thomas Burton, in possession of the London County Council.

159. See p. 40.

160. See indentures between Richard Holford and Robert Stratton and Edward Stratton respectively, dated 28th July, 1635, and 24th April, 1658. (Close Rolls, 11 Chas. I. (3060) and 1658 (3984)).

161. This triangular piece, and the ground on which the houses on the south side of Kemble Street are built, both originally being portions of Aldwych Close, have recently been taken out of the Parish of St. Giles-in-the-Fields.

162. “The private way in Oldwitch Close for the King and Councell to passe through leading from St. Giles his lane in the feildes east towardes Holborne.” (Close Roll, 22 James I. (2601)—Indenture between Jane and Richard Holford and Jeoffery Prescott.)

163. The two gates are referred to in the petition (ascribed to March, 1632), of the Surveyor-General of His Majesty’s Ways, who complained that on the day before the King and Queen went last to Theobalds, he warned Richard Powell, the scavenger for High Holborn, to cleanse the passage between the two gates in Holborn, where many loads of noisome soil lay stopping up the way; but Powell neglected to do this, and at the time of the Royal passage a cart laden with soil stood in the passage blocking the way. (Calendar of State Papers, Domestic, 1631–3, p. 298.)

164. On 31st October, 1617, a warrant was issued to Thos. Norton, “Surveyor of His Majesty’s Wayes and Passages,” calling attention to the fact that in spite of the King’s commands, “sundry persons have gotten and used false keyes for opening the lockes and gates of His Majesties private passages through the feildes neere the Cittie of London, and that divers unruly coachmen, carters, and others, have and doe use with great hammers and other like tools to breake open the said gates.” (Privy Council Register, XXIX., 153.) This warrant seems almost too late to refer to Great Queen Street, and yet the fact that it also deals with the steps to be taken against “one Holford and his tennantes” for their default in allowing “the streete in Drury Lane in his Maties ordinary way” to be very noisome, seems to point to the Theobalds route. Perhaps the fields north of Holborn are referred to.

165. The entrance became known as “Hell Gate” or “Devil’s Gap.” The widening of the street to its present measurements is said to have been carried out in 1765 (Blott’s Blemundsbury, p. 370).

166. Calendar of State Papers, Domestic, 1611–18, James I., vol. 69 (36). Robert Cecil was created Earl of Salisbury in May, 1605; he died in May, 1612.

167. This form of the name occurs frequently.

168. See p. 14.

169. In January, 1669–70, references occur to “John Jones, the master of the White Swan in Queen Street, Drury Lane,” and “John Jones, victualler, at the White Swan in Queen’s Street” (Historical MSS. Commission, Ho. of Commons Calendar, App. to 8th Rep. I., 155b, 157a). As late as 8th April, 1677, a letter was addressed to “Don Manuel Fonseca, Queen Street” (Calendar of State Papers, Domestic, 1677–8, p. 82). On the other hand, the title Great Queen Street is found in 1667 as the address of Viscount Conway (Ibid., 1667, p. 535), and occurs even in a passage which must have been written at least fifteen years earlier (see p. 50).

170. See, e.g. Wheatley and Cunningham’s London, Past and Present, III., p. 135: “The houses in the first instance were built on the south side only”; Heckethorn’s Lincoln’s Inn Fields, p. 171; Parton’s Hospital and Parish of St. Giles, p. 133.

171. See p. 50.

172. See p. 35.

173. Lease to Edward Fort of 18th May, 1612, quoted in indenture of 10th February, 1625, between Jane and Richard Holford and Jeoffery Prescott (Close Roll, 22 Jas. I. (2601)).

174. In the absence of deeds relating to the early history of Nos. 14–35, it is impossible to be more precise. There may, of course, have been gaps in the north side (excluding Nos. 1–6) even later than 1612. In the Subsidy Rolls of 21 James I. (1623–4) and 4 Charles I. (1628–9), preserved at the Record Office, thirteen names of occupiers of houses in the street are given, and the assessment in 1623 for the rebuilding of St. Giles’ Church gives fifteen housekeepers in the street (Parton, Hospital and Parish of St. Giles, p. 136n). No adequate idea of the number of houses in the street can, however, be gained from these facts, for the subsidy rolls certainly do not give all the occupiers, and, as the assessment was not compulsory, it is improbable that every householder made a contribution.

175. History of ... St. Giles-in-the-Fields and St. George, Bloomsbury, p. 58.

176. No evidence has come to light in the course of the investigations for this volume whereby Lord Herbert’s house might be identified. In his will, dated 1st August, 1648, proved 5th October, 1648, he refers more than once to his “house in Queene Streete”. (Somerset House Wills, Essex, 138).

177. Close Roll, 18 Chas. I. (3295).—Indenture between W. Newton and Francis Thriscrosse.

178. Close Roll, 15 Chas. I. (3192).

179. Close Roll, 15 Chas. I. (3190)—Indenture between W. Newton and Ric. Webb, Nicholas Redditt and Jeremy Deane.

180. Harl. MS., 5,900, fol. 57b.

181. Indenture, dated 7th February, 1734–5, between John Bigg and Peter Guerin. (Middlesex Registry Memorials, 1734, V., 85.)

182. British Museum, Crace Colln., Portfolio 28, No. 53.

183. It is possible that in 1646 Sir Martin Lumley was resident at this house, but not certain. In the Subsidy Roll for that year his name is the first on the north side of the street, and precedes Sir Thos. Barrington’s, who, it may be proved, lived at No. 3. It may be, therefore, that Lumley was the occupant of No. 1.

184. G. E. C[ockayne’s] Baronetage, II., p. 80.

185. Reproduced here.

186. Elizabeth Killigrew, Lewis Richardes, Thomas Stoake.

187. Lewis Richardes.

188. See p. 35.

189. It is given (Close Roll, 22 Jas. I. (2601).—Indenture between Jane and Richard Holford and Jeoffrey Prescott) as the eastern boundary of Prescott’s property, which extended along the north side of Great Queen Street from Drury Lane, and the length of which is given as 120 feet. Thus the Prescott property was on the site of the present Nos. 38 to 45. A deed dated 20 June, 1721, refers to property of which Seagood’s house had formerly formed the western boundary. This deed gives the names of the occupants of the houses to which it relates both in 1636 and at that time, and the latter list clearly identifies the property as Nos. 26 to 35, thus leaving 36 and 37 for Seagood’s house. That this house corresponded to two numbers is rendered quite certain by a careful comparison of the entries in the series of Hearth Tax Rolls. In fact, the house is on two occasions taxed for 30 hearths, which seems an over estimate, as the assessment is afterwards reduced to 24 hearths. Even this implies a very large house.

190. Close Roll, 13 Chas. II. (3123).—Indenture between Henry Holford and Paul Williams, etc.

191. Reproduced here.

192. Close Roll, 5 Chas. I. (2800). Indenture between Richard Holford and Sir Edw. Stradling—reciting indenture of 1618.

193. See Recovery Roll, 9 Chas. I. rot. 23 (201). Indenture between Edward Stradling and George Gage.

194. See p. 93.

195. Close Roll, 5 Chas. I. (2800). Indenture between Richard Holford and Sir William Cawley and Geo. Strode.

196. Calendar State Papers, Domestic, 1629–31, p. 47.

197. Calendar State Papers, Domestic, 1629–35, p. 55.

198. See p. 93.

199. Close Roll, 11 Chas. I. (3059). Indenture between Sir Kenelm Digby and William Newton.

200. He succeeded his father as Earl of Carnwath in 1639.

201. Patent Roll, 12 Chas. I. (2740).

202. The means taken to enforce a uniform design may be gathered from the fact that the purchaser of certain plots to the west of Nos. 55–56 was required to build three houses “to front and range towards Queenes Streete ... in the same uniformity, forme and beauty as the other houses already ... erected by the said William Newton in Queenes Streete are of.”

203. The evidence for this statement is gathered from the undermentioned illustrations:

No. 51. Sir Robert Strange’s House (Parton’s Hospital and Parish of St. Giles, p. 250), 3 bays, 4 pilasters. Western portion of third plot 41 feet wide.

Nos. 55–6, 57–8. Bristol House (Ibid.). Double façade each 44 feet wide, 5 bays, 6 pilasters. Fifth plot 88 feet wide.

Nos. 55–6, 57–8. J. Nash, 1840. (The Growth of the English House, J. Alfred Gotch.)

Original Freemasons’ Tavern. Engraving by Joseph Bottomley, 1783. 5 bays, 6 pilasters. Seventh plot 44 feet wide.

Queen Street Chapel (Parton, op. cit. p. 250). Western portion of tenth plot 59 feet 6 inches wide.

No. 70. (Photograph taken by the London County Council in 1903.) Refronted on old lines, 4 bays, 5 pilasters on plot 35 feet wide.

204. Survey of London, Vol. III. (St. Giles-in-the-Fields, Part I.), p. 97.

205. II., p. 174.

206. See p. 86.

207. See full quotation on p. 45 footnote.

208. Harl. MS., 5,900, 57b.

209. The reason why Lindsey House is now not in the middle of the west side of the Fields is that in the original design the west row extended from Gate Street to No. 2, Portsmouth Street. The building of the houses on the north and south sides of the Fields, not included in the original design, encroached on both sides of the west row, but the encroachment on the north being the greater, the axis of the square was thereby moved further south.

210. British Museum. J. W. Archer Collection. “The house called Queen Anne’s Wardrobe,” drawn 1846 (No. 55–6, Great Queen Street) and “House of the Sardinia Ambassador,” drawn 1858 (No. 54, Lincoln’s Inn Fields).

211. “The expert surveyour will repart the windows to the front of a palace, that they may (besides the affording of sufficient light to the rooms) leave a solid peeres between them, and to place some pleasing ornament thereon, not prejudicial to the structure, nor too chargeable for the builder, shunning incongruities, as many (pretending knowledge in ornaments) have committed, by placing between windows pilasters, through whose bodies lions are represented to creep; as those in Queen Street without any necessity, or ground for the placing lions so ill, which are commonly represented but as supporters, either of weight, or of arms on herauldry.” (Counsel and Advice to All Builders, pp. 13–14.)

212. See p. 38.

213. Anecdotes of Painting, II., p. 60.

214. Survey of London, Vol. III. (St. Giles-in-the-Fields, Part I.), Plate 6.

215. It was assessed for the hearth tax at 40 hearths, while Conway House, although of the same frontage, was only assessed at 31.

216. The frontage of this house is stated in certain deeds in the London County Council’s possession (e.g., Indenture of 26th October, 1639, between Wm. Newton and Compton, Dive and Brewer) to be 98 feet, but in others (e.g., Release by Wm. Newton senr., to Wm. Newton, junr., dated 22nd January, 1637–8) is given as 88 feet. That the latter is correct may be regarded as certain from the perfect accord of the total number of feet thus obtained with the present boundaries.

217. The deeds from which these particulars are taken are (1) Close Roll, 15 Chas. I. (3196)—Indenture between Wm. Newton and Sir Ralph Freeman; and (2) a deed in the possession of the Council—Indenture between Newton and Sir Henry Compton, etc. The former deed, in error, reverses the eastern and western boundaries.

218. A release by deed poll from Wm. Newton the elder to Wm. Newton the younger, in the possession of the London County Council.

219. Close Roll, 5 Geo. I. (5117)—Indenture dated 16th May, 4 Geo. I., between Sir John Webb and Thos. Stonor, and Sir Godfrey Kneller, etc.

220. Mr. Stonor inhabited the western half of the original house, now forming Nos. 55 and 56; Mr. Browne was in occupation of the eastern half, afterwards Nos. 57 and 58.

221. Middlesex Registry Memorials, 1832, V., 93.

222. See p. 53.

223. Survey of London, Vol. III. (St. Giles-in-the-Fields. Part I.), Plate 66.

224. In possession of the London County Council.

225. Close Roll, 15 Charles I. (3196). Indenture between Wm. Newton and Sir Ralph Freeman.

226. Marginal note in his private journal (Memoirs and letters of Marquis of Clanricarde, ed. by K. De Burgh, p. 68).

227. Deed in possession of the London County Council.

228. Memoirs and Letters of the Marquis of Clanricarde, p. xiv.

229. Hist. MSS. Comm.; MSS. of the Earl of Egmont, I., p. 223.

230. Constitutional History of England (ed. 1854) III., 389n.

231. Somerset House Wills, Nabbs, 117.

232. She was Catherine, daughter of Francis Russell, Earl of Bedford; her husband, Robert Greville, second Baron Brooke, distinguished himself as a general of the parliamentary forces in the Civil War, and was killed at Lichfield in 1643. Fulke Greville, who was not born until after his father’s death, eventually succeeded to the title, and died in 1710.

233. Close Roll, 1654 (3814).

234. Sir William Constable was afterwards possibly an occupant of the house, for on 24th May, 1647, he wrote to the old Lord Fairfax from “Queen Street.” (Hist. MSS. Comm.; Morrison MSS., Report IX., Part II., App. p. 439.) Constable had married in 1608, Dorothy, daughter of Thomas, first Lord Fairfax. He contrived with difficulty to raise a regiment of foot in the Civil War, and greatly distinguished himself in the field. He was afterwards one of the king’s judges and signed the warrant for his execution. He died in 1655.

235. C. R. Markham’s The Great Lord Fairfax, p. 191.

236. Ibid., p. 254.

237. Ibid., p. 274. The old lord had recently married again. He announced the fact to his brother in a letter dated “Queen Street, October 20th, 1646.”

238. Hist. MSS. Comm., Pembroke College MSS., Report V., App. p. 487.

239. He was still in the parish (possibly in this house) in 1658, for Parton quotes (Hospital and Parish of St. Giles, p. 356) an entry in the churchwardens’ accounts for that year: “Pd. and expended at the sessions, about Sir William Paston’s complaynt, of his being double rated.”

240. Close Roll, 15 Chas. II. (4143)—Indenture between the Hon. John Digby and Sir Anthony Morgan and Richard Langhorne.

241. Described in Survey of London, Vol. IV. (Chelsea, Part II.), pp. 18–27.

242. Some time between 1666 and 1675 he removed to No. 51, Lincoln’s Inn Fields (Survey of London, Vol. III., p. 71).

243. See also North’s account: “The great House in Queen Street was taken for the use of this Commission. Mr. Henry Slingsby sometime Master of the Mint, was the Secretary; and they had a formal Board with Green Cloth and standishes, clerks’ good store, a tall Porter and staff and sitting attendance below, and a huge Luminary at the Door. And, in Winter Time, when the Board met, as was two or three times a week, or oftener, all the Rooms were lighted, Coaches at the Door, and great passing in and out, as if a Council of State in good earnest had been sitting. All cases, Complaints and Deliberations of Trade were referred to this Commission, and they reported their opinion, whereupon the King in Council ordered as of course. So that they had the Province of a Committee of Council; and the whole Privy Council was less charge to the King than this.” (Examen, p. 461.)

244. The Council of Trade was established on 7th November, 1660, and by patent dated 1st December in the same year Charles II. also created the Council of Foreign Plantations. (Haydn’s Book of Dignities, 1894, p. 263.)

245. Slingsby writes on behalf of the Council for Foreign Plantations from Queen Street, on 27th April, 1671. (Calendar of State Papers, Domestic, 1671, p. 204.)

246. In October, 1672, the Council of Plantations was united to that of Trade (Evelyn, Diary, 13th October, 1672), and the united Council seems thenceforth to have utilised a portion of “Villiers House,” the house of the Duchess of Cleveland. (Audit Office, Declared Accounts, Trade, etc., 2303 (2)).

247. See schedules of deeds appended to Indentures between Thos. Stonor, etc., and Sir Godfrey Kneller, dated 11th and 12th March, 1717–8 (Close Roll, 5 Geo. I. (5117)).

248. Chancery Warrants (Series II.), Signet Office, 16th April, 1669 (21 Chas. II., 2386).

249. Indenture of 24th June, 1674, between Sir Chas. Harboard and John Hanson, by direction of the Earl of Devonshire, and the Earl of Sunderland, recited in Indenture of 12th March, 1717–8, between Thos. Stonor, etc. and Sir Godfrey Kneller (Close Roll, 5 Geo. I. (5117)). Sunderland’s purchase of the Earl of Bristol’s interest in the freehold was not effected until February, 1683–4 (Deed in possession of the London County Council) just before his sale of the premises.

250. The fact that the 1675 Hearth Tax Roll shows the Earl of Devonshire at the house is not conclusive against this, as it is probable, from other considerations, that this particular roll, though bearing the date 1675, represents the state of affairs in 1674.

251. Dictionary of National Biography.

252. Dictionary of National Biography.

253. Freehold and 99 years’ lease in April, subsidiary lease in June.

254. Second son of Thomas, first Lord Fauconberg, a prominent royalist. Died in 1689.

255. Will of Lord Belasyse, quoted in Indenture of 12th March, 1717–8, between Thos. Stonor, etc., and Sir Godfrey Kneller (Close Roll, 5 Geo. I. (5117)).

256. Indenture of 12th March, 1717–8, between Thos. Stonor, etc., and Sir Godfrey Kneller (Close Roll, 5 Geo. I. (5117)).

257. The sewer ratebook for 1703 (representing probably the state of things in the previous year) shows “Thomas Stonor, Esq.” still in occupation; that for 1709 (the next issue) gives “Sir Godfrey Kneller.” The Dictionary of National Biography says he purchased the house in 1703, but this is obviously an error. (See above).

258. Somerset House Wills, Richmond, 161.

259. The statement seems to have originated with Horace Walpole (Anecdotes of Painting, Wornum ed. (1888), II., pp. 209–210).

260. Munk’s Roll of the Royal College of Physicians, I., p. 456.

261. London Past and Present, III., p. 137.

262. See p. 76.

263. A deed of 27th November, 1745, shows “Lady Goodyear” and Mr. Charles Leviez then in occupation. (Midd. Registry Memorials, 1745, III., No. 156).

264. Sir Godfrey Kneller left his Great Queen Street property to his wife for her lifetime, with reversion to his godson, Godfrey Kneller Huckle, “provided the surname of Kneller be adopted.” Godfrey Kneller, the younger, died in 1781, and his son, John Kneller, in 1814.

265. Bryan’s Dictionary of Artists; Walpole’s Anecdotes, p. 702.

266. The Dictionary of National Biography is in error in stating that he added this house to the other.

267. Redgrave’s Dictionary of Painters and Engravers.

268. Leask’s James Boswell, p. 125.

269. Nichol’s Illustrations of Literature, VII., pp. 308–9.

270. Details of Boswell’s residence there are given in the Council’s publication, Indication of Houses of Historical Interest, I., pp. 79–84.

271. III., p. 137.

272. Holden’s Triennial Directory for 1802–4.

273. Reproduced here.

274. See p. 47.

275. “All that messuage ... lately divided into two shops or dwelling houses.” Indenture, dated 7th October, 1813, between Sophia Kneller and G. J. Kneller and Thos. Crook. (Middlesex Registry Memorials, 1813, IX., 129.) The ratebook for 1812 shows the house in single occupation.

276. Close Roll, 17 Chas. I. (3275)—Indenture between Edward, Lord Viscount Conway, Edw. Burghe, and William Newton and Elizabeth, Countess Rivers.

277. Release and quit claim by Wm. Newton, jnr., in possession of the London County Council.

278. The house was still standing on 12th February, 1738–9 (see indenture of that date between Philip Carter and Jas. Mallors, Middlesex Registry Memorials, 1739, I., 450–1), but by 22nd May in that year it had been demolished, the two houses fronting Great Queen Street were then in course of erection, and others were intended to be built. The parish ratebook for 1739 shows the house as “Empty”; that for 1740 gives: “Empty. 12 houses made out of one.”

279. That the archway was exactly in the centre may be proved by the fact that when the two houses were sold to Jas. Mallors in the year 1742, they were each described as 22 feet in width, including half of the passage into Queen’s Court (Middlesex Registry Memorials, 1741, IV., 424 and 1742, I., 435).

280. Between Thomas Wither and Thomas Raye (Common Pleas Recovery Roll, 26 Chas. II., Trinity, Rot. 4).

281. Feet of Fines, Middlesex, 13 Chas. I., Trinity.

282. (27th January, 1650–1.) “Col. Berkstead to take care for the pulling down of the gilt image of the late Queen, and also of the King, the one in Queen Street, and the other at the upper end of the same street, towards Holborn, and the said images are to be broken in pieces.” (Calendar of State Papers, Domestic, 1651, p. 25.)

283. Recovery Roll (Common Pleas), 17 Chas. I., Hilary, 236.—Indenture between William Newton, Philip Willoughby and Edward Mabb and Edward Burghe.

284. Afterwards Middle Yard.

285. See p. 82.

286. See Indenture of 18th May, 16 Geo. II., between Lord Conway and Francis Paddy (Middlesex Registry Memorials, 1743, I., 334–5).

287. Henry Sadler, Some memorials of the Globe Lodge No. 23 of the Ancient Free and Accepted Masons of England, p. 11.

288. Documents and drawings preserved in the Soane Museum.

289. Photographs of various modern features, although not coming properly within the scope of this volume, have been inserted for the purpose of showing the historic continuity of the buildings on the site of the old Hall.

290. The premises had been purchased in 1880. (Middlesex Registry Memorials, 1880, 962).

291. Indenture of 5th March, 1718–9, between Lord Montagu, etc. (1), William Juxon and Jas. St. Amond (2), and Sir Godfrey Kneller and Ed. Byng (3), in the possession of the London County Council.

292. G. E. C[ockayne’s] Peerage.

293. The sewer ratebook for this year shows “Henry Browne” in occupation of the house, but that for 1700 has the entry “— Webb, Esq.,” referring to the owner.

294. The sewer ratebook for this year shows “Henry, Lord Montague” in occupation.

295. Burke’s Extinct Peerage.

296. For other houses used for the purpose of the Portuguese Embassy in St. Giles-in-the-Fields, see p. 97, and Survey of London, Vol. III., pp. 13, 82.

297. Somerset House Wills, Richmond, 161.

298. The house is referred to later on as “all that messuage, etc., formerly called by the name of the Great Wardrobe” (Middlesex Registry Memorials, 1811, VI., 104). It will be noticed that the title “Queen Anne’s Wardrobe” given to the western half of Bristol House in 1846 (Plate 16) is doubly incorrect. In the first place it is assigned to the wrong half of Bristol House, and secondly the dates show that it could not possibly have had any connection with Queen Anne.

299. See copy of deed, dated 11th March, 1708–9, for the appointment of Dummer as deputy. (Treasury Papers, Cal. 1708–14, CXIII., No. 12.)

300. Shortly before 4th February, 1774, Sheridan took a house in Orchard Street (Sanders’ Life of Sheridan, p. 23).

301. His name in the ratebooks is given as “Richard Sheridan” only, but a deed of 1811, giving the names of occupants of the house mentions him by his full name: “formerly in occupation of Benjamin Wilson, painter, afterwards of John Henderson, sometime since in the possession of Richard Brinsley Sheridan, and now of Ann Boak, milliner.” (Indenture of 20th June, 1811, between Jno. Kneller, Peter Tahairdin, and Thos. Grove—Middlesex Registry Memorials, 1811, VI., 104.)

302. Moore’s Memoirs of Sheridan, p. 213.

303. F. M. Parsons’ Garrick and His Circle, p. 369. As an example of how false history comes to be written, it is interesting to note that Mrs. Parsons describes the house as “an Inigo Jones house, in which five men known to fame: Hudson, the painter; scritch-scratch Worlidge, the etcher; Hoole, Tasso’s translator, whom Johnson loved; now Sheridan; and after him, Chippendale, the cabinet maker, successively lived.” None of the other individuals mentioned lived in the house occupied by Sheridan.

304. See p. 59.

305. Stafford’s Letters (Ed. Wm. Knowler, 1739), II., p. 165

306. Calendar State Papers, Domestic, 1638–9, p. 113.

307. Close Roll, 17 Charles I. (3275). Indenture between Lord Conway, Edw. Burghe and Wm. Newton and Elizabeth, Countess Rivers.

308. Historical MSS. Commission, House of Lords Calendar, Appendix to VI. Report, p. 109b.

309. G. E. C[ockayne’s] Peerage. The Dictionary of National Biography states that he was born in 1628, and was the son of John Savage, a colonel in the royal army.

310. Historical MSS. Commission, Frere MSS., Appendix to 7th Report, p. 531a.

311. Elizabeth Scroope, married to the Earl in 1647.

312. “Lord Rivers denies entrance to survey and payment,” and “Earle Rivers refuseth to pay.”

313. Historical MSS. Commission, Frere MSS., Appendix to 7th Report, p. 531a.

314. At first a Roman Catholic, the Earl subsequently joined the English Communion.

315. Mary, the second wife of the second Earl, at this time Countess Dowager Rivers, by her will, proved 25th January, 1657–8 (in which she is described as “of St. Giles”) left £400 to Sir Francis Petre (Somerset House Wills, Wootton, 5).

316. Covent Garden.

317. Was this the third Earl’s sister of that name, youngest daughter but one of the second Earl by his first wife?

318. Calendar of State Papers, Domestic, 1673–5, p. 37.

319. Ibid., p. 174.

320. Dictionary of National Biography.

321. Arabella, died s.p. 21st March, 1717. (G. E. C[ockayne’s] Peerage.)

322. He married, in 1679, Penelope, daughter of John Downes; and in 1688 Mrs. Margaret Tryon. (Ibid.)

323. Somerset House Wills, Barnes, 209.

324. Daughter of Sir Peter Colleton, and one of the Earl’s numerous mistresses.

325. Sewer ratebook for 1720: “Lord North and Grey.”

326. On 29th September, 1722, the Duchess of Rutland wrote to Lady Gower: “The two lords went there [to the Tower] last night, Orrery and North and Gray, through their own want of consideration and indiscretion, ’twas said.” (Hist. MSS. Commission, MSS. of Duke of Sutherland, Report V., p. 191.)

327. G. E. C[ockayne’s] Peerage.

328. His country residence was St. Osyth’s Priory, Essex.

329. She died on 23rd June, 1746. (Gentleman’s Magazine, 1746, p. 328.)

330. Indenture of 12th February, 1738–9, between “Philip Carter of Tunstal, Suffolk, clerk, and Bessy, his wife (widow of Frederick late Earl of Rochford, deceased, and now commonly called Countess Dowager of Rochford), William Henry, Earl of Rochford, eldest son and heir of the said Frederick by the said Bessy, and Sir John Colleton, of Exmouth, Bt., brother and heir at law of Elizabeth Colleton alias Johnson, deceased, and James Mallors”; purporting to be a lease “for a year to vest the possession of and concerning all that capital messuage or mansion house situate on the south side of Great Queen Street where the said Frederick did lately dwell, which said messuage or mansion house was heretofore the house of Richard, Earl Rivers, and then called or known by the name of Rivers House.” (Middlesex Registry Memorials, 1739, I., 450–1.)

331. Lincoln’s Inn Fields, p. 174.

332. FitzGerald, Life of Mrs. Catherine Clive, p. 84.

333. Boswell, Life of Johnson, Vol. IV., pp. 7, 243.

334. See p. 60.

335. “March 31, 1638–9.... Direct your letter to be left with Lord Conway’s maid in Queen Street, so it will come more speedily to me, since I am very often with the Lord Admiral [Earl of Northumberland], whose house is next to Lord Conway’s, as I think you know” (Calendar State Papers, Domestic, 1638–9, p. 630).

336. See p. 86.

337. Clarendon’s History of the Great Rebellion, Book III., par. 228.

338. Letters from Thos. Smith to Sir John Pennington (Calendar of State Papers, Domestic, for 1638–9, pp. 92, 103, 113, 130).

339. Order of the Committee of the Council of War (Ibid., p. 166.)

340. March 5th, 1638–9. Instructions from the Lord Admiral to Capt. John Mennes of the Victory (Ibid., p. 537).

341. Letter, headed “Queen Street,” from Northumberland to the deputy lieutenants of Nottinghamshire (Hist. MSS. Commission, Reports on MSS. in Various Collections, VII., 295).

342. Recovery Roll (Common Pleas), 17 Chas. I., Hilary (236).

343. After her husband’s death she fell under the displeasure of Parliament, and “endured a long imprisonment ... and had ... been put to death if she had not made her escape to Oxford.” (Clarendon’s History of the Great Rebellion, Book XI., par. 222.) She afterwards (in 1648) married Sir James Livingstone, who became Earl of Newburgh.

344. Close Roll, 17 Chas. I. (3275)—Indenture between Lord Conway, etc., and Countess Rivers.

345. John Lucas, etc., “say they carried divers pictures, with frames, others without frames, and some rayles into Mr. Withers House [it will be remembered that Anthony Withers had purchased the house from Newton in 1637–8] in Queen’s Street, now in the possession of Col. Popham, the which goods above said these examiners say are the proper goods of Mr. Withers” (Interregnum Papers, A., 98). Withers was reported as a delinquent in October, 1645 (Domestic Interregnum Committee for Advance of Money (Order Book), A., 4 (295)), and was sequestrated in January, 1646 (Interregnum Papers A., 98 (13)).

346. Interregnum Papers G., 17 (704).

347. A deed relating to the house, dated 20th May, 1674, refers to it as being “now or late in the tenure ... of the Right Hon. Francis, Lord Viscount Mountague” (Common Pleas Recovery Roll, 26 Chas. II., Trinity, vol. 4 (366)).

348. G. E. C[ockayne’s] Peerage.

349. She was Elizabeth, daughter of Edward, first Marquess of Worcester. She died in 1684.

350. Sewer ratebook for 1683.

351. Indenture, 9th May, 1764, between Packington Tomkins (1), the Hon. Geo. Lane Parker (2) and Philip Carteret Webb (3) (Middlesex Registry Memorials, 1764, II., 491); indenture 16th November, 1774, between the Rev. Jas. Hallifax, etc., and Trustees for the Freemasons (Ibid., 1775, II., 122).

352. Historical MSS. Commission, Earl of Denbigh’s MSS. Appendix to 8th Report, Part I., p. 556b.

353. Feet of Fines (Middlesex), 1 Anne, Hilary.

354. His country residence was Woodberry Hall, Cambridge.

355. Somerset House Wills, Bedford, 210–211.

356. Mary, his eldest daughter, married (with a dower of £30,000) George, Viscount Parker, who in 1732 succeeded his father as (second) Earl of Macclesfield.

357. Afterwards married William Cartwright, of Aynho, Northampton.

358. See her will, dated 22nd June, 1753 (Somerset House Wills, Pinfold, 80).

359. Indenture of 9th May, 1764 (Middlesex Registry Memorials, 1764, II., 491).

360. See his will dated 7th February, 1770 (Somerset House Wills, Jenner, 417).

361. Indenture between the Rev. Jas. Hallifax, Ric. Blyke, Edw. Beavor of Farnham and Rhoda, his wife (lately Rhoda Webb, widow of Philip Carteret Webb, late of Busbridge, Surrey, deceased) and the Rt. Hon. Robert Edward Lord Petre, Henry Duke of Beaufort, Henry Duke of Chandos, Washington Earl Ferrers, Viscount Tamworth and Rowland Holt (Middlesex Registry Memorials, 1775, II., 122).

362. Foxcroft’s Life of Gilbert Burnet, p. 144.

363. Survey of London, Vol. III., p. 75.

364. Macaulay, History of England, II., p. 180.

365. Ibid., II., p. 460.

366. Foxcroft’s Life of Gilbert Burnet, I., p. lvii.

367. Foxcroft’s Life of Gilbert Burnet, I., p. lix.

368. Beaven’s Aldermen of the City of London, II., pp. 109, 186.

369. Lipscombe’s History of Buckinghamshire, II., p. 222.

370. G. E. C[ockayne’s] Peerage.

371. See p. 56.

372. See p. 74.

373. Campbell’s Lives of the Lord Chancellors, IV., p. 560.

374. Wheatley and Cunningham (London Past and Present, III., p. 137), mentioning his residence, which they wrongly identify with Nos. 55–56, say: “Here on October 18, 1740, the young Joshua Reynolds came to him as a house pupil and remained under his roof till July, 1743.” Leslie, in his Life of Sir Joshua Reynolds, also states that this occurred at Hudson’s house in Great Queen Street. The ratebooks, however, show quite clearly that in 1740–42, “Vanblew,” was in occupation, and that from 1743 to 1745 the house was empty. The first year in which Hudson is shown as the occupier is 1746. Reynolds’ residence with Hudson, therefore, must have terminated before the latter had moved to the house in Great Queen Street.

375. The entry “Geo. Hudson” in the issue of the ratebook for this year is probably a mistake.

376. The Dictionary of National Biography states that Worlidge settled in Great Queen Street in 1763, and the fact that Hudson’s name appears in the 1764 ratebook is not conclusive against this. On the other hand, a deed dated 9th May, 1764, mentions the house as being then in the occupation of Hudson (Middlesex Registry Memorials, 1764, II., 491).

377. The parish ratebook for 1764 shows Hudson still in occupation of the house, but he had apparently built his house at Twickenham before this. “In 1762 Reynolds dined one Saturday with his old master, Hudson, at ‘Twitenham,’ where he had built a house in the meadows” (Leslie’s Life of Sir Joshua Reynolds, I., p. 213).

378. A deed of 16th November, 1774, refers to the house as “formerly in the tenure of Mr. Hudson, painter, and late in that of Mr. Worlidge” (Middlesex Registry Memorials, 1775, II., 122).

379. Dictionary of National Biography.

380. Memoirs of Mrs. Robinson, ed. by M. E. Robinson, I., pp. 74–5.

381. Memoirs of Mrs. Robinson, I., p. 94.

382. See p. 60.

383. Calendar State Papers, Domestic, 1638–9, p. 630.

384. G. E. C[ockayne’s] Peerage.

385. Letter, dated 16th May, 1631, from Thomas Case ... to Edward, Viscount Conway, etc., “at his house in Drury Lane” (Calendar State Papers, Domestic, 1631–3, p. 45).

386. Recovery Roll, Common Pleas, 21 Chas. I., Mich., rot. x (251).

387. G. E. C[ockayne’s] Peerage.

388. Possibly Lord Wharton was the actual occupant of the house at the time.

389. Historical MSS. Commission, Duke of Portland’s MSS., Vol. III., p. 291.

390. Calendar State Papers, Domestic, Addenda, 1660–70, p. 701.

391. Ibid., pp. 712–3.

392. Calendar State Papers, Domestic, 1667, p. 535.

393. Ibid., 1667–8, p. 259.

394. Ibid., 1668–9, p. 223.

395. Roger Boyle, Baron Broghill and 1st Earl of Orrery (1621–1679) rendered great service to the Parliamentarians in Ireland, but afterwards realising that Richard Cromwell’s cause was hopeless, he combined with Sir Charles Coote to secure Ireland for Charles II. He was also a dramatist of some repute.

396. Calendar State Papers, Domestic, 1668–9, p. 502.

397. Ibid., 1668–9, p. 567.

398. Ibid., 1670, p. 111.

399. A less known contemporary account is the following: “Wednesday night last ... some mischievous persons to dishonour my Lord Chancellour crept through a window of his house in Queen Street and stole the mace and the two purses, but by good chance could not find the seal. There was upon the table a great silver standish, and a thousand guineyes in a cabinet, as they report, but nothing of them touched, the design being upon another score than bare robbery” (Letter, dated 8th February, 1676–7, from Edward Smith to Lord Rous, Historical MSS. Commission, Rutland MSS., XII. Report, App. V., p. 37).

The entry in the Middlesex Sessions Records concerning the event is as follows: “7 February, 29 Charles II.—True Bill that, at St. Giles-in-the-Fields, Co. Midd., in the night between 2 a.m. and 3 a.m. of the said day, Thomas Sadler alias Clarke, William Johnson alias Trueman and Thomas Reneger, all three late of the said parish, laborers, broke burglariously into the dwelling house of Heneage Lord Finch the Lord Chancellor of the said Lord the King and then and there stole and carried off a silver mace gilt gold worth one hundred pounds and two velvet purses imbroydered with gold and silver and sett with pearles, worth forty pounds, of the goods and chattels of the said Lord the King. Found ‘Guilty,’ all three burglars were sentenced to be ‘hanged.’” (Middlesex Sessions Records, IV., p. 75).

400. Dictionary of National Biography.

401. Roger North’s Autobiography, p. 165.

402. “After we came to London, we were to wait on the Lord Jeffreys, who had the Seal, to congratulate and offer him all the service we could do, and to receive his commands touching the house in Queen Street where the Lord Keeper lived, and it was so proceeded that he took the house” (Roger North’s Autobiography, p. 195).

403. H. B. Irving’s Judge Jeffreys, p. 332.

404. 7 and 8 Will. III., cap. 27 (sessional number, 53).

405. Then resident next door, see pp. 73–4. She was Ursula, widow of Edward Conway, first Earl of Conway.

406. See e.g., Indenture of lease, dated 18th November, 1743, between Francis Paddey and Jas. Mallors (Middlesex Registry Memorials, 1743, III., 453).

407. The vestry minutes for 1712 also refer to the house under this title: “That a proper place for the site of a new parish church, and a house for a minister, would be at the great house in Great Queen Street, commonly called by the name of the Land Bank” (Parton’s Hospital and Parish of St. Giles-in-the-Fields, p. 291).

408. He wrote several medical books, as well as a Narrative of the Birth of the Prince of Wales. He had been summoned to attend the confinement of James II.’s queen, but was away from London and arrived too late.

409. Subscriptions were to be paid at Mercers’ Hall and Exeter Change (London Gazette, May 28th–June 1st, 1696), and Dr. Chamberlain’s office was, at any rate, at first in New Buildings, Lincoln’s Inn (Ibid., June 20th–23rd, 1696).

410. “The trustees of the Land Bank, late at Exeter Change (now removed to the Three Anchors, over against Salisbury Court in Fleet Street) do give notice, that on the 11th day of February next they will make a dividend to such persons as are Heads of classes to whom transfers are made” (The Post Boy, January 25th–27th, 1697–8).

411. Reproduced here.

412. See pp. 60–61, 63.

413. Survey of London, Vol. III., p. 98.

414. Confirmation of his residence in Great Queen Street about 1794 is found by the mention of “Thos. Leverton of Great Queen Street” in a deed of 29th September, 1795 (Middlesex Registry Memorials, 1795, VI., 211).

415. Mrs. Piozzi’s Anecdotes of Dr. Johnson (1786), p. 173.

416. Boswell’s Life of Johnson, 5th April, 1775.

417. Obituary notice in Gentleman’s Magazine, 88, part ii., 179.

418. Reproduced here.

419. Indenture of 19th July, 1798 (Middlesex Registry Memorials, 1798, III., 185), referring to the sites of Nos. 67 and 68, recites the lease so far as it concerns those sites. The recital also refers to other ground dealt with by the lease, and this was almost certainly the site of No. 66, which it is known was also a Mills house, the eastern boundary of Conway House being described as “the messuage of Peter Mills, bricklayer, now in the tenure of the Countess of Essex.” (Recovery Roll (Common Pleas), 17 Chas. I., Hilary (236).)

420. Peter Mills died in 1670, then being resident in Little St. Bartholomew’s. (Somerset House Wills, Penn, 147.)

421. There is a clause referring to “such messuages and buildings as then were or afterwards should be erected thereon,” which is quite indefinite, but if there had been any houses the names of the occupiers would almost certainly have been given. The Finalis Concordia relating to the transaction does not mention houses, but only half a rood of pasture.

422. Parton’s Hospital and Parish of St. Giles-in-the-Fields, p. 290.

423. The occupier of No. 68 seems to have persisted later than 1709 (see below). Moreover, the assessable value of No. 67 drops from £40 in 1703 to £25 in 1715 (the next record), a fact which seems to point to the curtailment of the property due to the erection of the chapel.

424. Baguley’s The True State of the Case.

425. On 3rd September, 1728, Thos. Burges sold to Thos. Parnell and Wm. Page certain houses (one of which was certainly No. 68), and “all that building or chappell, together with all and singular the pews, seats, gallereyes and other rights and privileges thereunto belonging.” (Middlesex Registry Memorials, 1728, I., 251).

426. A Sermon preached at Queen Street Chapel and St. Paul’s, Covent Garden, on ... the day appointed for a general fast.

427. He was certainly in possession on 19th June, 1758, for on that date he mortgaged the whole of the property to William Ferrand (Middlesex Registry Memorials, 1758, III., 4).

428. Middlesex Registry Memorials, 1798, III., 185.

429. Blemundsbury, p. 397.

430. Middlesex Registry Memorials, 1815, III., 227.

431. “The new Methodist Chapel erected on the south side of Great Queen Street, Lincoln’s Inn Fields, was opened yesterday morning. It is a spacious, handsome building, and will accommodate a larger congregation than most of our churches. It has a range of two galleries on each side. The altar is an appropriate and beautiful piece of architecture.” (Morning Herald, 26th September, 1817).

432. Heckethorn’s Lincoln’s Inn Fields, p. 183.

433. See p. 61.

434. G. E. C[ockayne’s] Peerage.

435. A much mutilated Hearth Tax Roll, dating apparently from some time between 1666 and 1672, shows “Geo. Porter, Esq.,” residing on the south side of Great Queen Street, but it cannot be proved that the entry refers to the same house.

436. Dictionary of National Biography.

437. Survey of London, Vol. IV., p. 81.

438. Burke’s Extinct Peerage. Knighted, 7th August, 1624 (Shaw’s Knights of England, II., p. 186).

439. Peerage of England, 1710 (2nd edn.), p. 232.

440. See Survey of London, III., p. 53.

441. Probably the “Ashburnham Froude” who is shown in joint occupation with Burges of No. 68 in 1723 (see p. 92).

442. Francis Const (1751–1839), legal writer. “Wrote some epilogues and prologues, and numbered among his convivial companions Henderson, John Kemble, Stephen Storace, Twiss, Porson, Dr. Burney and Sheridan.” (Dic. Nat. Biog.).

443. “Yesterday was married by the Rev. Mr. Francklin at his chapel near Russel Street, Bloomsbury, David Garrick, Esq., to Eva Maria Violetti.” (General Advertiser, 23rd June, 1749). Fitzgerald (Life of David Garrick, p. 126) wrongly says: “at the church in Russell Street, Bloomsbury.” The statement of Mrs. Parsons (Garrick and his Circle, p. 143) that it was “at Dr. Francklin’s Chapel in Queen Street (the modern Museum Street)” is based on unknown, but possibly quite good, evidence.

444. Dictionary of National Biography.

445. The Dictionary of National Biography states that her death also took place in Great Queen Street. It is difficult to reconcile this with the fact that the parish ratebook for 1795 shows that Francis Const took up his residence in the house in the course of that year. She was, however, certainly resident there on 4 June, 1795, the date of her will.

446. Burke’s Commoners of Great Britain and Ireland, III., p. 402.

447. Historical MSS. Commission, MSS. of Duke of Rutland, IV., p. 545.

448. “The style of Lord Ros of Roos continued to be still used (wrongfully) by the Earls of Rutland, as, indeed, it was until a much later period, and the well-known divorce of John Manners ... was granted to him ... under the designation of Lord Roos, to which he was not entitled.” (G. E. C[ockayne’s] Peerage.)

449. On the death of the sixth Earl of Rutland, the Barony of Ros of Hamlake expired, and the old Barony of Ros devolved upon his daughter, Katherine, who married George Villiers, first Duke of Buckingham. She died in or before 1663, and was succeeded in the title (of Ros) by her son George Villiers, second Duke of Buckingham (Burke’s Peerage and G. E. C[ockayne’s] Peerage).

450. After his death she married Sir William Langhorn, Bt.

451. Historical MSS. Commission, MSS. of Duke of Rutland, Vol. IV.

452. Ibid., II., p. 19.

453. The latter is probably for the whole of this period in respect of the Chapel. In 1733 a separate entry is made for Burges and the Chapel.

454. Reproduced here.

455. See p. 42.

456. The licence was granted in 1630 (see p. 43).

457. This ran parallel to Great Queen Street, 197 feet distant therefrom.

458. The above particulars are taken from Recovery Roll, 9 Chas. I. (Easter) (201). Rot. 23.

459. Indenture dated 9th August, 1633, between Geo. Gage and the Lady Alice Dudley (Close Roll, 10 Chas. I. (2652)).

460. Then (under the indenture of 9th August, 1633, mentioned above) charged with a rent of £150 a year, during the life of Lady Dudley (Chancery Proceedings, Series II., 409–73).

461. See Chancery Proceedings, Bridges, 562–24. Suit of Sir Edw. Stradling.

462. Such was the statement made by Weld in answer to the claim advanced by Sir Edward Stradling, junr., grandson of the other Sir Edward, who, however, suggested that the transaction was a mortgage containing a proviso for redemption for £416. (Chancery Proceedings, Bridges, 562–24).

463. Parton (Hospital and Parish of St. Giles-in-the-Fields, p. 138) mentions a tablet at one end of Wild Street, with an inscription suggesting that the east side of the street was finished in 1653. This fits in quite well with the above-mentioned facts.

464. It is mentioned as “the way ... leading on the back side of Drury Lane from Princes Streete to Queene Streete” in Indenture of 13th August, 1629, between Richard Holford and Sir Edw. Stradling (Close Roll, 5 Chas. I. (2800)).

465. The date of the lease to Ittery (see p. 93).

466. Weld’s own name, though usually spelt with an “e” is also found in the forms: Wild, Wield, Weild.

467. Indenture between Richard Holford and Edward Stratton (Close Roll, 1658 (3984)).

468. Weld having been ordered to build a wall to prevent back avenues to his chapel, at his house, was in 1679 accused of having evaded the order by leaving a door in the wall, “whereby there will be as free access to the chapel as before.” (Historical MSS. Commission, House of Lords MSS. App. to 11th Report, Part II., p. 127).

469. Blemundsbury, p. 384.

470. The lease was not held directly by the ambassadors; see particulars of a mortgage of Weld House, 20 June, 1665, wherein was reserved a lease made on 10 May, 1678, by Weld of the ambassador’s house to Augustine Coronell for 10 years at a rent of £300. (Chancery Proceedings, Bridges, 438–48).

471.

Lands. Goods.
Lady Francis Weld and Mr. Humphrey Weld 2 10 0 2 0 0
Sir John Wray. 1 0 0 1 0 0

472. “John Corrance ... sheweth that ... Humphry Weld, of Weld Street, esq., ... built these several messuages, viz. ... and two other messuages scituate in Weld Street, with two coach houses, stables and hay lofts over, being at the further end of a garden in his, Humphry’s, possession, and by indenture of 17th May, 1665, demised them to John, Lord St. John, of Basing, Earle of Wilts and Marquis of Winchester, for twenty yeares, at a rent of £160; and also one other house in Weld Street, which messuage with the use of a house of office at the end of a garden of Weld’s called the Back garden, and the use of a pumpe in a stable yard thereto adjoyning in common with his other tenants by indenture of July 31st, 1671, Weld demised to Thomas Hawker, of St. Giles, gentleman, for 11¼ years at a rent of £30.” (Chancery Proceedings, Bridges, 465–184).

473. See previous note.

474. Worsley’s residence was the last house but one in Great Queen Street, and the premises held by him in Wild Street obviously backed on to his residence.

475. Hospital and Parish of St. Giles-in-the-Fields, p. 248.

476. It is impossible to make the entries in the Hearth Tax Rolls agree with all the particulars of occupations given by Parton, and copies of the deeds from which he quotes have not come to light in the course of the investigations for this volume.

477. “Finding them, however, to be too numerous, they ventured to apprehend only some few that stood outmost, and hurrying them away as fast as they could, by the time they were well within my gates, the rest made after them, attempted to break open my doors, fell upon the watchmen, broke their halberts, flung brickbats and stones up against my house, cried out: ‘This is the grand justice that hangs and quarters us all, and caused Jones and Wright to be executed the last sessions,’ divided themselves into two parties, sent one to beset the back lane behind my garden, having information given them that I sent prisoners out that way to avoid a rescue, and had not the Horse Guards opportunely fell in upon them, as they lay battering before my house, it had not been in my power to have prevented a further mischief.” (Letter from Humphrey Weld to the Earl of Craven in Calendar of State Papers, Domestic, 1671, pp. 241–2).

478. Historical MSS. Commission, Duke of Portland’s MSS., Report XIII., App. 1, 683.

479. He was certainly there in April of that year. “Letter for the French Ambassador brought by a sea captain enclosed to Humphrey Wield, at his house in Wield Street, London.” (Calendar of State Papers, Domestic, 1673, p. 166).

480. For example: (i) 10 March 1676–7. Information of William Herriot that “at Nieuport he met Captains Douglas and Ennys, who desired him to make his address to the Spanish Ambassador at London, who lived at Wild House.” (Calendar of State Papers, Domestic, 1677–8, p. 14); (ii.) 29 March, 1679. Lord Clarendon reports that “in Mr. Weld’s garden in a grotto are 27 chests of goods.... Mr. Bedloe present said they belonged to Don Pedro de Ronquillio who was present at the search and would not admit to have the letters perused.” (Historical MSS. Commission, House of Lords MSS., App. to 11th Report, Part II., pp. 126–7); (iii.) 26 April, 1681. Evelyn records his visit to “Don Pietro Ronquillio’s, the Spanish Ambassador, at Wild House”; (iv.) 9th September, 1686. “The Spanish Ambassador made a bonfire at Wild House last night and brought out wine for the mob, but the rabble overthrew the bonfires, broke the cask of wine and broke the windows, and pulled down some of the brick wall.” (Historical MSS. Commission, Duke of Portland’s MSS., III., p. 397).

481. See Petition and Appeal of Ralph Lister, MSS. of House of Lords, New Series, IV., pp. 274–5.

482. 21st December, 1693. “The Spanish Ambassador has taken a house in the Old Spring Garden, where the Duke of Norfolk lately lived, and has, in a manner, fitted up his chapel. Notice was sent to his Excellency that for some reasons a Romish chapel could not be permitted within the verge of the Court, so he is removing back to Weld House.” (Calendar of State Papers, Domestic, 1693, p. 433).

“Weld House is to be Lett, containing 33 Rooms, Garrets and Cellars, with other suitable conveniences, in Weld Street near L.I. Fields. Enquire at Weld House, or at Marybone House.” (London Gazette, Sep. 13–17, 1694).

483. Reproduced here.

484. Indenture between Isaac Foxcroft and others and Hugh Jones (in possession of the London County Council).

485. Reproduced here.

486. Close Roll, 5 Chas. I. (2800)—Indenture between Richard Holford and Sir Edward Stradling, reciting the earlier indenture.

487. See p. 93.

488. Chancery Proceedings, Bridges, 465–184. Plea of John Corrance.

489. Reproduced here.

490. Middlesex Feet of Fines, 32 Eliz., Hilary.

491. Ibid., 21 Jas. I., Easter.

492. Recited in Indenture between Matthew Francis and Symond Harborne, in the possession of the London County Council.

493. Lease by the Rt. Hon. Lord Cary to William Loringe, in the possession of the London County Council.

494. See p. 112.

495. Katherine Clifton, only daughter and heiress of Gervase, Lord Clifton of Leighton Bromswold.

496. Calendar State Papers, Domestic, 1623–5, p. 488; 1627–8, p. 10; 1628–9, p. 359; 1629–31, p. 38.

497. Ibid., 1628–9, p. 369.

498. Somerset House Wills, Harvey, 6 (Proved 15th January, 1638–9).

499. Lady Elizabeth Cust’s The Brownlows of Belton (Records of the Cust Family Series), II., p. 61.

500. This is not quite certain, but there does not seem much doubt that the entry refers to Lennox House.

501. The two portions were subsequently assessed for the Hearth Tax at 26 and 11 hearths respectively. The whole house was therefore comparable in size with Bristol House, assessed at 40 hearths.

502. The Countess of Dysart writes from “Lady Allington’s house, Drury Lane,” on 22nd August, 1667 (Calendar State Papers, Domestic, 1667, p. 409), and in November, 1668 or 1669, Lord Allington refers to his mother’s house in Drury Lane (Ibid., 1668–9, p. 55). Lady Allington was succeeded in this house by Lady Ivey (Hearth Tax Roll for 1675).

503. Somerset House Wills, Batt, 136. (Proved, with 39 codicils, 28th June, 1680).

504. Middlesex Registry Memorials, 1716, III., 24.

505. Parton states that Brownlow Street appears in the parish books in 1685.

506. Indenture of 28th April, 1722, between Gilbert Umfreville and Chas. Umfreville and Ric. Baker (Middlesex Registry Memorials, 1722, VI., 85).

507. See p. 105.

508. Grey’s St. Giles’s of the Lepers, pp. 114–5.

509. Reproduced here.

510. See p. 103.

511. Parton’s Hospital and Parish of St. Giles, p. 125.

512. The ratebooks from 1730 (earliest extant) to 1746 show “Daniel Hahn,” possibly a more correct form of the name, at this house.

513. Indenture dated 27th May, 1728, between Peter Walter and Nicholas Lovell (Middlesex Registry Memorials, 1728, VI., 15).

514. Grey’s St. Giles’s of the Lepers, p. 116.

515. Reproduced here.

516. Close Roll, 12 William III. (4863)—Indenture between (1) Mary Rawlinson, (2) Giles Powell and (3) Jeremiah Ridge.

517. See p. 109.

518. See p. 112.

519. Privy Council Register, Vol. 29, p. 424.

520. Calendar State Papers, Domestic, 1611–18, p. 551.

521. Ibid., p. 555.

522. Privy Council Register, Vol. 29, p. 484.

523. Privy Council Register, Vol. 46, p. 274.

524. It is just possible that a later reference to the spring is to be found in the petition dated 7th July, 1637, of the inhabitants of the Old Town of St. Giles, “complayning of ye stopping up of a fair large and open well in ye said towne; being of great use and comfort to ye peters who now find ye want thereof in these times of contagion, ye same being continued to bee stopped up as aforesaid, by ye now landlord Frauncis Garrett.” (Privy Council Register, Vol. 48, p. 105).

525. Parton’s Hospital and Parish of St. Giles, p. 114.

526. Close Roll, 9 Eliz. (742).

527. Close Roll, 24 Eliz. (1129)—Indenture between Jas. Briscowe, Joan his wife and John Wise and Jas. Mascall.

528. Close Roll, 11 Chas. I. (3057).—Indenture between Thos. and Olive Godman and Francis and Frances Gerard.

529. Property on the east side of Drury Lane and on the north side of Broad Street is mixed up with this, and it is not possible entirely to separate them.

530. “... abutting east on a court called Ragged Staffe Court (which court was heretofore in the possession of John Vavasour.” (Close Roll, 12 William III. (4863)—Indenture between Mary Rawlinson, etc., cited above).

531. Parton’s statement that the two were identical (Hospital and Parish of St. Giles, p. 127) is incorrect. The Hearth Tax Rolls mention both, and both are clearly shown in the map accompanying Strype’s edition of Stow (Plate 5).

532. He died in 1585 (Inquisitiones Post Mortem, Series II., Vol. 208 (173).)

533. John Vavasour’s will (Somerset House Wills, Winderbanck, 65), was proved on 18th June, 1608.

534. Close Roll, 9 Eliz., (749).

535. Middlesex Registry Memorials, 1723, V., 181–2.

536. On 16th January, 1717–8, Edward Theedham leased to Chas. Hall and Ant. Elmes The Bear Brewhouse, in St. Giles (Middlesex Registry Memorials, 1717, IV., 263).

537. Ancient tavern signs were nearly always “on the hoop,” which seems to have originated “in the highly ornamented bush or crown, which latterly was made of hoops covered with evergreens.” (Larwood and Hotton, History of Signboards, p. 504.)

538. Hospital and Parish of St. Giles, p. 237.

539. Close Roll, 31 Chas. II. (4527).

540. Sewer Rate Book for that year.

541. Parton’s Hospital and Parish of St. Giles, p. 320.

542. Close Roll, 9 Eliz. (742).

543. On 27th March, 1573, Henry Amptill and Roger Mascall, brewers, were convicted of having set at large certain suspected persons, whom William Westone, a “hedborowe” of St. Giles, had taken in a certain tenement of the said Henry Amptill and had imprisoned. (Middlesex County Records, Sessions Rolls, I., p. 82).

544. In 1621, John Ampthill was granted leave to alienate 5 messuages, 11 cottages and 4 gardens to Anne, Robert, James and Thomas Foote (Patent Roll, 19 Jas. I. (2263)); in 1614 he sold 3 houses to Richard Windell (Middlesex Feet of Fines, 12 Jas I., Mich.), whose grandson in 1630 parted with them to Abraham Hawkins (Close Roll, 6 Chas. I. (2823)); and in 1625 he obtained leave to alienate 14 messauges to John and Abraham Hawkins. On the death of Abraham in 1645, he was still in possession of 14 messuages in St. Giles (Inquisitiones Post Mortem, 2nd Series, 707 (41).)

545. The Hawkins property seems to have descended to Sir William Dawes, Archbishop of York, whose mother was Jane Hawkins. By a deed of 1726 (Middlesex Registry Memorials, 1726, IV., 389) Jane Lewis sold the remainder of a lease granted by Sir William, and comprising inter alia a house which by reference to the ratebooks can be shown to be the second westwards from Lamb Alley.

546. Close Roll, 7 Chas. I. (2895).

547. Close Roll, 1655 (3866).

548. On 3rd December, 1603, William Barber, of St. Giles, gardener, was convicted, with others, of throwing filth and dung near the highway in a certain close called “Blumsberrie fieldes.” (Middlesex County Records, Sessions Rolls, II., p. 4).

549. Middlesex Feet of Fines, 32 Eliz., Easter.

550. Hospital and Parish of St. Giles, p. 319.

551. Sale by Arthur Blythe to William Wigg and Thomas Whitfield, in trust for John Smallbone, dated 1680, and quoted by Parton (op. cit.) p. 126.

552. See p. 106.

553. Hospital and Parish of St. Giles, p. 125.

554. Hospital and Parish of St. Giles, p. 113. Newlands was actually in the parish of St. Marylebone (see p. 125).

555. Blemundsbury, p. 308.

556. “Maslyn’s Pond” and “Maslyn Fields” are mentioned in the parish books in 1644 and 1656 (Parton’s Hospital and Parish of St. Giles, pp. 270–1).

557. See p. 101.

558. See Sale by Arthur Blythe to Wigg and Whitfield, quoted by Parton (Hospital and Parish of St. Giles, p. 126).

559. Kingsford’s edition, II., p. 91.

560. Reproduced here.

561. See p. 123. The Close had a reputed area of 10 acres (See e.g., Rents of Henry VIII. in London and the Suburbs, 35 Henry VIII. (Rentals and Surveys, General Series), Roll 452).

562. Parliamentary Survey (Augmentation Office), Middlesex, 24.

563. I.e., the field called Long Acre or Elm Field, lying between Castle Street and the street called Long Acre.

564. Obviously a mistake for “south”; Castle Street is the thoroughfare meant.

565. Monmouth Street, now Shaftesbury Avenue, and West Street.

566. I.e., The Bowl property, see p. 110.

567. Sir John Brownlow. The same variation occurs in the Hearth Tax Rolls.

568. Close Roll, 2 Geo. II. (5363).

569. Endowed Charities, County of London, Vol. V., p. 946.

570. Patent Roll, 24 Charles II. (3137).

571. The existence of a “Tower Street” between King Street and White Lion Street is impossible. A portion of the close was in 1690 used as a laystall (Calendar of State Papers, Domestic, 1689–90, p. 389).

572. Chancery Proceedings, Bridges, 36–47. Suit of Jas. Kendricke.

573. Chancery Proceedings, Bridges, 614–105. Suit of William Jennens.

574. There are records inter alia of (a) four houses built in Great St. Andrew Street, between Michaelmas, 1693, and August, 1694 (Middlesex Registry Memorials, 1734, V., 266), and (b) houses built in Monmouth Street and Little Earl Street in July, 1693, and October, 1694 (Chancery Decree Roll, 1933. Suit of William Lloyd).

575. The leases of many of the houses erected on the south-west of the close do not seem to have been granted before 1708–9.

576. Notes and Queries, 11th Series, VIII., pp. 182–3.

577. The plan is probably a little later than 1691 (the date assigned to it), for, as has been shown, Neale did not obtain his lease until 1693.

578. Wheatley and Cunningham’s London Past and Present, III., p. 234.

579. Reproduced here.

580. Recited in Indenture of 25th October, 1728, between Jas. Joye (1), Oliver Martin and Thos. Russell (2) and Rev. Thos. Blackwell (3) (Close Roll, 2 Geo. II. (5364)).

581. Much of the above information is taken from Emily Dibdin’s Seven Dials Mission: the story of the old Huguenot Church of All Saints, West Street.

582. Reproduced here.

583. It should be mentioned, however, that in a petition, probably belonging to the year 1354, the Mayor and Commonalty of London claimed that the Hospital had been founded by a citizen of London suffering from leprosy. (Calendar of Letterbooks of the City of London, Letterbook G., p. 27).

584. Parton (History of the Hospital and Parish of St. Giles-in-the-Fields, p. 1) and, following him, Dugdale (Monasticon VII., p. 635) give the date of the Hospital’s foundation as 1101. This is certainly wrong. Parton’s authority was an entry in Leland’s Collectanea, I., p. 418 (2nd edn.), which under the date 1101 mentions several events, (i.) Henry’s marriage with Maud, (ii.) his appointment of a military guard for his brother Robert who was in prison, (iii.) Maud’s foundation of the Hospital of St. Giles. The next entry is dated 1109. The date 1101 is obviously only intended to cover (i.) (which took place strictly speaking in 1100), for Robert was not taken prisoner until the battle of Tinchebray in 1106. The passage therefore would seem to suggest a date between 1106 and 1109 for the foundation of St. Giles.

585. Survey of London (Kingsford’s edn.), II., p. 90.

586. Historia Anglicana, p. 176b.

587. Parton in his transcription of the document reads “forty” throughout, and has been copied by everybody. It is, however, clearly “quatuordecim” in all cases.

588. Ancient Petitions, E. 617.

589. Ancient Petitions, E. 617; 2448.

590. Calendar of Letterbooks of the City of London, Letterbook G., p. 28.

591. Ibid., p. 29.

592. I.e., 27 Edw. I. (Calendar of Patent Rolls, p. 404). It has been generally assumed that the date was 1354, i.e., 27 Edw. III., no doubt because Parton (Hospital and Parish of St. Giles, pp. 23, 26) when translating the document relating to the suit between the Abbot of St. Mary Graces and the Master of Burton Lazars gave the name of the King as Edward the son of Edward, whereas the reading is clearly “Edward the son of Henry.”

593. It really extended somewhat to the west of the eastern side of the modern road, which has been formed by widening the ancient Hog Lane.

594. Close Roll, 16 James I. (2384).—Indenture, dated 19 March, 1617–8, between Robert Lloyd and Isaac Bringhurst.

595. See p. 124.

596. Inquisitiones Post Mortem, 3 Edward VI. (89).

597. Close Roll, 8 Elizabeth (722).

598. Close Roll, 8 James I. (2066)—Indenture, dated 20th February, 1610–11, between John Graunge and Robert Lloyd.

599. A sixth was sold in 1622 by John and William Flood to Zachery Bethel, lying to the south of Sir Edward Fisher’s house, but this seems to have only recently been built on land taken out of the four acres (see p. 122).

600. Close Roll, 16 James I. (2384).

601. The reversion was then sold to Francis Ashburnham (Close Roll, 5 Charles I. (2800)—Indenture, dated 1st March, 1628–9, between John Stafey and Isaac Bringhurst and The Worshipful Francis Ashburnham).

602. Endowed Charities (County of London), Vol. III. (1900), p. 348.

603. Close Roll, 10 James I. (2123)—Indenture between Robert Floyd and William Holt and John Harman.

604. Close Roll, 1652 (3683)—Indenture between John Hooker and Walter Bigg.

605. Letter dated 5th May, 1677, from Philip, Lord Wharton to Sir R. Verney (Historical MSS. Commission, Verney MSS., App. to VII. Report, p. 469).

606. Parton’s Hospital and Parish of St. Giles-in-the-Fields, p. 117.

607. Middlesex Registry Memorials, 1727, VI., 138.

608. Close Roll, 16 James I. (2384)—Indenture between Robert Lloyd and Isaac Bringhurst.

609. Close Roll, 16 James I. (2384).

610. Close Roll, 7 Charles I. (2895)—Indenture between Anne Bringhurst and John Stafey and the Lady Alice Dudley.

611. Close Roll, 10 Charles I. (3017).

612. Chancery Proceedings, Bridges, 455–66.—Suit of John Boswell.

613. The boundaries are given as (E) tenement now in occupation of Nicholas Holden; (W) churchyard; (N) Kilburn to Holborn Highway; (S) orchard of Nicholas Holden (Close Roll, 9 Elizabeth (742)—Indenture between Lord Mountjoy and Percival Rowland).

614. The boundaries are given as: (S) highway from St. Giles to Knightsbridge; (W) a tenement late of Rowland Percival, and a close of John Graunge; (N) highway through St. Giles to Uxbridge (Close Roll, 11 Elizabeth (797)—Indenture between Lord Mountjoy and Edward Kyngston).

615. See p. 125.

616. Inquisitiones Post Mortem, II. Series, Vol. 139 (134).

617. Inquisitiones Post Mortem, II. Series, Vol. 384 (139).

618. Recovery Roll, 21 James I. Trinity.—Indenture between John and William Flood, and Zachery Bethel.

619. Somerset House Wills, Gee, 159.

620. Patent Roll, 23 Charles II. (3125).

621. Augmentation Office, Deed of Sale, E. 19. The Master of Burton Lazars apparently lost by the transaction, but from a letter, dated 1st April, 1535, written by Richard Layton to Cromwell, it would seem that at one time there was a distinct prospect of his faring still worse. “I sent for the Master of Burton Lazer as you desired, advertising him of the King’s pleasure commanding him to be here by Easter eve, and desire you to intercede for him with the King that he might obtain other lands for his lands of St. Giles’s. He came, and I have been with him divers times. I have persuaded him to put his sole trust in you and that he shall not go to the King in anywise before you bring him to His Grace. He is content to do so. When you wish that I should bring him unto you to make further declaration to him of the King’s pleasure, let me know.” (Calendar of Letters of Henry VIII., 26 H. VIII., p. 168).

622. These were in St. Anne’s, Soho.

623. After the Duke of Norfolk had heard that Legh was scheming to get the mastership, he wrote that Legh was married, adding, “Alas! what pity it were that such a vicious man should have the governance of that honest house!” (Letters and Papers of Henry VIII., XII., i., p. 282).

624. Patent Roll, 28 Henry VIII. (671).

625. The whole of the above information is obtained from Chancery Decree Roll (1).

626. Abstracts of Inquisitiones Post Mortem relating to the City of London, ed. Geo. S. Fry, Part I., p. 62. Legh was buried in the old church of St. Leonard, Shoreditch, and an illustration of his effigy is given in Ellis’s Antiquities of Shoreditch. The following inscription was underneath (Hatton’s New View of London, 1908):—

“Here under lye the Ashes and the Bones
Of Sir Tho. Leigh, that good and learned Knight,
Whose hasty Death, alas, the Godly still bemoan,
Tho his Soul always rejoice in God’s sight,
Great was his Wisdom, and greater was his Wit,
His Visage comely, with no sad Change dismay’d,
A Man in all Affairs a King to serve most fit,
Had not Death so soon his mortal Life betray’d.”

627. Chancery Decree Roll, No. 3.

628. Close Roll, 37 Henry VIII. (444).

629. This was in the parish of Edmonton, now Southgate.

630. On the north side of Broad Street, now in the parish of St. George, Bloomsbury.

631. The Great Close of Bloomsbury and Wilkinson’s Close.

632. I.e., Middle Row (see Close Roll, 12 Elizabeth (832).—Indenture between Lord and Lady Mountjoy and William Perye), formerly standing just outside Holborn Bars.

633. These were in St. Marylebone. The Inquisition on the death of Sir John Grange (1611) refers to “a close of land commonly known by the name of Newlondes containing 24 acres, and ... all that parcel of land or lane (“venelle”) near adjoining the aforesaid close ... situated within the parish of Marylebone.” (Inquisitiones Post Mortem, II. Series, Vol. 686 (113)).

634. Licence to alienate granted 6th July, 1546.

635. Inquisitiones Post Mortem, II. Series, 3 Edward VI. (89).

636. Inquisitiones Post Mortem, 15 Elizabeth, Vol. 165, on Thomas Carew.

637. Ibid., 6 Elizabeth, Vol. 139.

638. Ibid., Series II. (49), Vol. 109.

639. Her second husband was Sir Thomas Chaloner.

640. According to the Dictionary of National Biography, he “spent the fortune of his family in the pursuit of alchemy.”

641. The “Lorde Mountjoye and the Lady Katherine” are mentioned in a mortgage by the former to John Mery, dated 1st February, 1556–7. (Close Roll, 4 and 5, Philip and Mary (547)).

642. Close Roll, 7 Eliz. (695).

643. Considerable doubt seems to have existed on this point. Side by side with assertions to the contrary, there are plain statements that the mortgage was redeemed (see e.g., Chancery Decree Roll, 54, concerning a complaint by Jas. Mascall against Thomas Harrys and others). Nevertheless it is quite certain that the statement in the text is true, for (1) the recognisance accompanying the mortgage is not cancelled; (2) Blount’s son Charles (afterwards Earl of Devonshire) definitely stated that the manor was not redeemed (Chancery Proceedings, Elizabeth B. 15–52), suit of Charles Blount; (3) the steps by which the manor descended from the Brownes are known.

644. Close Roll, 21 Eliz. (1059); Common Plea Roll, 25 Eliz., Hilary, 4010; Close Roll, 34 Eliz. (1425). Parton (Hospital and Parish of St. Giles-in-the-Fields, p. 331) bridges over the gap between Blount and Cope by the supposition that the manor came into the hands of the last-named in consequence of a mortgage to one “Master Cope, citizen of London.” But (1) the mortgage is not of the manor of St. Giles, and (2) the proper reading is not “Cope” but “Rope.”

645. He was knighted on 20th April, 1603.

646. Close Roll, 14 Jas. I. (2308)—Indenture between Sir Henry Rich, Dame Isabella, and Dame Dorothy Cope and Gifford and Risley.

647. Vestry Minutes, 1624–1719.

648. See p. 1.

649. Newcourt, op. cit., p. 612.

650. The sketch given by Parton, Hospital and Parish of St. Giles-in-the-Fields, p. 54, is quite untrustworthy, and is in conflict with the little that is known of the church. He gives no authority for the sketch save that it was as “preserved in rude delineations of it, made near the time.”

651. Parton’s Hospital and Parish of St. Giles-in-the-Fields, p. 56.

652. Ibid., pp. 191–2.

653. Vestry Minutes, 1624–1719, f. 4.

654. A Mirrour of Christianity and a Miracle of Charity, etc., by R. B. [i.e., Robert Boreman], p. 121.

655. A New View of London (1708), I., p. 259.

656. Strype’s edition of Stow, 1720, II., pp. 77ff. The greater portion of what follows is taken from Strype’s description.

657. See illustrations on map in Strype’s edition of Stow (Plate 5).

658. A list of Lady Dudley’s benefactions comprises the following: “She gave to the Church of St. Giles, the greatest bell in the steeple; and divers great pieces of massive plate; paved the chancel with marble, built the fair blue gate at the entrance to the churchyard, and purchased a fair house of £30 a year value for the perpetual incumbent. She also gave the hangings for the choir, which cost £80 10s., 2 service books, embroidered in gold, £5; velvet altar cloth with gold fringe £60; a cambric cloth to lay over it with a deep bone lace £4 10s.; another fine damask cloth £3; 2 cushions for the altar, richly embroidered with gold, £10; a Turkey carpet to lay before the altar £6; a long screen to sever the chancel from the church, richly carved and gilt, £200; a fair organ £100; the organ loft richly wrought and gilt, and a tablet of the Ten Commandments, the Creed and Lord’s Prayer, richly adorned, £80; the rails before the altar curiously carved and gilt, £40.” (Calendar of State Papers, Domestic, 1668–9, p. 176).

659. Parton’s Hospital and Parish of St. Giles-in-the-Fields, pp. 200–1.

660. 4 Geo. I., cap. 14.

661. 3 Geo. II., cap. 19.

662. Parton’s Hospital and Parish of St. Giles, p. 213.

663. Hatton’s New View of London (1708), p. 262.

664. Parton’s Hospital and Parish of St. Giles, p. 224

665. Parton’s Hospital and Parish of St. Giles-in-the-Fields, pp. 216–7.

666. Novum Repertorium Ecclesiasticum Parochiale Londinense, p. 173.

667. Reproduced here.

668. See p. 123.

669. Reproduced here.

670. Parton’s Hospital and Parish of St. Giles-in-the-Fields, p. 117.

671. Reproduced here.

672. See p. 1.

673. Close Roll, 30 Henry VI.—Grant, dated 2nd April, 1452, by Jo. Crouton and W. Horn to Jo. and Katherine Nayler.

674. To the east of Church Close.

675. Close Roll, 13 James I. (2275).

676. History of London, p. 1363.

677. Tyburn Gallows (published by the London County Council), p. 16.

678. The gallows in St. Giles Fields erected for the execution of Lord Cobham were obviously put up for that special purpose. There may, of course, have been a manorial gallows, but no mention of such for St. Giles occurs in the Quo Warranto Rolls.

679. Endowed Charities, County of London, III., p. 350.

680. Parton’s Hospital and Parish of St. Giles, p. 228.

681. Chancery Decree Roll, No. 3.

682. Inquisitiones Post Mortem, II. Series, Middlesex, Vol. 200 (5).

683. Formerly on the east side of Dyott Street, just outside the parish boundary.

684. Close Roll, 9 Elizabeth (742).

685. Close Roll, 8 Charles I. (2946).

686. Close Roll, 1649 (31). Indenture, dated 20th March, 1648–9, between John Barber als Grigg and Henry Baynbrigge.

687. Hospital and Parish of St. Giles-in-the-Fields, p. 152.

688. Edmund Buckeridge and Henry Loveday querentes: and Jane Baynbrigge, widow; William Maynard and Mary, his wife; Nicholas Buckeridge, and Sara, his wife; and Simon Dyott and Jane, his wife, deforciantes; of 100 messuages, 200 cottages, 40 gardens and 10 acres of land in St. Giles, Mary, Sara and Jane renounce for their heirs. It will be seen that the property had grown, and it is known that Bainbridge had purchased more (see e.g., purchase from Sir John Bramston and others, Middlesex Feet of Fines, 1665, Trinity).

689. “The Rookery,” was a triangular space bounded by Bainbridge, George, and High Streets; it was one dense mass of houses, through which curved narrow tortuous lanes, from which again diverged close courts—one great mass, as if the houses had originally been one block of stone, eaten by slugs into numberless small chambers and connecting passages. The lanes were thronged with loiterers; and stagnant gutters, and piles of garbage and filth infested the air. In the windows, wisps of straw, old hats, and lumps of bed-tick or brown paper, alternated with shivered panes of broken glass, the walls were the colour of bleached soot, and doors fell from their hinges and worm-eaten posts. Many of the windows announced, “Lodgings at 3d. a night,” where the wild wanderers from town to town held their nightly revels.” (Timbs’ Curiosities of London (1867), p. 378.)

690. Opened in 1847.

691. Except perhaps the extreme east.

692. Wheatley and Cunningham (London, Past and Present) give the date of the street’s formation as approximately 1670.

693. Memoirs of the Life and Works of Sir Christopher Wren (1823), p. 522.

694. Collins’s Peerage of England, 5th Edition, III., p. 328.

695. Memoirs of the Life and Works of Sir Christopher Wren, p. 522.

696. Burke’s Peerage.

697. Hospital and Parish of St. Giles, p. 372.

698. Dictionary of National Biography.

699. Walpole’s Letters (Toynbee Edn.) XI., p. 52.

700. Survey of London, Vol. III., pp. 88–89.

701. Parish ratebooks.

702. Reproduced here.

703. Information kindly supplied by His Grace the Duke of Bedford.

704. Richardson and Gill’s London Houses from 1660 to 1820, p. 67.

705. A. E. Richardson’s Monumental Classic Architecture in Great Britain and Ireland.

706. Survey of London, Vol. III. (St. Giles-in-the-Fields, Part I.), p. 108.

707. Beresford Chancellor’s History of the Squares of London, pp. 202–10.

708. Information kindly supplied by His Grace the Duke of Bedford.

709. Middlesex Registry Memorials, 1778, II., 409.

710. Reproduced here.

711. In the Parish of St. George, Bloomsbury.

712. Painted Decoration—the Georgian Period, by Ingleson C. Goodison (Architectural Review, January, 1913).

713. Information kindly supplied by the Rev. Lewis Gilbertson, M.A., F.S.A.

714. Reproduced here.

715. In the Parish of St. George, Bloomsbury.

716. Middlesex Registry Memorials, 1778, II., 409.

717. Survey of London, Vol. III. (St. Giles-in-the-Fields, Part I.), p. 67.

718. Reproduced here.

719. In the Parish of St. George, Bloomsbury.

720. Middlesex Registry Memorials, 1778, IV., 505.

721. Reproduced here.

722. In the Parish of St. George, Bloomsbury.

723. Middlesex Registry Memorials, 1778, IV., 505.

724. See p. 153.

725. Boyle’s Court Guide, however, shows him at the house from 1796 to 1799.

726. The Dictionary of National Biography says that it was at No. 11, Bedford Square.

727. Reproduced here.

728. Partly in the Parish of St. Giles-in-the-Fields and partly in that of St. George, Bloomsbury.

729. Reproduced here.

730. Information kindly supplied by His Grace the Duke of Bedford.

731. See p. 151.

732. See pp. 84–5.

733. Reproduced here.

734. Reproduced here.

735. Reproduced here.

736. Reproduced here.

737. See p. 168.

738. Reproduced here.

739. Middlesex Registry Memorials, 1777, VII., 263.

740. Reproduced here.

741. Middlesex Registry Memorials, 1776, VI., 487.

742. Reproduced here.

743. Middlesex Registry Memorials, 1776, VI., 630.

744. Reproduced here.

745. Middlesex Registry Memorials, VI., 631.

746. Survey of London, Vol. III. (St. Giles-in-the-Fields, Part I.), p. 102.

747. Reproduced here.

748. Middlesex Registry Memorials, 1778, II., 314.

749. Dictionary of National Biography.

750. Reproduced here.

751. Middlesex Registry Memorials, 1777, VII., 351.

752. Reproduced here.

753. Middlesex Registry Memorials, 1777, VII., 353.

754. Reproduced here.

755. Middlesex Registry Memorials, 1777, VII., 254.

756. Reproduced here.

757. Middlesex Registry Memorials, 1777, VII., 252.

758. Reproduced here.

759. Middlesex Registry Memorials, 1777, VII., 257.

760. Reproduced here.

761. Middlesex Registry Memorials, 1777, I., 637.

762. Reproduced here.

763. Middlesex Registry Memorials, 1777, II., 526.

764. Reproduced here.

765. In the Parish of St. George, Bloomsbury.

766. Middlesex Registry Memorials, 1777, I., 631.

767. Reproduced here.

768. Reproduced here.

769. See licence to alienate granted in Patent Roll, 9 Elizabeth (1038).

770. See p. 125.

771. See pardon for alienation granted in Patent Roll, 30 Elizabeth (1321).

772. Information kindly supplied by the City of London Corporation.

773. A. E. Richardson’s Monumental Classic Architecture.

774. A copy is in the County Hall collection.

775. It was the last of several designs prepared for a Select Committee of the House of Commons who engaged in deliberating on the improvements to the Port, including a new London Bridge. The view shows two bridges of six arches each, with a drawbridge in the centre intended for the passage of ships. Between the bridges flights of steps lead down to the river. The two large areas beyond the bridges are terminated by crescents. The Monument stands in the chord of the northern crescent, and a large obelisk in that of the southern.

776. Inquisitiones Post Mortem, Chas. I. (765), 37.

777. John Holles, first Earl of Clare (1564?–1637).

778. It seems probable that the land in question (which, being partly in St. Giles and partly in St. Pancras, was described sometimes as in one parish, sometimes in the other) is identical with the land in St. Pancras sold, together with Clement’s Inn, by Sir William Hawte to William (afterwards Sir William) Holles, ancestor of the Earls of Clare, in 1532 (Middlesex Feet of Fines, 23 Henry VIII., Hil.).

779. The boundary between St. Giles and St. Pancras used to run through the middle of the close.

780. Middlesex Registry Memorials, 1772, VI., 111.

781. The Old Farm House in Tottenham Court Road, by Ambrose Heal.

782. Reproduced here.


TRANSCRIBER’S NOTES
  1. Silently corrected obvious typographical errors and variations in spelling.
  2. Retained archaic, non-standard, and uncertain spellings as printed.
  3. Linked larger images of maps as indicated by [Click image for larger version.]